JTWC Patrick Hoareau
30W(Phanfone), 04P( Sarai) and Invest 96S: updates at 27/03UTC - 12/27/2019 - 09:04
TY 30W( PHANFONE) WESTERN NORTH PACIFIC As of 00:00 UTC Dec 27, 2019: Location: 14.7°N 116.9°E Maximum Winds: 70 kt ( 130km/h) Gusts: 85 kt ( 160km/h) CATEGORY US: 1 WDPN31 PGTW 270300...
Philippines: Phanfone moving away and weakening. Fiji: 04P approaching and strengthening - 12/26/2019 - 19:20
TY 30W( PHANFONE) WESTERN NORTH PACIFIC As of 12:00 UTC Dec 26, 2019: Location: 13.9°N 117.6°E Maximum Winds: 75 kt ( 140km/h) Gusts: 90 kt ( 170km/h) Minimum Central Pressure: mb...
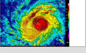
Typhoon Phanfone(30W) near Cat 3. Invest 99P: Tropical Cyclone Formation Alert. - 12/25/2019 - 07:56
TY 30W( PHANFONE) WESTERN NORTH PACIFIC As of 00:00 UTC Dec 25, 2019: Location: 11.8°N 122.4°E Maximum Winds: 95 kt ( 175km/h) Gusts: 115 kt ( 220km/h) Minimum Central Pressure: mb...
Cat 2 Typhoon Phanfone tracking across the Visayan Sea - 12/24/2019 - 19:12
TY 30W( PHANFONE) WESTERN NORTH PACIFIC As of 12:00 UTC Dec 24, 2019: Location: 11.4°N 124.8°E Maximum Winds: 90 kt ( 170km/h) Gusts: 110 kt ( 205km/h) Minimum Central Pressure: mb...
Typhoon Phanfone Update at 12UTC: the eye over Santa Rita just to the North of Tacloban - 12/24/2019 - 13:07
TY 30W( PHANFONE) WESTERN NORTH PACIFIC As of 12:00 UTC Dec 24, 2019: Location: 11.4°N 125.0°E Moving West North West
Intensifying Typhoon Phanfone bearing down on Tacloban/PH. Landfall: shortly before 12h - 12/24/2019 - 06:42
TY 30W( PHANFONE) WESTERN NORTH PACIFIC As of 00:00 UTC Dec 24, 2019: Location: 10.8°N 127.6°E Maximum Winds: 70 kt ( 130km/h) Gusts: 85 kt ( 160km/h) Minimum Central Pressure: mb...
30W(Phanfone) intensifying next 36hours and approaching Samar/Philippines - 12/23/2019 - 01:30
TS 30W( PHANFONE) WESTERN NORTH PACIFIC As of 18:00 UTC Dec 22, 2019: Location: 9.3°N 135.6°E Maximum Winds: 35 kt ( 65km/h) Gusts: 45 kt ( 85km/h) Minimum Central Pressure: 1004 mb WDPN31 PGTW...
30W(PHANFONE) slowly approaching the Philippines/intensifying. Forecast track: good confidence - 12/22/2019 - 06:21
TD 30W( PHANFONE) WESTERN NORTH PACIFIC As of 00:00 UTC Dec 22, 2019: Location: 6.7°N 139.0°E Maximum Winds: 30 kt ( 55km/h) Gusts: 40 kt ( 75km/h) Minimum Central Pressure: 1001 mb WDPN31 PGTW...
Invest 98W: Tropical Cyclone Formation Alert - 12/21/2019 - 12:27
INVEST 98W WESTERN NORTH PACIFIC As of 06:00 UTC Dec 21, 2019: Location: 5.3°N 142.5°E Maximum Winds: 20 kt Minimum Central Pressure: 1002 mb WTPN21 PGTW 210300 MSGID/GENADMIN/JOINT TYPHOON...
Invest 98W upgraded to Medium. Invest 97P & 96S: updates - 12/20/2019 - 23:28
INVEST 98W WESTERN NORTH PACIFIC As of 00:00 UTC Dec 21, 2019: Location: 4.9°N 142.7°E Maximum Winds: 20 kt Minimum Central Pressure: 1005 mb ABPW10 PGTW 201400 COR 1. WESTERN NORTH PACIFIC...
INVEST 96S: poorly organized. Downgraded to low - 12/20/2019 - 00:08
INVEST 96S SOUTH INDIAN As of 18:00 UTC Dec 19, 2019: Location: 14.9°S 70.6°E Maximum Winds: 25 kt ( 45km/h) Gusts: 35 kt ( 65km/h) Minimum Central Pressure: 1003 mb WTXS21 PGTW 191730...
INVEST 96S: Tropical Cyclone Formation Alert(TCFA) - 12/19/2019 - 09:00
INVEST 96S SOUTH INDIAN As of 00:00 UTC Dec 19, 2019: Location: 15.2°S 70.4°E Maximum Winds: 30 kt ( 55km/h) Gusts: 40 kt ( 75km/h) Minimum Central Pressure: 1002 mb WTXS21 PGTW 190300...
Invest 96S: models show little development next 96h - 12/16/2019 - 14:16
INVEST 96S SOUTHERN HEMISPHERE SOUTH INDIAN As of 00:00 UTC Dec 16, 2019: Location: 10.9°S 68.8°E Maximum Winds: 15 kt Minimum Central Pressure: 1008 mb ABIO10 PGTW 161100 2. SOUTH INDIAN...
TC 02S(BELNA) making landfall near Soalala/Madagascar within 12h as a Cat1/2 - 12/09/2019 - 11:47
TC 02S BELNA As of 06:00 UTC Dec 09, 2019: Location: 14.6°S 45.6°E Maximum Winds: 80 kt ( 150km/h) Gusts: 100 kt ( 185km/h) Minimum Central Pressure: 979 mb CATEGORY US: 1 REMARKS: 090900Z...
TC 02S(BELNA) back to Category 2 but expected to intensify, bearing down on Madagascar - 12/08/2019 - 11:21
TC 02S BELNA As of 06:00 UTC Dec 08, 2019: Location: 12.0°S 46.6°E Maximum Winds: 90 kt ( 170km/h) Gusts: 110 kt ( 205km/h) Minimum Central Pressure: 970 mb CATEGORY US: 2 REMARKS: 080900Z...
TC 02S(BELNA) cat 3 and intensifying. Invest 92B: TCFA. TC 03S(AMBALI) & INVEST 94P: updates - 12/08/2019 - 02:45
TC 02S BELNA SOUTH INDIAN MOZ CHANNEL As of 18:00 UTC Dec 07, 2019: Location: 10.9°S 47.2°E Maximum Winds: 100 kt ( 185km/h) Gusts: 125 kt ( 230km/h) Minimum Central Pressure: 960 mb...
TC 02S(BELNA) cat 2 and intensifying. 03S(AMBALI), Invest 92B and 93P: updates 07/09UTC - 12/07/2019 - 12:36
TC 02S BELNA SOUTH INDIAN MOZ CHANNEL As of 06:00 UTC Dec 07, 2019: Location: 9.6°S 47.4°E Maximum Winds: 85 kt ( 160km/h) Gusts: 105 kt ( 195km/h) Minimum Central Pressure: 974 mb...
Super Cyclone Ambali(03S): explosive intensification: 70kts to 135kts in 12hours - 12/06/2019 - 09:40
WARNING POSITION: 060000Z --- NEAR 10.5S 62.2E MOVEMENT PAST SIX HOURS - 200 DEGREES AT 06 KTS POSITION ACCURATE TO WITHIN 010 NM...
TC AMBALI(03S): rapid intensification - 12/05/2019 - 19:22
WARNING POSITION: 051200Z --- NEAR 9.2S 62.7E MOVEMENT PAST SIX HOURS - 220 DEGREES AT 08 KTS POSITION ACCURATE TO WITHIN 020 NM...
TS KAMMURI(29W), TC PAWAN(06A), TC AMBALI(03S), TC 02S: updates - 12/05/2019 - 10:10
Météo974 M974World
TY Kammrui(29W) , TC 06A, Invest 95W, 91A and 91S: updates at 03/06UTC - 12/03/2019 - 11:40
Météo974 M974World WESTERN NORTH PACIFIC TY Kammuri (29W) As of 06:00 UTC Dec 03, 2019: Location: 13.2°N 120.8°E Maximum Winds: 85 kt ( 160km/h) Gusts: 105 kt (195km/h) Minimum Central...
Powerful Typhoon Kammuri(29W), cat 4: tracking over Legazpi at 02/16UTC - 12/02/2019 - 21:30
Météo974 M974World WESTERN NORTH PACIFIC TY Kammuri (29W) As of 14:30 UTC Dec 02, 2019: Location: 13.0°N 124.2°E Maximum Winds: 115 kt ( 215km/h) Gusts: 140 kt (260km/h) Minimum Central...
Powerful Typhoon Kammuri(29W), cat 4, tracking almost over Legazpi shortly - 12/02/2019 - 18:45
Météo974 M974World WESTERN NORTH PACIFIC TY Kammuri (29W) As of 12:00 UTC Dec 02, 2019: Location: 13.0°N 124.7°E Maximum Winds: 115 kt ( 215km/h) Gusts: 140 kt (260km/h) Minimum Central...
Dangerous Typhoon Kammuri should track very close to Legazpi/Virac in apprx 12/18hours - 12/02/2019 - 07:28
Météo974 M974World WESTERN NORTH PACIFIC TY Kammuri (29W) As of 00:00 UTC Dec 02, 2019: Location: 12.9°N 126.5°E Maximum Winds: 90 kt ( 170km/h) Gusts: 110 kt (205km/h) Minimum Central...
Kammuri(29W): rapid intensification next 24h then tracking between Virac and Legazpi - 12/02/2019 - 00:22
Météo974 M974World WESTERN NORTH PACIFIC TY Kammuri (29W) As of 18:00 UTC Dec 01, 2019: Location: 12.9°N 127.8°E Maximum Winds: 80 kt ( 150km/h) Gusts: 100 kt ( 185km/h) Minimum Central...
Kammuri(29W) is developing an eye while intensifying. Could be near Virac in apprx 36h - 12/01/2019 - 12:57
Météo974 M974World WESTERN NORTH PACIFIC TY Kammuri (29W) As of 06:00 UTC Dec 01, 2019: Location: 13.0°N 129.7°E Maximum Winds: 65 kt ( 120km/h) Gusts: 80 kt ( 150km/h) Minimum Central...
Kammuri(29W) still forecast to intensify markedly next 48h, approaching Central Philippines - 12/01/2019 - 00:23
Météo974 M974World WESTERN NORTH PACIFIC TY Kammuri (29W) As of 18:00 UTC Nov 30, 2019: Location: 13.1°N 132.7°E Maximum Winds: 65 kt ( 120km/h) Gusts: 80 kt ( 150km/h) Minimum Central...
Typhoon Kammuri likely to intensify significantly next 2 days, approaching the Philippines - 11/30/2019 - 05:46
Météo974 M974World WESTERN NORTH PACIFIC TY Kammuri (29W) As of 00:00 UTC Nov 30, 2019: Location: 13.9°N 136.2°E Maximum Winds: 75 kt ( 140km/h) Gusts: 90 kt ( 170km/h) Minimum Central...
Kammuri(29W): update at 29/09UTC - 11/29/2019 - 13:45
Météo974 M974World WESTERN NORTH PACIFIC TY Kammuri (29W) As of 06:00 UTC Nov 29, 2019: Location: 14.6°N 137.6°E Maximum Winds: 75 kt ( 140km/h) Gusts: 90 kt ( 170km/h) Minimum Central...
Updates at 29/06UTC - 11/29/2019 - 09:47
Météo974 M974World WESTERN NORTH PACIFIC TY Kammuri (29W) As of 06:00 UTC Nov 29, 2019: Location: 14.6°N 137.6°E Maximum Winds: 75 kt ( 140km/h) Gusts: 90 kt ( 170km/h) Minimum Central...
Les News
Major HURRICANE 05E(ERICK) near CAT 4 US making landfall
06/19/2025
- PATRICK HOAREAU
01W(WUTIP) 1st Typhoon of the 2025 Western North Pacific season
06/14/2025
- PATRICK HOAREAU
Liens utiles
01W(WUTIP) 1st Typhoon of the 2025 Western North Pacific season
3 Week Tropical Cyclone Formation Probability//1406utc
TC 29S(ERROL) peaked at CATEGORY 5 US/SUPER TYPHOON after Extreme Rapid Intensification//3 Week Tropical Cyclone Formation Probability//1618utc
INVEST 96P under close watch// 3 Week Tropical Cyclone Formation Probability//1109utc
TC 27S(COURTNEY) recahed Super Typhoon Intensity//Over-land TC 28S(DIANNE)//INVEST 97W//3003uitc
01W(WUTIP) 1st Typhoon of the 2025 Western North Pacific season
3 Week Tropical Cyclone Formation Probability//1406utc
TC 29S(ERROL) peaked at CATEGORY 5 US/SUPER TYPHOON after Extreme Rapid Intensification//3 Week Tropical Cyclone Formation Probability//1618utc
INVEST 96P under close watch// 3 Week Tropical Cyclone Formation Probability//1109utc
TC 27S(COURTNEY) recahed Super Typhoon Intensity//Over-land TC 28S(DIANNE)//INVEST 97W//3003uitc
MMS/Vacoas: Janvier 2023: le plus pluvieux à MAURICE depuis 20ans! RODRIGUES: proche de la normale...
ILES SOEURS: la REUNION et MAURICE douchées par des pluies localement fortes// Et ce n'est probablement pas fini// 26/19h
MAURITIUS: significant rain at last!
MMS/Vacoas: dry to very dry December 2022 for MAURITIUS and RODRIGUES & the outer islands//Forecast for JAN & FEB 2023
Mid-November: still dry over most of MAURITIUS, RODRIGUES and ST BRANDON, near normal at Agaléga//Forecast for Nov/Dec/Jan 2023
S'identifier
