Les News
3 Week Tropical Cyclone Formation Probability//04/22/26
04/22/2026
- PATRICK HOAREAU
WESTERN PACIFIC: Typhoon 04W(SINLAKU) CAT 1 US is tracking over increasingly cooler seas with ETT forecast to complete by 48h//171000 UTC
04/17/2026
- PATRICK HOAREAU
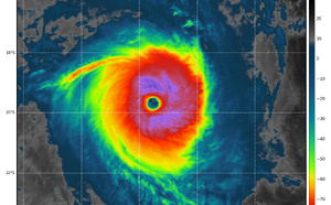
WESTERN PACIFIC: 04W(SINLAKU) CAT 3 US forecast to remain a Typhoon for the next 48h before becoming a strong extratropical storm/SOUTH INDIAN: Invest 92S//161000 UTC
04/16/2026
- PATRICK HOAREAU
WESTERN PACIFIC: Typhoon 04W(SINLAKU) large and still powerful CAT 3 US, slow mover lead to a prolonged period period of destructive winds over the MARIANAS/ SOUTH INDIAN: Invest 92S//150900 UTC
04/15/2026
- PATRICK HOAREAU
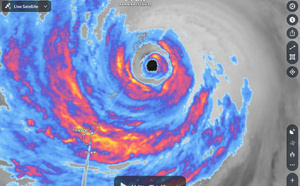
WESTERN PACIFIC: Super Typhoon 04W(SINLAKU) CAT 4 US exhibiting an eye-wall replacement cycle with imminent landfall near AGUIJAN or TINIAN with very destructive winds/ SOUTH INDIAN: Invest 92S/140900 UTC /
04/14/2026
- PATRICK HOAREAU
WESTERN PACIFIC: Super Typhoon 04W(SINLAKU) CAT 5 US peaked at 160kt,forecast to hit directly TINIAN and SAIPAN islands in 24h at Super Typhoon Intensity//130900 UTC
04/13/2026
- PATRICK HOAREAU
Liens utiles
WESTERN PACIFIC: Typhoon 04W(SINLAKU) CAT 1 US is tracking over increasingly cooler seas with ETT forecast to complete by 48h//171000 UTC
WESTERN PACIFIC: 04W(SINLAKU) CAT 3 US forecast to remain a Typhoon for the next 48h before becoming a strong extratropical storm/SOUTH INDIAN: Invest 92S//161000 UTC
WESTERN PACIFIC: Typhoon 04W(SINLAKU) large and still powerful CAT 3 US, slow mover lead to a prolonged period period of destructive winds over the MARIANAS/ SOUTH INDIAN: Invest 92S//150900 UTC
WESTERN PACIFIC: Super Typhoon 04W(SINLAKU) CAT 4 US exhibiting an eye-wall replacement cycle with imminent landfall near AGUIJAN or TINIAN with very destructive winds/ SOUTH INDIAN: Invest 92S/140900 UTC /
WESTERN PACIFIC: Super Typhoon 04W(SINLAKU) CAT 5 US peaked at 160kt,forecast to hit directly TINIAN and SAIPAN islands in 24h at Super Typhoon Intensity//130900 UTC
S'identifier
