JTWC Patrick Hoareau
South Indian Ocean: two Suspect Areas under close watch, TCFA issued for Invest 93S, Update 31/00UTC - 12/31/2020 - 07:04
2020 DEC 31 03UTC #SOUTHINDIANOCEAN INVEST #93S UPDATE: TCFA As of 00:00 UTC Dec 31, 2020: Location: 13.0°S 84.6°E Maximum Winds: 30 kt ( 55km/h) Gusts: 40 kt ( 75km/h) Minimum Central...
South Indian Ocean: TC 07S( CHALANE) close to Beira/MOZ, 30/00UTC Updates for Invest 93S & 96S - 12/30/2020 - 07:07
ANIMATION: TC 07S(CHALANE) IS DIRECTLY IMPACTING ON THE BEIRA AREA. CLICK TO ANIMATE IF NECESSARY.
TC 07S(CHALANE) is bearing down on Beira/MOZ with top gusts nearing 150km/h close to the center, 29/18UTC Update - 12/30/2020 - 01:27
TC 07S (CHALANE) LOCATED APPROXIMATELY285 KM EAST-SOUTHEAST OF BEIRA/MOZAMBIQUE HAS TRACKED WESTWARD AT 15 KM/H OVER THE PAST SIX HOURS.TC 07S HAS CONTINUED TO CONSOLIDATE OVER THE PAST SEVERAL...
South Indian Ocean: TC 07S( CHALANE) and two other Suspect Areas under watch, update 29/18UTC - 12/29/2020 - 23:36
2020 DEC 29 1915UTC #SOUTHINDIANOCEAN TC #07S #CHALANE UPDATE As of 18:00 UTC Dec 29, 2020: Location: 19.7°S 37.7°E Maximum Winds: 60 kt ( 110km/h) Gusts: 75 kt ( 140km/h) Minimum Central...
TC 07S(CHALANE) Update at 29/12UTC: intensifying 385km to Beira, possible rapid intensifcation next 6/12 hours - 12/29/2020 - 18:33
Winds may increase rapidly near the center next 6/12 hours. Cyclone bearing down on Beira/Mozambique. TC 07S(CHALANE) LOCATED AT 12UTC APPROXIMATELY 385KM EAST NORTHEAST OF BEIRA/MOZAMBIQUE HAS...
TC 07S(CHALANE) intensifying and forecast to make landfall near Beira/MOZ with winds close to US/CAT 1 - 12/29/2020 - 13:40
Top gusts approaching 150k/h are possible at landfall close to the center. TC 07S (CHALANE)LOCATED APPROXIMATELY 290 KM NORTH OF EUROPA ISLAND HAS TRACKED WESTWARD AT 30 KM/H OVER THE PAST SIX...
TC 07S(CHALANE) intensifying and slowly approaching Beira/Mozambique, 93S not doing much - 12/29/2020 - 03:34
TC #07S #CHALANE #SOUTHINDIANOCEAN WARNING 9 As of 18:00 UTC Dec 28, 2020: Location: 20.0°S 41.6°E Maximum Winds: 40 kt ( 75km/h) Gusts: 50 kt ( 95km/h) Minimum Central Pressure: 1003 mb...
TC 07S(CHALANE) intensifying over the MOZ Channel, Update 28/09UTC - 12/28/2020 - 13:30
Forecast to reach Category 1 with 65knots winds in 48hours 2020 DEC 28 0955UTC #SOUTHINDIANOCEAN TC #07S #CHALANE WARNING 8 As of 06:00 UTC Dec 28, 2020: Location: 20.3°S 43.7°E Maximum Winds:...
TC 07S(CHALANE) forecast to intensify significantly over the Mozambique Channel - 12/28/2020 - 02:31
Could reach Category 1 US by 48hours 2020 DEC 27 22UTC OVER-LAND TC #07S #CHALANE WARNING 7 As of 18:00 UTC Dec 27, 2020: Location: 19.2°S 45.6°E Maximum Winds: 30 kt ( 55km/h) Gusts: 40 kt (...
Le Super Cyclone YASA aux îles Fidji: état de désastre décrété pour 1 mois - 12/17/2020 - 08:00
Bonjour les Zilois En un saut de clic nous sommes dans le Pacifique Sud. 1/Les îles Fidji sont menacées par le Super Cyclone YASA(05P). Ce matin le "Super Cyclone" se trouvait à 240km au...
BONGOYO named by MMS/Vacoas - 12/07/2020 - 10:10
2020 DEC 07 09h Local Time MMS/Vacoas wrote: Special Weather Bulletin Mon, Dec 7, 2020 Mauritius Meteorological Services Tropical Weather Outlook issued at 09.30 hours on Monday 07...
Intense Cyclone 25P(HAROLD) rapidly approaching Fiji - 04/07/2020 - 20:30
TC #25P #HAROLD SOUTH PACIFIC As of 12:00 UTC Apr 07, 2020: Location: 17.4°S 174.0°E Maximum Winds: 110 kt ( 205km/h) Gusts : 135 kt ( 250km/h) Minimum Central Pressure: 948 mb CATEGORY US: 3...
Super Cyclone 25P(HAROLD) peaked as a CAT 5 US, weakening trend forecast from now on - 04/06/2020 - 20:18
TC #25P #HAROLD SOUTH PACIFIC As of 12:00 UTC Apr 06, 2020: Location: 16.0°S 168.8°E Maximum Winds: 145 kt ( 270km/h) Gusts : 175 kt ( 325km/h) Minimum Central Pressure: 912 mb CATEGORY US: 5...
Southern Hemisphere: 25P(HAROLD) 2nd Super Cyclone this season after 03S(AMBALI) - 04/06/2020 - 13:29
TC #25P #HAROLD SOUTH PACIFIC As of 06:00 UTC Apr 06, 2020: Location: 15.8°S 167.8°E Maximum Winds: 135 kt ( 250km/h) Gusts : 165 kt ( 305km/h) Minimum Central Pressure: 920 mb CATEGORY US: 4...
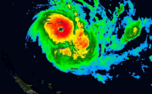
25P(HAROLD) over Northern Vanuatu as a CAT 4 US/ 24S(IRONDRO) weakening rapidly - 04/05/2020 - 14:18
2020 APR 05 0940UTC SOUTH PACIFIC & SOUTH INDIAN TC #25P #HAROLD SOUTH PACIFIC As of 06:00 UTC Apr 05, 2020: Location: 15.6°S 165.5°E Maximum Winds: 105 kt Gusts : 130 kt Minimum Central...
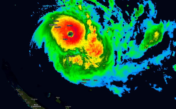
TC 25P(HAROLD) now near Cat 4, approaching Vanuatu.TC 24S(IRONDRO) peaking near Cat 3US - 04/04/2020 - 14:15
2020 APR 04 0315UTC SOUTH PACIFIC & SOUTH INDIAN TC #25P #HAROLD SOUTH PACIFIC As of 06:00 UTC Apr 04, 2020: Location: 14.3°S 163.8°E Maximum Winds: 110 kt Gusts : 135 kt Minimum Central...
South Pacific: TC 15P(UESI) ,Final Warning, peak intensity was 80knots ( CAT 1US) - 02/13/2020 - 10:43
TC 15P(UESI) SOUTH PACIFIC As of 00:00 UTC Feb 13, 2020: Location: 27.7°S 161.1°E Maximum Winds: 55 kt ( 100km/h) Gusts: 70 kt ( 130km/h) Minimum Central Pressure: 980 mb TPPS10 PGTW 130622 A....
South Indian: Invest 94S, slow-moving next few days before developing while moving SE - 02/12/2020 - 22:17
INVEST 94S SOUTH INDIAN As of 12:00 UTC Feb 12, 2020: Location: 15.0°S 75°E Maximum Winds: 15 kt Minimum Central Pressure: 1010 mb Development potential next 24hours: LOW ABIO10 PGTW 121800 2....
South Pacific: TC 15P(UESI) ,increasingly asymmetrical, update 12/15UTC - 02/12/2020 - 19:55
TC 15P(UESI) SOUTH PACIFIC As of 12:00 UTC Feb 12, 2020: Location: 24.4°S 161.9°E Maximum Winds: 60 kt ( 110km/h) Gusts: 75 kt ( 140km/h) Minimum Central Pressure: 975 mb TPPS10 PGTW 121543 A....
South Pacific: TC 15P(UESI) 70knots cyclone, subtropical transition forecast, update 12/09UTC - 02/12/2020 - 15:52
TC 15P(UESI) SOUTH PACIFIC As of 06:00 UTC Feb 12, 2020: Location: 23.4°S 162.2°E Maximum Winds: 70 kt ( 130km/h) Gusts: 85 kt ( 160km/h) Minimum Central Pressure: 973 mb TPPS10 PGTW 120917 A....
South Pacific: TC 15P(UESI) 70knots cyclone, update at 11/15UTC - 02/11/2020 - 20:10
TC 15P(UESI) SOUTH PACIFIC As of 12:00 UTC Feb 11, 2020: Location: 20.5°S 162.7°E Maximum Winds: 70 kt ( 130km/h) Gusts: 85 kt ( 160km/h) Minimum Central Pressure: 975 mb CATEGORY US: 1 ...
South Pacific: TC 15P(UESI) 75knots cyclone, update at 11/03UTC - 02/11/2020 - 09:20
TC 15P(UESI) SOUTH PACIFIC As of 00:00 UTC Feb 11, 2020: Location: 18.8°S 162.6°E Maximum Winds: 75 kt ( 140km/h) Gusts: 90 kt ( 170km/h) Minimum Central Pressure: 974 mb CATEGORY US: 1 ...
South Pacific: TC 15P(UESI) now a CAT 1 US, update at 10/15UTC - 02/10/2020 - 19:56
TC 15P(UESI) SOUTH PACIFIC As of 12:00 UTC Feb 10, 2020: Location: 17.6°S 162.5°E Maximum Winds: 65 kt ( 120km/h) Gusts: 80 kt ( 150km/h) Minimum Central Pressure: 979 mb CATEGORY US: 1 ...
South Pacific: TC 15P(UESI) update at 10/03UTC - 02/10/2020 - 09:20
TC 15P(UESI) SOUTH PACIFIC As of 00:00 UTC Feb 10, 2020: Location: 17.0°S 163.0°E Maximum Winds: 55 kt ( 100km/h) Gusts: 70 kt ( 130km/h) Minimum Central Pressure: 986 mb TPPS10 PGTW 100321 A....
South Pacific: TC 15P(UESI) undergoing rapid intensification, update at 09/21UTC - 02/10/2020 - 02:08
TC 15P(UESI) SOUTH PACIFIC As of 18:00 UTC Feb 09, 2020: Location: 16.4°S 163.6°E Maximum Winds: 55 kt ( 100km/h) Gusts: 70 kt ( 130km/h) Minimum Central Pressure: 986 mb TPPS10 PGTW 092117 A....
South Pacific: TC 15P gradually intensifying and approaching New Caledonia, update 09/03UTC - 02/09/2020 - 09:30
TC 15P SOUTH PACIFIC As of 00:00 UTC Feb 09, 2020: Location: 15.1°S 163.6°E Maximum Winds: 35 kt ( 65km/h) Gusts: 45 kt ( 85km/h) Minimum Central Pressure: 996 mb TPPS10 PGTW 090314 A....
TC 14S(DAMIEN) CAT 1 US, intensifying, approaching Karratha, update at 07/15UTC - 02/08/2020 - 21:50
TC 14S(DAMIEN) SOUTH INDIAN/WESTERN AUSTRALIA As of 12:00 UTC Feb 07, 2020: Location: 18.6°S 116.8°E Maximum Winds: 75 kt ( 140km/h) Gusts: 90 kt ( 170km/h) Minimum Central Pressure: 976 mb...
TC 14S(DAMIEN) strong CAT 2 US, landfall near Karratha, top reported gust: 195km/h - 02/08/2020 - 14:04
TC 14S(DAMIEN) SOUTH INDIAN/WESTERN AUSTRALIA As of 06:00 UTC Feb 08, 2020: Location: 19.8°S 116.4°E Maximum Winds: 95 kt ( 175km/h) Gusts: 115 kt ( 215km/h) Minimum Central Pressure: 956 mb...
Les News
Major HURRICANE 05E(ERICK) near CAT 4 US making landfall
06/19/2025
- PATRICK HOAREAU
01W(WUTIP) 1st Typhoon of the 2025 Western North Pacific season
06/14/2025
- PATRICK HOAREAU
3 Week Tropical Cyclone Formation Probability//1406utc
05/14/2025
- PATRICK HOAREAU
Liens utiles
01W(WUTIP) 1st Typhoon of the 2025 Western North Pacific season
3 Week Tropical Cyclone Formation Probability//1406utc
TC 29S(ERROL) peaked at CATEGORY 5 US/SUPER TYPHOON after Extreme Rapid Intensification//3 Week Tropical Cyclone Formation Probability//1618utc
INVEST 96P under close watch// 3 Week Tropical Cyclone Formation Probability//1109utc
TC 27S(COURTNEY) recahed Super Typhoon Intensity//Over-land TC 28S(DIANNE)//INVEST 97W//3003uitc
01W(WUTIP) 1st Typhoon of the 2025 Western North Pacific season
3 Week Tropical Cyclone Formation Probability//1406utc
TC 29S(ERROL) peaked at CATEGORY 5 US/SUPER TYPHOON after Extreme Rapid Intensification//3 Week Tropical Cyclone Formation Probability//1618utc
INVEST 96P under close watch// 3 Week Tropical Cyclone Formation Probability//1109utc
TC 27S(COURTNEY) recahed Super Typhoon Intensity//Over-land TC 28S(DIANNE)//INVEST 97W//3003uitc
MMS/Vacoas: Janvier 2023: le plus pluvieux à MAURICE depuis 20ans! RODRIGUES: proche de la normale...
ILES SOEURS: la REUNION et MAURICE douchées par des pluies localement fortes// Et ce n'est probablement pas fini// 26/19h
MAURITIUS: significant rain at last!
MMS/Vacoas: dry to very dry December 2022 for MAURITIUS and RODRIGUES & the outer islands//Forecast for JAN & FEB 2023
Mid-November: still dry over most of MAURITIUS, RODRIGUES and ST BRANDON, near normal at Agaléga//Forecast for Nov/Dec/Jan 2023
S'identifier
