JTWC Patrick Hoareau
Typhoon Faxai bearing on Tokyo area. Kozushima reports a 224km/h gust - 09/08/2019 - 18:42
Météo974 M974World WESTERN NORTH PACIFIC TY FAXAI (14W) As of 12:00 UTC Sep 08, 2019: Location: 34.0°N 139.1°E Maximum Winds: 100 kt ( 185km/h) Gusts : 125kt ( 230km/h) Minimum Central...
Typhoon Faxai should hit Yokosuka and Tokyo within 12h with top gusts over 200km/h close to center - 09/08/2019 - 13:22
Météo974 M974World WESTERN NORTH PACIFIC TY FAXAI (14W) As of 06:00 UTC Sep 08, 2019: Location: 33.0°N 139.0°E Maximum Winds: 110 kt ( 205km/h) Gusts : 135kt ( 250km/h) Minimum Central...
Dangerous Typhoon Faxai is bearing down on the Tokyo area - 09/08/2019 - 08:03
Météo974 M974World WESTERN NORTH PACIFIC TY FAXAI (14W) As of 00:00 UTC Sep 08, 2019: Location: 31.1°N 139.8°E Maximum Winds: 115 kt ( 215km/h) Gusts : 140kt ( 260km/h) Minimum Central...
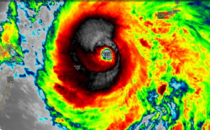
Typhoon Faxai: compact category 4, should weaken a bit before landfall/Honshu before 24h - 09/08/2019 - 03:04
Météo974 M974World WESTERN NORTH PACIFIC TY FAXAI (14W) As of 18:00 UTC Sep 07, 2019: Location: 29.9°N 140.8°E Maximum Winds: 115 kt ( 215km/h) Gusts : 140kt ( 260km/h) Minimum Central...
Typhoon Faxai: compact and dangerous category 3, rapidly approaching Tokyo area within 24h - 09/07/2019 - 19:05
Météo974 M974World WESTERN NORTH PACIFIC TY FAXAI (14W) As of 12:00 UTC Sep 07, 2019: Location: 28.9°N 141.8°E Maximum Winds: 105 kt ( 195km/h) Gusts : 130kt ( 240km/h) Minimum Central...
Faxai could be a dangerous typhoon south of Tokyo in 24h. Lingling: Final Warning: Jmv file included - 09/07/2019 - 13:22
Météo974 M974World WESTERN NORTH PACIFIC TY LINGLING ( 15W) As of 06:00 UTC Sep 07, 2019: Location: 35.9°N 127.3°E Maximum Winds: 65 kt ( 120km/h) Gusts: 80 kt ( 150km/h) Minimum Central...
Lingling: landfall cat 1 over NKorea within 12hours. Faxai: cat 2 near Tokyo after 36h - 09/07/2019 - 02:14
Météo974 M974World WESTERN NORTH PACIFIC TY LINGLING ( 15W) As of 18:00 UTC Sep 06, 2019: Location: 33.7°N 124.9°E Maximum Winds: 90 kt ( 170km/h) Gusts: 110 kt ( 205km/h) Minimum Central...
Typhoon Lingling: landfall in NKorea in 24h. Faxai: bearing down on Tokyo in 48h as a Typhoon - 09/06/2019 - 12:55
Météo974 M974World WESTERN NORTH PACIFIC TY LINGLING ( 15W) As of 06:00 UTC Sep 06, 2019: Location: 29.6°N 125.3°E Maximum Winds: 110 kt ( 205km/h) Gusts: 135 kt ( 250km/h) Minimum Central...
Category 4 Lingling has peaked heading for N.Korea. Faxai south of Japan in 48h as a cat 2 - 09/06/2019 - 06:49
Météo974 M974World WESTERN NORTH PACIFIC TY LINGLING ( 15W) As of 00:00 UTC Sep 06, 2019: Location: 28.1°N 125.1°E Maximum Winds: 120 kt ( 225km/h) Gusts: 145 kt ( 270km/h) Minimum Central...
Lingling(15W) : category 4, landfall over North Korea in 48h as a cat 2. Faxai(14W): update - 09/05/2019 - 20:44
15W: Warning 15. 14W: Warning 16 Météo974 M974World WESTERN NORTH PACIFIC TY LINGLING ( 15W) As of 12:00 UTC Sep 05, 2019: Location: 25.7°N 125.3°E Maximum Winds: 115 kt ( 215km/h) Gusts: 140...
Category 4 Lingling passed over Miyakojima: 212km/h gust and 940.5mb reported. 14W: update - 09/05/2019 - 13:46
Météo974 M974World WESTERN NORTH PACIFIC TY LINGLING ( 15W) As of 06:00 UTC Sep 05, 2019: Location: 25.0°N 125.3°E Maximum Winds: 115 kt ( 215km/h) Gusts: 140 kt ( 260km/h) Minimum Central...
TY Langling now a dangerous category 4 tracking over Miyakojima. 14W: update - 09/05/2019 - 08:58
15W: Warning 13. 14W: Warning 14 Météo974 M974World WESTERN NORTH PACIFIC TY LINGLING ( 15W) As of 00:00 UTC Sep 05, 2019: Location: 24.1°N 125.4°E Maximum Winds: 115 kt ( 215km/h) Gusts: 140...
Typhoon Lingling: intensifying into category 3 within 24h. TS 14W: update - 09/05/2019 - 03:10
15W: Warning 12/JTWC. 14W: Warning 13/JTWC Météo974 M974World WESTERN NORTH PACIFIC TY LINGLING ( 15W) As of 18:00 UTC Sep 04, 2019: Location: 23.5°N 125.4°E Maximum Winds: 90 kt ( 170km/h)...
Lingling: category 3 forecast within 36h. 14W: category 1 forecast near 72h - 09/04/2019 - 13:18
14W: Warning 11/JTWC. 15W: Warning 10/JTWC Météo974 M974World WESTERN NORTH PACIFIC TS 14W As of 06:00 UTC Sep 04, 2019: Location: 18.2°N 158.4°E Maximum Winds: 35 kt ( 65km/h) Gusts : 45kt (...
Typhoon Lingling(15W): rapid intensification possible, 14W update, Kajiki: final warning - 09/04/2019 - 07:22
Météo974 M974World WESTERN NORTH PACIFIC TS 14W As of 00:00 UTC Sep 04, 2019: Location: 17.8°N 159.4°E Maximum Winds: 35 kt ( 65km/h) Gusts : 45kt ( 85km/h) Minimum Central Pressure: 1003 mb...
03UTC: 14W, Lingling(15W) and Kajiki(16W) updates - 09/03/2019 - 09:36
14W: Warning 6/JTWC. 15W: Warning 5/JTWC. 16W: Warning 2/JTWC Météo974 M974World WESTERN NORTH PACIFIC TS 14W As of 00:00 UTC Sep 03, 2019: Location: 17.0°N 162.7°E Maximum Winds: 35 kt (...
Cyclonic trio: 14W, 15W and 16W: updates - 09/03/2019 - 01:53
14W: Warning 5/JTWC. 15W: Warning 4/JTWC. 16W: Warning 1/JTWC Météo974 M974World WESTERN NORTH PACIFIC TS 14W As of 18:00 UTC Sep 02, 2019: Location: 16.9°N 164.0°E Maximum Winds: 35 kt (...
TS 14W and TS Lingling(15W) gradually intensifying. Invest 91W update - 09/02/2019 - 21:18
14W: Warning 4/JTWC. 15W: Warning 3/JTWC Météo974 M974World WESTERN NORTH PACIFIC TS 14W As of 12:00 UTC Sep 02, 2019: Location: 16.6°N 164.9°E Maximum Winds: 35 kt ( 65km/h) Gusts : 45kt (...
14W, Lingling(15W) and Invest 91W updates - 09/02/2019 - 09:41
14W: Warning 2/JTWC. 15W: Warning 1/JTWC. 91W: TCFA/JTWC Météo974 M974World WESTERN NORTH PACIFIC TD 14W As of 00:00 UTC Sep 02, 2019: Location: 15.9°N 167.9°E Maximum Winds: 30 kt ( 55km/h)...
3 Tropical Cyclone Formation Alerts : Invests 91W, 92W and 90W - 09/01/2019 - 13:50
Météo974 M974World WESTERN NORTH PACIFIC INVEST 91W As of 06:00 UTC Sep 01, 2019: Location: 19.3°N 115.5°E Maximum Winds: 25 kt Minimum Central Pressure: 1002 mb THE AREA OF CONVECTION (INVEST...
Tropical Cyclone formation Alert issued for Invest 91W and Invest 92W. Invest 90W: Medium - 09/01/2019 - 00:54
Météo974 M974World WESTERN NORTH PACIFIC INVEST 91W As of 18:00 UTC Aug 31, 2019: Location: 18.8°N 118.3°E Maximum Winds: 25 kt Minimum Central Pressure: 1002 mb WTPN21 PGTW 311900...
Invest 91W and Invest 92W are now Medium. Invest 90W still low - 08/31/2019 - 15:51
Updates at 31/10UTC. Météo974 M974World WESTERN NORTH PACIFIC INVEST 91W As of 06:00 UTC Aug 31, 2019: Location: 19.2°N 121.8°E Maximum Winds: 20 kt Minimum Central Pressure: 1003 mb THE AREA...
3 Invest areas under watch: 91W expected to intensify while over the South China Sea - 08/31/2019 - 11:51
Météo974 M974World WESTERN NORTH PACIFIC INVEST 91W As of 06:00 UTC Aug 31, 2019: Location: 19.2°N 121.8°E Maximum Winds: 20 kt Minimum Central Pressure: 1003 mb THE AREA OF CONVECTION (INVEST...
Hurricane DORIAN(05L)category 2, could hit Florida as a powerful cyclone in 4 days - 08/30/2019 - 10:45
Warning 23/FWCN Météo974 M974World NORTH ATLANTIC HU DORIAN(05L) As of 06:00 UTC Aug 30, 2019: Location: 23.5°N 68.8°W Maximum Winds: 90 kt ( 170km/h) Gusts: 110 kt ( 205km/h) Minimum Central...
PODUL(13W) : landfall over eastern Vietnam in 12h, rapidly dissipating afterwards - 08/29/2019 - 11:52
Warning 12/JTWC Météo974 M974World WESTERN NORTH PACIFIC TS PODUL(13W) As of 06:00 UTC Aug 29, 2019: Location: 17.7°N 109.8°E Maximum Winds: 35 kt ( 65km/h) Gusts: 45 kt ( 85km/h) Minimum...
Hurricane DORIAN(05L) forecast to become a serious threat to Florida after 72h - 08/29/2019 - 07:22
Warning 19/FWCN Météo974 M974World NORTH ATLANTIC HU DORIAN(05L) As of 00:00 UTC Aug 29, 2019: Location: 19.2°N 65.7°W Maximum Winds: 75 kt ( 140km/h) Gusts: 90 kt ( 165km/h) Minimum Central...
PODUL(13W) tracking to the south of Hainan but has failed to intensify - 08/29/2019 - 06:56
Warning 11/JTWC Météo974 M974World WESTERN NORTH PACIFIC TS PODUL(13W) As of 00:00 UTC Aug 29, 2019: Location: 17.5°N 111.8°E Maximum Winds: 35 kt ( 65km/h) Gusts: 45 kt ( 85km/h) Minimum...
PODUL(13W) relocated, intensifying a bit over the South China Sea - 08/28/2019 - 12:28
Warning 8/JTWC Météo974 M974World WESTERN NORTH PACIFIC TS PODUL(13W) As of 06:00 UTC Aug 28, 2019: Location: 17.0°N 115.5°E Maximum Winds: 35 kt ( 65km/h) Gusts: 45 kt ( 85km/h) Minimum...
PODUL(13W) now over the South China Sea and intensifying a bit - 08/28/2019 - 09:14
Warning 7/JTWC Météo974 M974World WESTERN NORTH PACIFIC TS PODUL(13W) As of 00:00 UTC Aug 28, 2019: Location: 16.7°N 119.4°E Maximum Winds: 35 kt ( 65km/h) Gusts: 45 kt ( 85km/h) Minimum...
PODUL(13W) over South China Sea within 12h, landfall southern Hainan in72h with 50knots winds - 08/27/2019 - 21:34
Warning 5/JTWC Météo974 M974World WESTERN NORTH PACIFIC TD PODUL(13W) As of 12:00 UTC Aug 27, 2019: Location: 16.0°N 123.2°E Maximum Winds: 30 kt ( 55km/h) Gusts: 40 kt ( 75km/h) Minimum...
Les News
Major HURRICANE 05E(ERICK) near CAT 4 US making landfall
06/19/2025
- PATRICK HOAREAU
01W(WUTIP) 1st Typhoon of the 2025 Western North Pacific season
06/14/2025
- PATRICK HOAREAU
3 Week Tropical Cyclone Formation Probability//1406utc
05/14/2025
- PATRICK HOAREAU
TC 29S(ERROL) peaked at CATEGORY 5 US/SUPER TYPHOON after Extreme Rapid Intensification//3 Week Tropical Cyclone Formation Probability//1618utc
04/17/2025
- PATRICK HOAREAU

Liens utiles
01W(WUTIP) 1st Typhoon of the 2025 Western North Pacific season
3 Week Tropical Cyclone Formation Probability//1406utc
TC 29S(ERROL) peaked at CATEGORY 5 US/SUPER TYPHOON after Extreme Rapid Intensification//3 Week Tropical Cyclone Formation Probability//1618utc
INVEST 96P under close watch// 3 Week Tropical Cyclone Formation Probability//1109utc
TC 27S(COURTNEY) recahed Super Typhoon Intensity//Over-land TC 28S(DIANNE)//INVEST 97W//3003uitc
01W(WUTIP) 1st Typhoon of the 2025 Western North Pacific season
3 Week Tropical Cyclone Formation Probability//1406utc
TC 29S(ERROL) peaked at CATEGORY 5 US/SUPER TYPHOON after Extreme Rapid Intensification//3 Week Tropical Cyclone Formation Probability//1618utc
INVEST 96P under close watch// 3 Week Tropical Cyclone Formation Probability//1109utc
TC 27S(COURTNEY) recahed Super Typhoon Intensity//Over-land TC 28S(DIANNE)//INVEST 97W//3003uitc
MMS/Vacoas: Janvier 2023: le plus pluvieux à MAURICE depuis 20ans! RODRIGUES: proche de la normale...
ILES SOEURS: la REUNION et MAURICE douchées par des pluies localement fortes// Et ce n'est probablement pas fini// 26/19h
MAURITIUS: significant rain at last!
MMS/Vacoas: dry to very dry December 2022 for MAURITIUS and RODRIGUES & the outer islands//Forecast for JAN & FEB 2023
Mid-November: still dry over most of MAURITIUS, RODRIGUES and ST BRANDON, near normal at Agaléga//Forecast for Nov/Dec/Jan 2023
S'identifier