Météo974
Location: 24.4°N 139.4°E
Maximum Winds: 140 kt ( 260km/h)
Gusts: 170 kt ( 315km/h)
Minimum Central Pressure: 904 mb
CATEGORY 5 US
WDPN31 PGTW 100900
MSGID/GENADMIN/JOINT TYPHOON WRNCEN PEARL HARBOR HI//
SUBJ/PROGNOSTIC REASONING FOR SUPER TYPHOON 20W (HAGIBIS) WARNING NR
021//
RMKS/
1. FOR METEOROLOGISTS.
2. 6 HOUR SUMMARY AND ANALYSIS.
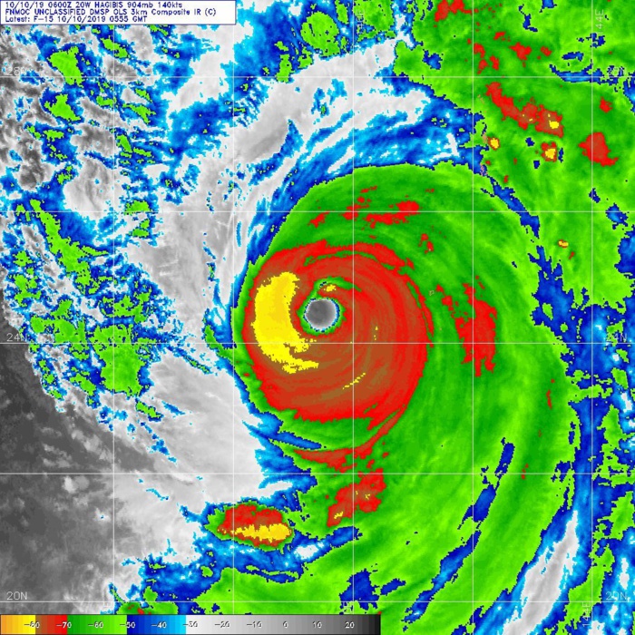
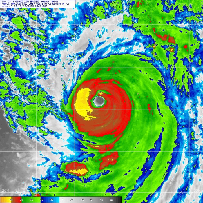
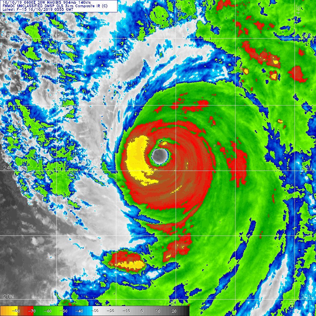
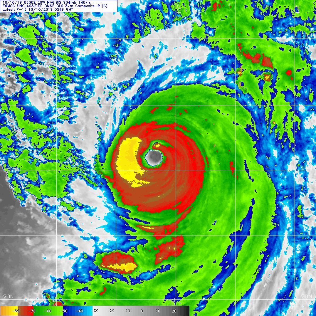
SUPER TYPHOON (STY) 20W (HAGIBIS), LOCATED APPROXIMATELY 654 NM
SOUTH OF YOKOSUKA, JAPAN, HAS TRACKED NORTH-NORTHWESTWARD AT 13 KNOTS
OVER THE PAST SIX HOURS. ANIMATED MULTISPECTRAL SATELLITE IMAGERY
(MSI) SHOWS THE SYSTEM HAS MAINTAINED A SHARPLY-OUTLINED 20NM EYE.
BASED ON THE MSI LOOP, STY 20W HAS RETURNED FROM A MOMENTARY
NORTHWARD TROCHOIDAL JOG, TYPICAL OF VERY INTENSE CYCLONES. THE
INITIAL POSITION IS BASED ON THE EYE FEATURE THAT IS NOW VERTICALLY
STACKED. THE INITIAL INTENSITY OF 140KTS IS BASED ON CONGRUENT AND
NEAR-CONCENTRIC DVORAK ESTIMATES OF T7.0/140KTS FROM PGTW, RJTD, AND
RCTP. UPPER LEVEL ANALYSIS INDICATES LOW (05-10KT) VERTICAL WIND
SHEAR (VWS) AND STRONG RADIAL OUTFLOW WITH THE POLEWARD CHANNEL
GREATLY ENHANCED BY JET WINDS AHEAD OF A SHORTWAVE TROUGH DIGGING
IN FROM THE NORTHWEST. ALONG TRACK SST VALUES (28-29C) ARE ALSO
CONDUCIVE. THE CYCLONE IS TRACKING ALONG THE WESTERN PERIPHERY OF A
DEEP-LAYERED SUBTROPICAL RIDGE (STR) TO THE EAST.
3. FORECAST REASONING.
A. THERE IS NO SIGNIFICANT CHANGE TO THE FORECAST PHILOSOPHY FROM
THE PREVIOUS PROGNOSTIC REASONING MESSAGE.
B. STY HAGIBIS WILL CONTINUE ON ITS CURRENT TRACK, STEERED BY THE
STR, THROUGH TAU 36. AFTERWARD, IT WILL CREST THE STR AXIS AND
ACCELERATE NORTHEASTWARD ON THE POLEWARD SIDE, MAKING A QUICK
LANDFALL NEAR YOKOSUKA VIA SAGAMI WAN SHORTLY AFTER TAU 48 BEFORE
EXITING BACK INTO THE PACIFIC OCEAN. BY TAU 72, THE CYCLONE WILL BE
SOUTHEAST OF HOKKAIDO. THE AFOREMENTIONED FAVORABLE CONDITIONS WILL
PERSIST AND SUSTAIN THE CURRENT INTENSITY UP TO TAU 12. AFTERWARD, A
GRADUAL WEAKENING TREND DUE TO INCREASING VWS AND SUBSIDENCE
ASSOCIATED WITH THE APPROACHING SHORTWAVE TROUGH WILL COMMENCE. BY
TAU 48, STY 20W WILL BEGIN EXTRA-TROPICAL TRANSITION AS IT ENTERS THE
BAROCLINIC ZONE AND BY TAU 72, WILL TRANSFORM INTO A COLD CORE LOW
WITH NEAR-HURRICANE FORCE WINDS AND A VERY EXPANSIVE WIND FIELD WITH
FRONTAL CHARACTERISTICS. THE JTWC FORECAST TRACK IS PLACED NEAR BUT
SLIGHTLY FASTER THAN THE MULTI-MODEL CONSENSUS AFTER TAU 48. THE
NUMERICAL MODELS ARE IN TIGHT AGREEMENT, LENDING HIGH CONFIDENCE IN
THE JTWC TRACK FORECAST.//
NNNN
M974World
WESTERN NORTH PACIFICLocation: 24.4°N 139.4°E
Maximum Winds: 140 kt ( 260km/h)
Gusts: 170 kt ( 315km/h)
Minimum Central Pressure: 904 mb
CATEGORY 5 US
WDPN31 PGTW 100900
MSGID/GENADMIN/JOINT TYPHOON WRNCEN PEARL HARBOR HI//
SUBJ/PROGNOSTIC REASONING FOR SUPER TYPHOON 20W (HAGIBIS) WARNING NR
021//
RMKS/
1. FOR METEOROLOGISTS.
2. 6 HOUR SUMMARY AND ANALYSIS.
SUPER TYPHOON (STY) 20W (HAGIBIS), LOCATED APPROXIMATELY 654 NM
SOUTH OF YOKOSUKA, JAPAN, HAS TRACKED NORTH-NORTHWESTWARD AT 13 KNOTS
OVER THE PAST SIX HOURS. ANIMATED MULTISPECTRAL SATELLITE IMAGERY
(MSI) SHOWS THE SYSTEM HAS MAINTAINED A SHARPLY-OUTLINED 20NM EYE.
BASED ON THE MSI LOOP, STY 20W HAS RETURNED FROM A MOMENTARY
NORTHWARD TROCHOIDAL JOG, TYPICAL OF VERY INTENSE CYCLONES. THE
INITIAL POSITION IS BASED ON THE EYE FEATURE THAT IS NOW VERTICALLY
STACKED. THE INITIAL INTENSITY OF 140KTS IS BASED ON CONGRUENT AND
NEAR-CONCENTRIC DVORAK ESTIMATES OF T7.0/140KTS FROM PGTW, RJTD, AND
RCTP. UPPER LEVEL ANALYSIS INDICATES LOW (05-10KT) VERTICAL WIND
SHEAR (VWS) AND STRONG RADIAL OUTFLOW WITH THE POLEWARD CHANNEL
GREATLY ENHANCED BY JET WINDS AHEAD OF A SHORTWAVE TROUGH DIGGING
IN FROM THE NORTHWEST. ALONG TRACK SST VALUES (28-29C) ARE ALSO
CONDUCIVE. THE CYCLONE IS TRACKING ALONG THE WESTERN PERIPHERY OF A
DEEP-LAYERED SUBTROPICAL RIDGE (STR) TO THE EAST.
3. FORECAST REASONING.
A. THERE IS NO SIGNIFICANT CHANGE TO THE FORECAST PHILOSOPHY FROM
THE PREVIOUS PROGNOSTIC REASONING MESSAGE.
B. STY HAGIBIS WILL CONTINUE ON ITS CURRENT TRACK, STEERED BY THE
STR, THROUGH TAU 36. AFTERWARD, IT WILL CREST THE STR AXIS AND
ACCELERATE NORTHEASTWARD ON THE POLEWARD SIDE, MAKING A QUICK
LANDFALL NEAR YOKOSUKA VIA SAGAMI WAN SHORTLY AFTER TAU 48 BEFORE
EXITING BACK INTO THE PACIFIC OCEAN. BY TAU 72, THE CYCLONE WILL BE
SOUTHEAST OF HOKKAIDO. THE AFOREMENTIONED FAVORABLE CONDITIONS WILL
PERSIST AND SUSTAIN THE CURRENT INTENSITY UP TO TAU 12. AFTERWARD, A
GRADUAL WEAKENING TREND DUE TO INCREASING VWS AND SUBSIDENCE
ASSOCIATED WITH THE APPROACHING SHORTWAVE TROUGH WILL COMMENCE. BY
TAU 48, STY 20W WILL BEGIN EXTRA-TROPICAL TRANSITION AS IT ENTERS THE
BAROCLINIC ZONE AND BY TAU 72, WILL TRANSFORM INTO A COLD CORE LOW
WITH NEAR-HURRICANE FORCE WINDS AND A VERY EXPANSIVE WIND FIELD WITH
FRONTAL CHARACTERISTICS. THE JTWC FORECAST TRACK IS PLACED NEAR BUT
SLIGHTLY FASTER THAN THE MULTI-MODEL CONSENSUS AFTER TAU 48. THE
NUMERICAL MODELS ARE IN TIGHT AGREEMENT, LENDING HIGH CONFIDENCE IN
THE JTWC TRACK FORECAST.//
NNNN

















