JTWC Patrick Hoareau
WNP: 01W(DUJUAN) 45knots, still fighting wind shear, slowly approaching Mindanao, 19/09utc update - 02/19/2021 - 14:10
ANIMATED MULTISPECTRAL SATELLITE IMAGERY SHOWS THAT THE SYSTEM IS ONCE AGAIN STRUGGLING TO MAINTAIN THE CORE CONVECTION OVER THE LOW LEVEL CIRCULATION CENTER, AS EASTERLY WIND SHEAR REMAINS FAIRLY...
SOUTH INDIAN: Cyclone 21S(GUAMBE) : US/Category 1, possible rapid intensification period next 12/24hours, 19/09utc update - 02/19/2021 - 13:35
ANIMATED ENHANCED INFRARED (EIR) AND MULTISPECTRAL SATELLITE IMAGERY (MSI) DEPICT A RAPIDLY CONSOLIDATING AND INTENSIFYING SYSTEM WITH A SMALL, COMPACT CORE OF DEEP CONVECTION AND A DISORGANIZED,...
01W(DUJUAN) 45knots and slowly intensifying/ 21S(GUAMBE) 60knots and developing an eye, 19/02 03utc updates - 02/19/2021 - 07:25
01W(DUJUAN). 19/02UTC. ANIMATED MULTISPECTRAL SATELLITE IMAGERY INDICATES A SLOWLY-CONSOLIDATING SYSTEM WITH A PERSISTENT MASS OF DEEP CONVECTION OBSCURING THE LOW-LEVEL CIRCULATION CENTER (LLCC)...
01W(DUJUAN) slow-moving ,35knots system, 21S(GUAMBE) 55knots, gradually intensifying over the MOZ Channel, 18/21utc updates - 02/19/2021 - 04:20
18/18UTC. JTWC IS ISSUING 6HOURLY WARNINGS ON 01W AND 12HOURLY WARNINGS ON 21S. 3 HOURLY SATELLITE BULLETINS ARE ISSUED FOR BOTH SYSTEMS. 2021 FEB 18 2330UTC #WESTERNNORTHPACIFIC TS #01W...
Western North Pacific: 01W named DUJUAN, forecast to intensify next 36h if wind shear decreases, 18/09utc update - 02/18/2021 - 13:20
ANIMATED MULTISPECTRAL SATELLITE IMAGERY REVEALS A FULLY EXPOSED, WELL-DEFINED LOW LEVEL CIRCULATION CENTER (LLCC), WITH FLARING DEEP CONVECTION WITH OVERSHOOTING TOPS SHEARED TO THE WEST OF THE...
South Indian: 21S(GUAMBE) forecast to intensify to US/Category 2 by 48hours, 18/09utc update - 02/18/2021 - 12:30
21S(GUAMBE). 18/07UTC. ANIMATED MULTISPECTRAL SATELLITE IMAGERY DEPICTS A STEADILY IMPROVING CONVECTIVE SIGNATURE WITH WEAK CYCLONIC BANDING FEATURES BECOMING EVIDENT WITHIN THE CENTRAL DENSE...
South Indian: 21S(GUAMBE) forecast to intensify to 80knots( Strong Category 1) by 48hours, 17/21utc update - 02/18/2021 - 01:45
21S(GUAMBE). ANIMATED ENHANCED INFRARED SATELLITE IMAGERY DEPICTS A CONSOLIDATING SYSTEM WITH A DEVELOPING CENTRAL DENSE OVERCAST FEATURE OBSCURING THE LOW-LEVEL CIRCULATION CENTER (LLCC). CLICK ON...
Western North Pacific: 01W forecast to intensify next 48hours, 17/21utc update - 02/18/2021 - 01:20
01W. 07/20UTC. ANIMATED ENHANCED INFRARED SATELLITE IMAGERY REVEALS AN EXPOSED, DEFINED LOW-LEVEL CIRCULATION CENTER (LLCC) ON THE SOUTHEAST EDGE OF AN AREA OF FLARING DEEP CONVECTION. CLICK TO...
Western North Pacific: 01W(91W) becomes the 1st numbered Tropical System for 2021. 17/02 09utc update - 02/17/2021 - 12:35
ANIMATED MULTISPECTRAL SATELLITE IMAGERY SHOWS FORMATIVE RAIN BANDS WITH FRAGMENTED DEEP CONVECTION LOOSELY WRAPPING INTO AN OBSCURED LOW LEVEL CIRCULATION (LLC). CLICK TO ANIMATE IF NEEDED. 2021 FEB...
Western North Pacific: Invest 91W up-graded to HIGH, 16/15utc update - 02/16/2021 - 21:40
19/15UTC. INVEST 91W IS UP-GRADED TO HIGH. INVEST 93S REMAINS HIGH. 3HOURLY SATELLITE BULLETINS ARE ISSUED FOR BOTH SYSTEMS. 2021 FEB 16 17UTC #WESTERNNORTHPACIFIC INVEST #91W ...
Invest 93S likely to develop within 24h over the MOZ Channel, Invest 91W likely to develop within 48h, 16/09utc updates - 02/16/2021 - 11:55
JTWC HAS UP-GRADED INVEST 93S TO HIGH. INVEST 91W IS STILL MEDIUM. 3HOURLY SATELLITE BULLETINS ARE ISSUED FOR INVEST 93S. THEY WERE DISCONTINUED FOR THE REMNANTS OF 19S(FARAJI) AT 15/2045UTC. 3...
Invest 91W: up-graded to Medium. Invest 93S: up-graded to Medium. Remnants of 19S(FARAJI). 15/06utc updates - 02/15/2021 - 11:30
INVEST 91W & INVEST 93S: MEDIUM CHANCES OF DEVELOPMENT NEXT 24HOURS.JTWC IS ISSUING 3 HOURLY SATELLITE BULLETINS ON INVEST 93S AND ON THE REMNANTS OF 19S(FARAJI). 2021 FEB 15 0630UTC...
19S(FARAJI): Final Warning, Peak Intensity was 140knots/Cat 5. Invest 91W East of Palau, Invest 93S over Mozambique, 14/09utc updates - 02/14/2021 - 14:00
14/06UTC. JTWC HAS ISSUED WARNING 19/FINAL ON 19S(FARAJI). 3 HOURLY SATELLITE BULLETINS ARE ISSUED FOR 19S AND INVEST 93S (MOZAMBIQUE CHANNEL). 2021 FEB 14 0910UTC #WESTERNNORTHPACIFIC ...
Western NPacific : Invest 91W on the map/South Indian: weakened 19S(FARAJI) fighting wind shear and drier air, 13/09utc updates - 02/13/2021 - 13:30
13/06UTC. INVEST 91W IS NOW ON THE MAP WITH LOW CHANCES FOR DEVELOPMENT OVER THE NEXT 24HOURS. JTWC IS ISSUING 12HOURLY WARNINGS ON 19S(FARAJI). 3 HOURLY SATELLITE BULLETINS ARE ISSUED FOR 19S AND...
19S(FARAJI): weakening rapidly, slow re-intensification forecast after 96hours, Invest 93S over the MOZ Channel, 12/09utc updates - 02/12/2021 - 14:20
19S(FARAJI) & INVEST 93S. ON THE RIGHT END OF THE IMAGERY 19S IS RAPIDLY WEAKENING. ON THE LEFT END 93S IS A SUBTROPICAL SYSTEM WHOSE CENTER IS CLOSE TO THE COASTLINE OF MOZAMBIQUE. THE SYSTEMS...
SOUTH INDIAN: 19S(FARAJI) still a Category 2, forecast to weaken but to re-intensify after 72hours, 11/09utc update - 02/11/2021 - 14:10
9S(FARAJI). 11/08UTC. 6HOUR LOOP. ANIMATED MULTISPECTRAL SATELLITE IMAGERY DEPICTS SPIRAL BANDS OF DEEP CONVECTION THAT WRAP INTO A FORMING 15 KM DIAMETER EYE. THE PRESENCE OF THE EYE FEATURE LENDS...
Southern Hemisphere: 20P becoming extratropical: Final Warning. 19S(FARAJI) still a US/Category 2 cyclone. 10/15utc updates - 02/10/2021 - 19:30
10/15UTC. JTWC IS ISSUING 12HOURLY WARNINGS ON 19S(FARAJI). WARNING 3 /FINAL WAS ISSUED FOR 20P AS THE SYSTEM IS COMPLETING EXTRATROPICAL TRANSITION .3 HOURLY SATELLITE BULLETINS ARE PROVIDED FOR...
Southern Hemisphere: 19S(FARAJI) down to US/Category 2. 20P forms in the South Pacific Northeast of Raoul island,10/03utc updates - 02/10/2021 - 07:20
10/0330UTC. JTWC IS ISSUING 12HOURLY WARNINGS ON 19S(FARAJI). WARNING 1 HAS BEEN ISSUED FOR 20P FOLLOWED BY 6HOURLY WARNINGS. 3 HOURLY SATELLITE BULLETINS ARE PROVIDED FOR BOTH 19S AND 20P. 2021 FEB...
Cyclone development outlook for the Southern Hemisphere & Western North Pacific, 09/02 update - 02/09/2021 - 22:40
09/18UTC. The only tropical cyclone (TC) to develop over the past week was 19S(FARAJI), over the southern Indian Ocean. Faraji developed near 13S/81E on the 5th of February and subsequently tracked...
SAR and SMAP satellites read Super Cyclone winds for 19S(FARAJI), Invest 92P is still likely to develop, 09/09utc updates - 02/09/2021 - 14:10
19S(FARAJI). 09/0830UTC. 6H LOOP. ANIMATED ENHANCED INFRARED SATELLITE IMAGERY INDICATES THAT THE VERY SMALL BUT WELL DEFINED EYE FEATURE THAT WAS EVIDENT AT 0600UTC HAS SUBSEQUENTLY COLLAPSED, BUT...
SHEM: Super Cyclone 19S(FARAJI) reaches Category 5 , Invest 92P consolidates, 08/21utc updates - 02/09/2021 - 03:00
19S(FARAJI). 08/21UTC. 9H LOOP. ANIMATED ENHANCED INFRARED SATELLITE IMAGERY REVEALS A DENSE, COMPACT SYSTEM WITH WELL-DEFINED 37 KM DIAMETER EYE AND CHARACTERISTICS OF AN ANNULAR TROPICAL CYCLONE....
SHEM: 19S(FARAJI) close to Super Typhoon intensity, Invest 92P: up-graded to High, 08/15utc updates - 02/08/2021 - 19:50
19S(FARAJI). 08/15UTC 6H LOOP. ANIMATED IMAGERY DEPICT A COMPACT AND WELL ORGANIZED CYCLONE CLOSE TO SUPER TYPHOON INTENSITY AT 08/12UTC. ADT AND DVORAK NUMBERS POINT TO A STILL INTENSIFYING SYSTEM....
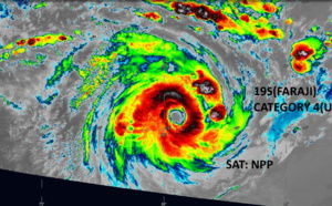
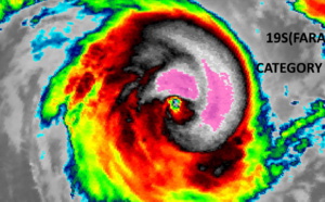
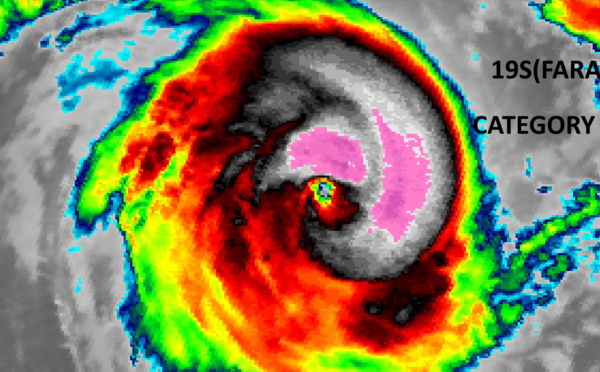
Category 4, 19S(FARAJI) annular -like cyclone has probably peaked, Invest 92P on the map, 08/09utc updates - 02/08/2021 - 14:00
19S(FARAJI). 08/09UTC LOOP. ANIMATED MULTISPECTRAL SATELLITE IMAGERY DEPICTS DENSE, AXISYMMETRIC CONVECTION CHARACTERISTIC OF AN ANNULAR TROPICAL CYCLONE ALONG WITH COOLING CLOUD TOPS SURROUNDING A...
19S(FARAJI): Category 4 still well organised, slowly losing strength next 48h, Invest 92P on the map - 02/08/2021 - 02:40
19S(FARAJI). 07/21UTC. 9H LOOP.ANIMATED ENHANCED INFRARED SATELLITE IMAGERY SHOWS THE SYSTEM HAS MAINTAINED A WELL-DEFINED 37- KM EYE AND COMPACT, SYMMETRICAL CENTRAL CONVECTION, EVEN AS CONVECTIVE...
Southern Hemisphere: 19S(FARAJI) has reached US/Cat 4, 2nd intense cyclone of the season so far, 07/09utc update - 02/07/2021 - 13:50
19S(FARAJI). 07/09UTC LOOP. ANIMATED MULTISPECTRAL SATELLITE IMAGERY (MSI) DEPICTS TIGHTLY CURVED SPIRAL BANDS OF DEEP CONVECTION WRAPPING INTO A 45 KM DIAMETER EYE. THE PRESENCE OF THE EYE FEATURE...
19S(FARAJI): Smap(Nasa) confirmed winds of 100knots, US/ Category 3 at 07/0033utc - 02/07/2021 - 10:55
19S(FARAJI). 07/0033UTC. SMAP(NASA) READ 10MINUTE SUSTAINED WINDS OF 88KNOTS. IT MATCHED PERFECTLY WELL WITH THE REAL-TIME JTWC INTENSITY ESTIMATE OF 100KNOTS(1 MINUTE AVERAGE). 2021 FEB 07 0650UTC...
19S(FARAJI), US/Category 1, rapid intensification likely faster than forecast for the next 12/24hours, 06/21utc update - 02/07/2021 - 02:00
19S(FARAJI). 06/20UTC. 8H LOOP.ANIMATED ENHANCED INFRARED (EIR) SATELLITE IMAGERY SHOWS THE SYSTEM HAS DEVELOPED A PINHOLE EYE AS IT BECAME MORE COMPACT AND SYMMETRICAL. CLICK ON THE IMAGE TO ANIMATE...
SOUTH INDIAN: 19S(FARAJI): rapid intensification on, slow-mover, Invest 91P on the map, 06/09utc updates - 02/06/2021 - 13:50
19S(FARAJI).06/0830UTC. ANIMATED MULTISPECTRAL SATELLITE IMAGERY REVEALS A DEVELOPING BANDING EYE FEATURE. CLICK ON THE IMAGERY BELOW TO ANIMATE IF NECESSARY.
SOUTH INDIAN: 19S(FARAJI) is forecast to intensify to US/Category 3 by 72hours while remaining slow-moving - 02/06/2021 - 01:35
UPPER-LEVEL ANALYSIS INDICATES FAVORABLE CONDITIONS WITH ROBUST EQUATORWARD AND POLEWARD OUTFLOW AND LOW (10 KNOTS) VERTICAL WIND SHEAR. ADDITIONALLY, SST VALUES ARE FAVORABLE AT 29C. OVERALL, THE...
SOUTH INDIAN: Invest 90S is now TC 19S(FARAJI), forecast to intensify (very) rapidly next 72hours - 02/05/2021 - 15:35
05/09UTC. JTWC IS ISSUING 12HOURLY WARNINGS ON 19S. 3HOURLY SATELLITE BULLETINS ARE PROVIDED FOR19S AND 18S. 2021 FEB 05 11UTC #SOUTHERNHEMISPHERE TC #19S #FARAJI #SOUTHINDIANOCEAN WARNING 1...
Les News
A new version (V8.2) of the AMSR2 winds for Tropical Cyclones (TC-winds) has been released
03/06/2026
- PATRICK HOAREAU
3 Week Tropical Cyclone Formation Probability//03/03/26
03/04/2026
- PATRICK HOAREAU
Pluviométrie pour la saison estivale 2025/26 à MAURICE et à RODRIGUES, update le 27/02/26
02/27/2026
- PATRICK HOAREAU
3 Week Tropical Cyclone Formation Probability//12/30/25
12/31/2025
- PATRICK HOAREAU
2021 STORM YEAR JTWC TROPICAL ACTIVITY TIMELINE
12/23/2025
- PATRICK HOAREAU
Difference in tropical cyclone activity across the JTWC AOR between El Niño and La Niña months
12/06/2025
- PATRICK HOAREAU
Liens utiles
3 Week Tropical Cyclone Formation Probability//03/03/26
3 Week Tropical Cyclone Formation Probability//12/30/25
2021 STORM YEAR JTWC TROPICAL ACTIVITY TIMELINE
Difference in tropical cyclone activity across the JTWC AOR between El Niño and La Niña months
Major HURRICANE 05E(ERICK) near CAT 4 US making landfall
3 Week Tropical Cyclone Formation Probability//03/03/26
3 Week Tropical Cyclone Formation Probability//12/30/25
2021 STORM YEAR JTWC TROPICAL ACTIVITY TIMELINE
Difference in tropical cyclone activity across the JTWC AOR between El Niño and La Niña months
Major HURRICANE 05E(ERICK) near CAT 4 US making landfall
MAURICE: Avis de Pluies Torrentielles en début d'après midi, précipitations particulièrement intenses sur la région de Port Louis//0617h30
MMS/Vacoas: Janvier 2023: le plus pluvieux à MAURICE depuis 20ans! RODRIGUES: proche de la normale...
ILES SOEURS: la REUNION et MAURICE douchées par des pluies localement fortes// Et ce n'est probablement pas fini// 26/19h
MAURITIUS: significant rain at last!
MMS/Vacoas: dry to very dry December 2022 for MAURITIUS and RODRIGUES & the outer islands//Forecast for JAN & FEB 2023
S'identifier
