Les News
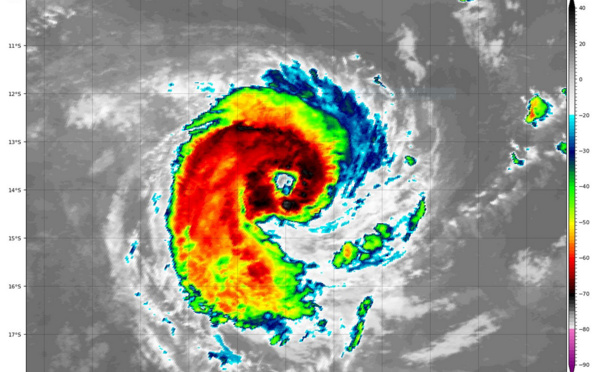
TC 27P NARELLE will (re)intensify markedly over the very warm Indian Ocean/TC 28P/98W
03/23/2026
- PATRICK HOAREAU
TC 27P NARELLE forecast to be over 100 kt by 120 h/ 98P/98W
03/22/2026
- PATRICK HOAREAU
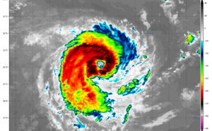
Mighty TC 27P NARELLE made first landfall but far from being dead
03/20/2026
- PATRICK HOAREAU
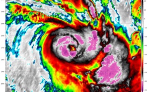
TC 27P NARELLE near Super Typhoon Intensity
03/19/2026
- PATRICK HOAREAU
Intensifying TC 27P NARELLE forecast to reach CAT 4 US within 48h
03/18/2026
- PATRICK HOAREAU
TC 27P NARELLE: forecast to reach 115 kt/Category 4 US just prior to making landfall
03/17/2026
- PATRICK HOAREAU
Liens utiles
TC 27P NARELLE forecast to be over 100 kt by 120 h/ 98P/98W
Mighty TC 27P NARELLE made first landfall but far from being dead
TC 27P NARELLE near Super Typhoon Intensity
Intensifying TC 27P NARELLE forecast to reach CAT 4 US within 48h
TC 27P NARELLE: forecast to reach 115 kt/Category 4 US just prior to making landfall
S'identifier
