JTWC Patrick Hoareau
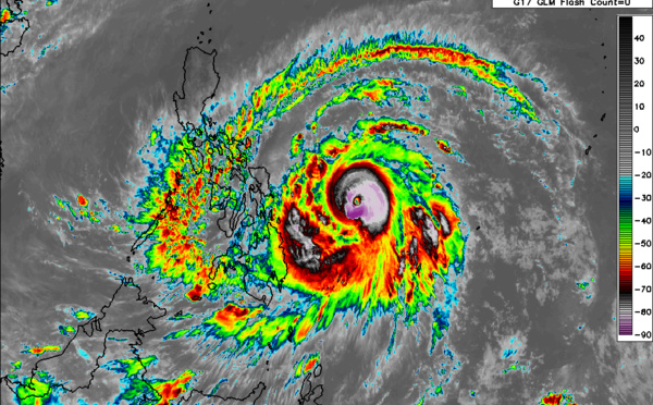
WNP: TY 02W(SURIGAE) still a CAT4(115knots)/ SIndian: Invest 95S: likely to intensify within the next 24hours(TCFA), 20/09utc update - 04/20/2021 - 13:46
02W(SURIGAE) AND INVEST 95S. 20/09UTC. 5H LOOP. 2021 APR 20 0855UTC #WESTERNNORTHPACIFIC TY #02W #SURIGAE WARNING 28 As of 06:00 UTC Apr 20, 2021: Location: 15.9°N 126.0°E Maximum Winds: 115 kt...
Western North Pacific: TY 02W(SURIGAE) is still a powerful CAT 4 and slow-moving, forecast to weaken more rapidly after 48hours, 19/21utc update - 04/20/2021 - 01:20
2021 APR 19 2050UTC #WESTERNNORTHPACIFIC TY #02W #SURIGAE WARNING 26 As of 18:00 UTC Apr 19, 2021: Location: 15.1°N 126.3°E Maximum Winds: 115 kt (215km/h) Gusts: 140 kt ( 260km/h) Minimum...
WNP: 02W(SURIGAE) is still a powerful 125knot/typhoon ( CAT 4), short-term re-intensification possible, still slow-moving apprx 600km East of Manila,19/03utc update - 04/19/2021 - 07:10
02W(SURIGAE). 19/0130UTC. 3H LOOP. ANIMATED MULTISPECTRAL SATELLITE IMAGERY INDICATES AN EXTREMELY INTENSE INVARIABLY SYMMETRICAL SYSTEM AND A CENTRAL DENSE OVERCAST MAINTAINING WELL-DEFINED...
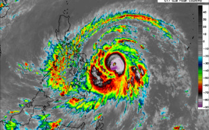
Super TY 02W(SURIGAE): extreme peak intensity of 165knots(CAT 5): strongest April Super Typhoon since (at least) 1959, 18/03utc update - 04/18/2021 - 06:45
02W(SURIGAE). 18/01UTC. 23H ANIMATION. SUPER TYPHOON 02W REACHED AN ESTIMATED PEAK INTENSITY OF 165KNOTS/CAT 5 AT 17/18UTC. 02W IS THE STRONGEST WESTERN NORTH PACIFIC SUPER TYPHOON SINCE 24W(HALONG)...
WNP: Super Typhoon 02W(SURIGAE) is a very powerful 155knots/ CAT 5 cyclone, showing an impressive satellite signature, 17/15utc update - 04/17/2021 - 19:05
2021 APR 17 1420UTC #WESTERNNORTHPACIFIC SUPER TY #02W #SURIGAE WARNING 17 As of 12:00 UTC Apr 17, 2021: Location: 12.0°N 129.2°E Maximum Winds: 155 kt (290km/h) Gusts: 190 kt ( 350km/h)...
Western North Pacific: 02W(SURIGAE) strong typhoon, CAT 4, may intensify to "Super Typhoon" level within 24hours, 17/03utc update - 04/17/2021 - 07:40
02W(SURIGAE). 17/0305UTC. ANIMATED MULTISPECTRAL SATELLITE IMAGERY (MSI) REVEALS A 22 KM EYE WITH DEEP CONVECTIVE BANDS WRAPPING INTO THE LOW LEVEL CIRCULATION CENTER, LENDING GOOD CONFIDENCE TO THE...
Western North Pacific: TY 02W(SURIGAE) now a CAT2(90knots), forecast to peak at 120knots(CAT 4) by 48h,low confidence in the track forecast after 72h,16/15utc update - 04/16/2021 - 19:15
02W(SURIGAE). 16/14UTC. 6 HOUR LOOP.ANIMATED ENHANCED INFRARED SATELLITE IMAGERY REVEALS AN EYE POPPING THROUGH THE CENTRAL CONVECTION. 2021 APR 16 1425UTC #WESTERNNORTHPACIFIC TY #02W #SURIGAE...
Western North Pacific: Typhoon 02W(SURIGAE), US/CAT 1 is forecast to intensify significantly within 48hours and peak in 72hours, 16/03utc update - 04/16/2021 - 07:15
02W(SURIGAE). ANIMATED MULTI-SPECTRAL SATELLITE IMAGERY SHOWS TIGHTLY CURVED BANDING HAS NOW COMPLETELY WRAPPED AROUND THE OBSCURED LOW-LEVEL CIRCULATION CENTER (LLCC). CLICK TO ANIMATE IF...
Western North Pacific: 02W(SURIGAE) intensifying and slow-moving, forecast to peak at US/CAT 4 by 96h, 15/03utc update - 04/15/2021 - 07:10
02W(SURIGAE). 15/02UTC. 3H LOOP. ANIMATED MULTI-SPECTRAL SATELLITE IMAGERY (MSI) SHOWS FORMATIVE BANDING WRAPPING INTO A PARTIALLY EXPOSED LOW LEVEL CIRCULATION WITH PERSISTANT DEEP CONVECTION...
Western North Pacific: TS 02W named SURIGAE is intensifying while being slow-moving, could reach 115knots(CAT 4) by 120hours, 14/03utc update - 04/14/2021 - 06:55
02W(SURIGAE). 14/01UTC. 12H LOOP. ANIMATED MULTISPECTRAL SATELLITE IMAGERY SHOWS A PARTIALY EXPOSED LOW LEVEL CIRCULATION CENTER, WITH THE DEEPEST CONVECTIVE BANDING BUILDING TO THE WEST AND NORTH OF...
Western North Pacific: TD 02W(Invest 94W) will be intensifying, forecast to reach US/CAT 4 by 120hours, 13/15utc update - 04/13/2021 - 18:15
TD 02W. 13/13UTC. 6H LOOP. ANIMATED ENHANCED INFRARED SATELLITE IMAGERY SHOWS THE SYSTEM HAS FURTHER DEVELOPED AS THE MAIN FEEDER BAND, STRETCHED ALONG THE NORTHERN PERIPHERIES, SIGNIFICANTLY...
Western North Pacific: 2nd tropical cyclone formation alert(TCFA) issued for Invest 94W, 13/0330utc - 04/13/2021 - 08:15
INVEST 94W. 13/03UTC. 3H LOOP. ANIMATED MULTISPECTRAL SATELLITE IMAGERY DEPICTS PERSISTENT CONVECTION PARTIALLY OBSCURING A LOW LEVEL CIRUCLATION CENTER. A 122137 SSMIS 91GHZ SATELLITE IMAGE DEPICTS...
Western North Pacific: tropical cyclone formation alert(TCFA) issued for Invest 94W, 12/1130utc - 04/12/2021 - 16:00
INVEST 94W. 12/11UTC. 9H LOOP. ANIMATED ENHANCED INFRARED SATELLITE IMAGERY AND A 120858Z SSMIS 91GHZ MICROWAVE IMAGE REVEAL FLARING, DEEP CONVECTION IN THE NORTHEASTERN PERIPHERY OF THE ASSESSED LOW...
Invest 94W up-graded to Medium. 12/00utc updates on the systems monitored by the JTWC - 04/12/2021 - 06:05
12/01UTC. 12H ANIMATION. CLICK TO ANIMATE IF NECESSARY. 2021 APR 12 0120UTC #WESTERNNORTHPACIFIC #SOUTHERNHEMISPHERE INVEST 94W #WESTERNORTHPACIFIC UPDATE As of 00:00 UTC Apr 12, 2021:...
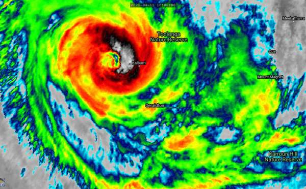
LIVE UPDATE: TC 26S(SEROJA), 70knots/US CAT1 has made landfall, 170km/h gust recorded East of Kalbarri( ABC live report), 11/12utc - 04/11/2021 - 17:22
26S(SEROJA). 11/12UTC. 2H LOOP. CLIK TO ANIMATE IF NECESSARY. TC #26S #SEROJA #SOUTHINDIAN #WESTERNAUSTRALIA WARNING 28 As of 12:00 UTC Apr 11, 2021: Location: 28.1°S 114.3°E Maximum Winds:...
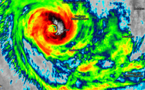
26S(SEROJA) 70knots/US CAT1 is peaking and rapidly moving towards Geraldton area, 28P peaking at 40knots, Invest 94W, 91S and 93S: updates at 11/09utc - 04/11/2021 - 13:30
11/08UTC. 9H LOOP. 26S(SAROJA) IS RAPIDLY APPROACHING THE WESTERN AUSTRALIAN COASTLINE. IF NEEDED CLICK TO ANIMATE. 2021 APR 11 0845UTC #WESTERNNORTHPACIFIC #SOUTHERNHEMISPHERE INVEST 94W ...
26S(SEROJA): US/CAT 1(65knots) is rapidly approaching Geraldton area,28P short-lived, Invests 94W, 91S and 93S under watch, 11/03utc update - 04/11/2021 - 07:15
11/02UTC. 3H LOOP. TC 26S(SEROJA) HAS BEEN APPROACHING THE WESTERN AUSTRALIAN COASTLINE. IF NEEDED CLICK TO ANIMATE. 2021 APR 11 0230UTC #WESTERNNORTHPACIFIC #SOUTHERNHEMISPHERE INVEST 94W ...
26S(SEROJA) is approaching WA coastline while slightly intensifying/Invest 92P tracked across New Caledonia, Invest 94W now on the map, 10/15utc update - 04/10/2021 - 19:30
10/14UTC. 7H LOOP. IF NEEDED CLICK TO ANIMATE. 2021 APR 10 15UTC #WESTERNNORTHPACIFIC #SOUTHERNHEMISPHERE INVEST 94W #WESTERNORTHPACIFIC UPDATE As of 12:00 UTC Apr 10, 2021: Location: 3.0°N...
27S(ODETTE) being absorbed in 26S(SEROJA). 26S will be approaching Geraldton(WA) after 24hours. Invest 92P: 30knot system, 10/03utc update - 04/10/2021 - 07:55
10/0230UTC. 3H ANIMATION. SMALL 27S(ODETTE) IS ROTATING CYCLONICALLY AROUND THE EASTERN PERIPHERY OF TC 26S(SEROJA) AND IS EXPECTED TO COMPLETE THE FUJIWHARA INTERACTION AS IT BECOMES ABSORBED IN TC...
SIndian: 27S(ODETTE) rotates around 26S(SEROJA) which will absorb it by 48hours while intensifying. Invests 91S and 92P still monitored closely, 09/09utc update - 04/09/2021 - 13:55
09/09UTC. 9H LOOP. FROM LEFT TO RIGHT: INVEST 91S. TC 27S(ODETTE) AND TC 26S(SEROJA). IF NEEDED CLICK TO ANIMATE. 2021 APR 09 09UTC #SOUTHERNHEMISPHERE #SOUTHINDIANOCEAN TC #26S #SEROJA ...
SOUTH INDIAN: 27S is getting absorbed by larger and intensifying 26S(SEROJA). Invests 91S and 92P under monitoring,08/09utc update - 04/08/2021 - 13:45
08/09UTC. 9H LOOP. FROM LEFT TO RIGHT: INVEST 91S. TC 27S. TC 26S(SEROJA) AND INVEST 92P. IF NEEDED CLICK TO ANIMATE. 2021 APR 08 09UTC #SOUTHERNHEMISPHERE #SOUTHINDIANOCEAN TC #26S #SEROJA ...
SOUTH INDIAN: 26S(SEROJA) forecast to intensify and absorb TC 27S by 96hours, Invest 91S now monitored to the East of 90°Est, 07/09utc update - 04/07/2021 - 14:30
07/08UTC. 9H LOOP. FROM RIGHT TO LEFT: TC 26S(SEROJA). TC 27S AND INVEST 91S. IF NEEDED CLICK TO ANIMATE. 2021 APR 07 09UTC #SOUTHERNHEMISPHERE #SOUTHINDIANOCEAN TC #26S #SEROJA ...
2 week cyclonic development potential: South and Western North Pacific may observe TC formation, April/06 Update - 04/06/2021 - 22:20
WEEK 1. 7 to 13 April. A couple of tropical cyclones (TCs) developed over the South Indian Ocean at the beginning of April and the MJO likely contributed to the genesis of these TCs. Tropical Cyclone...
SOUTH INDIAN: 26S(SEROJA) forecast to intensify significantly after 48h/ 27S: slow-moving, 06/03utc update - 04/06/2021 - 07:30
06/02UTC. 7H LOOP. TC 26S(SEROJA) ON THE RIGHT AND TC 27S. IF NEEDED CLICL TO ANIMATE. 2021 APR 06 03UTC #SOUTHERNHEMISPHERE #SOUTHINDIANOCEAN TC #26S #SEROJA #WESTERNAUSTRALIA WARNING 7 As...
SOUTH INDIAN: 26S(SEROJA) could reach US/CAT 3 by 96hours. 27S slow-moving 550km South of Christmas island, 05/03utc update - 04/05/2021 - 08:05
05/03UTC. 5H LOOP. TC 26S(SEROJA) ON THE RIGHT AND TC 27S. IF NEEDED CLICK TO ANIMATE. 2021 APR 05 03UTC #SOUTHERNHEMISPHERE #SOUTHINDIANOCEAN TC #26S #SEROJA #WESTERNAUSTRALIA WARNING 3 As...
SOUTH INDIAN: Invest 99S is now TC 26S: forecast to reach US/CAT 2 by 72hours. Invest 90S is up-graded to High and intensifying, 04/15utc update - 04/04/2021 - 19:50
04/15UTC. 9H ANIMATION. TC 26S ON THE RIGHT AND INVEST 90S. CICK TO ANIMATE IF NECESSARY. 2021 APR 04 1415UTC #SOUTHINDIANOCEAN TC #26S #SOUTHERNHEMISPHERE #WESTERNAUSTRALIA WARNING 1 As of 12:00...
SOUTH INDIAN: Invest 99S is up-graded to High, Invest 90S is up-graded to Medium, 03/15utc - 04/03/2021 - 19:45
03/14UTC. 12H ANIMATION. IF NECESSARY CLICK TO ANIMATE. 2021 APR 03 15UTC #SOUTHINDIANOCEAN INVEST #99S #SOUTHERNHEMISPHERE #WESTERNAUSTRALIA TCFA As of 12:00 UTC Apr 03, 2021: Location: 10.7°S...
INDIAN OCEAN: Invest 99S up-graded to Medium, 02/04 09utc update - 04/02/2021 - 14:05
02/09UTC. INVEST 99S IS UP-GRADED TO MEDIUM( MODERATE CHANCES OF REACHING 35KNOTS WITHIN 24H). 2021 APR 02 0930UTC #NORTHINDIAN INVEST #90B #BAYOFBENGAL UPDATE As of 06:00 UTC Apr 02, 2021:...
2 week cyclonic development potential: likely for the South Indian, moderate for the Bay of Bengal and Northwest Australia, 30/1730utc update - 03/31/2021 - 06:25
WEEK 1: 31/03 to 06/04. A convectively coupled Kelvin wave is forecast to pass through the MJO and the superposition of these waves will result in enhanced probabilities of tropical cyclone formation...
INDIAN OCEAN(North/South): 4 Invest Areas being monitored, 29/06utc update - 03/29/2021 - 13:15
29/08UTC. 6H LOOP. IF NEEDED CLICK TO ANIMATE. 2021 MAR 29 0730UTC #NORTHINDIAN INVEST #90B #BAYOFBENGAL UPDATE As of 06:00 UTC Mar 29, 2021: Location: 6.3°N 91.3°E Maximum Winds: 15 kt...
Les News
A new version (V8.2) of the AMSR2 winds for Tropical Cyclones (TC-winds) has been released
03/06/2026
- PATRICK HOAREAU
3 Week Tropical Cyclone Formation Probability//03/03/26
03/04/2026
- PATRICK HOAREAU
Pluviométrie pour la saison estivale 2025/26 à MAURICE et à RODRIGUES, update le 27/02/26
02/27/2026
- PATRICK HOAREAU
3 Week Tropical Cyclone Formation Probability//12/30/25
12/31/2025
- PATRICK HOAREAU
2021 STORM YEAR JTWC TROPICAL ACTIVITY TIMELINE
12/23/2025
- PATRICK HOAREAU
Difference in tropical cyclone activity across the JTWC AOR between El Niño and La Niña months
12/06/2025
- PATRICK HOAREAU
Liens utiles
3 Week Tropical Cyclone Formation Probability//03/03/26
3 Week Tropical Cyclone Formation Probability//12/30/25
2021 STORM YEAR JTWC TROPICAL ACTIVITY TIMELINE
Difference in tropical cyclone activity across the JTWC AOR between El Niño and La Niña months
Major HURRICANE 05E(ERICK) near CAT 4 US making landfall
3 Week Tropical Cyclone Formation Probability//03/03/26
3 Week Tropical Cyclone Formation Probability//12/30/25
2021 STORM YEAR JTWC TROPICAL ACTIVITY TIMELINE
Difference in tropical cyclone activity across the JTWC AOR between El Niño and La Niña months
Major HURRICANE 05E(ERICK) near CAT 4 US making landfall
MAURICE: Avis de Pluies Torrentielles en début d'après midi, précipitations particulièrement intenses sur la région de Port Louis//0617h30
MMS/Vacoas: Janvier 2023: le plus pluvieux à MAURICE depuis 20ans! RODRIGUES: proche de la normale...
ILES SOEURS: la REUNION et MAURICE douchées par des pluies localement fortes// Et ce n'est probablement pas fini// 26/19h
MAURITIUS: significant rain at last!
MMS/Vacoas: dry to very dry December 2022 for MAURITIUS and RODRIGUES & the outer islands//Forecast for JAN & FEB 2023
S'identifier
