Les News
2021 STORM YEAR JTWC TROPICAL ACTIVITY TIMELINE
12/23/2025
- PATRICK HOAREAU
Difference in tropical cyclone activity across the JTWC AOR between El Niño and La Niña months
12/06/2025
- PATRICK HOAREAU
Liens utiles
Difference in tropical cyclone activity across the JTWC AOR between El Niño and La Niña months
Major HURRICANE 05E(ERICK) near CAT 4 US making landfall
01W(WUTIP) 1st Typhoon of the 2025 Western North Pacific season
3 Week Tropical Cyclone Formation Probability//1406utc
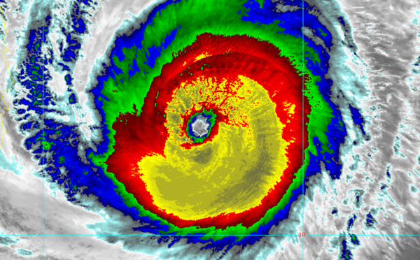
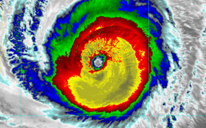
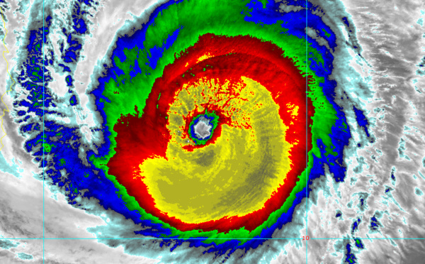
TC 29S(ERROL) peaked at CATEGORY 5 US/SUPER TYPHOON after Extreme Rapid Intensification//3 Week Tropical Cyclone Formation Probability//1618utc
S'identifier
