Météo974
WESTERN NORTH PACIFIC
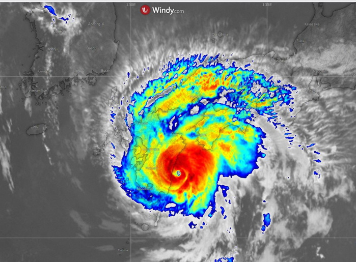
TS FRANCISCO (09W)
Location: 33.0°N 130.9°E
Maximum Winds: 60 kt ( 110km/h)
Gusts: 75 kt ( 140km/h)
Minimum Central Pressure: 979 mb
WDPN32 PGTW 060300
MSGID/GENADMIN/JOINT TYPHOON WRNCEN PEARL HARBOR HI//
SUBJ/PROGNOSTIC REASONING FOR TROPICAL STORM 09W (FRANCISCO) WARNING
NR 18//
RMKS/
1. FOR METEOROLOGISTS.
2. 6 HOUR SUMMARY AND ANALYSIS.
TROPICAL STORM (TS) 09W (FRANCISCO), LOCATED APPROXIMATELY 61 NM
EAST OF SASEBO, JAPAN, HAS TRACKED NORTHWESTWARD AT 16 KNOTS OVER THE
PAST SIX HOURS. ANIMATED MULTISPECTRAL SATELLITE IMAGERY SHOWS TS 09W
REMAINS TIGHTLY WRAPPED. HOWEVER, IT NO LONGER HAS A DEFINED EYE
FEATURE DUE TO LAND INTERACTION WITH KYUSHU. THE INITIAL POSITION IS
PLACED WITH HIGH CONFIDENCE AND IS BASED ON A 052330Z HIMAWARI
INFRARED SATELLITE IMAGE WHICH SHOWS A NOTCH FEATURE. THE INITIAL
INTENSITY ESTIMATE OF 60 KNOTS IS BASED ON A WEAKENING TREND OVER
LAND. ENVIRONMENTAL ANALYSIS SHOWS TS 09W IS EXPERIENCING FAVORABLE
VERTICAL WIND SHEAR (10 TO 15 KNOTS). TS 09W ALSO HAS EXCELLENT
POLEWARD BUT A LIMITED EQUATORWARD OUTFLOW CHANNEL. TS 09W IS
CURRENTLY OVER LAND, HOWEVER, THE SURROUNDING SEA SURFACE
TEMPERATURES REMAIN FAVORABLE (28 TO 29 DEGREES CELSIUS). TS 09W IS
TRACKING NORTHWESTWARD WHILE UNDER THE INFLUENCE OF A SUBTROPICAL
RIDGE (STR) LOCATED TO THE SOUTHEAST.
3. FORECAST REASONING.
A. THERE IS NO CHANGE TO THE OVERALL FORECAST PHILOSOPHY SINCE THE
PREVIOUS PROGNOSTIC REASONING MESSAGE.
B. TS 09W WILL TRACK NORTH-NORTHWESTWARD THROUGH TAU 12 WHILE IT
REMAINS UNDER THE INFLUENCE OF THE AFOREMENTIONED STR. SHORTLY AFTER
TAU 06, TS 09W WILL TRACK BACK OVER WATER WHICH WILL SLOW THE
WEAKENING AND ALLOW TS 09W TO MAKE LANDFALL JUST EAST OF BUSAN WITH
AN INTENSITY OF 55 KNOTS. AN APPROACHING WEST TO EAST MOVING
SHORTWAVE TROUGH WILL HELP TO ACCELERATE TS 09W NORTHWARD AND
EVENTUALLY NORTHEASTWARD AFTER TAU 24. BY TAU 36, TS 09W WILL
INTERACT WITH THE BAROCLINIC ZONE AND BEGIN EXTRA-TROPICAL TRANSITION
(ETT). TS 09W WILL COMPLETE ETT BY TAU 72 AS IT ACCELERATES EASTWARD
AND MAINTAINS AN INTENSITY OF 40 KNOTS. NUMERICAL MODEL GUIDANCE IS
IN TIGHT AGREEMENT, THEREFORE, THERE IS HIGH CONFIDENCE IN THE JTWC
FORECAST TRACK.//
NNNN
Location: 18.8°N 129.1°E
Maximum Winds: 45 kt ( 85km/h)
Gusts: 55 kt ( 100km/h)
Minimum Central Pressure: 987 mb
WDPN31 PGTW 060300
MSGID/GENADMIN/JOINT TYPHOON WRNCEN PEARL HARBOR HI//
SUBJ/PROGNOSTIC REASONING FOR TROPICAL STORM 10W (LEKIMA) WARNING NR
09//
RMKS//
1. FOR METEOROLOGISTS.
2. 6 HOUR SUMMARY AND ANALYSIS.
TROPICAL STORM (TS) 10W (LEKIMA), LOCATED APPROXIMATELY 468 NM
SOUTH OF KADENA AB, HAS TRACKED NORTH-NORTHEASTWARD AT 02 KNOTS OVER
THE PAST SIX HOURS. ANIMATED MULTISPECTRAL SATELLITE IMAGERY SHOWS A
CONSOLIDATING SYSTEM WITH SYMMETRIC DEEP CONVECTION AROUND THE CORE
WITH AN AREA OF DEEP CONVECTION EXTENDING TO THE SOUTH AND WEST. THE
INITIAL POSITION IS PLACED WITH GOOD CONFIDENCE AND IS BASED ON A
052225Z SSMIS 91GHZ MICROWAVE IMAGE, WHICH SHOWS THE DEEP CONVECTION
EXTENDING TO THE SOUTH AND WEST. THE INITIAL INTENSITY ESTIMATE OF 45
KNOTS IS BASED ON DVORAK CURRENT INTENSITY (CI) ESTIMATES OF T3.0 (45
KNOTS) FROM PGTW AND RJTD. ENVIRONMENTAL ANALYSIS SHOWS THAT TS 10W
IS EXPERIENCING NEUTRAL TO UNFAVORABLE (20 TO 25 KNOT) VERTICAL WIND
SHEAR WHICH IS LIMITING DEVELOPMENT. TS 10W HAS A STRONG EQUATORWARD
OUTFLOW CHANNEL WHILE THE POLEWARD OUTFLOW CHANNEL REMAINS
CONSTRAINED BY TS 09W TO THE NORTH. SEA SURFACE TEMPERATURE IS
FAVORABLE FOR DEVELOPMENT WITH TEMPERATURES GREATER THAN 31 DEGREES
CELSIUS. TS 10W IS DRIFTING NORTHWESTWARD WHILE POSITIONED BETWEEN A
SUBTROPICAL RIDGE (STR) TO THE NORTH AND A NEAR EQUATORIAL RIDGE
(NER) TO THE SOUTH.
3. FORECAST REASONING.
A. THERE IS NO CHANGE TO THE OVERALL FORECAST PHILOSOPHY SINCE THE
PREVIOUS PROGNOSTIC REASONING MESSAGE.
B. THROUGH TAU 48, TS 10W WILL TRACK NORTHWESTWARD AS THE
AFOREMENTIONED RIDGES BUILD. IMPROVING VERTICAL WIND SHEAR AND
FAVORABLE SEA SURFACE TEMPERATURES WILL ALLOW TS 10W TO STEADILY
INCREASE IN INTENSITY, REACHING 70 KNOTS BY TAU 48. AS TS 10W TRACKS
NORTHWESTWARD IT WILL MOVE AWAY FROM TD 11W AND TS 09W WHICH WILL
ALLOW FOR IMPROVED UPPER LEVEL OUTFLOW. SHORTLY BEFORE TAU 72, TS 10W
WILL MAKE LANDFALL IN NORTHERN TAIWAN. DYNAMIC MODEL GUIDANCE IS IN
GOOD AGREEMENT, THEREFORE, THERE IS HIGH CONFIDENCE IN THIS PORTION
OF THE JTWC FORECAST TRACK.
C. IN THE EXTENDED FORECAST LAND INTERACTION WITH TAIWAN WILL
CAUSE TS 10W TO DECREASE IN INTENSITY, REACHING 50 KNOTS BY TAU 96.
ALSO BY TAU 96, THE STR TO THE NORTH WILL BECOME THE PRIMARY STEERING
FEATURE AND CAUSE TS 10W TO TURN NORTHWARD. AT TAU 96, TS 10W WILL
MAKE LANDFALL IN CENTRAL CHINA AND CONTINUE TO WEAKEN IN INTENSITY AS
IT TRACKS NORTHWARD. DYNAMIC MODEL GUIDANCE HAS A SPREAD OF 375 NM BY
TAU 120, THEREFORE, THERE IS LOW CONFIDENCE IN THIS PORTION OF THE
JTWC FORECAST TRACK.//
NNNN
-----------------------------------------------------------------------------------------------------------------------
TD 11W
Location: 17.9°N 143.7°E
Maximum Winds: 30 kt ( 55km/h)
Gusts: 40 kt (75km/h)
Minimum Central Pressure: 997 mb
WTPN33 PGTW 060300
MSGID/GENADMIN/JOINT TYPHOON WRNCEN PEARL HARBOR HI//
SUBJ/PROGNOSTIC REASONING FOR TROPICAL DEPRESSION 11W (ELEVEN) WARNING
NR 002//
RMKS//
1. FOR METEOROLOGISTS.
2. 6 HOUR SUMMARY AND ANALYSIS.
TROPICAL DEPRESSION 11W (ELEVEN), LOCATED APPROXIMATELY
202 NM NORTHWEST OF SAIPAN, HAS TRACKED NORTHWESTWARD AT 10 KNOTS
OVER THE PAST SIX HOURS. ANIMATED MULTISPECTRAL SATELLITE IMAGERY
(MSI) DEPICTS AN ELONGATED, PARTIALLY EXPOSED LOW LEVEL CIRCULATION
(LLC) WITH DEEP CONVECTION PREDOMINANTLY IN THE SOUTHERN PORTION OF
THE CIRCULATION. A 052044Z PARTIAL SSMIS 89GHZ MICROWAVE IMAGE
DEPICTS A BROAD BUT DISORGANIZED AREA OF LOW LEVEL TURNING, WITH DEEP
CONVECTION TO THE SOUTH. THE INITIAL POSITION IS PLACED WITH LOW
CONFIDENCE LARGELY DUE TO THE BROAD NATURE OF THE CIRCULATION. THE
SYSTEM IS STILL EXHIBITING MONSOON DEPRESSION CHARACTERISTICS WITH AN
EXPANSIVE WIND FIELD. THE INITIAL INTENSITY OF 30 KTS IS BASED ON A
052345Z METOP-B ASCAT PASS MISS THAT SHOWED AN EXPANSIVE AREA OF 25
KT WINDS AND SOME 30 KT WIND BARBS OVER 150 NM TO THE EAST AND IS
SLIGHTLY HIGHER THAN THE PGTW AND RJTD DVORAK CURRENT INTENSITY
ESTIMATES OF T1.0-1.5 (25 KTS). ENVIRONMENTAL CONDITIONS FOR TD 11W
ARE MARGINAL WITH EXCELLENT EQUATORWARD OUTFLOW AND WARM SEA SURFACE
TEMPERATURES (28-30 CELSIUS) BEING OFFSET BY MODERATE TO STRONG
VERTICAL WIND SHEAR (VWS) (15-25 KTS). TD 11W IS TRACKING WESTWARD
ALONG THE SOUTHWESTERN PERIPHERY OF A RIDGE TO THE NORTH.
3. FORECAST REASONING.
A. THIS IS THE INITIAL PROGNOSTIC REASONING AND SETS THE FORECAST
PHILOSOPHY.
B. TD 11W IS FORECAST TO CONTINUE NORTHWESTWARD THROUGH TAU 48 AS
A SUBTROPICAL RIDGE BUILDS IN FROM THE EAST. THE SYSTEM WILL CONTINUE
TO TRACK NORTHWEST THROUGH TAU 36 BEFORE TURNING NORTHWARD AS IT
ROUNDS THE STR AXIS. DURING THIS PERIOD, DECREASING VERTICAL WIND
SHEAR AND EXCELLENT OUTFLOW ALOFT WILL ALLOW A STEADY INTENSIFICATION
OF THE SYSTEM, REACHING 70 KNOTS BY TAU 72. HOWEVER, SLOW TRACK
MOTION AND LOW OCEAN HEAT CONTENT (OHC) DESPITE HIGH SSTS WILL LIMIT
OVERALL INTENSIFICATION. MODEL UNCERTAINTY DURING THIS PERIOD HAS
NARROWED; MOST SHOW AN EITHER NORTHWARD OR NORTHWESTWARD TRACK IN THE
SHORT TERM. THE OFFICIAL JTWC TRACK FORECAST CLOSELY FOLLOWS THE
CONSENSUS TRACK IN THE NEAR TERM WITH LOW CONFIDENCE.
C. AFTER TAU 72, TD 11W IS FORECAST TO TRACK NORTH-NORTHEASTWARD
ALONG THE NORTHWESTERN PERIPHERY OF THE STR. A SHORTWAVE TROUGH
PASSES THROUGH THE AREA AND ERODES THE STR TO THE EAST, ALLOWING THE
SYSTEM TO RECURVE AFTER TAU 72 IN SOME MODELS. THE SYSTEM WILL PASS
CLOSE TO IWO TO BETWEEN TAU 72-96. AFTER TAU 96, LOW OHC AND SLIGHTLY
INCREASED VERTICAL WIND SHEAR MAY BEGIN A SLOW WEAKENING TREND.
HOWEVER, OUTFLOW WILL BE ENHANCED BY THE PASSING TROUGH AND MAY
MAINTAIN INTENSITY FOR LONGER. THE JTWC INTENSITY FORECAST IS PLACED
SIGNIFICANTLY ABOVE THE INTENSITY CONSENSUS IN LIGHT OF THE EXPECTED
INCREASED DIVERGENCE ALOFT DUE TO THE TROUGH. MODEL GUIDANCE BEYOND
TAU 72 SPREADS SIGNIFICANTLY. GFS AND ECMWF BEGIN TO VEER THE SYSTEM
TO THE NORTHWEST AFTER TAU 96 BASED ON INDUCED RIDGING BUILDING TO
THE NORTH BETWEEN TWO TROUGHS, WHILE NAVGEM AND THE GFS ENSEMBLE HAVE
THE SYSTEM RECURVING TO THE NORTHEAST AS THE TROUGH PUSHES THE STR TO
THE EAST OUT OF THE WAY. BASED ON THE SYNOPTIC SITUATION, THE
OFFICIAL FORECAST IS A SLIGHT NORTHEAST RECURVE. HOWEVER, BASED ON
THE SIGNIFICANT MODEL SPREAD, THERE IS LOW CONFIDENCE IN THE JTWC
TRACK FORECAST, ESPECIALLY IF THE RIDGING TO THE NORTH BUILDS IN AS
DISPLAYED IN THE ECMWF AND GFS SOLUTIONS.//
NNNN
----------------------------------------------------------------------------------------------------------------------------
INVEST 96W
Location: 16.4°N 117.5°E
Maximum Winds: 20 kt
Minimum Central Pressure: 1007 mb
-------------------------------------------------------------------------------------------------------------------------------
NORTH INDIAN: BAY OF BENGAL
INVEST 95B
Location: 20.4°N 89.8°E
Maximum Winds: 15 kt
Minimum Central Pressure: 1010 mb
M974World
WESTERN NORTH PACIFIC
TS FRANCISCO (09W)
Location: 33.0°N 130.9°E
Maximum Winds: 60 kt ( 110km/h)
Gusts: 75 kt ( 140km/h)
Minimum Central Pressure: 979 mb
WDPN32 PGTW 060300
MSGID/GENADMIN/JOINT TYPHOON WRNCEN PEARL HARBOR HI//
SUBJ/PROGNOSTIC REASONING FOR TROPICAL STORM 09W (FRANCISCO) WARNING
NR 18//
RMKS/
1. FOR METEOROLOGISTS.
2. 6 HOUR SUMMARY AND ANALYSIS.
TROPICAL STORM (TS) 09W (FRANCISCO), LOCATED APPROXIMATELY 61 NM
EAST OF SASEBO, JAPAN, HAS TRACKED NORTHWESTWARD AT 16 KNOTS OVER THE
PAST SIX HOURS. ANIMATED MULTISPECTRAL SATELLITE IMAGERY SHOWS TS 09W
REMAINS TIGHTLY WRAPPED. HOWEVER, IT NO LONGER HAS A DEFINED EYE
FEATURE DUE TO LAND INTERACTION WITH KYUSHU. THE INITIAL POSITION IS
PLACED WITH HIGH CONFIDENCE AND IS BASED ON A 052330Z HIMAWARI
INFRARED SATELLITE IMAGE WHICH SHOWS A NOTCH FEATURE. THE INITIAL
INTENSITY ESTIMATE OF 60 KNOTS IS BASED ON A WEAKENING TREND OVER
LAND. ENVIRONMENTAL ANALYSIS SHOWS TS 09W IS EXPERIENCING FAVORABLE
VERTICAL WIND SHEAR (10 TO 15 KNOTS). TS 09W ALSO HAS EXCELLENT
POLEWARD BUT A LIMITED EQUATORWARD OUTFLOW CHANNEL. TS 09W IS
CURRENTLY OVER LAND, HOWEVER, THE SURROUNDING SEA SURFACE
TEMPERATURES REMAIN FAVORABLE (28 TO 29 DEGREES CELSIUS). TS 09W IS
TRACKING NORTHWESTWARD WHILE UNDER THE INFLUENCE OF A SUBTROPICAL
RIDGE (STR) LOCATED TO THE SOUTHEAST.
3. FORECAST REASONING.
A. THERE IS NO CHANGE TO THE OVERALL FORECAST PHILOSOPHY SINCE THE
PREVIOUS PROGNOSTIC REASONING MESSAGE.
B. TS 09W WILL TRACK NORTH-NORTHWESTWARD THROUGH TAU 12 WHILE IT
REMAINS UNDER THE INFLUENCE OF THE AFOREMENTIONED STR. SHORTLY AFTER
TAU 06, TS 09W WILL TRACK BACK OVER WATER WHICH WILL SLOW THE
WEAKENING AND ALLOW TS 09W TO MAKE LANDFALL JUST EAST OF BUSAN WITH
AN INTENSITY OF 55 KNOTS. AN APPROACHING WEST TO EAST MOVING
SHORTWAVE TROUGH WILL HELP TO ACCELERATE TS 09W NORTHWARD AND
EVENTUALLY NORTHEASTWARD AFTER TAU 24. BY TAU 36, TS 09W WILL
INTERACT WITH THE BAROCLINIC ZONE AND BEGIN EXTRA-TROPICAL TRANSITION
(ETT). TS 09W WILL COMPLETE ETT BY TAU 72 AS IT ACCELERATES EASTWARD
AND MAINTAINS AN INTENSITY OF 40 KNOTS. NUMERICAL MODEL GUIDANCE IS
IN TIGHT AGREEMENT, THEREFORE, THERE IS HIGH CONFIDENCE IN THE JTWC
FORECAST TRACK.//
NNNN
Location: 18.8°N 129.1°E
Maximum Winds: 45 kt ( 85km/h)
Gusts: 55 kt ( 100km/h)
Minimum Central Pressure: 987 mb
WDPN31 PGTW 060300
MSGID/GENADMIN/JOINT TYPHOON WRNCEN PEARL HARBOR HI//
SUBJ/PROGNOSTIC REASONING FOR TROPICAL STORM 10W (LEKIMA) WARNING NR
09//
RMKS//
1. FOR METEOROLOGISTS.
2. 6 HOUR SUMMARY AND ANALYSIS.
TROPICAL STORM (TS) 10W (LEKIMA), LOCATED APPROXIMATELY 468 NM
SOUTH OF KADENA AB, HAS TRACKED NORTH-NORTHEASTWARD AT 02 KNOTS OVER
THE PAST SIX HOURS. ANIMATED MULTISPECTRAL SATELLITE IMAGERY SHOWS A
CONSOLIDATING SYSTEM WITH SYMMETRIC DEEP CONVECTION AROUND THE CORE
WITH AN AREA OF DEEP CONVECTION EXTENDING TO THE SOUTH AND WEST. THE
INITIAL POSITION IS PLACED WITH GOOD CONFIDENCE AND IS BASED ON A
052225Z SSMIS 91GHZ MICROWAVE IMAGE, WHICH SHOWS THE DEEP CONVECTION
EXTENDING TO THE SOUTH AND WEST. THE INITIAL INTENSITY ESTIMATE OF 45
KNOTS IS BASED ON DVORAK CURRENT INTENSITY (CI) ESTIMATES OF T3.0 (45
KNOTS) FROM PGTW AND RJTD. ENVIRONMENTAL ANALYSIS SHOWS THAT TS 10W
IS EXPERIENCING NEUTRAL TO UNFAVORABLE (20 TO 25 KNOT) VERTICAL WIND
SHEAR WHICH IS LIMITING DEVELOPMENT. TS 10W HAS A STRONG EQUATORWARD
OUTFLOW CHANNEL WHILE THE POLEWARD OUTFLOW CHANNEL REMAINS
CONSTRAINED BY TS 09W TO THE NORTH. SEA SURFACE TEMPERATURE IS
FAVORABLE FOR DEVELOPMENT WITH TEMPERATURES GREATER THAN 31 DEGREES
CELSIUS. TS 10W IS DRIFTING NORTHWESTWARD WHILE POSITIONED BETWEEN A
SUBTROPICAL RIDGE (STR) TO THE NORTH AND A NEAR EQUATORIAL RIDGE
(NER) TO THE SOUTH.
3. FORECAST REASONING.
A. THERE IS NO CHANGE TO THE OVERALL FORECAST PHILOSOPHY SINCE THE
PREVIOUS PROGNOSTIC REASONING MESSAGE.
B. THROUGH TAU 48, TS 10W WILL TRACK NORTHWESTWARD AS THE
AFOREMENTIONED RIDGES BUILD. IMPROVING VERTICAL WIND SHEAR AND
FAVORABLE SEA SURFACE TEMPERATURES WILL ALLOW TS 10W TO STEADILY
INCREASE IN INTENSITY, REACHING 70 KNOTS BY TAU 48. AS TS 10W TRACKS
NORTHWESTWARD IT WILL MOVE AWAY FROM TD 11W AND TS 09W WHICH WILL
ALLOW FOR IMPROVED UPPER LEVEL OUTFLOW. SHORTLY BEFORE TAU 72, TS 10W
WILL MAKE LANDFALL IN NORTHERN TAIWAN. DYNAMIC MODEL GUIDANCE IS IN
GOOD AGREEMENT, THEREFORE, THERE IS HIGH CONFIDENCE IN THIS PORTION
OF THE JTWC FORECAST TRACK.
C. IN THE EXTENDED FORECAST LAND INTERACTION WITH TAIWAN WILL
CAUSE TS 10W TO DECREASE IN INTENSITY, REACHING 50 KNOTS BY TAU 96.
ALSO BY TAU 96, THE STR TO THE NORTH WILL BECOME THE PRIMARY STEERING
FEATURE AND CAUSE TS 10W TO TURN NORTHWARD. AT TAU 96, TS 10W WILL
MAKE LANDFALL IN CENTRAL CHINA AND CONTINUE TO WEAKEN IN INTENSITY AS
IT TRACKS NORTHWARD. DYNAMIC MODEL GUIDANCE HAS A SPREAD OF 375 NM BY
TAU 120, THEREFORE, THERE IS LOW CONFIDENCE IN THIS PORTION OF THE
JTWC FORECAST TRACK.//
NNNN
-----------------------------------------------------------------------------------------------------------------------
TD 11W
Location: 17.9°N 143.7°E
Maximum Winds: 30 kt ( 55km/h)
Gusts: 40 kt (75km/h)
Minimum Central Pressure: 997 mb
WTPN33 PGTW 060300
MSGID/GENADMIN/JOINT TYPHOON WRNCEN PEARL HARBOR HI//
SUBJ/PROGNOSTIC REASONING FOR TROPICAL DEPRESSION 11W (ELEVEN) WARNING
NR 002//
RMKS//
1. FOR METEOROLOGISTS.
2. 6 HOUR SUMMARY AND ANALYSIS.
TROPICAL DEPRESSION 11W (ELEVEN), LOCATED APPROXIMATELY
202 NM NORTHWEST OF SAIPAN, HAS TRACKED NORTHWESTWARD AT 10 KNOTS
OVER THE PAST SIX HOURS. ANIMATED MULTISPECTRAL SATELLITE IMAGERY
(MSI) DEPICTS AN ELONGATED, PARTIALLY EXPOSED LOW LEVEL CIRCULATION
(LLC) WITH DEEP CONVECTION PREDOMINANTLY IN THE SOUTHERN PORTION OF
THE CIRCULATION. A 052044Z PARTIAL SSMIS 89GHZ MICROWAVE IMAGE
DEPICTS A BROAD BUT DISORGANIZED AREA OF LOW LEVEL TURNING, WITH DEEP
CONVECTION TO THE SOUTH. THE INITIAL POSITION IS PLACED WITH LOW
CONFIDENCE LARGELY DUE TO THE BROAD NATURE OF THE CIRCULATION. THE
SYSTEM IS STILL EXHIBITING MONSOON DEPRESSION CHARACTERISTICS WITH AN
EXPANSIVE WIND FIELD. THE INITIAL INTENSITY OF 30 KTS IS BASED ON A
052345Z METOP-B ASCAT PASS MISS THAT SHOWED AN EXPANSIVE AREA OF 25
KT WINDS AND SOME 30 KT WIND BARBS OVER 150 NM TO THE EAST AND IS
SLIGHTLY HIGHER THAN THE PGTW AND RJTD DVORAK CURRENT INTENSITY
ESTIMATES OF T1.0-1.5 (25 KTS). ENVIRONMENTAL CONDITIONS FOR TD 11W
ARE MARGINAL WITH EXCELLENT EQUATORWARD OUTFLOW AND WARM SEA SURFACE
TEMPERATURES (28-30 CELSIUS) BEING OFFSET BY MODERATE TO STRONG
VERTICAL WIND SHEAR (VWS) (15-25 KTS). TD 11W IS TRACKING WESTWARD
ALONG THE SOUTHWESTERN PERIPHERY OF A RIDGE TO THE NORTH.
3. FORECAST REASONING.
A. THIS IS THE INITIAL PROGNOSTIC REASONING AND SETS THE FORECAST
PHILOSOPHY.
B. TD 11W IS FORECAST TO CONTINUE NORTHWESTWARD THROUGH TAU 48 AS
A SUBTROPICAL RIDGE BUILDS IN FROM THE EAST. THE SYSTEM WILL CONTINUE
TO TRACK NORTHWEST THROUGH TAU 36 BEFORE TURNING NORTHWARD AS IT
ROUNDS THE STR AXIS. DURING THIS PERIOD, DECREASING VERTICAL WIND
SHEAR AND EXCELLENT OUTFLOW ALOFT WILL ALLOW A STEADY INTENSIFICATION
OF THE SYSTEM, REACHING 70 KNOTS BY TAU 72. HOWEVER, SLOW TRACK
MOTION AND LOW OCEAN HEAT CONTENT (OHC) DESPITE HIGH SSTS WILL LIMIT
OVERALL INTENSIFICATION. MODEL UNCERTAINTY DURING THIS PERIOD HAS
NARROWED; MOST SHOW AN EITHER NORTHWARD OR NORTHWESTWARD TRACK IN THE
SHORT TERM. THE OFFICIAL JTWC TRACK FORECAST CLOSELY FOLLOWS THE
CONSENSUS TRACK IN THE NEAR TERM WITH LOW CONFIDENCE.
C. AFTER TAU 72, TD 11W IS FORECAST TO TRACK NORTH-NORTHEASTWARD
ALONG THE NORTHWESTERN PERIPHERY OF THE STR. A SHORTWAVE TROUGH
PASSES THROUGH THE AREA AND ERODES THE STR TO THE EAST, ALLOWING THE
SYSTEM TO RECURVE AFTER TAU 72 IN SOME MODELS. THE SYSTEM WILL PASS
CLOSE TO IWO TO BETWEEN TAU 72-96. AFTER TAU 96, LOW OHC AND SLIGHTLY
INCREASED VERTICAL WIND SHEAR MAY BEGIN A SLOW WEAKENING TREND.
HOWEVER, OUTFLOW WILL BE ENHANCED BY THE PASSING TROUGH AND MAY
MAINTAIN INTENSITY FOR LONGER. THE JTWC INTENSITY FORECAST IS PLACED
SIGNIFICANTLY ABOVE THE INTENSITY CONSENSUS IN LIGHT OF THE EXPECTED
INCREASED DIVERGENCE ALOFT DUE TO THE TROUGH. MODEL GUIDANCE BEYOND
TAU 72 SPREADS SIGNIFICANTLY. GFS AND ECMWF BEGIN TO VEER THE SYSTEM
TO THE NORTHWEST AFTER TAU 96 BASED ON INDUCED RIDGING BUILDING TO
THE NORTH BETWEEN TWO TROUGHS, WHILE NAVGEM AND THE GFS ENSEMBLE HAVE
THE SYSTEM RECURVING TO THE NORTHEAST AS THE TROUGH PUSHES THE STR TO
THE EAST OUT OF THE WAY. BASED ON THE SYNOPTIC SITUATION, THE
OFFICIAL FORECAST IS A SLIGHT NORTHEAST RECURVE. HOWEVER, BASED ON
THE SIGNIFICANT MODEL SPREAD, THERE IS LOW CONFIDENCE IN THE JTWC
TRACK FORECAST, ESPECIALLY IF THE RIDGING TO THE NORTH BUILDS IN AS
DISPLAYED IN THE ECMWF AND GFS SOLUTIONS.//
NNNN
----------------------------------------------------------------------------------------------------------------------------
INVEST 96W
Location: 16.4°N 117.5°E
Maximum Winds: 20 kt
Minimum Central Pressure: 1007 mb
-------------------------------------------------------------------------------------------------------------------------------
NORTH INDIAN: BAY OF BENGAL
INVEST 95B
Location: 20.4°N 89.8°E
Maximum Winds: 15 kt
Minimum Central Pressure: 1010 mb
WARNING 18. FRANCISCO(09W) PEAKED AT TYPHOON INTENSITY NEAR 75KNOTS JUST PRIOR TO LANDFALL OVER KUYSHU.














