Météo974
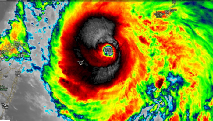
TY LINGLING ( 15W)
Location: 24.1°N 125.4°E
Maximum Winds: 115 kt ( 215km/h)
Gusts: 140 kt ( 260km/h)
Minimum Central Pressure: 930 mb
CATEGORY US: 4
WDPN32 PGTW 050300 AMD
MSGID/GENADMIN/JOINT TYPHOON WRNCEN PEARL HARBOR HI//
SUBJ/PROGNOSTIC REASONING FOR TYPHOON 15W (LINGLING) WARNING NR 13A
AMENDED//
RMKS/
1. FOR METEOROLOGISTS.
2. 6 HOUR SUMMARY AND ANALYSIS.
TYPHOON (TY) 15W (LINGLING), LOCATED APPROXIMATELY 194 NM
SOUTHWEST OF KADENA AB, OKINAWA, JAPAN, HAS TRACKED NORTHWARD AT 06
KNOTS OVER THE PAST SIX HOURS. ANIMATED MULTISPECTRAL SATELLITE
IMAGERY SHOWS TIGHTLY-CURVED BANDS WRAPPED TIGHTER INTO THE WELL-
DEFINED 15NM EYE. THE INITIAL POSITION IS PLACED WITH HIGH
CONFIDENCE BASED ON THE EYE FEATURE OBSERVED IN A 042227Z SSMIS 37
GHZ MICROWAVE IMAGE WHICH IS CONSISTENT WITH THE CIRCULATION
DEPICTED IN A COMPOSITE RADAR LOOP FROM JMA AND A SURFACE
OBSERVATION AT MIYAKOJIMA (47927), LOCATED 40NM TO THE NORTH. THE
INITIAL INTENSITY OF 115 KTS IS BASED ON DVORAK INTENSITY ESTIMATES
OF T6.0/115 KTS FROM PGTW AND RCTP. UPPER-LEVEL ANALYSIS INDICATES A
FAVORABLE ENVIRONMENT WITH LOW TO MODERATE (15-20KT) VERTICAL WIND
SHEAR (VWS) OFFSET BY VIGOROUS EQUATORWARD OUTFLOW. ADDITIONALLY,
THE SOUTHERLY UPPER-LEVEL WINDS ARE IN PHASE WITH THE NORTHWARD
MOTION OF THE SYSTEM, DECREASING THE EFFECT OF VWS ON THE SYSTEM.
SEA SURFACE TEMPERATURES (SSTS) AT 28-29C REMAIN CONDUCIVE. TY 15W
MAINTAINS A NORTHWARD TRACK UNDER THE STEERING INFLUENCE OF THE
SUBTROPICAL RIDGE (STR) TO THE EAST.
3. FORECAST REASONING.
A. THERE IS NO CHANGE TO THE FORECAST PHILOSOPHY SINCE THE
PREVIOUS PROGNOSTIC REASONING MESSAGE.
B. TY 15W WILL CONTINUE NORTHWARD UNDER THE STR. AFTER TAU 48, IT
WILL TRACK MORE NORTH-NORTHEASTWARD IN THE YELLOW SEA AS THE STR
RECEDES EASTWARD IN RESPONSE TO A MIDLATITUDE TROUGH APPROACHING
FROM THE NORTHWEST. THE OVERALL FAVORABLE ENVIRONMENT WILL PROMOTE A
PERIOD OF CONTINUED INTENSIFICATION TO A PEAK OF 120 KTS AT TAUS 12-
24. AS THE SYSTEM ENTERS THE YELLOW SEA, INCREASING VWS AND COOLING
SSTS WILL BEGIN TO WEAKEN THE SYSTEM. BY TAU 48, TY 15W WILL BEGIN
EXTRA-TROPICAL TRANSITION THEN MAKE LANDFALL OVER THE SOUTH COAST OF
NORTH KOREA AROUND TAU 60, THEN RAPIDLY DECAY AS IT INTERACTS WITH
THE RUGGED TERRAIN OF CENTRAL NORTH KOREA. BY TAU 72, IT WILL
COMPLETE ETT AND TRANSFORM INTO A STRONG GALE-FORCE COLD-CORE LOW
WEST OF VLADIVOSTOK. NUMERICAL MODELS ARE IN TIGHT AGREEMENT WITH
GFS AS THE NOTABLE RIGHT-OF-TRACK OUTLIER. THERE IS HIGH CONFIDENCE
UP TO TAU 48, AFTERWARD, DUE TO UNCERTAINTY IN TRACK SPEEDS OVER
RUGGED TERRAIN, CONFIDENCE IS LOW IN THE EXTENDED PORTION OF THE
JTWC FORECAST THAT IS LAID JUST LEFT OF MODEL CONSENSUS TO OFFSET
THE UNLIKELY GFS TRACK INTO THE STR.
4. JUSTIFICATION FOR AMENDMENT: AMENDED TAU 72 POSITION AND
INTENSITY AND TIMING OF EXTRA-TROPICAL TRANSITION.//
NNNN
-----------------------------------------------------------------------------------------------
TS 14W
Location: 18.9°N 156.3°E
Maximum Winds: 35 kt ( 65km/h)
Gusts : 45kt ( 85km/h)
Minimum Central Pressure: 1002 mb
WDPN31 PGTW 050300
MSGID/GENADMIN/JOINT TYPHOON WRNCEN PEARL HARBOR HI//
SUBJ/PROGNOSTIC REASONING FOR TROPICAL STORM 14W (FOURTEEN) WARNING
NR 14//
RMKS/
1. FOR METEOROLOGISTS.
2. 6 HOUR SUMMARY AND ANALYSIS.
TROPICAL STORM (TS) 14W (FOURTEEN), LOCATED APPROXIMATELY 911
NM EAST-SOUTHEAST OF IWO TO, JAPAN, HAS TRACKED NORTHWESTWARD AT
06 KNOTS OVER THE PAST SIX HOURS. ANIMATED MULTISPECTRAL IMAGERY
SHOWS A MOSTLY EXPOSED LOW-LEVEL CIRCULATION (LLC) WITH THE
ASSOCIATED DEEP CONVECTION REMAINING OFFSET TO THE EAST. THE INITIAL
POSITION IS PLACED WITH FAIR CONFIDENCE BASED ON A WEAK BUT WELL
DEFINED LLC FEATURE IN THE 042330Z HIMAWARI-8 1KM VISIBLE IMAGE. THE
INITIAL INTENSITY OF 35 KTS IS BASED ON THE DVORAK ESTIMATE OF
T2.5/35KTS FROM PGTW. UPPER-LEVEL ANALYSIS MAINTAINS A TUTT CELL TO
THE NORTHWEST AND TROUGHING SOUTHWARD OF IT IS CAUSING STRONG
SUBSIDENCE ALONG THE WESTERN PERIPHERY OF THE CYCLONE, CONSEQUENTLY
RESTRICTING WESTWARD OUTFLOW AND INHIBITING VERTICAL DEVELOPMENT.
HOWEVER, MODERATE SOUTHEASTWARD OUTFLOW INTO ANOTHER TUTT CELL TO THE
EAST PROVIDES VENTILATION TO THE OFFSET CONVECTION. TY 15W HAS A
FAVORABLE VERTICAL WIND SHEAR (VWS) ENVIRONMENT WITH VALUES OF 5-15
KTS. TS 14W CONTINUES TO TRACK OVER WARM SSTS (30C) WHILE A
SUBTROPICAL RIDGE (STR) TO THE NORTH INFLUENCES THE STEERING OF THE
SYSTEM.
3. FORECAST REASONING.
A. THERE IS NO CHANGE TO THE FORECAST PHILOSOPHY SINCE THE
PREVIOUS PROGNOSTIC REASONING MESSAGE.
B. TS 14W WILL CONTINUE ON ITS CURRENT TRACK, STEERED BY THE STR.
AFTER TAU 48, THE TRACK WILL TURN MORE NORTHWESTWARD AS IT BEGINS TO
ROUND THE STR AXIS. BY TAU 72, IT WILL CREST THE STR AXIS AFTER NORTH
OF IWO TO. THE OVERALL FAVORABLE ENVIRONMENT WILL PROMOTE SLOW THEN
RAPID INTENSIFICATION TO A PEAK OF 100 KTS BY TAU 72 AS POLEWARD
OUTFLOW INCREASES WHILE THE SYSTEM MOVES AWAY FROM THE TUTT CELL
INFLUENCE AND APPROACHES THE PREVAILING WESTERLIES. NUMERICAL MODELS
ARE IN GOOD AGREEMENT, LENDING HIGH CONFIDENCE IN THIS PORTION OF THE
JTWC FORECAST TRACK.
C. BEYOND TAU 72, TS 14W WILL TRACK NORTHWARD TOWARD JAPAN ON
THE POLEWARD SIDE OF THE STR AXIS, MAKING LANDFALL JUST PRIOR TO TAU
96 OVER HONSHU SOUTHWEST OF TOKYO. FOLLOWING THIS, THE SYSTEM WILL
BEGIN TO ERODE AS VWS VALUES INCREASE AND LAND INTERACTION DECREASES
INTENSITY TO 70 KTS. CONCURRENTLY AFTER TAU 96, TS 14W WILL BEGIN
EXTRA-TROPICAL TRANSITION (ETT) AS IT ACCELERATES NORTHEASTWARD
ACROSS THE KANTO PLAIN, EXITING BACK INTO THE PACIFIC OCEAN AFTER TAU
102 BEFORE COMPLETING ETT. THE NUMERICAL MODELS ARE IN FAIR AGREEMENT
WITH NAVGEM ON THE LEFT MARGIN OF THE ENVELOPE, POSSIBLY INDICATING
EXCESSIVE DIRECT CYCLONE INTERACTION WITH TY 15W, FORECAST TO BE
POSITIONED OVER NORTH KOREA AT THIS TIME. THERE IS, HOWEVER, LOW
CONFIDENCE IN THE EXTENDED PORTION OF THE JTWC TRACK FORECAST DUE TO
THE UNCERTAINTY IN THE TIMING OF THE RECURVE AND TRACK SPEED OVER LAND.//
NNNN
---------------------------------------------------------------------------------------------
Remnants of TD KAJIKI(16W)
Location: 17.8°N 110.3°E
Maximum Winds: 15 kt
Minimum Central Pressure: 1010 mb
M974World
WESTERN NORTH PACIFICTY LINGLING ( 15W)
Location: 24.1°N 125.4°E
Maximum Winds: 115 kt ( 215km/h)
Gusts: 140 kt ( 260km/h)
Minimum Central Pressure: 930 mb
CATEGORY US: 4
WDPN32 PGTW 050300 AMD
MSGID/GENADMIN/JOINT TYPHOON WRNCEN PEARL HARBOR HI//
SUBJ/PROGNOSTIC REASONING FOR TYPHOON 15W (LINGLING) WARNING NR 13A
AMENDED//
RMKS/
1. FOR METEOROLOGISTS.
2. 6 HOUR SUMMARY AND ANALYSIS.
TYPHOON (TY) 15W (LINGLING), LOCATED APPROXIMATELY 194 NM
SOUTHWEST OF KADENA AB, OKINAWA, JAPAN, HAS TRACKED NORTHWARD AT 06
KNOTS OVER THE PAST SIX HOURS. ANIMATED MULTISPECTRAL SATELLITE
IMAGERY SHOWS TIGHTLY-CURVED BANDS WRAPPED TIGHTER INTO THE WELL-
DEFINED 15NM EYE. THE INITIAL POSITION IS PLACED WITH HIGH
CONFIDENCE BASED ON THE EYE FEATURE OBSERVED IN A 042227Z SSMIS 37
GHZ MICROWAVE IMAGE WHICH IS CONSISTENT WITH THE CIRCULATION
DEPICTED IN A COMPOSITE RADAR LOOP FROM JMA AND A SURFACE
OBSERVATION AT MIYAKOJIMA (47927), LOCATED 40NM TO THE NORTH. THE
INITIAL INTENSITY OF 115 KTS IS BASED ON DVORAK INTENSITY ESTIMATES
OF T6.0/115 KTS FROM PGTW AND RCTP. UPPER-LEVEL ANALYSIS INDICATES A
FAVORABLE ENVIRONMENT WITH LOW TO MODERATE (15-20KT) VERTICAL WIND
SHEAR (VWS) OFFSET BY VIGOROUS EQUATORWARD OUTFLOW. ADDITIONALLY,
THE SOUTHERLY UPPER-LEVEL WINDS ARE IN PHASE WITH THE NORTHWARD
MOTION OF THE SYSTEM, DECREASING THE EFFECT OF VWS ON THE SYSTEM.
SEA SURFACE TEMPERATURES (SSTS) AT 28-29C REMAIN CONDUCIVE. TY 15W
MAINTAINS A NORTHWARD TRACK UNDER THE STEERING INFLUENCE OF THE
SUBTROPICAL RIDGE (STR) TO THE EAST.
3. FORECAST REASONING.
A. THERE IS NO CHANGE TO THE FORECAST PHILOSOPHY SINCE THE
PREVIOUS PROGNOSTIC REASONING MESSAGE.
B. TY 15W WILL CONTINUE NORTHWARD UNDER THE STR. AFTER TAU 48, IT
WILL TRACK MORE NORTH-NORTHEASTWARD IN THE YELLOW SEA AS THE STR
RECEDES EASTWARD IN RESPONSE TO A MIDLATITUDE TROUGH APPROACHING
FROM THE NORTHWEST. THE OVERALL FAVORABLE ENVIRONMENT WILL PROMOTE A
PERIOD OF CONTINUED INTENSIFICATION TO A PEAK OF 120 KTS AT TAUS 12-
24. AS THE SYSTEM ENTERS THE YELLOW SEA, INCREASING VWS AND COOLING
SSTS WILL BEGIN TO WEAKEN THE SYSTEM. BY TAU 48, TY 15W WILL BEGIN
EXTRA-TROPICAL TRANSITION THEN MAKE LANDFALL OVER THE SOUTH COAST OF
NORTH KOREA AROUND TAU 60, THEN RAPIDLY DECAY AS IT INTERACTS WITH
THE RUGGED TERRAIN OF CENTRAL NORTH KOREA. BY TAU 72, IT WILL
COMPLETE ETT AND TRANSFORM INTO A STRONG GALE-FORCE COLD-CORE LOW
WEST OF VLADIVOSTOK. NUMERICAL MODELS ARE IN TIGHT AGREEMENT WITH
GFS AS THE NOTABLE RIGHT-OF-TRACK OUTLIER. THERE IS HIGH CONFIDENCE
UP TO TAU 48, AFTERWARD, DUE TO UNCERTAINTY IN TRACK SPEEDS OVER
RUGGED TERRAIN, CONFIDENCE IS LOW IN THE EXTENDED PORTION OF THE
JTWC FORECAST THAT IS LAID JUST LEFT OF MODEL CONSENSUS TO OFFSET
THE UNLIKELY GFS TRACK INTO THE STR.
4. JUSTIFICATION FOR AMENDMENT: AMENDED TAU 72 POSITION AND
INTENSITY AND TIMING OF EXTRA-TROPICAL TRANSITION.//
NNNN
-----------------------------------------------------------------------------------------------
TS 14W
Location: 18.9°N 156.3°E
Maximum Winds: 35 kt ( 65km/h)
Gusts : 45kt ( 85km/h)
Minimum Central Pressure: 1002 mb
WDPN31 PGTW 050300
MSGID/GENADMIN/JOINT TYPHOON WRNCEN PEARL HARBOR HI//
SUBJ/PROGNOSTIC REASONING FOR TROPICAL STORM 14W (FOURTEEN) WARNING
NR 14//
RMKS/
1. FOR METEOROLOGISTS.
2. 6 HOUR SUMMARY AND ANALYSIS.
TROPICAL STORM (TS) 14W (FOURTEEN), LOCATED APPROXIMATELY 911
NM EAST-SOUTHEAST OF IWO TO, JAPAN, HAS TRACKED NORTHWESTWARD AT
06 KNOTS OVER THE PAST SIX HOURS. ANIMATED MULTISPECTRAL IMAGERY
SHOWS A MOSTLY EXPOSED LOW-LEVEL CIRCULATION (LLC) WITH THE
ASSOCIATED DEEP CONVECTION REMAINING OFFSET TO THE EAST. THE INITIAL
POSITION IS PLACED WITH FAIR CONFIDENCE BASED ON A WEAK BUT WELL
DEFINED LLC FEATURE IN THE 042330Z HIMAWARI-8 1KM VISIBLE IMAGE. THE
INITIAL INTENSITY OF 35 KTS IS BASED ON THE DVORAK ESTIMATE OF
T2.5/35KTS FROM PGTW. UPPER-LEVEL ANALYSIS MAINTAINS A TUTT CELL TO
THE NORTHWEST AND TROUGHING SOUTHWARD OF IT IS CAUSING STRONG
SUBSIDENCE ALONG THE WESTERN PERIPHERY OF THE CYCLONE, CONSEQUENTLY
RESTRICTING WESTWARD OUTFLOW AND INHIBITING VERTICAL DEVELOPMENT.
HOWEVER, MODERATE SOUTHEASTWARD OUTFLOW INTO ANOTHER TUTT CELL TO THE
EAST PROVIDES VENTILATION TO THE OFFSET CONVECTION. TY 15W HAS A
FAVORABLE VERTICAL WIND SHEAR (VWS) ENVIRONMENT WITH VALUES OF 5-15
KTS. TS 14W CONTINUES TO TRACK OVER WARM SSTS (30C) WHILE A
SUBTROPICAL RIDGE (STR) TO THE NORTH INFLUENCES THE STEERING OF THE
SYSTEM.
3. FORECAST REASONING.
A. THERE IS NO CHANGE TO THE FORECAST PHILOSOPHY SINCE THE
PREVIOUS PROGNOSTIC REASONING MESSAGE.
B. TS 14W WILL CONTINUE ON ITS CURRENT TRACK, STEERED BY THE STR.
AFTER TAU 48, THE TRACK WILL TURN MORE NORTHWESTWARD AS IT BEGINS TO
ROUND THE STR AXIS. BY TAU 72, IT WILL CREST THE STR AXIS AFTER NORTH
OF IWO TO. THE OVERALL FAVORABLE ENVIRONMENT WILL PROMOTE SLOW THEN
RAPID INTENSIFICATION TO A PEAK OF 100 KTS BY TAU 72 AS POLEWARD
OUTFLOW INCREASES WHILE THE SYSTEM MOVES AWAY FROM THE TUTT CELL
INFLUENCE AND APPROACHES THE PREVAILING WESTERLIES. NUMERICAL MODELS
ARE IN GOOD AGREEMENT, LENDING HIGH CONFIDENCE IN THIS PORTION OF THE
JTWC FORECAST TRACK.
C. BEYOND TAU 72, TS 14W WILL TRACK NORTHWARD TOWARD JAPAN ON
THE POLEWARD SIDE OF THE STR AXIS, MAKING LANDFALL JUST PRIOR TO TAU
96 OVER HONSHU SOUTHWEST OF TOKYO. FOLLOWING THIS, THE SYSTEM WILL
BEGIN TO ERODE AS VWS VALUES INCREASE AND LAND INTERACTION DECREASES
INTENSITY TO 70 KTS. CONCURRENTLY AFTER TAU 96, TS 14W WILL BEGIN
EXTRA-TROPICAL TRANSITION (ETT) AS IT ACCELERATES NORTHEASTWARD
ACROSS THE KANTO PLAIN, EXITING BACK INTO THE PACIFIC OCEAN AFTER TAU
102 BEFORE COMPLETING ETT. THE NUMERICAL MODELS ARE IN FAIR AGREEMENT
WITH NAVGEM ON THE LEFT MARGIN OF THE ENVELOPE, POSSIBLY INDICATING
EXCESSIVE DIRECT CYCLONE INTERACTION WITH TY 15W, FORECAST TO BE
POSITIONED OVER NORTH KOREA AT THIS TIME. THERE IS, HOWEVER, LOW
CONFIDENCE IN THE EXTENDED PORTION OF THE JTWC TRACK FORECAST DUE TO
THE UNCERTAINTY IN THE TIMING OF THE RECURVE AND TRACK SPEED OVER LAND.//
NNNN
---------------------------------------------------------------------------------------------
Remnants of TD KAJIKI(16W)
Location: 17.8°N 110.3°E
Maximum Winds: 15 kt
Minimum Central Pressure: 1010 mb















