Météo974
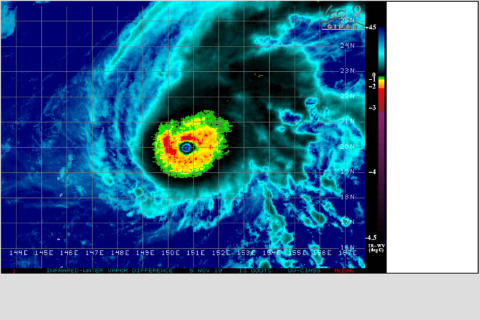
Location: 20.2°N 150.6°E
Maximum Winds: 155 kt ( 290km/h)
Gusts: 190 kt ( 350km/h)
Minimum Central Pressure: 897 mb
CATEGORY US: 5
WDPN31 PGTW 052100
MSGID/GENADMIN/JOINT TYPHOON WRNCEN PEARL HARBOR HI//
SUBJ/PROGNOSTIC REASONING FOR SUPER TYPHOON 24W (HALONG) WARNING NR
014//
RMKS/
1. FOR METEOROLOGISTS.
2. 6 HOUR SUMMARY AND ANALYSIS.
SUPER TYPHOON (STY) 24W (HALONG), LOCATED APPROXIMATELY 584 NM
EAST-SOUTHEAST OF IWO TO, HAS TRACKED NORTH-NORTHWESTWARD AT 04 KNOTS
(KTS) OVER THE PAST SIX HOURS. ANIMATED ENHANCED INFRARED (EIR)
SATELLITE IMAGERY REVEALS A 13 NM WIDE EYE WITHIN A LARGELY SYMMETRIC
SYSTEM. ADDITIONALLY, A 051754Z SSMIS 91 GHZ MICROWAVE IMAGE SHOWS A
WELL-DEFINED MICROWAVE EYE FEATURE WITH A BANDING FEATURE WRAPPING
AROUND THE SYSTEM, PLACING HIGH CONFIDENCE IN THE INITIAL POSITION.
THE CURRENT INTENSITY IS ASSESSED AT 155 KTS BASED ON MULTI-AGENCY
DVORAK CURRENT INTENSITY ESTIMATES OF T7.5 (155 KTS) FROM PGTW, RJTD,
AND KNES. THIS IS JUST BETWEEN A 051530Z SATCON ESTIMATE OF 149 KTS
AND A 051840Z ADVANCED DVORAK TECHNIQUE OF 164 KTS. STY 24W IS
EXPERIENCING GOOD POLEWARD OUTFLOW; HOWEVER, EQUATORWARD OUTFLOW
REMAINS INHIBITED. THE ENVIRONMENT REMAINS OVERALL FAVORABLE WITH LOW
(10-15 KTS) VERTICAL WIND SHEAR (VWS) AND WARM (28-29 CELSIUS) SEA
SURFACE TEMPERATURE (SST). STY 24W IS TRACKING ALONG THE WESTERN
PERIPHERY OF A DEEP-LAYERED SUBTROPICAL RIDGE (STR) POSITIONED TO THE
EAST.
3. FORECAST REASONING.
A. THERE IS NO SIGNIFICANT CHANGE TO THE FORECAST PHILOSOPHY FROM
THE PREVIOUS PROGNOSTIC REASONING MESSAGE. WIND RADII HAVE BEEN
UPDATED WITH THE MOST RECENT ASCAT PASS.
B. A MIDLATITUDE TROUGH CONTINUES TO ERODE THE STR, ALLOWING STY
24W TO TRACK NORTHWARD ALONG THE WESTERN PERIPHERY THROUGH TAU 12,
THEN GRADUALLY RECURVE AS IT ROUNDS THE STR AXIS. STY 24W WILL SHIFT
TO A NORTH-NORTHEASTWARD TRACK. INTERACTION WITH THE TROUGH AROUND TAU
48 WILL CONSEQUENTLY CAUSE THE SYSTEM TO ACCELERATE TO THE NORTH-
NORTHEAST AND BEGIN EXTRATROPICAL TRANSITION (ETT). DUE TO INCREASING
VWS AND SLOW TRACK MOTION OVER WATERS WITH LOW OCEAN HEAT CONTENT, STY
24W IS EXPECTED TO GRADUALLY WEAKEN THROUGHOUT THIS FORECAST PERIOD.
C. IN THE EXTENDED PERIOD, STY 24W WILL ACCELERATE NORTHEASTWARD AS
IT BECOMES EMBEDDED IN THE MIDLATITUDE WESTERLIES AND BEGINS
INTERACTION WITH THE BAROCLINIC ZONE. DURING THIS TIME, THE SYSTEM IS
EXPECTED TO WEAKEN WITH INCREASING VWS DUE TO THE UPPER LEVEL
WESTERLIES INTERACTION AND COOLING SST. STY 24W IS EXPECTED TO
COMPLETE ETT BY TAU 96, GAINING FRONTAL CHARACTERISTICS. THE NUMERICAL
MODELS HAVE COME INTO BETTER AGREEMENT WITH A CROSS-TRACK SPREAD OF
APPROXIMATELY 200NM AT TAU 72 DUE TO DIFFERENCES IN THE TIMING OF THE
RECURVE. TRACK SPREAD FURTHER INCREASES PAST TAU 72 DUE TO ALONG-TRACK
SPEED DIFFERENCES. THE JTWC FORECAST TRACK IS PLACED NEAR THE MULTI-
MODEL CONSENSUS, LENDING GOOD OVERALL CONFIDENCE TO THE JTWC TRACK
FORECAST.//
NNNN
M974World
WESTERN NORTH PACIFICLocation: 20.2°N 150.6°E
Maximum Winds: 155 kt ( 290km/h)
Gusts: 190 kt ( 350km/h)
Minimum Central Pressure: 897 mb
CATEGORY US: 5
WDPN31 PGTW 052100
MSGID/GENADMIN/JOINT TYPHOON WRNCEN PEARL HARBOR HI//
SUBJ/PROGNOSTIC REASONING FOR SUPER TYPHOON 24W (HALONG) WARNING NR
014//
RMKS/
1. FOR METEOROLOGISTS.
2. 6 HOUR SUMMARY AND ANALYSIS.
SUPER TYPHOON (STY) 24W (HALONG), LOCATED APPROXIMATELY 584 NM
EAST-SOUTHEAST OF IWO TO, HAS TRACKED NORTH-NORTHWESTWARD AT 04 KNOTS
(KTS) OVER THE PAST SIX HOURS. ANIMATED ENHANCED INFRARED (EIR)
SATELLITE IMAGERY REVEALS A 13 NM WIDE EYE WITHIN A LARGELY SYMMETRIC
SYSTEM. ADDITIONALLY, A 051754Z SSMIS 91 GHZ MICROWAVE IMAGE SHOWS A
WELL-DEFINED MICROWAVE EYE FEATURE WITH A BANDING FEATURE WRAPPING
AROUND THE SYSTEM, PLACING HIGH CONFIDENCE IN THE INITIAL POSITION.
THE CURRENT INTENSITY IS ASSESSED AT 155 KTS BASED ON MULTI-AGENCY
DVORAK CURRENT INTENSITY ESTIMATES OF T7.5 (155 KTS) FROM PGTW, RJTD,
AND KNES. THIS IS JUST BETWEEN A 051530Z SATCON ESTIMATE OF 149 KTS
AND A 051840Z ADVANCED DVORAK TECHNIQUE OF 164 KTS. STY 24W IS
EXPERIENCING GOOD POLEWARD OUTFLOW; HOWEVER, EQUATORWARD OUTFLOW
REMAINS INHIBITED. THE ENVIRONMENT REMAINS OVERALL FAVORABLE WITH LOW
(10-15 KTS) VERTICAL WIND SHEAR (VWS) AND WARM (28-29 CELSIUS) SEA
SURFACE TEMPERATURE (SST). STY 24W IS TRACKING ALONG THE WESTERN
PERIPHERY OF A DEEP-LAYERED SUBTROPICAL RIDGE (STR) POSITIONED TO THE
EAST.
3. FORECAST REASONING.
A. THERE IS NO SIGNIFICANT CHANGE TO THE FORECAST PHILOSOPHY FROM
THE PREVIOUS PROGNOSTIC REASONING MESSAGE. WIND RADII HAVE BEEN
UPDATED WITH THE MOST RECENT ASCAT PASS.
B. A MIDLATITUDE TROUGH CONTINUES TO ERODE THE STR, ALLOWING STY
24W TO TRACK NORTHWARD ALONG THE WESTERN PERIPHERY THROUGH TAU 12,
THEN GRADUALLY RECURVE AS IT ROUNDS THE STR AXIS. STY 24W WILL SHIFT
TO A NORTH-NORTHEASTWARD TRACK. INTERACTION WITH THE TROUGH AROUND TAU
48 WILL CONSEQUENTLY CAUSE THE SYSTEM TO ACCELERATE TO THE NORTH-
NORTHEAST AND BEGIN EXTRATROPICAL TRANSITION (ETT). DUE TO INCREASING
VWS AND SLOW TRACK MOTION OVER WATERS WITH LOW OCEAN HEAT CONTENT, STY
24W IS EXPECTED TO GRADUALLY WEAKEN THROUGHOUT THIS FORECAST PERIOD.
C. IN THE EXTENDED PERIOD, STY 24W WILL ACCELERATE NORTHEASTWARD AS
IT BECOMES EMBEDDED IN THE MIDLATITUDE WESTERLIES AND BEGINS
INTERACTION WITH THE BAROCLINIC ZONE. DURING THIS TIME, THE SYSTEM IS
EXPECTED TO WEAKEN WITH INCREASING VWS DUE TO THE UPPER LEVEL
WESTERLIES INTERACTION AND COOLING SST. STY 24W IS EXPECTED TO
COMPLETE ETT BY TAU 96, GAINING FRONTAL CHARACTERISTICS. THE NUMERICAL
MODELS HAVE COME INTO BETTER AGREEMENT WITH A CROSS-TRACK SPREAD OF
APPROXIMATELY 200NM AT TAU 72 DUE TO DIFFERENCES IN THE TIMING OF THE
RECURVE. TRACK SPREAD FURTHER INCREASES PAST TAU 72 DUE TO ALONG-TRACK
SPEED DIFFERENCES. THE JTWC FORECAST TRACK IS PLACED NEAR THE MULTI-
MODEL CONSENSUS, LENDING GOOD OVERALL CONFIDENCE TO THE JTWC TRACK
FORECAST.//
NNNN














