Météo974
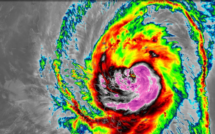
Location: 12.9°N 127.8°E
Maximum Winds: 80 kt ( 150km/h)
Gusts: 100 kt ( 185km/h)
Minimum Central Pressure: 972 mb
CATEGORY US: 1
WDPN31 PGTW 012100
MSGID/GENADMIN/JOINT TYPHOON WRNCEN PEARL HARBOR HI//
SUBJ/PROGNOSTIC REASONING FOR TYPHOON 29W (KAMMURI) WARNING NR 025//
RMKS/
1. FOR METEOROLOGISTS.
2. 6 HOUR SUMMARY AND ANALYSIS.
TYPHOON (TY) 29W (KAMMURI), LOCATED APPROXIMATELY 409 NM EAST-
SOUTHEAST OF MANILA, PHILIPPINES, HAS TRACKED WESTWARD AT 10 KNOTS
OVER THE PAST SIX HOURS. ANIMATED ENHANCED INFRARED SATELLITE
IMAGERY SHOWS THAT TY 29W HAS AN IMPROVED SYMMETRIC STRUCTURE WITH
DEEP CONVECTION WRAPPING AROUND THE LOW LEVEL CIRCULATION CENTER.
THE INITIAL POSITION IS PLACED WITH HIGH CONFIDENCE AND IS BASED ON
A 011816Z 37GHZ GMI IMAGE WHICH SHOWS WHICH SHOWS A WELL-DEFINED
MICROWAVE EYE. THE INITIAL INTENSITY OF 80 KNOTS IS HEDGED BETWEEN A
DVORAK CURRENT INTENSITY (CI) ESTIMATE OF T4.5 (77 KNOTS) FROM PGTW
AND A 011636Z SATCON ESTIMATE OF 94 KNOTS. RECENT SATCON ESTIMATES
HAVE SPIKED DUE TO THE DEVELOPMENT OF THE MICROWAVE EYE.
ENVIRONMENTAL ANALYSIS SHOWS THAT TY 29W IS EXPERIENCING FAVORABLE
VERTICAL WIND SHEAR (10 TO 15 KNOTS) ALONG WITH ROBUST POLEWARD AND
EQUATORWARD OUTFLOW CHANNELS. SEA SURFACE TEMPERATURES REMAIN
FAVORABLE FOR DEVELOPMENT, NEAR 29 DEGREES CELSIUS. TY KAMMURI IS
TRACKING WESTWARD ALONG THE SOUTHWESTERN EDGE OF A SUBTROPICAL RIDGE
(STR) WHICH IS LOCATED TO THE NORTHEAST.
3. FORECAST REASONING.
A. THERE IS NO SIGNIFICANT CHANGE TO THE FORECAST PHILOSOPHY FROM
THE LAST PROGNOSTIC REASONING MESSAGE.
B. THROUGH TAU 24, TY 29W WILL CONTINUE TO TRACK WESTWARD ALONG
THE SOUTHWESTERN PERIPHERY OF THE STR AND WILL RAPIDLY INTENSIFY
DUE TO FAVORABLE VERTICAL WIND SHEAR AND WARM SEA SURFACE
TEMPERATURES. TY 29W WILL REACH 100 KNOTS BEFORE MAKING LANDFALL
JUST BEFORE TAU 24. TY 29W WILL STEADILY DECREASE IN INTENSITY AFTER
TAU 24 DUE TO FRICTIONAL EFFECTS FROM LAND INTERACTION WITH THE
CENTRAL PHILIPPINES. AN APPROACHING SHORTWAVE TROUGH TO THE
NORTHWEST WILL TEMPORARILY ERODE THE STR, CAUSING TY 29W TO TRACK
WEST-NORTHWESTWARD AS IT MOVES INTO THE SOUTH CHINA SEA AFTER TAU
36.
DYNAMIC MODEL GUIDANCE IS IN GOOD AGREEMENT WITH A SPREAD OF 160NM
BY TAU 72. THEREFORE, THERE IS HIGH CONFIDENCE IN THIS PORTION OF
THE JTWC FORECAST TRACK.
C. AFTER TAU 72, WINDS FROM A STRONG NORTHEASTERLY SURGE EVENT
WILL BEGIN TO DRIVE TY 29W SOUTHWESTWARD. INCREASING VERTICAL WIND
SHEAR IN THE SOUTH CHINA SEA WILL CAUSE TY 29W TO QUICKLY DECREASE
IN INTENSITY, REACHING 30 KNOTS BY TAU 96 AND DISSIPATING TO 20
KNOTS BY TAU 120. DYNAMIC MODEL GUIDANCE IS IN GOOD AGREEMENT
REGARDING THE SOUTHWESTWARD TURN BUT THERE IS A LARGE DIFFERENCE IN
TRACK SPEED DURING THIS PERIOD. THEREFORE, THERE IS LOW CONFIDENCE
IN THIS PORTION OF THE JTWC FORECAST TRACK. THE JTWC FORECAST TRACK
IS PLACED JUST TO THE WEST OF THE MULTI-MODEL CONSENSUS.//
NNNN
M974World
WESTERN NORTH PACIFICLocation: 12.9°N 127.8°E
Maximum Winds: 80 kt ( 150km/h)
Gusts: 100 kt ( 185km/h)
Minimum Central Pressure: 972 mb
CATEGORY US: 1
WDPN31 PGTW 012100
MSGID/GENADMIN/JOINT TYPHOON WRNCEN PEARL HARBOR HI//
SUBJ/PROGNOSTIC REASONING FOR TYPHOON 29W (KAMMURI) WARNING NR 025//
RMKS/
1. FOR METEOROLOGISTS.
2. 6 HOUR SUMMARY AND ANALYSIS.
TYPHOON (TY) 29W (KAMMURI), LOCATED APPROXIMATELY 409 NM EAST-
SOUTHEAST OF MANILA, PHILIPPINES, HAS TRACKED WESTWARD AT 10 KNOTS
OVER THE PAST SIX HOURS. ANIMATED ENHANCED INFRARED SATELLITE
IMAGERY SHOWS THAT TY 29W HAS AN IMPROVED SYMMETRIC STRUCTURE WITH
DEEP CONVECTION WRAPPING AROUND THE LOW LEVEL CIRCULATION CENTER.
THE INITIAL POSITION IS PLACED WITH HIGH CONFIDENCE AND IS BASED ON
A 011816Z 37GHZ GMI IMAGE WHICH SHOWS WHICH SHOWS A WELL-DEFINED
MICROWAVE EYE. THE INITIAL INTENSITY OF 80 KNOTS IS HEDGED BETWEEN A
DVORAK CURRENT INTENSITY (CI) ESTIMATE OF T4.5 (77 KNOTS) FROM PGTW
AND A 011636Z SATCON ESTIMATE OF 94 KNOTS. RECENT SATCON ESTIMATES
HAVE SPIKED DUE TO THE DEVELOPMENT OF THE MICROWAVE EYE.
ENVIRONMENTAL ANALYSIS SHOWS THAT TY 29W IS EXPERIENCING FAVORABLE
VERTICAL WIND SHEAR (10 TO 15 KNOTS) ALONG WITH ROBUST POLEWARD AND
EQUATORWARD OUTFLOW CHANNELS. SEA SURFACE TEMPERATURES REMAIN
FAVORABLE FOR DEVELOPMENT, NEAR 29 DEGREES CELSIUS. TY KAMMURI IS
TRACKING WESTWARD ALONG THE SOUTHWESTERN EDGE OF A SUBTROPICAL RIDGE
(STR) WHICH IS LOCATED TO THE NORTHEAST.
3. FORECAST REASONING.
A. THERE IS NO SIGNIFICANT CHANGE TO THE FORECAST PHILOSOPHY FROM
THE LAST PROGNOSTIC REASONING MESSAGE.
B. THROUGH TAU 24, TY 29W WILL CONTINUE TO TRACK WESTWARD ALONG
THE SOUTHWESTERN PERIPHERY OF THE STR AND WILL RAPIDLY INTENSIFY
DUE TO FAVORABLE VERTICAL WIND SHEAR AND WARM SEA SURFACE
TEMPERATURES. TY 29W WILL REACH 100 KNOTS BEFORE MAKING LANDFALL
JUST BEFORE TAU 24. TY 29W WILL STEADILY DECREASE IN INTENSITY AFTER
TAU 24 DUE TO FRICTIONAL EFFECTS FROM LAND INTERACTION WITH THE
CENTRAL PHILIPPINES. AN APPROACHING SHORTWAVE TROUGH TO THE
NORTHWEST WILL TEMPORARILY ERODE THE STR, CAUSING TY 29W TO TRACK
WEST-NORTHWESTWARD AS IT MOVES INTO THE SOUTH CHINA SEA AFTER TAU
36.
DYNAMIC MODEL GUIDANCE IS IN GOOD AGREEMENT WITH A SPREAD OF 160NM
BY TAU 72. THEREFORE, THERE IS HIGH CONFIDENCE IN THIS PORTION OF
THE JTWC FORECAST TRACK.
C. AFTER TAU 72, WINDS FROM A STRONG NORTHEASTERLY SURGE EVENT
WILL BEGIN TO DRIVE TY 29W SOUTHWESTWARD. INCREASING VERTICAL WIND
SHEAR IN THE SOUTH CHINA SEA WILL CAUSE TY 29W TO QUICKLY DECREASE
IN INTENSITY, REACHING 30 KNOTS BY TAU 96 AND DISSIPATING TO 20
KNOTS BY TAU 120. DYNAMIC MODEL GUIDANCE IS IN GOOD AGREEMENT
REGARDING THE SOUTHWESTWARD TURN BUT THERE IS A LARGE DIFFERENCE IN
TRACK SPEED DURING THIS PERIOD. THEREFORE, THERE IS LOW CONFIDENCE
IN THIS PORTION OF THE JTWC FORECAST TRACK. THE JTWC FORECAST TRACK
IS PLACED JUST TO THE WEST OF THE MULTI-MODEL CONSENSUS.//
NNNN












