Météo974  
M974World
Zinfos974Météo
   
2019 OCTOBRE 27 14h30 REUNION
   
KYARR EST DEJA LE SECOND SUPER CYCLONE SUR LE NORD INDIEN EN 2019
   
Sur notre océan mais au Nord de l'équateur la saison cyclonique connait deux périodes d"activité privilégiées en moyenne chaque année.
   
La première pendant les mois d'Arvil, Mai et Juin. Et la seconde à la fin de la mousson en Octobre/Novembre.
   
Les cyclones de cette région évoluent soit à l'Est de l'Inde sur le Golfe du Bengale ou sur la Mer d'Arabie au Sud du Pakistan.
   
2019 s'annonce déjà remarquable. En avril le Super Cyclone FANI(01B) ouvrait l'année cyclonique de façon spectaculaire compte tenu de l'intensité probablement sans précédent atteinte un mois d'avril aux portes des côtes indiennes.
   
FANI est malheureusement responsable de la disparition d'au moins 72 personnes et a laissé derrière lui un terrain de désolation notamment dans la région de Puri/Inde.
   
Quelques semaines plus tard le cyclone VAYU(02B) atteignait le stade de cyclone intense en Juin. Même affaibli le météore était à blâmer pour des dégâts significatifs dans la région Nord-Ouest indienne qui n'avait pas été aussi secouée depuis le cyclone intense de 1998.
   
REPRISE DE L'ACTIVITE DES SEPTEMBRE
   
Dès le mois de Septembre le cyclone tropical Hikaa(03A) sévissait sur la Mer d'Arabie.
   
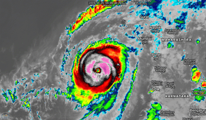
Ce qui nous amène au système suivi actuellement avec toute l'attention requise. KYARR(04A) évolue sur la Mer d'Arabie aussi connue sous le nom de Mer d'Oman.
   
A 10heures il était positionné à 610km de Mumbai et pour être précis à 4400km de la Réunion. Le cyclone évolue au Nord de l'équateur et ne représente aucun danger pour les îles du Sud Ouest de l'Océan Indien.
   
KYARR est donc le second système cette année à atteindre le stade de Super Cyclone ( rafales supérieures ou égales à 300km/h).
   
FANI et KYARR sont les premiers systèmes à atteindre ce seuil d'intensité sur le Nord Océan Indien depuis CHAPALA(03A) en
Octobre/Novembre 2015.
   
Notez qu'en moyenne seuls 2 systèmes atteignent le stade de Super Cyclone tous les 10ans même si la moyenne calculée sur plusieurs décennies est très probablement trop basse par rapport à la tendance plus récente.
   
Enfin pour le moment 4 systèmes ont été numérotés par la Navy US en 2019 pour le Nord Indien: la moyenne est de 5.
   
Les 4 systèmes ont tous atteint au minimum le stade de cyclone tropical.
   
PREVISIONS DE TRAJECTOIRE POUR KYARR: ENCORE DES INCERTITUDES
   
Les modèles restent partagés et fluctuants quant à la trajectoire future de ce système. Tout indique qu'il pourrait atteindre son pic d'intensité de cyclone très intense dans les prochaines 24heures.
   
Tout en s'affaiblissant progressivement par la suite le cyclone pourrait suivre un déplacement en direction générale du sultanat d'Oman.
   
Mais certaines indications plaident pour un recourbement vers le Nord-Est en direction du Nord-Ouest de l'Inde.
   
Tout dépendra de la faiblesse observée au niveau de la dorsale subtropicale. Peu prononcée et éphémère elle ne permettrait pas dans ce cas au cyclone de gagner en latitude vers le Nord.
			 M974World
Zinfos974Météo
2019 OCTOBRE 27 14h30 REUNION
KYARR EST DEJA LE SECOND SUPER CYCLONE SUR LE NORD INDIEN EN 2019
Sur notre océan mais au Nord de l'équateur la saison cyclonique connait deux périodes d"activité privilégiées en moyenne chaque année.
La première pendant les mois d'Arvil, Mai et Juin. Et la seconde à la fin de la mousson en Octobre/Novembre.
Les cyclones de cette région évoluent soit à l'Est de l'Inde sur le Golfe du Bengale ou sur la Mer d'Arabie au Sud du Pakistan.
2019 s'annonce déjà remarquable. En avril le Super Cyclone FANI(01B) ouvrait l'année cyclonique de façon spectaculaire compte tenu de l'intensité probablement sans précédent atteinte un mois d'avril aux portes des côtes indiennes.
FANI est malheureusement responsable de la disparition d'au moins 72 personnes et a laissé derrière lui un terrain de désolation notamment dans la région de Puri/Inde.
Quelques semaines plus tard le cyclone VAYU(02B) atteignait le stade de cyclone intense en Juin. Même affaibli le météore était à blâmer pour des dégâts significatifs dans la région Nord-Ouest indienne qui n'avait pas été aussi secouée depuis le cyclone intense de 1998.
REPRISE DE L'ACTIVITE DES SEPTEMBRE
Dès le mois de Septembre le cyclone tropical Hikaa(03A) sévissait sur la Mer d'Arabie.
Ce qui nous amène au système suivi actuellement avec toute l'attention requise. KYARR(04A) évolue sur la Mer d'Arabie aussi connue sous le nom de Mer d'Oman.
A 10heures il était positionné à 610km de Mumbai et pour être précis à 4400km de la Réunion. Le cyclone évolue au Nord de l'équateur et ne représente aucun danger pour les îles du Sud Ouest de l'Océan Indien.
KYARR est donc le second système cette année à atteindre le stade de Super Cyclone ( rafales supérieures ou égales à 300km/h).
FANI et KYARR sont les premiers systèmes à atteindre ce seuil d'intensité sur le Nord Océan Indien depuis CHAPALA(03A) en
Octobre/Novembre 2015.
Notez qu'en moyenne seuls 2 systèmes atteignent le stade de Super Cyclone tous les 10ans même si la moyenne calculée sur plusieurs décennies est très probablement trop basse par rapport à la tendance plus récente.
Enfin pour le moment 4 systèmes ont été numérotés par la Navy US en 2019 pour le Nord Indien: la moyenne est de 5.
Les 4 systèmes ont tous atteint au minimum le stade de cyclone tropical.
PREVISIONS DE TRAJECTOIRE POUR KYARR: ENCORE DES INCERTITUDES
Les modèles restent partagés et fluctuants quant à la trajectoire future de ce système. Tout indique qu'il pourrait atteindre son pic d'intensité de cyclone très intense dans les prochaines 24heures.
Tout en s'affaiblissant progressivement par la suite le cyclone pourrait suivre un déplacement en direction générale du sultanat d'Oman.
Mais certaines indications plaident pour un recourbement vers le Nord-Est en direction du Nord-Ouest de l'Inde.
Tout dépendra de la faiblesse observée au niveau de la dorsale subtropicale. Peu prononcée et éphémère elle ne permettrait pas dans ce cas au cyclone de gagner en latitude vers le Nord.
 
				 
					 Le Super Cyclone est à 4400 km de la Réunion et ne représente aucun danger pour les îles du Sud Ouest Indien. US NAVY
				 
			  
				 
					 Les modèles divergent quant à la trajectoire future du Super Cyclone Kyarr. A noter que le Joint Typhoon Warning Center(en gris) ne privilégie pas les modèles GFS et HWRF et reste relativement proche des solutions proposées par le modèle européen. CIRA
				 
			 



 

 
 
 

 

