01heure/Mascareignes
2019 MAR 14 02h20 Mascareignes.
Bonne nuit les Ziles!
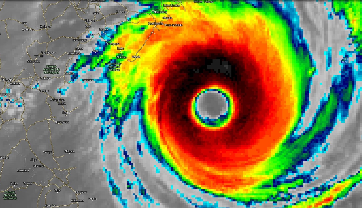
Meteo974 classe à nouveau IDAI(18S) en cyclone intense depuis 22heures/Mascareignes. Les différentes analyses (Dvorak et Satcon) pointent toutes dans la même direction: intensification rapide ces dernières 6 heures.
A 22heures mon estimation donnait des rafales de l'ordre de 240km/h près de l'oeil en mer. Il est probable que pour le prochain point de 4h du matin ce Jeudi le météore soit analysé comme encore un peu plus intense.
A 00h30 l'oeil est centré par 19.6°Sud et 38.3°Est soit à 365km à l'est nord-est de Beira. Le cyclone intense de rapproche dangereusement de la grande ville du Mozambique pourrait atterrir à moins de 100km de la ville dans environ 24heures.
Le système affiche de plus une plus une présentation proche des cyclones dits "annulaires"
Explications ici: http://www.cyclonextreme.com/cyclonenewstechnique12.htm
On va suivre son approche des côtes sans relâche et anxieusement pour les populations concernées sur https://www.meteo974.re/M974World_r7.html et https://www.meteo974.re/Actualite-meteo_r1.html
Cheers,
Patrick Hoareau.
2019 MAR 14 02h20 Mascareignes.
Bonne nuit les Ziles!
Meteo974 classe à nouveau IDAI(18S) en cyclone intense depuis 22heures/Mascareignes. Les différentes analyses (Dvorak et Satcon) pointent toutes dans la même direction: intensification rapide ces dernières 6 heures.
A 22heures mon estimation donnait des rafales de l'ordre de 240km/h près de l'oeil en mer. Il est probable que pour le prochain point de 4h du matin ce Jeudi le météore soit analysé comme encore un peu plus intense.
A 00h30 l'oeil est centré par 19.6°Sud et 38.3°Est soit à 365km à l'est nord-est de Beira. Le cyclone intense de rapproche dangereusement de la grande ville du Mozambique pourrait atterrir à moins de 100km de la ville dans environ 24heures.
Le système affiche de plus une plus une présentation proche des cyclones dits "annulaires"
Explications ici: http://www.cyclonextreme.com/cyclonenewstechnique12.htm
On va suivre son approche des côtes sans relâche et anxieusement pour les populations concernées sur https://www.meteo974.re/M974World_r7.html et https://www.meteo974.re/Actualite-meteo_r1.html
Cheers,
Patrick Hoareau.




