Météo974
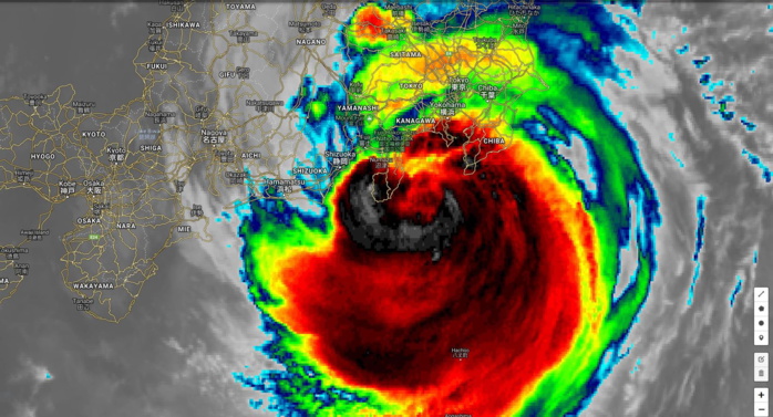
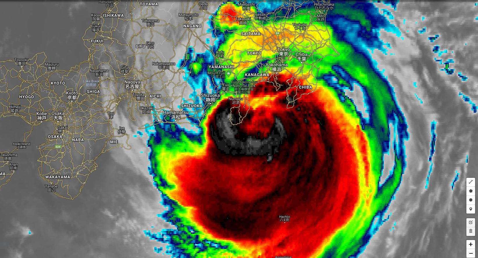
TY FAXAI (14W)
Location: 34.0°N 139.1°E
Maximum Winds: 100 kt ( 185km/h)
Gusts : 125kt ( 230km/h)
Minimum Central Pressure: 952 mb
CATEGORY US: 3
WDPN31 PGTW 081500
MSGID/GENADMIN/JOINT TYPHOON WRNCEN PEARL HARBOR HI//
SUBJ/PROGNOSTIC REASONING FOR TYPHOON 14W (FAXAI) WARNING NR 028//
RMKS/
1. FOR METEOROLOGISTS.
2. 6 HOUR SUMMARY AND ANALYSIS.
TYPHOON (TY) 14W (FAXAI), LOCATED APPROXIMATELY 83 NM SOUTH-
SOUTHWEST OF YOKOSUKA, JAPAN, HAS TRACKED NORTHWARD AT 10 KNOTS
OVER THE PAST SIX HOURS. ANIMATED ENHANCED INFRARED SATELLITE
IMAGERY DEPICTS A 12NM ROUND EYE, WHICH, ALONG WITH HOURLY RADAR
FIXES, SUPPORTS THE CURRENT POSITION WITH HIGH CONFIDENCE. ANIMATED
RADAR IMAGERY SHOWS A WELL-DEFINED EYE FEATURE WITH INTENSE EYEWALL
CONVECTION AND SPIRAL BANDING PUSHING INTO KANTO PLAIN REGION. A
081115Z MHS 89GHZ MICROWAVE IMAGE SHOWS A COMPACT CORE WITH A
BANDING FEATURE EXTENDING OVER THE NORTHERN SEMICIRCLE. THE CURRENT
INTENSITY IS ASSESSED AT 100 KNOTS BASED ON DVORAK CURRENT INTENSITY
ESTIMATES RANGING FROM 5.0-5.5 (90-102 KNOTS). THE CURRENT INTENSITY
ESTIMATE OF 100 KNOTS SUSTAINED GUSTING TO 125 KNOTS IS SUPPORTED BY
RECENT SURFACE WIND OBSERVATIONS FROM KOZUSHIMA (34.2N 139.1E) AND
NIIJIMA (34.4N 139.3E) DURING EYEWALL PASSAGE (1203Z-1251Z), WHICH
INDICATED PEAK 1-MINUTE GUSTS OF 121 KNOTS AND 107 KNOTS,
RESPECTIVELY. ENVIRONMENTAL ANALYSIS INDICATES FAVORABLE CONDITIONS
OF LOW (5-15 KT) VERTICAL WIND SHEAR (VWS), ROBUST RADIAL OUTFLOW,
AND WARM (29-30 CELSIUS) SEA SURFACE TEMPERATURE (SST) VALUES. THE
SYSTEM IS TRACKING ALONG THE WESTERN PERIPHERY OF A DEEP-LAYERED
SUBTROPICAL RIDGE (STR) ENTRENCHED TO THE EAST.
3. FORECAST REASONING.
A. THERE IS NO CHANGE TO THE FORECAST PHILOSOPHY SINCE THE
PREVIOUS PROGNOSTIC REASONING MESSAGE.
B. TY FAXAI IS FORECAST TO TURN NORTH-NORTHEASTWARD AS THE SYSTEM
BEGINS TO ROUND THE STR AXIS WITHIN THE NEXT 12 HOURS. TY FAXAI WILL
MAKE LANDFALL NEAR TAU 6 THEN IS EXPECTED TO ACCELERATE
NORTHEASTWARD AS IT TRACKS BACK OVER THE PACIFIC OCEAN, ALBEIT WITH
COOLER SSTS. GRADUAL WEAKENING IS ANTICIPATED AS THE SYSTEM
APPROACHES THE KANTO PLAIN BUT THE SYSTEM SHOULD MAKE LANDFALL AT
ABOUT 85-90 KNOTS INTENSITY. AFTER TAU 12, INCREASING VWS AND
DIMINISHING OUTFLOW WILL FURTHER WEAKEN THE SYSTEM. AT TAU 24, TY
14W WILL BEGIN EXTRA-TROPICAL TRANSITION (ETT) AS IT ENTERS THE
BAROCLINIC ZONE, COMPLETING ETT BY TAU 48. DYNAMIC MODEL GUIDANCE
REMAINS IN TIGHT AGREEMENT THROUGH TAU 48, LENDING HIGH CONFIDENCE
TO THE JTWC TRACK FORECAST.//
NNNN
--------------------------------------------------------------------------------------
Location: 19.9°N 116.6°E
Maximum Winds: 15 kt
Minimum Central Pressure: 1001 mb
Location: 13.5°N 144.2°E
Maximum Winds: 20 kt
Minimum Central Pressure: 1005 mb
ABPW10 PGTW 080600
1. WESTERN NORTH PACIFIC AREA (180 TO MALAY PENINSULA):
B. TROPICAL DISTURBANCE SUMMARY:
(1) THE AREA OF CONVECTION (INVEST 95W) PREVIOUSLY LOCATED
NEAR 12.7N 149.8E IS NOW LOCATED NEAR 13.5N 144.3E, APPROXIMATELY
23 NM WEST-NORTHWEST OF GUAM. ANIMATED MULTISPECTRAL SATELLITE
IMAGERY DEPICTS A BROAD LOW-LEVEL CIRCULATION (LLC) WITH FLARING,
DISORGANIZED DEEP CONVECTION. A 072337Z AMSU 89GHZ MICROWAVE IMAGE
INDICATES A WEAKLY DEFINED LLC. HOWEVER, A 072338Z ASCAT-B IMAGE
SHOWS A DEFINED, SYMMETRIC CIRCULATION WITH 15-20 KNOT WINDS.
SURFACE OBSERVATIONS FROM PGUM INDICATE SLP NEAR 1005.5MB WITH A 24-
HOUR SLP DECREASE OF 1.6MB. UPPER-LEVEL ANALYSIS INDICATES A
MARGINALLY FAVORABLE ENVIRONMENT WITH MODERATE TO HIGH (20-25 KNOTS)
EASTERLY VERTICAL WIND SHEAR OFFSET BY BROAD DIFFLUENCE. THE MOST
RECENT SOUNDING FROM GUAM SHOWS DEEP EASTERLY FLOW OVER GUAM WITH A
DEEP MOISTURE PROFILE. MAXIMUM SUSTAINED SURFACE WINDS ARE ESTIMATED
AT 15 TO 20 KNOTS. MINIMUM SEA LEVEL PRESSURE IS ESTIMATED TO BE
NEAR 1004 MB. THE POTENTIAL FOR THE DEVELOPMENT OF A SIGNIFICANT
TROPICAL CYCLONE WITHIN THE NEXT 24 HOURS IS UPGRADED TO MEDIUM.
GLOBAL MODELS CONTINUE TO DEVELOP THE SYSTEM QUICKLY AFTER TAU 24 AS
IT TRACKS SLOWLY WESTWARD.
------------------------------------------------------------------------------------------------------------------
Location: 30.3°N 124.9°E
Maximum Winds: 30 kt
Minimum Central Pressure: 1001 mb
ABPW10 PGTW 080600
1. WESTERN NORTH PACIFIC AREA (180 TO MALAY PENINSULA):
B. TROPICAL DISTURBANCE SUMMARY:
(2) THE AREA OF CONVECTION (INVEST 96W) PREVIOUSLY LOCATED
NEAR 27.2N 124.6E IS NOW LOCATED NEAR 28.8N 125.3E, APPROXIMATELY
267 SOUTH-SOUTHWEST OF CHEJU ISLAND, SOUTH KOREA. THIS SYSTEM IS
ASSESSED AS A SUBTROPICAL CYCLONE AND IS LOCATED UNDER A SHARP UPPER-
LEVEL SUBTROPICAL SHORTWAVE TROUGH EVIDENT AT 200MB AND 500MB.
ANIMATED MULTISPECTRAL SATELLITE IMAGERY DEPICTS AN ASYMMETRIC,
EXPOSED LOW-LEVEL CIRCULATION (LLC) WITH FLARING DEEP CONVECTION
SHEARED OVER THE NORTH QUADRANT. A 080454Z AMSR2 36GHZ MICROWAVE
IMAGE REVEALS A BROAD, WEAKLY DEFINED LLC WITH WEAK BANDING
DISPLACED TO THE NORTH. A 080115Z PARTIAL ASCAT IMAGE SHOWS A BROAD
CIRCULATION WITH 25 TO 30 KNOT WINDS OVER THE WESTERN SEMICIRCLE.
UPPER-LEVEL ANALYSIS INDICATES A MARGINAL ENVIRONMENT WITH MODERATE
TO HIGH (20-25 KNOTS) SOUTHERLY VERTICAL WIND SHEAR AND WEAK
POLEWARD DIVERGENCE. GLOBAL MODELS INDICATE THE SUBTROPICAL SYSTEM
SHOULD TRACK POLEWARD WITH GRADUAL DEVELOPMENT BUT A LOW PROBABILITY
FOR TRANSITIONING INTO A WARM-CORE TROPICAL SYSTEM. MAXIMUM
SUSTAINED SURFACE WINDS ARE ESTIMATED AT 25 TO 30 KNOTS. MINIMUM SEA
LEVEL PRESSURE IS ESTIMATED TO BE NEAR 1002 MB. THE POTENTIAL FOR
THE DEVELOPMENT OF A SIGNIFICANT TROPICAL CYCLONE WITHIN THE NEXT 24
HOURS IS UPGRADED TO MEDIUM.
M974World
WESTERN NORTH PACIFICTY FAXAI (14W)
Location: 34.0°N 139.1°E
Maximum Winds: 100 kt ( 185km/h)
Gusts : 125kt ( 230km/h)
Minimum Central Pressure: 952 mb
CATEGORY US: 3
WDPN31 PGTW 081500
MSGID/GENADMIN/JOINT TYPHOON WRNCEN PEARL HARBOR HI//
SUBJ/PROGNOSTIC REASONING FOR TYPHOON 14W (FAXAI) WARNING NR 028//
RMKS/
1. FOR METEOROLOGISTS.
2. 6 HOUR SUMMARY AND ANALYSIS.
TYPHOON (TY) 14W (FAXAI), LOCATED APPROXIMATELY 83 NM SOUTH-
SOUTHWEST OF YOKOSUKA, JAPAN, HAS TRACKED NORTHWARD AT 10 KNOTS
OVER THE PAST SIX HOURS. ANIMATED ENHANCED INFRARED SATELLITE
IMAGERY DEPICTS A 12NM ROUND EYE, WHICH, ALONG WITH HOURLY RADAR
FIXES, SUPPORTS THE CURRENT POSITION WITH HIGH CONFIDENCE. ANIMATED
RADAR IMAGERY SHOWS A WELL-DEFINED EYE FEATURE WITH INTENSE EYEWALL
CONVECTION AND SPIRAL BANDING PUSHING INTO KANTO PLAIN REGION. A
081115Z MHS 89GHZ MICROWAVE IMAGE SHOWS A COMPACT CORE WITH A
BANDING FEATURE EXTENDING OVER THE NORTHERN SEMICIRCLE. THE CURRENT
INTENSITY IS ASSESSED AT 100 KNOTS BASED ON DVORAK CURRENT INTENSITY
ESTIMATES RANGING FROM 5.0-5.5 (90-102 KNOTS). THE CURRENT INTENSITY
ESTIMATE OF 100 KNOTS SUSTAINED GUSTING TO 125 KNOTS IS SUPPORTED BY
RECENT SURFACE WIND OBSERVATIONS FROM KOZUSHIMA (34.2N 139.1E) AND
NIIJIMA (34.4N 139.3E) DURING EYEWALL PASSAGE (1203Z-1251Z), WHICH
INDICATED PEAK 1-MINUTE GUSTS OF 121 KNOTS AND 107 KNOTS,
RESPECTIVELY. ENVIRONMENTAL ANALYSIS INDICATES FAVORABLE CONDITIONS
OF LOW (5-15 KT) VERTICAL WIND SHEAR (VWS), ROBUST RADIAL OUTFLOW,
AND WARM (29-30 CELSIUS) SEA SURFACE TEMPERATURE (SST) VALUES. THE
SYSTEM IS TRACKING ALONG THE WESTERN PERIPHERY OF A DEEP-LAYERED
SUBTROPICAL RIDGE (STR) ENTRENCHED TO THE EAST.
3. FORECAST REASONING.
A. THERE IS NO CHANGE TO THE FORECAST PHILOSOPHY SINCE THE
PREVIOUS PROGNOSTIC REASONING MESSAGE.
B. TY FAXAI IS FORECAST TO TURN NORTH-NORTHEASTWARD AS THE SYSTEM
BEGINS TO ROUND THE STR AXIS WITHIN THE NEXT 12 HOURS. TY FAXAI WILL
MAKE LANDFALL NEAR TAU 6 THEN IS EXPECTED TO ACCELERATE
NORTHEASTWARD AS IT TRACKS BACK OVER THE PACIFIC OCEAN, ALBEIT WITH
COOLER SSTS. GRADUAL WEAKENING IS ANTICIPATED AS THE SYSTEM
APPROACHES THE KANTO PLAIN BUT THE SYSTEM SHOULD MAKE LANDFALL AT
ABOUT 85-90 KNOTS INTENSITY. AFTER TAU 12, INCREASING VWS AND
DIMINISHING OUTFLOW WILL FURTHER WEAKEN THE SYSTEM. AT TAU 24, TY
14W WILL BEGIN EXTRA-TROPICAL TRANSITION (ETT) AS IT ENTERS THE
BAROCLINIC ZONE, COMPLETING ETT BY TAU 48. DYNAMIC MODEL GUIDANCE
REMAINS IN TIGHT AGREEMENT THROUGH TAU 48, LENDING HIGH CONFIDENCE
TO THE JTWC TRACK FORECAST.//
NNNN
--------------------------------------------------------------------------------------
Location: 19.9°N 116.6°E
Maximum Winds: 15 kt
Minimum Central Pressure: 1001 mb
Location: 13.5°N 144.2°E
Maximum Winds: 20 kt
Minimum Central Pressure: 1005 mb
ABPW10 PGTW 080600
1. WESTERN NORTH PACIFIC AREA (180 TO MALAY PENINSULA):
B. TROPICAL DISTURBANCE SUMMARY:
(1) THE AREA OF CONVECTION (INVEST 95W) PREVIOUSLY LOCATED
NEAR 12.7N 149.8E IS NOW LOCATED NEAR 13.5N 144.3E, APPROXIMATELY
23 NM WEST-NORTHWEST OF GUAM. ANIMATED MULTISPECTRAL SATELLITE
IMAGERY DEPICTS A BROAD LOW-LEVEL CIRCULATION (LLC) WITH FLARING,
DISORGANIZED DEEP CONVECTION. A 072337Z AMSU 89GHZ MICROWAVE IMAGE
INDICATES A WEAKLY DEFINED LLC. HOWEVER, A 072338Z ASCAT-B IMAGE
SHOWS A DEFINED, SYMMETRIC CIRCULATION WITH 15-20 KNOT WINDS.
SURFACE OBSERVATIONS FROM PGUM INDICATE SLP NEAR 1005.5MB WITH A 24-
HOUR SLP DECREASE OF 1.6MB. UPPER-LEVEL ANALYSIS INDICATES A
MARGINALLY FAVORABLE ENVIRONMENT WITH MODERATE TO HIGH (20-25 KNOTS)
EASTERLY VERTICAL WIND SHEAR OFFSET BY BROAD DIFFLUENCE. THE MOST
RECENT SOUNDING FROM GUAM SHOWS DEEP EASTERLY FLOW OVER GUAM WITH A
DEEP MOISTURE PROFILE. MAXIMUM SUSTAINED SURFACE WINDS ARE ESTIMATED
AT 15 TO 20 KNOTS. MINIMUM SEA LEVEL PRESSURE IS ESTIMATED TO BE
NEAR 1004 MB. THE POTENTIAL FOR THE DEVELOPMENT OF A SIGNIFICANT
TROPICAL CYCLONE WITHIN THE NEXT 24 HOURS IS UPGRADED TO MEDIUM.
GLOBAL MODELS CONTINUE TO DEVELOP THE SYSTEM QUICKLY AFTER TAU 24 AS
IT TRACKS SLOWLY WESTWARD.
------------------------------------------------------------------------------------------------------------------
Location: 30.3°N 124.9°E
Maximum Winds: 30 kt
Minimum Central Pressure: 1001 mb
ABPW10 PGTW 080600
1. WESTERN NORTH PACIFIC AREA (180 TO MALAY PENINSULA):
B. TROPICAL DISTURBANCE SUMMARY:
(2) THE AREA OF CONVECTION (INVEST 96W) PREVIOUSLY LOCATED
NEAR 27.2N 124.6E IS NOW LOCATED NEAR 28.8N 125.3E, APPROXIMATELY
267 SOUTH-SOUTHWEST OF CHEJU ISLAND, SOUTH KOREA. THIS SYSTEM IS
ASSESSED AS A SUBTROPICAL CYCLONE AND IS LOCATED UNDER A SHARP UPPER-
LEVEL SUBTROPICAL SHORTWAVE TROUGH EVIDENT AT 200MB AND 500MB.
ANIMATED MULTISPECTRAL SATELLITE IMAGERY DEPICTS AN ASYMMETRIC,
EXPOSED LOW-LEVEL CIRCULATION (LLC) WITH FLARING DEEP CONVECTION
SHEARED OVER THE NORTH QUADRANT. A 080454Z AMSR2 36GHZ MICROWAVE
IMAGE REVEALS A BROAD, WEAKLY DEFINED LLC WITH WEAK BANDING
DISPLACED TO THE NORTH. A 080115Z PARTIAL ASCAT IMAGE SHOWS A BROAD
CIRCULATION WITH 25 TO 30 KNOT WINDS OVER THE WESTERN SEMICIRCLE.
UPPER-LEVEL ANALYSIS INDICATES A MARGINAL ENVIRONMENT WITH MODERATE
TO HIGH (20-25 KNOTS) SOUTHERLY VERTICAL WIND SHEAR AND WEAK
POLEWARD DIVERGENCE. GLOBAL MODELS INDICATE THE SUBTROPICAL SYSTEM
SHOULD TRACK POLEWARD WITH GRADUAL DEVELOPMENT BUT A LOW PROBABILITY
FOR TRANSITIONING INTO A WARM-CORE TROPICAL SYSTEM. MAXIMUM
SUSTAINED SURFACE WINDS ARE ESTIMATED AT 25 TO 30 KNOTS. MINIMUM SEA
LEVEL PRESSURE IS ESTIMATED TO BE NEAR 1002 MB. THE POTENTIAL FOR
THE DEVELOPMENT OF A SIGNIFICANT TROPICAL CYCLONE WITHIN THE NEXT 24
HOURS IS UPGRADED TO MEDIUM.
08/1445UTC. JMA












