CLICK ON THE IMAGERIES BELOW TO GET THEM ENLARGED
SOUTH INDIAN OCEAN: TC 21S(OLGA).ESTIMATED INTENSITY IS 100 KNOTS/CAT 3 US AT 07/06UTC: + 50 KNOTS OVER 24 HOURS
2124040506 120S1199E 30
2124040512 122S1200E 30
2124040518 124S1201E 40
2124040600 127S1202E 40
2124040606 132S1203E 50
2124040612 136S1202E 55
2124040618 142S1198E 65
2124040700 145S1194E 80
2124040706 148S1192E 100
2124040512 122S1200E 30
2124040518 124S1201E 40
2124040600 127S1202E 40
2124040606 132S1203E 50
2124040612 136S1202E 55
2124040618 142S1198E 65
2124040700 145S1194E 80
2124040706 148S1192E 100
WARNING 7 ISSUED AT 07/09UTC
CLICK ON THE IMAGERY BELOW TO GET IT ANIMATED AND ENLARGED
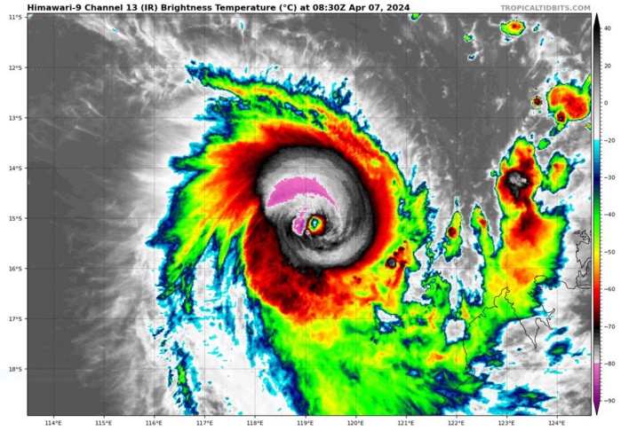
SATELLITE ANALYSIS, INITIAL POSITION AND INTENSITY DISCUSSION: TROPICAL CYCLONE (TC) 21S HAS UNDERGONE EXTREME RAPID INTENSIFICATION (ERI) OVER THE PAST 24 HOURS, FROM 50 KNOTS AT 060600Z TO THE INITIAL INTENSITY OF 100 KNOTS. ANIMATED MULTISPECTRAL SATELLITE IMAGERY (MSI) DEPICTS ASYMMETRIC CORE CONVECTION SURROUNDING AN 8 NM EYE, WITH TROCHOIDAL MOTION EVIDENT OVER THE PAST SIX HOURS. THE INITIAL POSITION IS PLACED WITH HIGH CONFIDENCE BASED ON THE MSI. AS A RESULT OF THE EXTENSIVE DRY AIR AROUND THE PERIPHERY OF THE SYSTEM, A 070520Z ATMS 88.2 GHZ MICROWAVE IMAGE REVEALS A COMPACT CONVECTIVE CORE, WITH LIMITED BANDING OVER THE SOUTHERN QUADRANT. ENVIRONMENTAL CONDITIONS ARE FAVORABLE, WITH LOW VERTICAL WIND SHEAR (VWS), STRONG POLEWARD OUTFLOW AND WARM SST VALUES. HOWEVER, AS EXPECTED, INCREASING NORTHWESTERLY VWS IS BEGINNING TO IMPINGE ON THE WESTERN PERIPHERY OF THE SYSTEM DEGRADING WESTWARD OUTFLOW AS INDICATED IN THE ANIMATED WATER VAPOR IMAGERY. ADDITIONALLY, DRY AIR IS ENTRAINING INTO THE NORTHEASTERN QUADRANT OF THE SYSTEM. THE INITIAL INTENSITY OF 100 KTS IS ASSESSED WITH HIGH CONFIDENCE BASED ON CONCURRENT AGENCY DVORAK ESTIMATES OF T5.5 (102 KNOTS), WITH ADT, AIDT OBJECTIVE INTENSITY ESTIMATES OF 102 AND 104 KNOTS, RESPECTIVELY.
TC Warning Graphic
FORECAST REASONING. SIGNIFICANT FORECAST CHANGES: PEAK INTENSITY HAS BEEN INCREASED SIGNIFICANTLY FROM THE PREVIOUS FORECAST. FORECAST DISCUSSION: TC 21S WILL CONTINUE TRACKING SOUTHWESTWARD TO WEST-SOUTHWESTWARD ALONG THE NORTHWESTERN PERIPHERY OF THE STR THROUGH TAU 96 WHILE RAPIDLY WEAKENING. THE PEAK INTENSITY IS LIKELY OCCURRING NOW OR WITHIN THE NEXT SIX HOURS, WITH INCREASING NORTHWESTERLY VERTICAL WIND SHEAR OF 25 TO 35 KNOTS COMMENCING NEAR TAU 6 THROUGH TAU 12. ADDITIONALLY, SIGNIFICANT DRY AIR ENTRAINMENT WILL BEGIN TO ENVELOP THE SYSTEM WITHIN THE NEXT 12 HOURS. AFTER TAU 12, TC OLGA WILL WEAKEN RAPIDLY AS VWS INCREASES TO 35 TO 45 KNOTS THEN EVEN STRONGER (50 TO 70 KNOTS) VALUES AFTER TAU 48 AS THE SYSTEM TRACKS UNDER STRONG SUBTROPICAL WESTERLIES. AT THE SAME TIME, THE ENVIRONMENT WILL RAPIDLY TRANSITION TO VERY DRY CONDITIONS, WHICH WILL LEAD TO DISSIPATION NO LATER THAN TAU 96.
Late cycle track guidance
MODEL DISCUSSION: NAVGEM REMAINS THE SOLE OUTLIER, WITH A RECURVING TRACK INTO NORTHWESTERN AUSTRALIA. ANALYSIS OF THE NAVGEM FIELDS INDICATES THAT THIS ERRONEOUS, UNLIKELY SOUTHWARD TRACK IS A RESULT OF THE VERY LARGE SIZE OF THE SYSTEM (APPROXIMATELY 600 NM DIAMETER) DEPICTED IN THE MODEL. THE REMAINDER OF THE CONSENSUS TRACK GUIDANCE INDICATES A SOUTHWESTWARD TO WEST-SOUTHWESTWARD TRACK AND IS IN FAIR AGREEMENT, WITH A 140 NM TO 160 NM CROSS-TRACK SPREAD FROM TAU 72 TO TAU 96. THE 061800Z ECMWF ENSEMBLE (EPS) AND 070000Z GFS ENSEMBLE (GEFS) SUPPORT THE JTWC TRACK FORECAST WITH MEDIUM CONFIDENCE, WITH NO SOLUTIONS TRACKING THE SYSTEM OVER NORTHWESTERN AUSTRALIA. RELIABLE INTENSITY GUIDANCE SUPPORTS THE RAPID WEAKENING PHASE OF THE JTWC FORECAST AFTER TAU 12.
TC Ensemble Forecasts: 120H
LATEST DATA INDICATE TC 21S IS STILL INTENSIFYING
PEAK INTENSITY HAS NOT BEEN REACHED YET
UPDATED SATELLITE BULLETIN AT 07/0830UTC
TPXS10 PGTW 070904
A. TROPICAL CYCLONE 21S (OLGA)
B. 07/0830Z
C. 15.13S
D. 119.25E
E. ONE/GK2A
F. T5.5/5.5/D2.0/24HRS STT: S0.0/03HRS
G. IR/EIR/VIS/MSI
H. REMARKS: 07A/PBO IRREG EYE/ANMTN. OW EYE SURROUNDED BY W YIELDS
AN E# OF 6.0. ADDED 0.5 EYE ADJUSTMENT FOR W, TO YIELD A DT OF 6.5.
MET YIELDS 5.0. PT YIELDS 5.5. DBO PT.
I. ADDITIONAL POSITIONS: NONE
FLEWALLEN
A. TROPICAL CYCLONE 21S (OLGA)
B. 07/0830Z
C. 15.13S
D. 119.25E
E. ONE/GK2A
F. T5.5/5.5/D2.0/24HRS STT: S0.0/03HRS
G. IR/EIR/VIS/MSI
H. REMARKS: 07A/PBO IRREG EYE/ANMTN. OW EYE SURROUNDED BY W YIELDS
AN E# OF 6.0. ADDED 0.5 EYE ADJUSTMENT FOR W, TO YIELD A DT OF 6.5.
MET YIELDS 5.0. PT YIELDS 5.5. DBO PT.
I. ADDITIONAL POSITIONS: NONE
FLEWALLEN














