
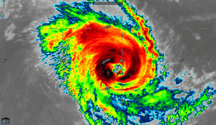
22S(MARIAN). 01/1330UTC. ANIMATED ENHANCED INFRARED SATELLITE IMAGERY INDICATES THAT THE CONVECTIVE CLOUD TOPS HAVE WARMED AND THE EYE HAS BECOME INCREASINGLY RAGGED OVER THE PAST SIX HOURS. CLICK ON THE IMAGERY TO ANIMATE IT.
2021 MAR 01 15UTC #SOUTHERNHEMISPHERE
TC #22S #SOUTHINDIANOCEAN
WARNING 8
As of 12:00 UTC Mar 01, 2021:
Location: 18.3°S 89.5°E
Maximum Winds: 85 kt (160km/h)
Gusts: 105 kt ( 195km/h)
Minimum Central Pressure: 966 mb
CATEGORY US : 2
WEAKENING
LOCATED AT 01/12UTC APPROXIMATELY 1040 KM SOUTHWEST OF COCOS ISLANDS, AUSTRALIA, HAS TRACKED WEST-
SOUTHWESTWARD AT 07 KM/H OVER THE PAST SIX HOURS.
Satellite bulletins are to be found in the comments of this post on JTWC BIS
Cheers,
Patrick Hoareau
Météo974
M974World
Cyclone Class 4
Cheers,PH.
Joint Typhoon Warning Center
TC #22S #SOUTHINDIANOCEAN
WARNING 8
As of 12:00 UTC Mar 01, 2021:
Location: 18.3°S 89.5°E
Maximum Winds: 85 kt (160km/h)
Gusts: 105 kt ( 195km/h)
Minimum Central Pressure: 966 mb
CATEGORY US : 2
WEAKENING
LOCATED AT 01/12UTC APPROXIMATELY 1040 KM SOUTHWEST OF COCOS ISLANDS, AUSTRALIA, HAS TRACKED WEST-
SOUTHWESTWARD AT 07 KM/H OVER THE PAST SIX HOURS.
Satellite bulletins are to be found in the comments of this post on JTWC BIS
Cheers,
Patrick Hoareau
Météo974
M974World
Cyclone Class 4
Cheers,PH.
Joint Typhoon Warning Center

22S(MARIAN). 01/1045UTC. SSMIS 37GHZ MICROWAVE IMAGE SHOWED A WELL DEFINED MICROWAVE EYE FEATURE, WHICH LENT HIGH CONFIDENCE TO THE INITIAL POSITION.

22S(MARIAN). 01/1045UTC. THE 91GHZ IMAGE INDICATED THAT THE SYSTEM HAS BECOME TILTED ALONG THE DOWN-SHEAR AXIS, WITH THE UPPER-LEVEL EYE TILTED TO THE SOUTH FROM THE LOW LEVEL SIGNATURE(IMAGE ABOVE), CONFIRMED BY HWRF CROSS SECTION ANALYSIS..

22S(MARIAN). UPPER-LEVEL DIVERGENCE IS MUCH WEAKER AS THE SYSTEM BECOMES ISOLATED FOR ANY TAP INTO THE DEEP WESTERLIES.