https://www.meteo974.re/M974World_r7.html
https://www.meteo974.re/
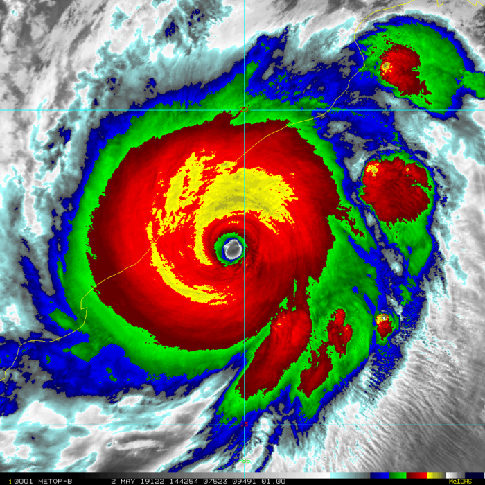
Location: 21.3°N 86.2°E
Maximum Winds: 70 kt ( 130km/h)
Gusts: 85 kt (160km/h)
Minimum Central Pressure: 970 mb
CATEGORY 1 US WEAKENING RAPIDLY
REMARKS:
031500Z POSITION NEAR 21.8N 86.6E.
TROPICAL CYCLONE (TC) 01B (FANI), LOCATED APPROXIMATELY 145 NM WEST-
SOUTHWEST OF KOLKATA, INDIA, HAS TRACKED NORTH-NORTHEASTWARD AT 12
KNOTS (KTS) OVER THE PAST SIX HOURS. THERE IS FAIR CONFIDENCE IN THE
INITIAL POSITION BASED ON ANIMATED ENHANCED INFRARED SATELLITE
IMAGERY WHICH SHOWS WARMING CLOUD TOPS AND SIGNIFICANTLY REDUCED
DEEP CONVECTION. THE INITIAL INTENSITY OF 70 KTS IS BASED ON THE
DEGRADED CLOUD STRUCTURE. THE SYSTEM IS WEAKENING DUE TO LAND
INTERACTION DESPITE OTHERWISE FAVORABLE ENVIRONMENTAL CONDITIONS (5-
10 KTS OF VERTICAL WIND SHEAR AND GOOD RADIAL OUTFLOW). TC 01B IS
EXPECTED TO CONTINUE GENERALLY TRACKING NORTHEASTWARD ALONG THE
PERIPHERY OF A SUBTROPICAL RIDGE TO THE SOUTHEAST UNTIL DISSIPATING
BY TAU 24. NUMERICAL MODEL GUIDANCE IS IN EXCELLENT AGREEMENT,
LENDING TO HIGH CONFIDENCE IN THE JTWC TRACK FORECAST. THIS IS THE
FINAL WARNING ON THIS SYSTEM BY THE JOINT TYPHOON WRNCEN PEARL
HARBOR HI. THE SYSTEM WILL BE CLOSELY MONITORED FOR SIGNS OF
REGENERATION.//
NNNN
JMV FILE/JTWC
0119042518 21N 905E 25
0119042600 26N 905E 25
0119042606 30N 905E 30
0119042612 34N 905E 30
0119042618 39N 903E 30
0119042700 45N 900E 35
0119042706 54N 898E 45
0119042712 62N 893E 45
0119042718 67N 887E 45
0119042800 71N 882E 50
0119042806 73N 883E 50
0119042812 75N 883E 45
0119042818 81N 881E 45
0119042900 88N 878E 45
0119042906 96N 873E 50
0119042912 103N 871E 55
0119042918 110N 868E 65
0119043000 119N 865E 85
0119043006 127N 858E 90
0119043012 132N 848E 95
0119043018 135N 843E 105
0119050100 139N 841E 105
0119050106 142N 841E 105
0119050112 149N 842E 105
0119050118 153N 842E 105
0119050200 158N 846E 110
0119050206 167N 849E 115
0119050212 176N 848E 135
0119050218 182N 850E 135
0119050300 190N 855E 130
0119050306 202N 858E 115
0119050312 213N 862E 70
NNNN
https://www.meteo974.re/
Location: 21.3°N 86.2°E
Maximum Winds: 70 kt ( 130km/h)
Gusts: 85 kt (160km/h)
Minimum Central Pressure: 970 mb
CATEGORY 1 US WEAKENING RAPIDLY
REMARKS:
031500Z POSITION NEAR 21.8N 86.6E.
TROPICAL CYCLONE (TC) 01B (FANI), LOCATED APPROXIMATELY 145 NM WEST-
SOUTHWEST OF KOLKATA, INDIA, HAS TRACKED NORTH-NORTHEASTWARD AT 12
KNOTS (KTS) OVER THE PAST SIX HOURS. THERE IS FAIR CONFIDENCE IN THE
INITIAL POSITION BASED ON ANIMATED ENHANCED INFRARED SATELLITE
IMAGERY WHICH SHOWS WARMING CLOUD TOPS AND SIGNIFICANTLY REDUCED
DEEP CONVECTION. THE INITIAL INTENSITY OF 70 KTS IS BASED ON THE
DEGRADED CLOUD STRUCTURE. THE SYSTEM IS WEAKENING DUE TO LAND
INTERACTION DESPITE OTHERWISE FAVORABLE ENVIRONMENTAL CONDITIONS (5-
10 KTS OF VERTICAL WIND SHEAR AND GOOD RADIAL OUTFLOW). TC 01B IS
EXPECTED TO CONTINUE GENERALLY TRACKING NORTHEASTWARD ALONG THE
PERIPHERY OF A SUBTROPICAL RIDGE TO THE SOUTHEAST UNTIL DISSIPATING
BY TAU 24. NUMERICAL MODEL GUIDANCE IS IN EXCELLENT AGREEMENT,
LENDING TO HIGH CONFIDENCE IN THE JTWC TRACK FORECAST. THIS IS THE
FINAL WARNING ON THIS SYSTEM BY THE JOINT TYPHOON WRNCEN PEARL
HARBOR HI. THE SYSTEM WILL BE CLOSELY MONITORED FOR SIGNS OF
REGENERATION.//
NNNN
JMV FILE/JTWC
0119042518 21N 905E 25
0119042600 26N 905E 25
0119042606 30N 905E 30
0119042612 34N 905E 30
0119042618 39N 903E 30
0119042700 45N 900E 35
0119042706 54N 898E 45
0119042712 62N 893E 45
0119042718 67N 887E 45
0119042800 71N 882E 50
0119042806 73N 883E 50
0119042812 75N 883E 45
0119042818 81N 881E 45
0119042900 88N 878E 45
0119042906 96N 873E 50
0119042912 103N 871E 55
0119042918 110N 868E 65
0119043000 119N 865E 85
0119043006 127N 858E 90
0119043012 132N 848E 95
0119043018 135N 843E 105
0119050100 139N 841E 105
0119050106 142N 841E 105
0119050112 149N 842E 105
0119050118 153N 842E 105
0119050200 158N 846E 110
0119050206 167N 849E 115
0119050212 176N 848E 135
0119050218 182N 850E 135
0119050300 190N 855E 130
0119050306 202N 858E 115
0119050312 213N 862E 70
NNNN







