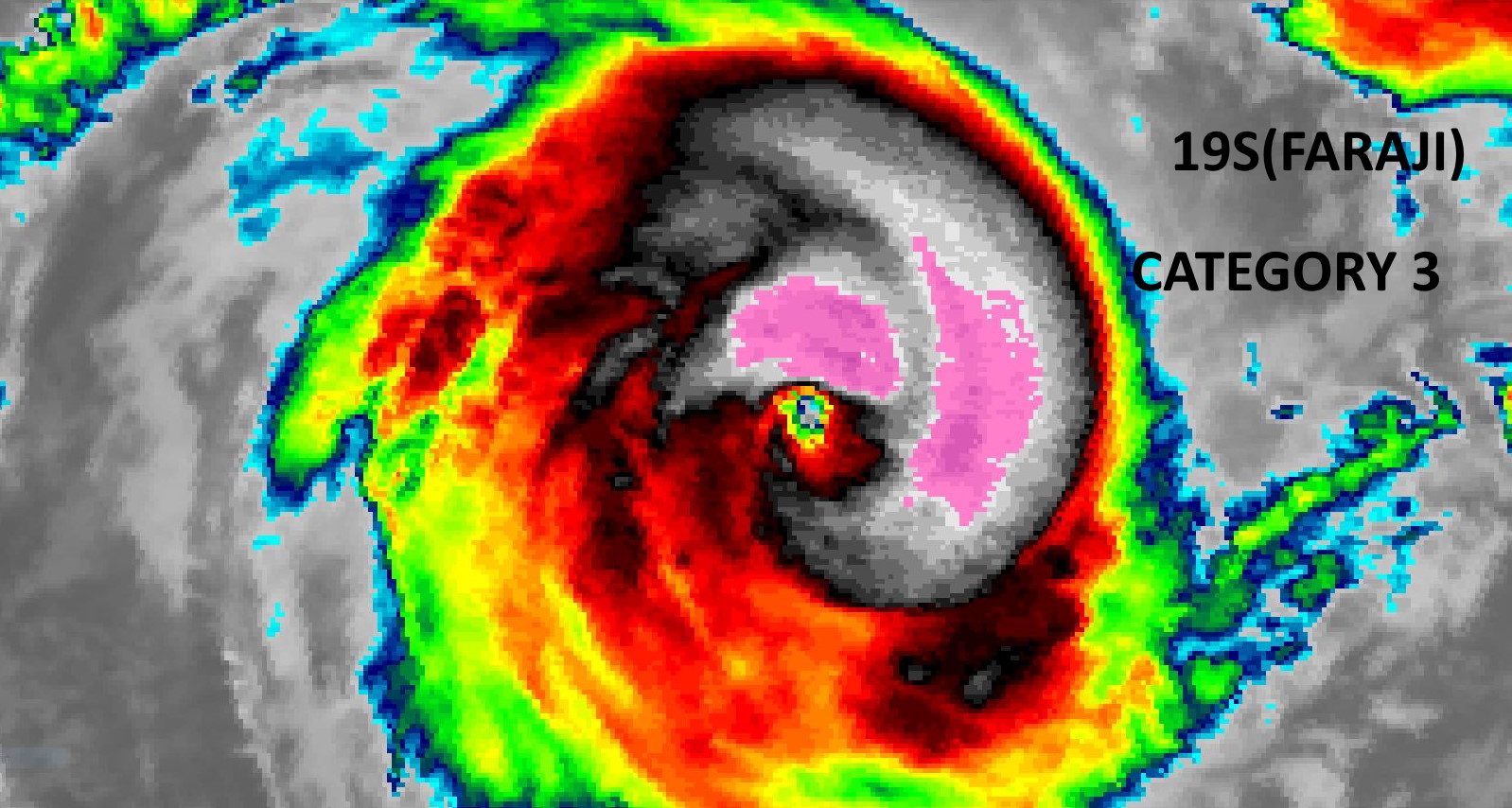
19S(FARAJI). 07/0033UTC. SMAP(NASA) READ 10MINUTE SUSTAINED WINDS OF 88KNOTS. IT MACHED PERFECTLY WELL WITH THE REAL-TIME JTWC INTENSITY ESTIMATE OF 100KNOTS(1 MINUTE AVERAGE).
2021 FEB 07 0650UTC #SOUTHERNHEMISPHERE
TC #19S #FARAJI #SOUTHINDIANOCEAN
UPDATE
As of 00:00 UTC Feb 07, 2021:
Location: 14.9°S 79.7°E
Maximum Winds: 100 kt ( 185km/h)
Gusts: 125 kt ( 230km/h)
Minimum Central Pressure: 960 mb
CATEGORY US: 3
INTENSIFYING RAPIDLY
19S(FARAJI) LOCATED AT 07/00UTC APPROXIMATELY 1210 KM SOUTHEAST OF DIEGO GARCIA, HAS TRACKED SOUTHEASTWARD AT 04 KM/H OVER THE PAST SIX HOURS.
Satellite bulletins are to be found in the comments of this post on JTWC BIS
Cheers,
Patrick Hoareau
Météo974
M974World
Cyclone Class 4
Cheers,PH.
Joint Typhoon Warning Center
TC #19S #FARAJI #SOUTHINDIANOCEAN
UPDATE
As of 00:00 UTC Feb 07, 2021:
Location: 14.9°S 79.7°E
Maximum Winds: 100 kt ( 185km/h)
Gusts: 125 kt ( 230km/h)
Minimum Central Pressure: 960 mb
CATEGORY US: 3
INTENSIFYING RAPIDLY
19S(FARAJI) LOCATED AT 07/00UTC APPROXIMATELY 1210 KM SOUTHEAST OF DIEGO GARCIA, HAS TRACKED SOUTHEASTWARD AT 04 KM/H OVER THE PAST SIX HOURS.
Satellite bulletins are to be found in the comments of this post on JTWC BIS
Cheers,
Patrick Hoareau
Météo974
M974World
Cyclone Class 4
Cheers,PH.
Joint Typhoon Warning Center




