https://www.meteo974.re/M974World_r7.html
https://www.meteo974.re/
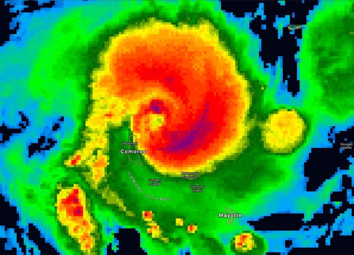
Location: 11.1°S 44.4°E
Maximum Winds: 75 kt ( 140km/h)
Gusts: 90 kt ( 170km/h)
Minimum Central Pressure: mb
REMARKS:
241500Z POSITION NEAR 11.2S 43.9E.
TROPICAL CYCLONE (TC) 24S (KENNETH), LOCATED APPROXIMATELY 73 NM
EAST-NORTHEAST OF COMOROS ISLAND, HAS TRACKED WESTWARD AT 13 KNOTS
(KTS) OVER THE PAST SIX HOURS. ANIMATED MULTISPECTRAL SATELLITE
IMAGERY REVEALS A SYMMETRIC SYSTEM WITH A RING OF DEEP CONVECTION
SURROUNDING AND OBSCURING THE LOW LEVEL CIRCULATION CENTER. THE
INITIAL POSITION IS BASED ON A MICROWAVE EYE FEATURE IN A 241156Z
SSMI 85 GHZ IMAGE WITH HIGH CONFIDENCE. THE INITIAL INTENSITY OF 75
KTS IS CONSISTENT WITH DVORAK FIXES OF T4.5 (77 KTS) FROM PGTW AND
KNES. LOW (10-15 KT) VERTICAL WIND SHEAR, WARM (29-30 CELSIUS) SEA
SURFACE TEMPERATURE, AND RADIAL OUTFLOW ARE VERY SUPPORTIVE OF
INTENSIFICATION. FOR THE DURATION OF THE FORECAST, TC 24S WILL TRACK
ALONG THE NORTHERN PERIPHERY OF A SUBTROPICAL RIDGE. THE INTENSITY
IS EXPECTED TO RAPIDLY INCREASE TO 100 KTS IN THE NEXT 12-18 HOURS
UNDER CONTINUED FAVORABLE ENVIRONMENTAL CONDITIONS AND WITH THE
EXPECTATION THAT AN EYE WILL DEVELOP IN THE NEXT SEVERAL HOURS. JUST
PRIOR TO MAKING LANDFALL ALONG THE NORTHERN MOZAMBIQUE COAST, SOME
WEAKENING IS EXPECTED AS DRIER AIR STARTS TO WRAP IN TOWARD THE
CENTER. AFTER MAKING LANDFALL, TC 24S IS EXPECTED TO RAPIDLY WEAKEN
AND DISSIPATE BY TAU 48. NUMERICAL MODEL GUIDANCE IS IN EXCELLENT
AGREEMENT, LENDING TO HIGH CONFIDENCE IN THE JTWC TRACK FORECAST.
MAXIMUM SIGNIFICANT WAVE HEIGHT AT 241200Z IS 27 FEET. NEXT WARNINGS
AT 242100Z, 250300Z, 250900Z AND 251500Z. REFER TO TROPICAL CYCLONE
25S (LORNA) WARNINGS (WTXS32 PGTW) FOR SIX-HOURLY UPDATES.//
NNNN
https://www.meteo974.re/
Location: 11.1°S 44.4°E
Maximum Winds: 75 kt ( 140km/h)
Gusts: 90 kt ( 170km/h)
Minimum Central Pressure: mb
REMARKS:
241500Z POSITION NEAR 11.2S 43.9E.
TROPICAL CYCLONE (TC) 24S (KENNETH), LOCATED APPROXIMATELY 73 NM
EAST-NORTHEAST OF COMOROS ISLAND, HAS TRACKED WESTWARD AT 13 KNOTS
(KTS) OVER THE PAST SIX HOURS. ANIMATED MULTISPECTRAL SATELLITE
IMAGERY REVEALS A SYMMETRIC SYSTEM WITH A RING OF DEEP CONVECTION
SURROUNDING AND OBSCURING THE LOW LEVEL CIRCULATION CENTER. THE
INITIAL POSITION IS BASED ON A MICROWAVE EYE FEATURE IN A 241156Z
SSMI 85 GHZ IMAGE WITH HIGH CONFIDENCE. THE INITIAL INTENSITY OF 75
KTS IS CONSISTENT WITH DVORAK FIXES OF T4.5 (77 KTS) FROM PGTW AND
KNES. LOW (10-15 KT) VERTICAL WIND SHEAR, WARM (29-30 CELSIUS) SEA
SURFACE TEMPERATURE, AND RADIAL OUTFLOW ARE VERY SUPPORTIVE OF
INTENSIFICATION. FOR THE DURATION OF THE FORECAST, TC 24S WILL TRACK
ALONG THE NORTHERN PERIPHERY OF A SUBTROPICAL RIDGE. THE INTENSITY
IS EXPECTED TO RAPIDLY INCREASE TO 100 KTS IN THE NEXT 12-18 HOURS
UNDER CONTINUED FAVORABLE ENVIRONMENTAL CONDITIONS AND WITH THE
EXPECTATION THAT AN EYE WILL DEVELOP IN THE NEXT SEVERAL HOURS. JUST
PRIOR TO MAKING LANDFALL ALONG THE NORTHERN MOZAMBIQUE COAST, SOME
WEAKENING IS EXPECTED AS DRIER AIR STARTS TO WRAP IN TOWARD THE
CENTER. AFTER MAKING LANDFALL, TC 24S IS EXPECTED TO RAPIDLY WEAKEN
AND DISSIPATE BY TAU 48. NUMERICAL MODEL GUIDANCE IS IN EXCELLENT
AGREEMENT, LENDING TO HIGH CONFIDENCE IN THE JTWC TRACK FORECAST.
MAXIMUM SIGNIFICANT WAVE HEIGHT AT 241200Z IS 27 FEET. NEXT WARNINGS
AT 242100Z, 250300Z, 250900Z AND 251500Z. REFER TO TROPICAL CYCLONE
25S (LORNA) WARNINGS (WTXS32 PGTW) FOR SIX-HOURLY UPDATES.//
NNNN








