https://www.meteo974.re/M974World_r7.html
https://www.facebook.com/groups/1817419381676514/
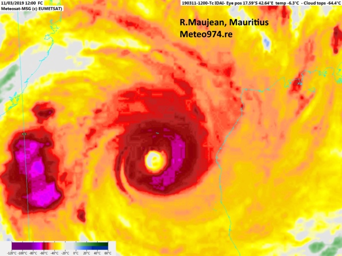
Location: 17.6°S 42.6°E
Maximum Winds: 105 kt ( 195km/h)
Gusts: 130 kt (240km/h)
Minimum Central Pressure: 956mb
CATEGORY 3 US
INTENSIFYING.
REMARKS:
111500Z POSITION NEAR 17.8S 42.5E.
TROPICAL CYCLONE (TC) 18S (IDAI), LOCATED APPROXIMATELY 307 NM NORTH-
NORTHEAST OF EUROPA ISLAND, HAS TRACKED SOUTHWESTWARD AT 05 KNOTS
OVER THE PAST SIX HOURS. ANIMATED MULTISPECTRAL SATELLITE IMAGERY
DEPICTS A COMPACT SYSTEM WITH A 17NM ROUND EYE, WHICH SUPPORTS THE
CURRENT POSITION WITH GOOD CONFIDENCE. THE OVERALL CONVECTIVE
STRUCTURE CONTINUES TO IMPROVE AS INDICATED IN A 111059Z AMSR2 89GHZ
MICROWAVE IMAGE, WHICH SHOWS SPIRAL BANDING WRAPPING INTO A
MICROWAVE EYE FEATURE. THE INITIAL INTENSITY IS ASSESSED AT 105
KNOTS BASED ON DVORAK INTENSITY ESTIMATES OF T5.5 (102 KNOTS) FROM
ALL AGENCIES. UPPER-LEVEL ANALYSIS INDICATES A VERY FAVORABLE
ENVIRONMENT WITH RADIAL OUTFLOW AND LOW VERTICAL WIND SHEAR.
ADDITIONALLY, SST VALUES (29C) AND OCEAN HEAT CONTENT VALUES REMAIN
FAVORABLE THROUGH TAU 36. TC 18S IS LOCATED WITHIN A COMPETING
STEERING ENVIRONMENT WITH A NEAR-EQUATORIAL RIDGE TO THE NORTH AND
NORTHEAST AND A BUILDING SUBTROPICAL RIDGE (STR) TO THE SOUTHWEST.
THE SYSTEM IS FORECAST TO TRACK SOUTHWESTWARD THROUGH TAU 24 AS THE
STR STRENGTHENS. AFTER TAU 24, THE STR WILL BECOME THE DOMINANT
STEERING INFLUENCE AND TC 18S WILL ACCELERATE WEST-SOUTHWESTWARD TO
WESTWARD THROUGH TAU 72. AFTER TAU 72, AS THE STR SHIFTS TO THE
SOUTH, TC IDAI WILL TURN WEST-NORTHWESTWARD AS IT TRACKS ALONG THE
WESTERN PERIPHERY OF THE STR, MAKING LANDFALL OVER MOZAMBIQUE NEAR
TAU 96. TC 18S IS FORECAST TO INTENSIFY UNDER FAVORABLE CONDITIONS
TO A PEAK OF 125 KNOTS BY TAU 24 WITH A GRADUAL WEAKENING TREND FROM
TAU 48 TO TAU 96 AS ENVIRONMENTAL CONDITIONS DEGRADE. RAPID
WEAKENING IS EXPECTED AFTER TAU 96 DUE TO THE INCREASED FRICTIONAL
EFFECTS OVER LAND. DESPITE THE COMPLEX, EVOLVING STEERING
ENVIRONMENT, THE NUMERICAL MODEL GUIDANCE IS IN GOOD AGREEMENT WITH
A SPREAD OF 60NM AT TAU 72. HOWEVER, THERE IS INCREASING UNCERTAINTY
AFTER TAU 72 AS THE MODELS DIVERGE, THEREFORE THERE IS MODERATE
OVERALL CONFIDENCE IN THE JTWC FORECAST TRACK. MAXIMUM SIGNIFICANT
WAVE HEIGHT AT 111200Z IS 27 FEET. NEXT WARNINGS AT 112100Z,
120300Z, 120900Z AND 121500Z.//
NNNN
https://www.facebook.com/groups/1817419381676514/
Location: 17.6°S 42.6°E
Maximum Winds: 105 kt ( 195km/h)
Gusts: 130 kt (240km/h)
Minimum Central Pressure: 956mb
CATEGORY 3 US
INTENSIFYING.
REMARKS:
111500Z POSITION NEAR 17.8S 42.5E.
TROPICAL CYCLONE (TC) 18S (IDAI), LOCATED APPROXIMATELY 307 NM NORTH-
NORTHEAST OF EUROPA ISLAND, HAS TRACKED SOUTHWESTWARD AT 05 KNOTS
OVER THE PAST SIX HOURS. ANIMATED MULTISPECTRAL SATELLITE IMAGERY
DEPICTS A COMPACT SYSTEM WITH A 17NM ROUND EYE, WHICH SUPPORTS THE
CURRENT POSITION WITH GOOD CONFIDENCE. THE OVERALL CONVECTIVE
STRUCTURE CONTINUES TO IMPROVE AS INDICATED IN A 111059Z AMSR2 89GHZ
MICROWAVE IMAGE, WHICH SHOWS SPIRAL BANDING WRAPPING INTO A
MICROWAVE EYE FEATURE. THE INITIAL INTENSITY IS ASSESSED AT 105
KNOTS BASED ON DVORAK INTENSITY ESTIMATES OF T5.5 (102 KNOTS) FROM
ALL AGENCIES. UPPER-LEVEL ANALYSIS INDICATES A VERY FAVORABLE
ENVIRONMENT WITH RADIAL OUTFLOW AND LOW VERTICAL WIND SHEAR.
ADDITIONALLY, SST VALUES (29C) AND OCEAN HEAT CONTENT VALUES REMAIN
FAVORABLE THROUGH TAU 36. TC 18S IS LOCATED WITHIN A COMPETING
STEERING ENVIRONMENT WITH A NEAR-EQUATORIAL RIDGE TO THE NORTH AND
NORTHEAST AND A BUILDING SUBTROPICAL RIDGE (STR) TO THE SOUTHWEST.
THE SYSTEM IS FORECAST TO TRACK SOUTHWESTWARD THROUGH TAU 24 AS THE
STR STRENGTHENS. AFTER TAU 24, THE STR WILL BECOME THE DOMINANT
STEERING INFLUENCE AND TC 18S WILL ACCELERATE WEST-SOUTHWESTWARD TO
WESTWARD THROUGH TAU 72. AFTER TAU 72, AS THE STR SHIFTS TO THE
SOUTH, TC IDAI WILL TURN WEST-NORTHWESTWARD AS IT TRACKS ALONG THE
WESTERN PERIPHERY OF THE STR, MAKING LANDFALL OVER MOZAMBIQUE NEAR
TAU 96. TC 18S IS FORECAST TO INTENSIFY UNDER FAVORABLE CONDITIONS
TO A PEAK OF 125 KNOTS BY TAU 24 WITH A GRADUAL WEAKENING TREND FROM
TAU 48 TO TAU 96 AS ENVIRONMENTAL CONDITIONS DEGRADE. RAPID
WEAKENING IS EXPECTED AFTER TAU 96 DUE TO THE INCREASED FRICTIONAL
EFFECTS OVER LAND. DESPITE THE COMPLEX, EVOLVING STEERING
ENVIRONMENT, THE NUMERICAL MODEL GUIDANCE IS IN GOOD AGREEMENT WITH
A SPREAD OF 60NM AT TAU 72. HOWEVER, THERE IS INCREASING UNCERTAINTY
AFTER TAU 72 AS THE MODELS DIVERGE, THEREFORE THERE IS MODERATE
OVERALL CONFIDENCE IN THE JTWC FORECAST TRACK. MAXIMUM SIGNIFICANT
WAVE HEIGHT AT 111200Z IS 27 FEET. NEXT WARNINGS AT 112100Z,
120300Z, 120900Z AND 121500Z.//
NNNN



















