Benefiting from vigourous poleward outflow and despite only 26°C sea surface temps 02W has become ONE OF THE MOST MEMORABLE cyclones over the past decades and will not be forgotten. An imminent eye-wall replacement cycle should lead to weakening(weakening sat signature recently). More rapid weakening forecast after 36H.
https://www.meteo974.re/M974World_r7.html
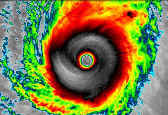
2019 FEB 25 1250UTC WESTERN NORTH PACIFIC STY #WUTIP #02W
This system is currently analysed as a 140knots TC, CAT5 US.
WARNING 25/JTWC
Click on the image to read the Remarks for Warning 25 and view sat pics and charts .
Satellite bulletins are to be found in the comments of this post on JTWC BIS.
As of 06:00 UTC Feb 25, 2019:
Location: 13.8°N 140.2°E
Maximum Winds: 140 kt (260km/h)
Gusts: 170 kt (315km/h)
Minimum Central Pressure: 918 mb
https://www.facebook.com/groups/1817419381676514/
Cheers,
Patrick Hoareau
WDPN31 PGTW 250900
MSGID/GENADMIN/JOINT TYPHOON WRNCEN PEARL HARBOR HI//
SUBJ/PROGNOSTIC REASONING FOR SUPER TYPHOON 02W (WUTIP) WARNING NR
25//
RMKS/
1. FOR METEOROLOGISTS.
2. 6 HOUR SUMMARY AND ANALYSIS.
SUPER TYPHOON (STY) 02W (WUTIP), LOCATED APPROXIMATELY 237 NM
NORTH OF ULITHI, HAS TRACKED NORTH-NORTHWESTWARD AT 04 KNOTS OVER
THE PAST SIX HOURS. STY 02W HAS RAPIDLY INTENSIFIED OVER THE PAST 24
HOURS FROM 105 KNOTS TO THE CURRENT INTENSITY OF 140 KNOTS. ANIMATED
ENHANCED INFRARED SATELLITE IMAGERY DEPICTS AN AXISYMMETRIC, ANNULAR-
LIKE CORE OF DEEP CONVECTION WITH A 25NM ROUND EYE, WHICH SUPPORTS
THE INITIAL POSITION WITH HIGH CONFIDENCE. A 250530Z SSMI 85GHZ
MICROWAVE IMAGE SHOWS IMPROVED SPIRAL BANDING WRAPPING INTO THE
SYMMETRIC EYEWALL. DESPITE THE MARGINALLY FAVORABLE SST VALUES (26
TO 27C) AND LOW OCEAN HEAT CONTENT VALUES, THE SYSTEM HAS MAINTAINED
RADIAL OUTFLOW AND AN UNUSUALLY ROBUST POLEWARD OUTFLOW CHANNEL INTO
A ZONAL JET STREAM TO THE NORTH (AS EVIDENCED BY THE TRANSVERSE
BANDING ALONG THE NORTHERN PERIPHERY OF THE SYSTEM IN THE ANIMATED
WATER VAPOR IMAGERY). THE CURRENT INTENSITY IS ASSESSED AT 140 KNOTS
BASED ON DVORAK INTENSITY ESTIMATES OF T7.0 FROM PGTW AND RJTD AS
WELL AS A 250343Z SATCON ESTIMATE OF 134 KNOTS. STY 02W IS TRACKING
NORTH-NORTHWESTWARD UNDER THE STEERING INFLUENCE OF A DEEP-LAYERED
SUBTROPICAL RIDGE (STR) POSITIONED TO THE NORTHEAST.
3. FORECAST REASONING.
A. THERE IS NO CHANGE TO THE FORECAST PHILOSOPHY SINCE THE
PREVIOUS PROGNOSTIC REASONING MESSAGE. THE INTENSITY FORECAST HAS
OBVIOUSLY BEEN ADJUSTED BASED ON THE RECENT RAPID INTENSIFICATION
PHASE.
B. THROUGH TAU 24, STY 02W IS FORECAST TO TRACK NORTH-
NORTHWESTWARD ALONG THE SOUTHWESTERN PERIPHERY OF THE DEEP-
LAYERED STR TOWARD A BREAK IN THE STR ASSOCIATED WITH A SHORTWAVE
TROUGH PROPAGATING TO THE NORTH. GRADUAL WEAKENING IS EXPECTED DUE
TO AN IMMINENT EYEWALL REPLACEMENT CYCLE SUGGESTED IN THE 250419Z
AMSR2 89GHZ MICROWAVE IMAGE AND UW-CIMSS M-PERC PRODUCT. AFTER TAU
24, THE SHORTWAVE TROUGH IS FORECAST TO SHIFT NORTHEAST ALLOWING AN
EXTENSION OF THE LOW- TO MID-LEVEL STR TO REBUILD TO THE NORTH.
CONSEQUENTLY, STY WUTIP WILL TURN WESTWARD AND ACCELERATE. MORE
SIGNIFICANT WEAKENING IS EXPECTED BY TAU 36 AS VERTICAL WIND SHEAR
(VWS) INCREASES AND SST VALUES DECREASE SLIGHTLY TO 25-26C.
NUMERICAL MODEL GUIDANCE IS IN FAIR AGREEMENT WITH SOME UNCERTAINTY
IN THE TIMING OF THE TURN TO THE WEST.
C. AFTER TAU 72, INCREASING VWS (35-45 KTS) AND CONVERGENCE
ASSOCIATED WITH INCREASING UPPER-LEVEL (200MB) WESTERLIES OVER THE
SYSTEM AS WELL AS DRY AIR ENTRAINMENT ASSOCIATED WITH A NORTHEAST
SURGE EVENT WILL SERVE TO RAPIDLY WEAKEN THE SYSTEM LEADING TO
DISSIPATION BETWEEN TAU 96 AND TAU 120. WITH THE EXCEPTION OF THE
SOLE OUTLIER, JGSM, NUMERICAL MODEL GUIDANCE REMAINS IN GOOD
AGREEMENT WITH A 150NM SPREAD IN SOLUTIONS AT TAU 120. OVERALL,
THERE IS LOW CONFIDENCE (HIGH UNCERTAINTY) IN THE JTWC FORECAST
TRACK DUE TO THE RAPIDLY EVOLVING SYNOPTIC ENVIRONMENT.//
NNNN
https://www.meteo974.re/M974World_r7.html
2019 FEB 25 1250UTC WESTERN NORTH PACIFIC STY #WUTIP #02W
This system is currently analysed as a 140knots TC, CAT5 US.
WARNING 25/JTWC
Click on the image to read the Remarks for Warning 25 and view sat pics and charts .
Satellite bulletins are to be found in the comments of this post on JTWC BIS.
As of 06:00 UTC Feb 25, 2019:
Location: 13.8°N 140.2°E
Maximum Winds: 140 kt (260km/h)
Gusts: 170 kt (315km/h)
Minimum Central Pressure: 918 mb
https://www.facebook.com/groups/1817419381676514/
Cheers,
Patrick Hoareau
WDPN31 PGTW 250900
MSGID/GENADMIN/JOINT TYPHOON WRNCEN PEARL HARBOR HI//
SUBJ/PROGNOSTIC REASONING FOR SUPER TYPHOON 02W (WUTIP) WARNING NR
25//
RMKS/
1. FOR METEOROLOGISTS.
2. 6 HOUR SUMMARY AND ANALYSIS.
SUPER TYPHOON (STY) 02W (WUTIP), LOCATED APPROXIMATELY 237 NM
NORTH OF ULITHI, HAS TRACKED NORTH-NORTHWESTWARD AT 04 KNOTS OVER
THE PAST SIX HOURS. STY 02W HAS RAPIDLY INTENSIFIED OVER THE PAST 24
HOURS FROM 105 KNOTS TO THE CURRENT INTENSITY OF 140 KNOTS. ANIMATED
ENHANCED INFRARED SATELLITE IMAGERY DEPICTS AN AXISYMMETRIC, ANNULAR-
LIKE CORE OF DEEP CONVECTION WITH A 25NM ROUND EYE, WHICH SUPPORTS
THE INITIAL POSITION WITH HIGH CONFIDENCE. A 250530Z SSMI 85GHZ
MICROWAVE IMAGE SHOWS IMPROVED SPIRAL BANDING WRAPPING INTO THE
SYMMETRIC EYEWALL. DESPITE THE MARGINALLY FAVORABLE SST VALUES (26
TO 27C) AND LOW OCEAN HEAT CONTENT VALUES, THE SYSTEM HAS MAINTAINED
RADIAL OUTFLOW AND AN UNUSUALLY ROBUST POLEWARD OUTFLOW CHANNEL INTO
A ZONAL JET STREAM TO THE NORTH (AS EVIDENCED BY THE TRANSVERSE
BANDING ALONG THE NORTHERN PERIPHERY OF THE SYSTEM IN THE ANIMATED
WATER VAPOR IMAGERY). THE CURRENT INTENSITY IS ASSESSED AT 140 KNOTS
BASED ON DVORAK INTENSITY ESTIMATES OF T7.0 FROM PGTW AND RJTD AS
WELL AS A 250343Z SATCON ESTIMATE OF 134 KNOTS. STY 02W IS TRACKING
NORTH-NORTHWESTWARD UNDER THE STEERING INFLUENCE OF A DEEP-LAYERED
SUBTROPICAL RIDGE (STR) POSITIONED TO THE NORTHEAST.
3. FORECAST REASONING.
A. THERE IS NO CHANGE TO THE FORECAST PHILOSOPHY SINCE THE
PREVIOUS PROGNOSTIC REASONING MESSAGE. THE INTENSITY FORECAST HAS
OBVIOUSLY BEEN ADJUSTED BASED ON THE RECENT RAPID INTENSIFICATION
PHASE.
B. THROUGH TAU 24, STY 02W IS FORECAST TO TRACK NORTH-
NORTHWESTWARD ALONG THE SOUTHWESTERN PERIPHERY OF THE DEEP-
LAYERED STR TOWARD A BREAK IN THE STR ASSOCIATED WITH A SHORTWAVE
TROUGH PROPAGATING TO THE NORTH. GRADUAL WEAKENING IS EXPECTED DUE
TO AN IMMINENT EYEWALL REPLACEMENT CYCLE SUGGESTED IN THE 250419Z
AMSR2 89GHZ MICROWAVE IMAGE AND UW-CIMSS M-PERC PRODUCT. AFTER TAU
24, THE SHORTWAVE TROUGH IS FORECAST TO SHIFT NORTHEAST ALLOWING AN
EXTENSION OF THE LOW- TO MID-LEVEL STR TO REBUILD TO THE NORTH.
CONSEQUENTLY, STY WUTIP WILL TURN WESTWARD AND ACCELERATE. MORE
SIGNIFICANT WEAKENING IS EXPECTED BY TAU 36 AS VERTICAL WIND SHEAR
(VWS) INCREASES AND SST VALUES DECREASE SLIGHTLY TO 25-26C.
NUMERICAL MODEL GUIDANCE IS IN FAIR AGREEMENT WITH SOME UNCERTAINTY
IN THE TIMING OF THE TURN TO THE WEST.
C. AFTER TAU 72, INCREASING VWS (35-45 KTS) AND CONVERGENCE
ASSOCIATED WITH INCREASING UPPER-LEVEL (200MB) WESTERLIES OVER THE
SYSTEM AS WELL AS DRY AIR ENTRAINMENT ASSOCIATED WITH A NORTHEAST
SURGE EVENT WILL SERVE TO RAPIDLY WEAKEN THE SYSTEM LEADING TO
DISSIPATION BETWEEN TAU 96 AND TAU 120. WITH THE EXCEPTION OF THE
SOLE OUTLIER, JGSM, NUMERICAL MODEL GUIDANCE REMAINS IN GOOD
AGREEMENT WITH A 150NM SPREAD IN SOLUTIONS AT TAU 120. OVERALL,
THERE IS LOW CONFIDENCE (HIGH UNCERTAINTY) IN THE JTWC FORECAST
TRACK DUE TO THE RAPIDLY EVOLVING SYNOPTIC ENVIRONMENT.//
NNNN
0330UTC



















