https://www.facebook.com/groups/1817419381676514/
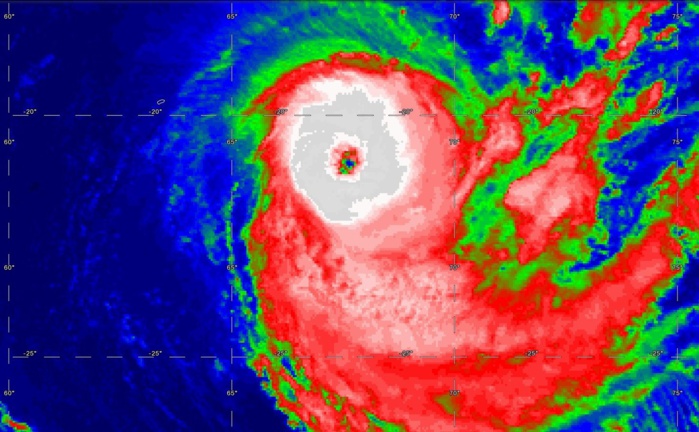
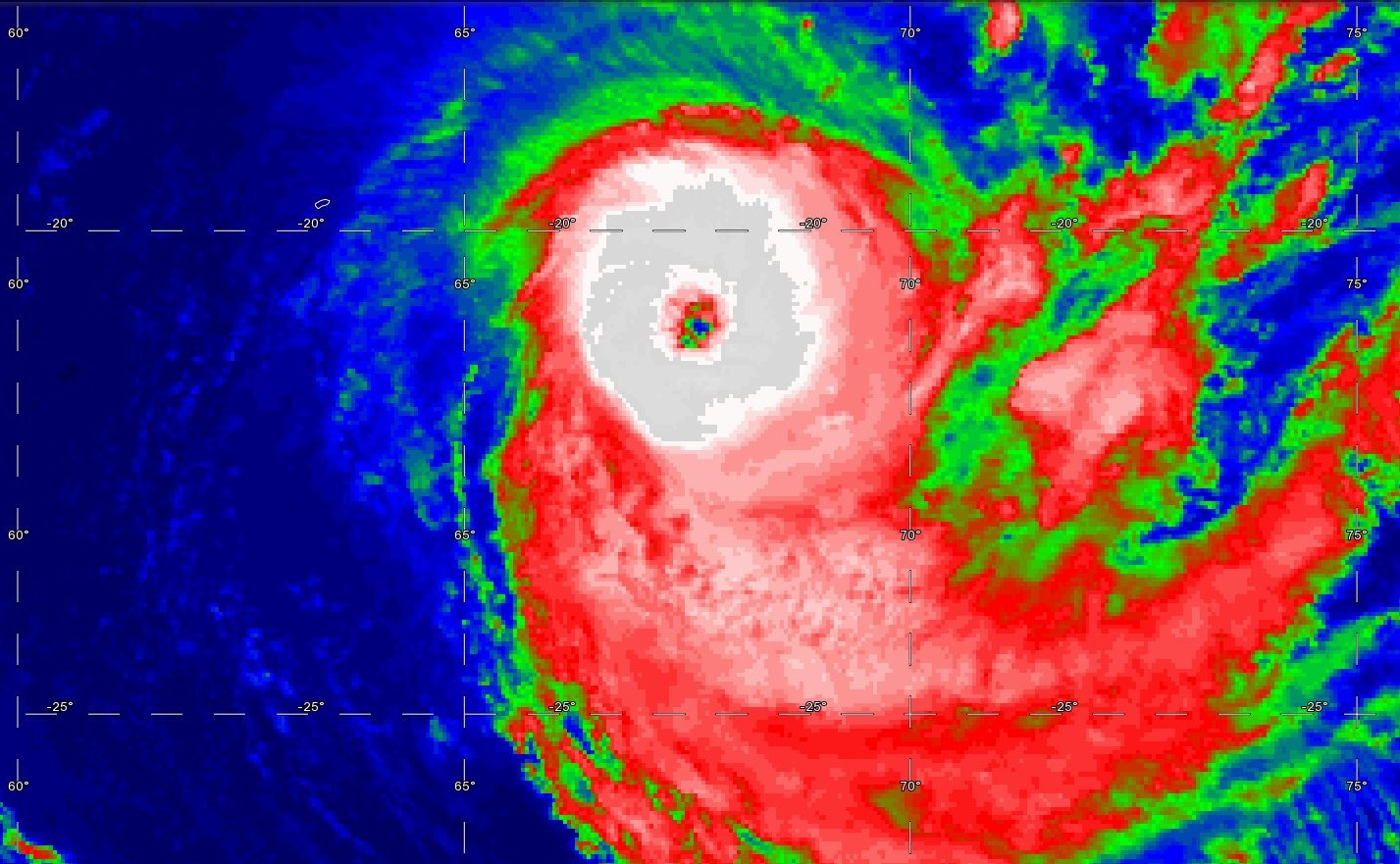
Location: 20.7°S 67.2°E
Maximum Winds: 115 kt (215km/h)
Gusts: 140 kt ( 260km/h)
Minimum Central Pressure: 942 mb
CATEGORY US: 4
REMARKS:
280300Z POSITION NEAR 20.8S 67.3E.
TROPICAL CYCLONE 22S (JOANINHA), LOCATED APPROXIMATELY 220 NM
EAST-SOUTHEAST OF PORT MATHURIN, MAURITIUS, HAS TRACKED SOUTHEASTWARD
AT 03 KNOTS OVER THE PAST SIX HOURS. THE CURRENT POSITION IS BASED ON
A MICROWAVE EYE EVIDENT IN 272247Z SSMIS 37 GHZ IMAGERY. THE
INTENSITY OF 115 KNOTS IS CONSISTENT WITH SUBJECTIVE DVORAK CURRENT
INTENSITY ESTIMATES OF T6.0 FROM PGTW, KNES AND FMEE. TC 22S HAS
MAINTAINED INTENSITY WHILE TRACKING SOUTHEASTWARD OVER THE PAST SIX
HOURS. ANIMATED GEOSTATIONARY SATELLITE IMAGERY SHOWS AN EXPANDING
EYE, NOW ESTIMATED AT AROUND 30 NM IN DIAMETER. STORM INTENSITY HAS
BEEN SUPPORTED BY PASSAGE OVER WARM WATER AND STRONG OUTFLOW ALOFT,
ENHANCED BY AN UPPER-LEVEL LOW TO THE EAST. DURING THE FORECAST
PERIOD, INCREASING WESTERLY VERTICAL WIND SHEAR ASSOCIATED WITH A
MIDLATITUDE TROUGH APPROACHING FROM THE SOUTHWEST WILL LIKELY DRIVE
STEADY WEAKENING AS TC 22S TRACKS POLEWARD ALONG THE PERIPHERY OF A
SUBTROPICAL STEERING RIDGE TO THE EAST. BY TAU 96, TC 22S IS EXPECTED
TO MERGE WITH AN AREA OF LOW PRESSURE CUT OFF FROM THE MIDLATITUDE
WESTERLY JET AND UNDERGO SUBTROPICAL TRANSITION. THE MAJORITY OF
NUMERICAL MODEL TRACK FORECASTS ARE IN GOOD AGREEMENT REGARDING THE
OVERALL FORECAST SCENARIO. HOWEVER, THE UKMET AND GALWEM SOLUTIONS
CONTINUE TO DEPICT A SLOWER POLEWARD TRACK AND TRANSITION THAN THE
OTHER CONSENSUS GUIDANCE, AND THE HWRF AND COAMPS-TC DEPICT A TRACK
FARTHER TO THE EST OF THE PRIMARY GROUPING. THE CURRENT JTWC TRACK
FORECAST IS CONSISTENT WITH THE PRIMARY GROUPING, CONSISTING OF THE
NCEP, ECMWF AND NAVGEM MODELS, AS WELL AS THE MULTI-MODEL CONSENSUS
AND PREVIOUS FORECAST. GIVEN THE NOTED, PERSISTENT MODEL SPREAD,
CONFIDENCE IN THE CURRENT TRACK FORECAST IS LOW. MAXIMUM SIGNIFICANT
WAVE HEIGHT AT 280000Z IS 44 FEET. NEXT WARNINGS AT 280900Z, 281500Z,
282100Z AND 290300Z.//
NNNN
Location: 20.7°S 67.2°E
Maximum Winds: 115 kt (215km/h)
Gusts: 140 kt ( 260km/h)
Minimum Central Pressure: 942 mb
CATEGORY US: 4
REMARKS:
280300Z POSITION NEAR 20.8S 67.3E.
TROPICAL CYCLONE 22S (JOANINHA), LOCATED APPROXIMATELY 220 NM
EAST-SOUTHEAST OF PORT MATHURIN, MAURITIUS, HAS TRACKED SOUTHEASTWARD
AT 03 KNOTS OVER THE PAST SIX HOURS. THE CURRENT POSITION IS BASED ON
A MICROWAVE EYE EVIDENT IN 272247Z SSMIS 37 GHZ IMAGERY. THE
INTENSITY OF 115 KNOTS IS CONSISTENT WITH SUBJECTIVE DVORAK CURRENT
INTENSITY ESTIMATES OF T6.0 FROM PGTW, KNES AND FMEE. TC 22S HAS
MAINTAINED INTENSITY WHILE TRACKING SOUTHEASTWARD OVER THE PAST SIX
HOURS. ANIMATED GEOSTATIONARY SATELLITE IMAGERY SHOWS AN EXPANDING
EYE, NOW ESTIMATED AT AROUND 30 NM IN DIAMETER. STORM INTENSITY HAS
BEEN SUPPORTED BY PASSAGE OVER WARM WATER AND STRONG OUTFLOW ALOFT,
ENHANCED BY AN UPPER-LEVEL LOW TO THE EAST. DURING THE FORECAST
PERIOD, INCREASING WESTERLY VERTICAL WIND SHEAR ASSOCIATED WITH A
MIDLATITUDE TROUGH APPROACHING FROM THE SOUTHWEST WILL LIKELY DRIVE
STEADY WEAKENING AS TC 22S TRACKS POLEWARD ALONG THE PERIPHERY OF A
SUBTROPICAL STEERING RIDGE TO THE EAST. BY TAU 96, TC 22S IS EXPECTED
TO MERGE WITH AN AREA OF LOW PRESSURE CUT OFF FROM THE MIDLATITUDE
WESTERLY JET AND UNDERGO SUBTROPICAL TRANSITION. THE MAJORITY OF
NUMERICAL MODEL TRACK FORECASTS ARE IN GOOD AGREEMENT REGARDING THE
OVERALL FORECAST SCENARIO. HOWEVER, THE UKMET AND GALWEM SOLUTIONS
CONTINUE TO DEPICT A SLOWER POLEWARD TRACK AND TRANSITION THAN THE
OTHER CONSENSUS GUIDANCE, AND THE HWRF AND COAMPS-TC DEPICT A TRACK
FARTHER TO THE EST OF THE PRIMARY GROUPING. THE CURRENT JTWC TRACK
FORECAST IS CONSISTENT WITH THE PRIMARY GROUPING, CONSISTING OF THE
NCEP, ECMWF AND NAVGEM MODELS, AS WELL AS THE MULTI-MODEL CONSENSUS
AND PREVIOUS FORECAST. GIVEN THE NOTED, PERSISTENT MODEL SPREAD,
CONFIDENCE IN THE CURRENT TRACK FORECAST IS LOW. MAXIMUM SIGNIFICANT
WAVE HEIGHT AT 280000Z IS 44 FEET. NEXT WARNINGS AT 280900Z, 281500Z,
282100Z AND 290300Z.//
NNNN













