Zinfos974  
   
2019 SEPTEMBRE 01 15h REUNION
   
Bonjour toutes et tous!
   
NB: voir la vidéo explicative en bas de page avec une animation satellite impressionnante de l'oeil.
   
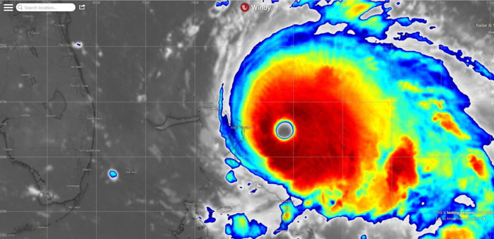
L'ouragan DORIAN classé en catégorie 4 est estimé avec des rafales pouvant atteindre 300km/h près de l'oeil en mer.
Cela le classe au premier stade de "Super Cyclone" et juste en dessous du stade de cyclone très intense .
   
DORIAN est le 4è système (seulement) au niveau mondial à atteindre le stade de "Super Cyclone" depuis janvier 2019.
   
A 10heures/Réunion l'oeil était positionné à 140km à l'Est des îles Nord des Bahamas que sont les îles Abaco et Grand Bahama.
Il se déplace lentement vers ces îles qu'il devrait frapper à pleine puissance dans le courant de la nuit prochaine pour nous.
Ces îles sont en alerte maximale.
En dehors des vents extrêmes le plus grand danger vient de la mer qui pourrait envahir plusieurs régions de l'archipel.
   
Le danger est d'autant plus important pour les Bahamas que le météore se déplace lentement et va même probablement rester presque stationnaire à proximité Nord des îles lundi ce qui prolongera la période cyclonique .
   
Ensuite l'ouragan devrait commencer à s'éloigner lentement des Bahamas et longer les côtes de la Floride à une distance voisine de 100km. Tout en restant puissant il devrait néanmoins commencer à s'affaiblir évoluant alors sur des eaux un peu plus fraîches en profondeur.
   
L'incertitude reste réelle quant à la prévision de la trajectoire à proximité des côtes américaines. Les modèles fluctuent et ceux qui offraient une simulation relativement optimiste à distance des côtes ne cessent de changer de tendance.
   
Les alertes ont été mises en place pour la Floride même si elles ne sont pas encore maximales compte tenu de l'incertitude au niveau de la prévision .
   
NB: voir la vidéo explicative en bas de page avec une animation satellite impressionnante de l'oeil.
   
Je ferai un nouveau point sur DORIAN au plus tard demain matin.
   
Patrick Hoareau.
			 2019 SEPTEMBRE 01 15h REUNION
Bonjour toutes et tous!
NB: voir la vidéo explicative en bas de page avec une animation satellite impressionnante de l'oeil.
L'ouragan DORIAN classé en catégorie 4 est estimé avec des rafales pouvant atteindre 300km/h près de l'oeil en mer.
Cela le classe au premier stade de "Super Cyclone" et juste en dessous du stade de cyclone très intense .
DORIAN est le 4è système (seulement) au niveau mondial à atteindre le stade de "Super Cyclone" depuis janvier 2019.
A 10heures/Réunion l'oeil était positionné à 140km à l'Est des îles Nord des Bahamas que sont les îles Abaco et Grand Bahama.
Il se déplace lentement vers ces îles qu'il devrait frapper à pleine puissance dans le courant de la nuit prochaine pour nous.
Ces îles sont en alerte maximale.
En dehors des vents extrêmes le plus grand danger vient de la mer qui pourrait envahir plusieurs régions de l'archipel.
Le danger est d'autant plus important pour les Bahamas que le météore se déplace lentement et va même probablement rester presque stationnaire à proximité Nord des îles lundi ce qui prolongera la période cyclonique .
Ensuite l'ouragan devrait commencer à s'éloigner lentement des Bahamas et longer les côtes de la Floride à une distance voisine de 100km. Tout en restant puissant il devrait néanmoins commencer à s'affaiblir évoluant alors sur des eaux un peu plus fraîches en profondeur.
L'incertitude reste réelle quant à la prévision de la trajectoire à proximité des côtes américaines. Les modèles fluctuent et ceux qui offraient une simulation relativement optimiste à distance des côtes ne cessent de changer de tendance.
Les alertes ont été mises en place pour la Floride même si elles ne sont pas encore maximales compte tenu de l'incertitude au niveau de la prévision .
NB: voir la vidéo explicative en bas de page avec une animation satellite impressionnante de l'oeil.
Je ferai un nouveau point sur DORIAN au plus tard demain matin.
Patrick Hoareau.
				 
					 Les modèles continuent de fluctuer dans leurs simulations ce qui rend la prévision de trajectoire toujours assez incertaine.
				 
			 




