
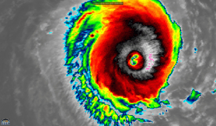
24S(HABANA). 11/09UTC. 9H ANIMATION. THE SYSTEM HAS COMPLETED AN EYEWALL REPLACEMENT CYCLE AS THE NEW RAGGED EYE HAS SHRUNK TO APPROXIMATELY 33KM.THE SYSTEM REMAINS COMPACT AND SYMMETRICAL.11/0830UTC SATELLITE BULLETIN FROM JTWC INDICATES A SHORT-TERM GAIN IN ORGANIZATION FROM 11/06UTC WITH DVORAK BEING AT 6.5/6.5 +0.5/3HOURS. CLICK ON THE IMAGERY TO ANIMATE IF NEEDED.
2021 MAR 11 10UTC #SOUTHERNHEMISPHERE
WARNING 15/UPDATE
As of 09:00 UTC Mar 11, 2021:
Location: 17.7°S 73.9°E
Maximum Winds( AT 11/06UTC): 125 kt (230km/h)
Gusts: 150 kt ( 280km/h)
Minimum Central Pressure: 935 mb
CATEGORY US: 4
LOCATED AT 11/09UTC APPROXIMATELY 1130KM EAST-NORTHEAST OF RODRIGUES ISLAND, MAURITIUS, HAS TRACKED WEST-SOUTHWESTWARD AT 13KM/H OVER THE PAST NINE HOURS.
Satellite bulletins are to be found in the comments of this post on JTWC BIS
Cheers,
Patrick Hoareau
M974World
ILES SOEURS
Cyclone Class 4
Cheers,PH.
Joint Typhoon Warning Center

24S(HABANA). WARNING 15 ISSUED AT 11/09UTC. ANALYSIS INDICATES LOW (10-15KT) VERTICAL WIND SHEAR ALOFT AND WARM (28-29C) SEA SURFACE TEMPERATURES. HOWEVER, TOTAL PRECIPITABLE WATER ANIMATION ALSO INDICATES COLD DRY AIR HAS BEGUN TO INTRUDE TOWARD THE CENTER AND THE RADIAL UPPER LEVEL OUTFLOW HAS BEGUN TO DIMINISH, AS EVIDENCED IN A WATER VAPOR SATELLITE IMAGERY LOOP. THESE TWO DYNAMICS WILL MAINLY BE RESPONSIBLE FOR THE SLOW WEAKENING IN THE NEAR- TO MID- TERM PORTION OF THE FORECAST. TC 24S WILL TRACK WEST-SOUTHWESTWARD THEN SOUTHWESTWARD ALONG THE NORTHERN PERIPHERY OF THE SUBTROPICAL RIDGE (STR) TO THE SOUTH. AFTER 36H, AS THE STR RECEDES EASTWARD AND REORIENTS, THE CYCLONE WILL TRACK MORE SOUTHWARD THEN SOUTHEASTWARD. THE GRADUAL WEAKENING CAUSED BY COOL DRY AIR INTRUSION AND MINIMIZED UPPER LEVEL OUTFLOW WILL BECOME MORE RAPID AFTER 48H AS THE SYSTEM SLOWS DOWN SIGNIFICANTLY, CAUSING LOCALIZED UPWELLING RESULTING IN COOLER SSTS. BY 120H, TC HABANA WILL BE REDUCED TO 55KTS.

24S(HABANA). NUMERICAL MODELS ARE IN GOOD AGREEMENT UP TO 36H. AFTERWARD, THE SOLUTIONS SIGNIFICANTLY DIVERGE AS A SECONDARY SUBTROPICAL RIDGE TO THE SOUTHWEST APPROACHES AND COMPETES FOR STEERING, RESULTING IN A QUASI-STATIONARY STORM MOTION. THEREFORE, THERE IS HIGH CONFIDENCE IN THE JTWC TRACK FORECAST UP TO 48H; AFTERWARD, LOW CONFIDENCE.

24S(HABANA). 11/06UTC. CIMSS Vertical Shear Magnitude : 4.5 m/s ( 8.7 kts) Direction : 99.2 deg Experimental Vertical Shear and TC Intensity Trend Estimates: UNFAVOURABLE OVER 24H