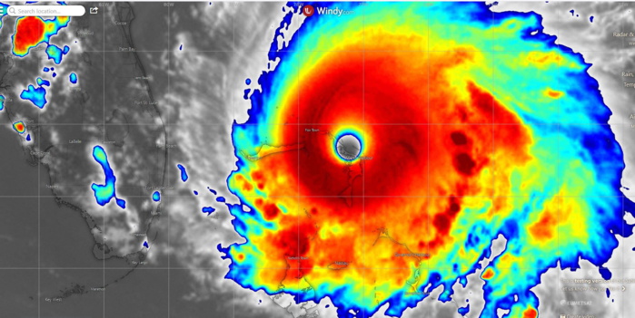
L'oeil de DORIAN au stade de cyclone très intense passe actuellement au plus près de Marsh Harbour/Bahamas.
Zinfos974
2019 SEPTEMBRE 02 00h15 REUNION
Bonsoir toutes et tous!
NB: animation satellite en bas de page.
L'ouragan DORIAN s'est encore intensifié comme je le suggérais dans la vidéo de ma précédente publication: ICI
Les reconnaissances aériennes ne laissent aucune place au doute. Une rafale de 325km/h a été mesurée proche de la surface alors que des vents soutenus de 290 à 315km/h ont été mesurés par les sondes lâchées depuis les fameux avions de reconnaissances.
DORIAN est à présent en catégorie maximale soit la 5 ou encore en Super Cyclone, cyclone très intense.
Selon le National Hurricane Center( NHC) DORIAN est le plus puissant cyclone dans les archives à impacter le Nord-Ouest des Bahamas.
DORIAN est le 4è système (total assez faible par rapport à la normale) au niveau mondial à atteindre le stade de "Super Cyclone" depuis janvier 2019.
A 16heures/Réunion l'oeil était positionné à 60km à l'Est de Marsh Harbour des îles Bahamas.
Les images satellites récentes montrent l'oeil sur Marsh Harbour.
Les Bahamas sont en alerte maximale et subissent actuellement ce système extrêmement puissant qui fait craindre le pire.
En dehors des vents extrêmes le plus grand danger vient de la mer qui pourrait envahir plusieurs régions de l'archipel.
Le danger est d'autant plus important pour les Bahamas que le météore se déplace lentement et va même probablement rester presque stationnaire à proximité Nord des îles lundi ce qui prolongera la période cyclonique .
Je ferai un nouveau point sur DORIAN au plus tard lundi en fin de matinée.
Patrick Hoareau.
2019 SEPTEMBRE 02 00h15 REUNION
Bonsoir toutes et tous!
NB: animation satellite en bas de page.
L'ouragan DORIAN s'est encore intensifié comme je le suggérais dans la vidéo de ma précédente publication: ICI
Les reconnaissances aériennes ne laissent aucune place au doute. Une rafale de 325km/h a été mesurée proche de la surface alors que des vents soutenus de 290 à 315km/h ont été mesurés par les sondes lâchées depuis les fameux avions de reconnaissances.
DORIAN est à présent en catégorie maximale soit la 5 ou encore en Super Cyclone, cyclone très intense.
Selon le National Hurricane Center( NHC) DORIAN est le plus puissant cyclone dans les archives à impacter le Nord-Ouest des Bahamas.
DORIAN est le 4è système (total assez faible par rapport à la normale) au niveau mondial à atteindre le stade de "Super Cyclone" depuis janvier 2019.
A 16heures/Réunion l'oeil était positionné à 60km à l'Est de Marsh Harbour des îles Bahamas.
Les images satellites récentes montrent l'oeil sur Marsh Harbour.
Les Bahamas sont en alerte maximale et subissent actuellement ce système extrêmement puissant qui fait craindre le pire.
En dehors des vents extrêmes le plus grand danger vient de la mer qui pourrait envahir plusieurs régions de l'archipel.
Le danger est d'autant plus important pour les Bahamas que le météore se déplace lentement et va même probablement rester presque stationnaire à proximité Nord des îles lundi ce qui prolongera la période cyclonique .
Je ferai un nouveau point sur DORIAN au plus tard lundi en fin de matinée.
Patrick Hoareau.
DORIAN il y a quelques heures quand l'oeil était en approche de Marsh Harbour. Vu par GOES avec les premières images dans le visible.



