TC HALEH 17S
https://www.facebook.com/groups/1817419381676514/
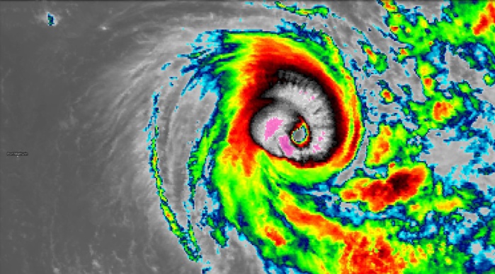
As of 18:00 UTC Mar 04, 2019:
Location: 19.1°S 72.5°E
Maximum Winds: 115 kt (215km/h)
Gusts: 140 kt (260km/h)
Minimum Central Pressure: 937 mb
REMARKS:
042100Z POSITION NEAR 19.4S 72.3E.
TROPICAL CYCLONE (TC) 17S (HALEH), LOCATED APPROXIMATELY 720 NM SOUTH
OF DIEGO GARCIA, HAS TRACKED SOUTH-SOUTHWESTWARD AT 04 KNOTS OVER
THE PAST SIX HOURS. ANIMATED ENHANCED INFRARED (EIR) SATELLITE
IMAGERY SHOWS THE 25-30 NM WIDE EYE HAS PERSISTED FOR THE PAST SIX
HOURS AND THE CLOUD FIELD HAS REMAINED FAIRLY SYMMETRIC. THE INITIAL
POSITION IS BASED, WITH HIGH CONFIDENCE, ON THE EYE FOUND IN THE EIR
LOOP AND A 041600Z METOP-A ASCAT PASS. THE INITIAL INTENSITY OF 115
KTS IS CONSISTENT WITH MULTI-AGENCY DVORAK CURRENT INTENSITY
ESTIMATES OF T6.0 (115 KTS) AND A 041707Z SATCON ESTIMATE OF 116
KTS. THE ENVIRONMENT IS FAVORABLE WITH EXCELLENT POLEWARD OUTFLOW,
LOW (10-15 KT) VERTICAL WIND SHEAR (VWS), AND WARM (28-29 CELSIUS)
SEA SURFACE TEMPERATURES (SST). TC 17S WILL CONTINUE TO TRACK SOUTH-
SOUTHWESTWARD AS A NEAR-EQUATORIAL RIDGE (NER) BUILDS IN TO ITS
NORTHEAST AND THE SUBTROPICAL RIDGE (STR) TO ITS SOUTH SHIFTS
EASTWARD. THE ENVIRONMENT IS EXPECTED TO REMAIN VERY FAVORABLE
THROUGH TAU 36, AT WHICH POINT VWS INCREASES AND SST DECREASES
ABRUPTLY THROUGH THE REMAINDER OF THE FORECAST, CORRELATING WITH A
STEADY INTENSITY DROP TO 55 KTS AT 120 HOURS. EXTRATROPICAL
TRANSITION IS EXPECTED TO BEGIN AFTER TAU 72 (PAST 30 DEGREES SOUTH)
AS TC 17S PASSES THE 26 DEGREE SST ISOTHERM BEFORE IT MEETS AN
APPROACHING TROUGH FROM THE WEST, PULLING ITS TRACK EASTWARD
AFTER TAU 96. NUMERICAL MODEL GUIDANCE IS IN GOOD AGREEMENT THROUGH
96 HOURS, HOWEVER, THE TIMING OF THE RECURVATURE TO THE EAST AFTER
THIS POINT VARIES BY MODEL DEPENDING ON HOW THE MODELS PORTRAY THE
PASSING OF THE TROUGH. MAXIMUM SIGNIFICANT WAVE HEIGHT AT 041800Z IS
35 FEET. NEXT WARNINGS AT 050300Z, 050900Z, 051500Z AND 052100Z.//
NNNN
https://www.facebook.com/groups/1817419381676514/
As of 18:00 UTC Mar 04, 2019:
Location: 19.1°S 72.5°E
Maximum Winds: 115 kt (215km/h)
Gusts: 140 kt (260km/h)
Minimum Central Pressure: 937 mb
REMARKS:
042100Z POSITION NEAR 19.4S 72.3E.
TROPICAL CYCLONE (TC) 17S (HALEH), LOCATED APPROXIMATELY 720 NM SOUTH
OF DIEGO GARCIA, HAS TRACKED SOUTH-SOUTHWESTWARD AT 04 KNOTS OVER
THE PAST SIX HOURS. ANIMATED ENHANCED INFRARED (EIR) SATELLITE
IMAGERY SHOWS THE 25-30 NM WIDE EYE HAS PERSISTED FOR THE PAST SIX
HOURS AND THE CLOUD FIELD HAS REMAINED FAIRLY SYMMETRIC. THE INITIAL
POSITION IS BASED, WITH HIGH CONFIDENCE, ON THE EYE FOUND IN THE EIR
LOOP AND A 041600Z METOP-A ASCAT PASS. THE INITIAL INTENSITY OF 115
KTS IS CONSISTENT WITH MULTI-AGENCY DVORAK CURRENT INTENSITY
ESTIMATES OF T6.0 (115 KTS) AND A 041707Z SATCON ESTIMATE OF 116
KTS. THE ENVIRONMENT IS FAVORABLE WITH EXCELLENT POLEWARD OUTFLOW,
LOW (10-15 KT) VERTICAL WIND SHEAR (VWS), AND WARM (28-29 CELSIUS)
SEA SURFACE TEMPERATURES (SST). TC 17S WILL CONTINUE TO TRACK SOUTH-
SOUTHWESTWARD AS A NEAR-EQUATORIAL RIDGE (NER) BUILDS IN TO ITS
NORTHEAST AND THE SUBTROPICAL RIDGE (STR) TO ITS SOUTH SHIFTS
EASTWARD. THE ENVIRONMENT IS EXPECTED TO REMAIN VERY FAVORABLE
THROUGH TAU 36, AT WHICH POINT VWS INCREASES AND SST DECREASES
ABRUPTLY THROUGH THE REMAINDER OF THE FORECAST, CORRELATING WITH A
STEADY INTENSITY DROP TO 55 KTS AT 120 HOURS. EXTRATROPICAL
TRANSITION IS EXPECTED TO BEGIN AFTER TAU 72 (PAST 30 DEGREES SOUTH)
AS TC 17S PASSES THE 26 DEGREE SST ISOTHERM BEFORE IT MEETS AN
APPROACHING TROUGH FROM THE WEST, PULLING ITS TRACK EASTWARD
AFTER TAU 96. NUMERICAL MODEL GUIDANCE IS IN GOOD AGREEMENT THROUGH
96 HOURS, HOWEVER, THE TIMING OF THE RECURVATURE TO THE EAST AFTER
THIS POINT VARIES BY MODEL DEPENDING ON HOW THE MODELS PORTRAY THE
PASSING OF THE TROUGH. MAXIMUM SIGNIFICANT WAVE HEIGHT AT 041800Z IS
35 FEET. NEXT WARNINGS AT 050300Z, 050900Z, 051500Z AND 052100Z.//
NNNN

















