2019 Fev 09 17h20 Mascareignes
Bon après midi les Ziles
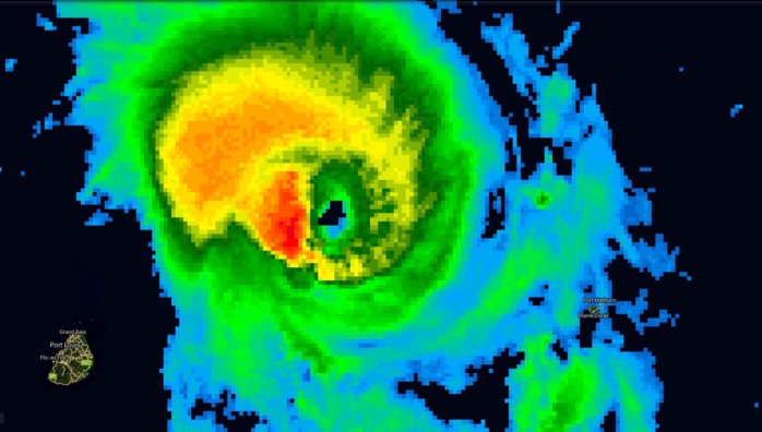
1: le cyclone intense GELENA(13S) se trouvait à 330km de Plaine Corail à 16h. Il se rapproche rapidement.
2: voir ma vidéo ci-dessous.
Courage et soyez prudents.
Liens récents:
https://www.meteo974.re/15h45-les-alertes-enfin-levees-a-Maurice_a266.html
https://www.meteo974.re/13h-RODRIGUES-en-alerte-3_a265.html
https://www.meteo974.re/Le-sable-et-les-parasols-s-envolent-sur-les-plages-de-la-Reunion-averses-a-Maurice-VIDEO_a263.html
https://www.meteo974.re/07h-Cyclone-intense-GELENA-passage-prevu-a-270-km-de-Maurice-et-se-rapproche-de-Rodrigues-VIDEO_a262.html
https://www.meteo974.re/Cyclone-tropical-intense-GELENA-passage-prevu-a-250km-de-Maurice-demain-dans-la-matinee-VIDEO_a261.html
https://www.meteo974.re/19h-cyclone-tropical-intense-GELENA-Maurice-et-Rodrigues-en-alerte-2_a260.html
https://www.meteo974.re/Maurice-mini-tornade-a-Sebastopol_a259.html
https://www.meteo974.re/12h30-GELENA-cyclone-intense-pourait-devenir-super-cyclone-ou-cyclone-tres-intense-la-nuit-prochaine-VIDEO_a257.html
A plus tard.
Cheers,
Patrick Hoareau.
Bon après midi les Ziles
1: le cyclone intense GELENA(13S) se trouvait à 330km de Plaine Corail à 16h. Il se rapproche rapidement.
2: voir ma vidéo ci-dessous.
Courage et soyez prudents.
Liens récents:
https://www.meteo974.re/15h45-les-alertes-enfin-levees-a-Maurice_a266.html
https://www.meteo974.re/13h-RODRIGUES-en-alerte-3_a265.html
https://www.meteo974.re/Le-sable-et-les-parasols-s-envolent-sur-les-plages-de-la-Reunion-averses-a-Maurice-VIDEO_a263.html
https://www.meteo974.re/07h-Cyclone-intense-GELENA-passage-prevu-a-270-km-de-Maurice-et-se-rapproche-de-Rodrigues-VIDEO_a262.html
https://www.meteo974.re/Cyclone-tropical-intense-GELENA-passage-prevu-a-250km-de-Maurice-demain-dans-la-matinee-VIDEO_a261.html
https://www.meteo974.re/19h-cyclone-tropical-intense-GELENA-Maurice-et-Rodrigues-en-alerte-2_a260.html
https://www.meteo974.re/Maurice-mini-tornade-a-Sebastopol_a259.html
https://www.meteo974.re/12h30-GELENA-cyclone-intense-pourait-devenir-super-cyclone-ou-cyclone-tres-intense-la-nuit-prochaine-VIDEO_a257.html
A plus tard.
Cheers,
Patrick Hoareau.




