2019 Feb 22 07h50 UTC
1: have a look at my a short video down below . I do hope you will find it useful and that it will help those of you who can not zoom on the charts from their smartphones. I just hope to be able to find a solution in the future. Otherwise zooms are working on laptops and computers on
https://www.meteo974.re/M974World_r7.html
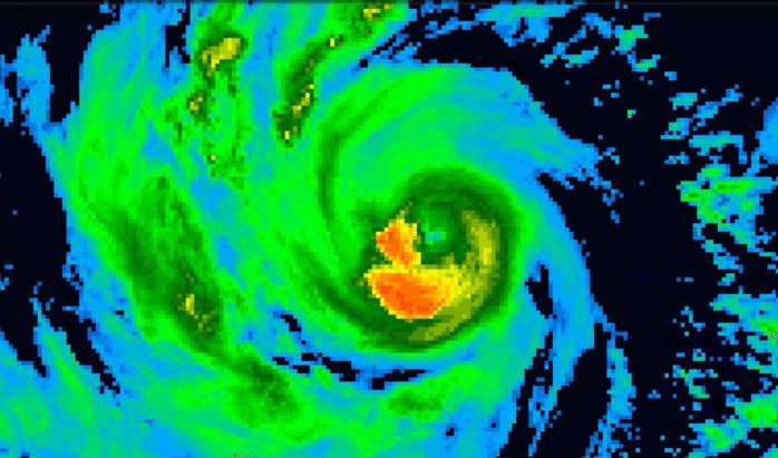
2019 FEB 22 08UTC WESTERN NORTH PACIFIC
TY #WUTIP #02W
This system is currently analysed as a 100knots TC, CAT3 US.
Cheers,
Patrick Hoareau.
1: have a look at my a short video down below . I do hope you will find it useful and that it will help those of you who can not zoom on the charts from their smartphones. I just hope to be able to find a solution in the future. Otherwise zooms are working on laptops and computers on
https://www.meteo974.re/M974World_r7.html
2019 FEB 22 08UTC WESTERN NORTH PACIFIC
TY #WUTIP #02W
This system is currently analysed as a 100knots TC, CAT3 US.
WARNING 13/JTWC
Click on the TC graphic to read the Remarks for Warning 13 and view sat pics and charts .
Satellite bulletins are to be found in the comments of this post on JTWC BIS.
As of 06:00 UTC Feb 22, 2019:
Location: 9.0°N 146.1°E
Maximum Winds: 100 kt (185km/h)
Gusts: 125 kt (230km/h)
Minimum Central Pressure: mb
https://www.facebook.com/groups/1817419381676514/
Cheers,
Patrick Hoareau
WDPN31 PGTW 220900
MSGID/GENADMIN/JOINT TYPHOON WRNCEN PEARL HARBOR HI//
SUBJ/PROGNOSTIC REASONING FOR TYPHOON 02W (WUTIP) WARNING NR 13//
RMKS//
1. FOR METEOROLOGISTS.
2. 6 HOUR SUMMARY AND ANALYSIS.
TYPHOON (TY) 02W (WUTIP), LOCATED APPROXIMATELY 291 NM
SOUTH-SOUTHEAST OF ANDERSEN AFB, GUAM, HAS TRACKED NORTHWESTWARD AT
13 KNOTS OVER THE PAST SIX HOURS. ANIMATED MULTISPECTRAL SATELLITE
IMAGERY (MSI) SHOWS THE SYSTEM INTENSIFIED SLIGHTLY AS EVIDENCED BY A
MORE SYMMETRIC CENTRAL CONVECTION WITH A RAGGED 15-NM FORMATIVE EYE.
THE INITIAL POSITION IS PLACED WITH HIGH CONFIDENCE BASED ON THE
FORMATIVE EYE WITH SLIGHT ADJUSTMENT TO ACCOUNT FOR A POLEWARD TILT
AND LINED UP WITH A DEFINED MICROWAVE EYE IN THE 220347Z 36GHZ AMSR2
IMAGE. ANALYSIS INDICATES AN OVERALL FAVORABLE ENVIRONMENT WITH LOW
TO MODERATE (15-20 KNOT) VERTICAL WIND SHEAR (VWS) THAT IS OFFSET BY
A ROBUST WESTWARD AND POLEWARD DIVERGENT OUTFLOW. SEA SURFACE
TEMPERATURES (SSTS) OF 29 CELSIUS ARE ALSO CONDUCIVE. THE CYCLONE IS
TRACKING ALONG THE SOUTHWEST PERIPHERY OF A DEEP-LAYER SUBTROPICAL
RIDGE (STR) TO THE NORTH-NORTHEAST.
3. FORECAST REASONING.
A. THERE IS NO CHANGE TO THE FORECAST PHILOSOPHY SINCE THE
PREVIOUS FORECAST.
B. UNDER THE STEERING INFLUENCE OF THE STR, TY 02W IS FORECAST TO
CONTINUE TRACKING NORTHWESTWARD THEN, AFTER TAU 48, MORE NORTHWARD AS
THE STR RECEDES EASTWARD WITH THE APPROACH OF A MAJOR SHORTWAVE
TROUGH FROM THE NORTHWEST. THE SYSTEM WILL PEAK AT 105 KNOTS BY TAU
12 AS THE FAVORABLE ENVIRONMENTAL CONDITIONS PERSIST. AFTERWARD,
INCREASING VWS AND COOLING SSTS WILL PRIMARILY BE RESPONSIBLE FOR A
SLOW WEAKENING TREND. BY TAU 72, TY 02W WILL BE REDUCED TO 80 KNOTS.
NUMERICAL GUIDANCE IS IN TIGHT AGREEMENT THROUGH TAU 24 THEN SPREADS
OUT TO 245NM BY TAU 72 WITH NAVGEM AND ECMWF SIGNIFICANTLY LEFT OF
THE MODEL ENVELOPE. THERE IS OVERALL FAIR CONFIDENCE IN THE JTWC
TRACK FORECAST THAT IS LAID JUST TO THE RIGHT OF THE MULTI-MODEL
CONSENSUS TO OFFSET THE LEFT OUTLIERS.
C. BEYOND TAU 72, TY WUTIP WILL CONTINUE TRACKING NORTHWARD THEN
NORTH-NORTHEASTWARD AS IT ROUNDS THE STR AXIS. INCREASING VWS AND
COOLING SSTS WILL CONTINUE TO ERODE THE SYSTEM. THE REDUCED VERTICAL
EXTENT WILL RESULT IN A SLOWER STORM MOTION UNDER THE STEERING
INFLUENCE OF A LOWER REFLECTION OF THE STR. BY TAU 120, TY 02W WILL
WEAKEN TO 45 KNOTS. THERE IS A POSSIBILITY THAT THE SYSTEM WILL ERODE
AND WEAKEN AT A FASTER RATE RESULTING IN AN EVEN SLOWER, WESTWARD, OR
QUASI-STATIONARY STORM MOTION AFTER TAU 72, AS PROPOSED BY SOME OF
THE NUMERICAL MODELS INCLUDING ECMWF, EEMN, AND CTCX. IN VIEW OF THE
SIGNIFICANT VARIANCE AMONG THE NUMERICAL MODELS, THERE IS LOW
CONFIDENCE IN THE EXTENDED PORTION OF THE JTWC TRACK FORECAST.//
NNNN
Click on the TC graphic to read the Remarks for Warning 13 and view sat pics and charts .
Satellite bulletins are to be found in the comments of this post on JTWC BIS.
As of 06:00 UTC Feb 22, 2019:
Location: 9.0°N 146.1°E
Maximum Winds: 100 kt (185km/h)
Gusts: 125 kt (230km/h)
Minimum Central Pressure: mb
https://www.facebook.com/groups/1817419381676514/
Cheers,
Patrick Hoareau
WDPN31 PGTW 220900
MSGID/GENADMIN/JOINT TYPHOON WRNCEN PEARL HARBOR HI//
SUBJ/PROGNOSTIC REASONING FOR TYPHOON 02W (WUTIP) WARNING NR 13//
RMKS//
1. FOR METEOROLOGISTS.
2. 6 HOUR SUMMARY AND ANALYSIS.
TYPHOON (TY) 02W (WUTIP), LOCATED APPROXIMATELY 291 NM
SOUTH-SOUTHEAST OF ANDERSEN AFB, GUAM, HAS TRACKED NORTHWESTWARD AT
13 KNOTS OVER THE PAST SIX HOURS. ANIMATED MULTISPECTRAL SATELLITE
IMAGERY (MSI) SHOWS THE SYSTEM INTENSIFIED SLIGHTLY AS EVIDENCED BY A
MORE SYMMETRIC CENTRAL CONVECTION WITH A RAGGED 15-NM FORMATIVE EYE.
THE INITIAL POSITION IS PLACED WITH HIGH CONFIDENCE BASED ON THE
FORMATIVE EYE WITH SLIGHT ADJUSTMENT TO ACCOUNT FOR A POLEWARD TILT
AND LINED UP WITH A DEFINED MICROWAVE EYE IN THE 220347Z 36GHZ AMSR2
IMAGE. ANALYSIS INDICATES AN OVERALL FAVORABLE ENVIRONMENT WITH LOW
TO MODERATE (15-20 KNOT) VERTICAL WIND SHEAR (VWS) THAT IS OFFSET BY
A ROBUST WESTWARD AND POLEWARD DIVERGENT OUTFLOW. SEA SURFACE
TEMPERATURES (SSTS) OF 29 CELSIUS ARE ALSO CONDUCIVE. THE CYCLONE IS
TRACKING ALONG THE SOUTHWEST PERIPHERY OF A DEEP-LAYER SUBTROPICAL
RIDGE (STR) TO THE NORTH-NORTHEAST.
3. FORECAST REASONING.
A. THERE IS NO CHANGE TO THE FORECAST PHILOSOPHY SINCE THE
PREVIOUS FORECAST.
B. UNDER THE STEERING INFLUENCE OF THE STR, TY 02W IS FORECAST TO
CONTINUE TRACKING NORTHWESTWARD THEN, AFTER TAU 48, MORE NORTHWARD AS
THE STR RECEDES EASTWARD WITH THE APPROACH OF A MAJOR SHORTWAVE
TROUGH FROM THE NORTHWEST. THE SYSTEM WILL PEAK AT 105 KNOTS BY TAU
12 AS THE FAVORABLE ENVIRONMENTAL CONDITIONS PERSIST. AFTERWARD,
INCREASING VWS AND COOLING SSTS WILL PRIMARILY BE RESPONSIBLE FOR A
SLOW WEAKENING TREND. BY TAU 72, TY 02W WILL BE REDUCED TO 80 KNOTS.
NUMERICAL GUIDANCE IS IN TIGHT AGREEMENT THROUGH TAU 24 THEN SPREADS
OUT TO 245NM BY TAU 72 WITH NAVGEM AND ECMWF SIGNIFICANTLY LEFT OF
THE MODEL ENVELOPE. THERE IS OVERALL FAIR CONFIDENCE IN THE JTWC
TRACK FORECAST THAT IS LAID JUST TO THE RIGHT OF THE MULTI-MODEL
CONSENSUS TO OFFSET THE LEFT OUTLIERS.
C. BEYOND TAU 72, TY WUTIP WILL CONTINUE TRACKING NORTHWARD THEN
NORTH-NORTHEASTWARD AS IT ROUNDS THE STR AXIS. INCREASING VWS AND
COOLING SSTS WILL CONTINUE TO ERODE THE SYSTEM. THE REDUCED VERTICAL
EXTENT WILL RESULT IN A SLOWER STORM MOTION UNDER THE STEERING
INFLUENCE OF A LOWER REFLECTION OF THE STR. BY TAU 120, TY 02W WILL
WEAKEN TO 45 KNOTS. THERE IS A POSSIBILITY THAT THE SYSTEM WILL ERODE
AND WEAKEN AT A FASTER RATE RESULTING IN AN EVEN SLOWER, WESTWARD, OR
QUASI-STATIONARY STORM MOTION AFTER TAU 72, AS PROPOSED BY SOME OF
THE NUMERICAL MODELS INCLUDING ECMWF, EEMN, AND CTCX. IN VIEW OF THE
SIGNIFICANT VARIANCE AMONG THE NUMERICAL MODELS, THERE IS LOW
CONFIDENCE IN THE EXTENDED PORTION OF THE JTWC TRACK FORECAST.//
NNNN
Cheers,
Patrick Hoareau.















