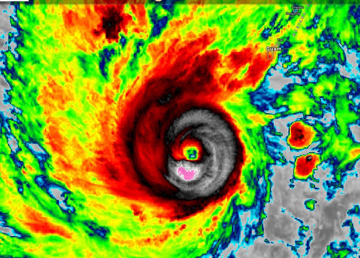
2019 Feb 23 07h30UTC 
   
1: impressive stuff when we are supposed to be in a lull period as Feb is the least active month across the Western North Pacific.
   
2: have a look at my short video.
   
3: I will be posting the latest from JTWC shortly.
   
Cheers,
Patrick Hoareau.
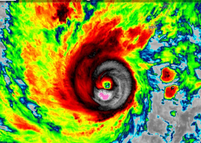
			 1: impressive stuff when we are supposed to be in a lull period as Feb is the least active month across the Western North Pacific.
2: have a look at my short video.
3: I will be posting the latest from JTWC shortly.
Cheers,
Patrick Hoareau.




 

