CLICK ON THE IMAGERIES BELOW TO GET THEM ENLARGED
WESTERN NORTH PACIFIC: SUPER TY 02W(MAWAR). CURRENT ESTIMATED INTENSITY IS 130 KNOTS(CAT 4 US) AT 24/18UTC: +10 KNOTS OVER 24HOURS.
0223052306 118N1465E 135
0223052312 122N1461E 135
0223052318 125N1458E 120
0223052400 130N1456E 115
0223052406 136N1452E 115
0223052412 138N1447E 120
0223052418 141N1441E 130
0223052312 122N1461E 135
0223052318 125N1458E 120
0223052400 130N1456E 115
0223052406 136N1452E 115
0223052412 138N1447E 120
0223052418 141N1441E 130
WARNING 20 ISSUED AT 24/21UTC.
CLICK ON THE IMAGERY BELOW TO GET IT ANIMATED AND ENLARGED.
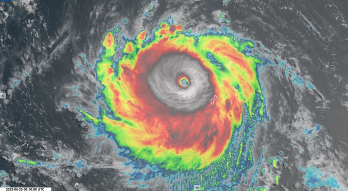
SATELLITE ANALYSIS, INITIAL POSITION AND INTENSITY DISCUSSION: ANIMATED ENHANCED INFRARED (EIR) SATELLITE IMAGERY SHOWS A LARGE, POWERFUL, EXPANDING (ROMCI NOW AT 455NM), AND VERY SYMMETRICAL SYSTEM THAT CONTINUED TO DEEPEN AND TIGHTEN AS IT MAINTAINED A SHARPLY-OUTLINED 8-NM PINHOLE EYE AFTER IT TRACKED OVER GUAM AND INTO THE PHILIPPINE SEA DURING THE DIURNAL MAX NIGHT HOURS. THE INITIAL POSITION IS PLACED WITH HIGH CONFIDENCE BASED ON THE PINHOLE EYE. THE INITIAL INTENSITY OF 130KTS IS EXTRAPOLATED WITH HIGH CONFIDENCE FROM AGENCY AND AUTOMATED DVORAK ESTIMATES AND IS CONSISTENT WITH THE IMPROVED EIR STRUCTURE OVER THE LAST SIX HOURS. ANALYSIS INDICATES A HIGHLY FAVORABLE ENVIRONMENT WITH VERY WARM SST, LOW VWS, AND STRONG VENTILATION ALOFT.
FORECAST REASONING. SIGNIFICANT FORECAST CHANGES: THERE ARE NO SIGNIFICANT CHANGES TO THE FORECAST FROM THE PREVIOUS WARNING. FORECAST DISCUSSION: TC MAWAR IS NOW UNDER THE SOLID STEERING OF THE DEEP-LAYER STR TO THE NORTHEAST AND WILL CONTINUE ON A WEST-NORTHWESTWARD TRACK UNTIL IT BEGINS TO RECURVE AND ROUND THE STR AXIS AFTER TAU 96 AHEAD OF A DEVELOPING MIDLATITUDE TROUGH AS IT AIMS TOWARD TAIWAN. THE HIGHLY FAVORABLE ENVIRONMENT WILL CONTINUE TO PROMOTE INTENSIFICATION TO A PEAK OF 145KTS BY TAU 48. AFTERWARD, REDUCED MOISTURE INFLOW AND PASSAGE OVER RELATIVELY COOLER WATER WILL GRADUALLY REDUCE THE INTENSITY TO 95KTS BY TAU 120.
3 Hour Position Update Graphic
MODEL DISCUSSION: NUMERICAL MODELS REMAIN IN TIGHT AGREEMENT WITH A GRADUAL AND EVEN SPREAD TO 145NM AT TAU 72 THEN OPENING UP MORE TO 300NM BY TAU 120. THERE ARE NO DISTINCT OUTLIERS IN THE ENVELOPE; HOWEVER, THE EUROPEAN MODELS, INCLUDING EEMN, ECMWF, AND UKMET ARE ON THE LEFT MARGIN ON A MORE STRAIGHT-RUNNER TRAJECTORY TOWARD THE LUZON STRAIT. IN VIEW OF THIS, THERE IS HIGH CONFIDENCE IN THE JTWC TRACK FORECAST THAT IS LAID CLOSE TO CONSENSUS UP TO TAU 72, THEN MEDIUM CONFIDENCE AFTERWARD. THE INTENSITY FORECAST CONFIDENCE IS MEDIUM UP TO TAU 72, THEN LOW AFTERWARD.


















