2021 MAR 06 03UTC #SOUTHERNHEMISPHERE
TC #24S #HABANA #SOUTHINDIANOCEAN
UPDATE
As of 00:00 UTC Mar 06, 2021:
Location: 16.3°S 76.3°E
Maximum Winds: 120 kt (220km/h)
Gusts: 145 kt ( 270km/h)
Minimum Central Pressure: 941 mb
CATEGORY US: 4
LOCATED AT 06/00UTC APPROXIMATELY 1410KM EAST-NORTHEAST OF RODRIGUES ISLAND HAS TRACKED EASTWARD AT 11KM/H OVER THE PAST 6 HOURS.
Satellite bulletins are to be found in the comments of this post on JTWC BIS
Cheers,
Patrick Hoareau
Météo974
M974World
Cyclone Class 4
Cheers,PH.
Joint Typhoon Warning Center
TC #24S #HABANA #SOUTHINDIANOCEAN
UPDATE
As of 00:00 UTC Mar 06, 2021:
Location: 16.3°S 76.3°E
Maximum Winds: 120 kt (220km/h)
Gusts: 145 kt ( 270km/h)
Minimum Central Pressure: 941 mb
CATEGORY US: 4
LOCATED AT 06/00UTC APPROXIMATELY 1410KM EAST-NORTHEAST OF RODRIGUES ISLAND HAS TRACKED EASTWARD AT 11KM/H OVER THE PAST 6 HOURS.
Satellite bulletins are to be found in the comments of this post on JTWC BIS
Cheers,
Patrick Hoareau
Météo974
M974World
Cyclone Class 4
Cheers,PH.
Joint Typhoon Warning Center

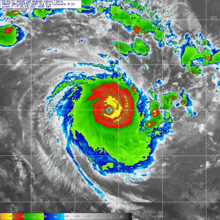
24S(HABANA). 06/0036UTC. IR/WV/Microwave RGB ) DEPICTS A COMPACT AND SYMMETRICAL SYSTEM WITH A TIGHT EYE FEATURE.

24S(HABANA). 06/0047UTC. SATELLITE ANALYSIS(DVORAK) WAS T6.0/6.5/D3.0/24HRS STT: W0.5/03HRS AT 06/00UTC. // AT 03UTC IT WAS T6.5/6.5/D3.5/24HRS STT: D0.5/03HRS