CLICK ON THE IMAGERIES BELOW TO GET THEM ENLARGED
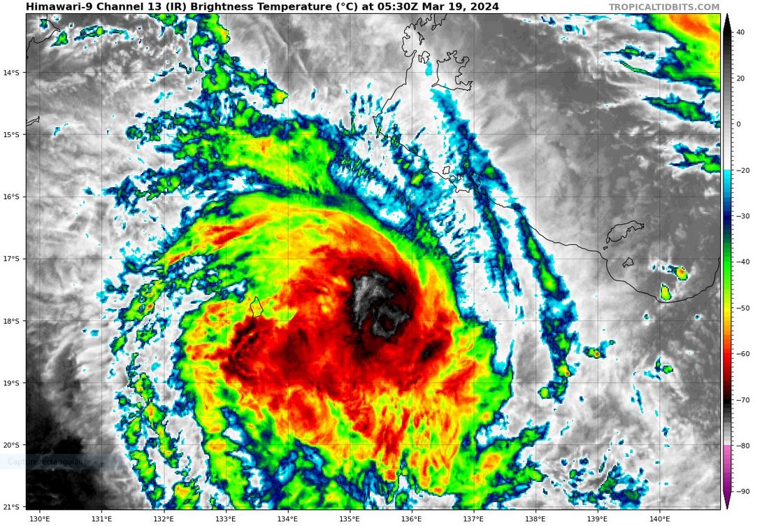
SOUTH INDIAN OCEAN: TC 18S. ESTIMATED INTENSITY IS 30 KNOTS AT 18/06UTC: STABLE OVER 24 HOURS. ADVISORY(ABIO) ISSUED AT 19/06UTC
AN AREA OF CONVECTION (REMNANTS 18S) HAS PERSISTED NEAR 18.1S 111.8E, APPROXIMATELY 275 NM NORTH-NORTHWEST OF LEARMONTH, AUSTRALIA. ANIMATED MULTISPECTRAL SATELLITE IMAGERY REVEALS A PARTIALLY-EXPOSED LOW-LEVEL CIRCULATION CENTER (LLCC), WITH A WELL- ORGANIZED UPPER-LEVEL CIRCULATION CENTER POSITIONED SLIGHTLY TO THE SOUTH. A 190156Z MHS 89 GHZ MICROWAVE IMAGE INDICATES CURVED DEEP CONVECTIVE BANDING OVER THE SOUTHERN AND WESTERN QUADRANTS WITH NO DEEP CONVECTION OVER THE EASTERN QUADRANT DUE TO DRY AIR ENTRAINMENT. A PARTIAL 190108Z ASCAT-B IMAGE INDICATES 25-30 KNOT WINDS OVER THE SOUTHERN SEMICIRCLE. ENVIRONMENTAL CONDITIONS ARE MARGINALLY-FAVORABLE DUE PRIMARILY TO EXTENSIVE DRY AIR ENTRAINMENT IN THE MID- TO UPPER- LEVELS, OFFSET BY LOW VWS, ROBUST POLEWARD VENTING, AND WARM SST (27- 28 C). GLOBAL MODELS INDICATE THE SYSTEM WILL REINTENSIFY AS IT TRACKS WESTWARD OVER THE NEXT TWO DAYS, BUT VARY SIGNIFICANTLY ON THE TIMING OF THE REDEVELOPMENT OF A TROPICAL STORM STRENGTH SYSTEM. GFS INDICATES REDEVELOPMENT WITHIN THE NEXT TWO DAYS WHILE ECMWF INDICATES A LESS AGGRESSIVE 2-3 DAY REDEVELOPMENT TIMELINE. MAXIMUM SUSTAINED SURFACE WINDS ARE ESTIMATED AT 25 TO 30 KNOTS. MINIMUM SEA LEVEL PRESSURE IS ESTIMATED TO BE NEAR 998 MB. THE POTENTIAL FOR THE DEVELOPMENT OF A SIGNIFICANT TROPICAL CYCLONE WITHIN THE NEXT 24 HOURS IS MEDIUM.
Model Diagnostic Plot
GLOBAL MODELS INDICATE THE SYSTEM WILL REINTENSIFY AS IT TRACKS WESTWARD OVER THE NEXT TWO DAYS, BUT VARY SIGNIFICANTLY ON THE TIMING OF THE REDEVELOPMENT OF A TROPICAL STORM STRENGTH SYSTEM. GFS INDICATES REDEVELOPMENT WITHIN THE NEXT TWO DAYS WHILE ECMWF INDICATES A LESS AGGRESSIVE 2-3 DAY REDEVELOPMENT TIMELINE.
Multiplatform Satellite Surface Wind Analysis (Experimental)
UPDATED SATELLITE BULLETIN AT 19/0530UTC
TPXS11 PGTW 190554
A. TROPICAL CYCLONE 18S (NW OF LEARMONTH)
B. 19/0530Z
C. 18.33S
D. 111.78E
E. FIVE/GK2A
F. T2.5/2.5/D0.5/24HRS STT: S0.0/03HRS
G. IR/EIR/VIS/MSI
H. REMARKS: 49A/PBO PTLY XPSD LLCC/ANMTN. CNVCTN WRAPS .60 ON LOG10
SPIRAL YIELDING A DT OF 3.0. MET AGREES. PT YIELDS 2.5. DBO PT.
I. ADDITIONAL POSITIONS: NONE
CVACH
A. TROPICAL CYCLONE 18S (NW OF LEARMONTH)
B. 19/0530Z
C. 18.33S
D. 111.78E
E. FIVE/GK2A
F. T2.5/2.5/D0.5/24HRS STT: S0.0/03HRS
G. IR/EIR/VIS/MSI
H. REMARKS: 49A/PBO PTLY XPSD LLCC/ANMTN. CNVCTN WRAPS .60 ON LOG10
SPIRAL YIELDING A DT OF 3.0. MET AGREES. PT YIELDS 2.5. DBO PT.
I. ADDITIONAL POSITIONS: NONE
CVACH
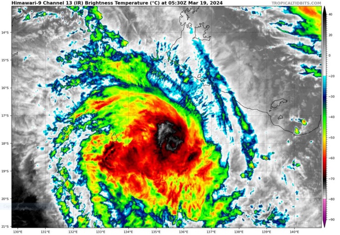
AUSTRALIA: OVER-LAND REMNANTS OF TC 19P(MEGAN)
Model Diagnostic Plot
UDATED SATELLITE BULLETIN AT 19/0530UTC
TPPS10 PGTW 190553
A. TROPICAL CYCLONE 19P (MEGAN)
B. 19/0530Z
C. 17.26S
D. 135.46E
E. FIVE/GK2A
F. N/A
G. IR/EIR/VIS/MSI
H. REMARKS: 49A/PBO PTLY XPSD LLCC/ANMTN. DVORAK VALUES UNAVAILABLE
DUE TO LLCC OVER LAND.
I. ADDITIONAL POSITIONS: NONE
CVACH
A. TROPICAL CYCLONE 19P (MEGAN)
B. 19/0530Z
C. 17.26S
D. 135.46E
E. FIVE/GK2A
F. N/A
G. IR/EIR/VIS/MSI
H. REMARKS: 49A/PBO PTLY XPSD LLCC/ANMTN. DVORAK VALUES UNAVAILABLE
DUE TO LLCC OVER LAND.
I. ADDITIONAL POSITIONS: NONE
CVACH














