https://www.meteo974.re/M974World_r7.html
https://www.meteo974.re/
https://www.zinfos974.com/Nord-Indien-Golfe-du-Bengale-cyclone-tropical-intense-FANI-01B-on-craint-une-catastrophe_a140028.html
SHORT VIDEO WITH ZOOM ON THE FORECAST TRACK AND SATELLITE ANIMATIONS JUST BELOW
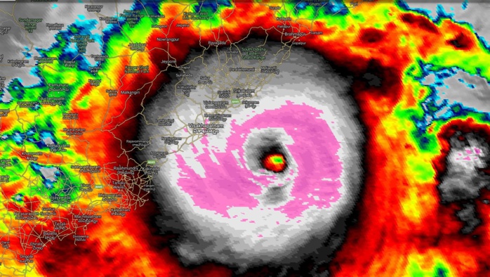
Location: 16.7°N 84.9°E
Maximum Winds: 115 kt ( 215km/h)
Gusts: 140 kt ( 260km/h)
Minimum Central Pressure: 948 mb
CATEGORY 4 US
REMARKS:
020900Z POSITION NEAR 17.1N 85.0E.
TROPICAL CYCLONE (TC) 01B (FANI), LOCATED APPROXIMATELY 108 NM
SOUTHEAST OF VISAKHAPATNAM, INDIA, HAS TRACKED NORTH-NORTHEASTWARD
AT 09 KNOTS (KTS) OVER THE PAST SIX HOURS. THERE IS HIGH CONFIDENCE
IN THE INITIAL POSITION BASED OFF A 13 NM WIDE EYE IN ANIMATED
MULTISPECTRAL SATELLITE IMAGERY (MSI). THE MSI ALSO SUGGESTS THE
SYSTEM HAS INTENSIFIED IN THE PAST SIX HOURS, BECOMING INCREASINGLY
SYMMETRICAL AND HAVING IMPROVED OUTFLOW. THE INITIAL INTENSITY OF
115 KTS REFLECTS THE IMPROVED CONVECTIVE SIGNATURE AND ALIGNS WITH
THE PGTW DVORAK CURRENT INTENSITY ESTIMATE OF T6.0 (115 KTS). THE
ENVIRONMENT, WITH LOW (10-15 KT) VERTICAL WIND SHEAR, EXCELLENT
OUTFLOW, AND WARM (30-31 CELSIUS) SEA SURFACE TEMPERATURE, IS
SUPPORTIVE. TC 01B IS TRACKING ALONG THE NORTHWESTERN PERIPHERY OF A
SUBTROPICAL RIDGE. THIS TRACK WILL CONTINUE FOR THE DURATION OF THE
FORECAST. PRIOR TO TAU 24, THE SYSTEM WILL MAKE LANDFALL. BETWEEN
TAU 48 AND 72, DISSIPATION WILL OCCUR AS IT MOVES FARTHER INLAND.
THE INTENSITY IS EXPECTED TO MAINTAIN ITSELF UNTIL LANDFALL THEN
WEAKEN RAPIDLY DUE TO LAND INTERACTION. DYNAMIC MODEL GUIDANCE IS IN
EXCELLENT AGREEMENT, LENDING TO HIGH CONFIDENCE IN THE JTWC TRACK
FORECAST. MAXIMUM SIGNIFICANT WAVE HEIGHT AT 020600Z IS 38 FEET.
NEXT WARNINGS AT 021500Z, 022100Z, 030300Z AND 030900Z.//
NNNN
https://www.meteo974.re/
https://www.zinfos974.com/Nord-Indien-Golfe-du-Bengale-cyclone-tropical-intense-FANI-01B-on-craint-une-catastrophe_a140028.html
SHORT VIDEO WITH ZOOM ON THE FORECAST TRACK AND SATELLITE ANIMATIONS JUST BELOW
Location: 16.7°N 84.9°E
Maximum Winds: 115 kt ( 215km/h)
Gusts: 140 kt ( 260km/h)
Minimum Central Pressure: 948 mb
CATEGORY 4 US
REMARKS:
020900Z POSITION NEAR 17.1N 85.0E.
TROPICAL CYCLONE (TC) 01B (FANI), LOCATED APPROXIMATELY 108 NM
SOUTHEAST OF VISAKHAPATNAM, INDIA, HAS TRACKED NORTH-NORTHEASTWARD
AT 09 KNOTS (KTS) OVER THE PAST SIX HOURS. THERE IS HIGH CONFIDENCE
IN THE INITIAL POSITION BASED OFF A 13 NM WIDE EYE IN ANIMATED
MULTISPECTRAL SATELLITE IMAGERY (MSI). THE MSI ALSO SUGGESTS THE
SYSTEM HAS INTENSIFIED IN THE PAST SIX HOURS, BECOMING INCREASINGLY
SYMMETRICAL AND HAVING IMPROVED OUTFLOW. THE INITIAL INTENSITY OF
115 KTS REFLECTS THE IMPROVED CONVECTIVE SIGNATURE AND ALIGNS WITH
THE PGTW DVORAK CURRENT INTENSITY ESTIMATE OF T6.0 (115 KTS). THE
ENVIRONMENT, WITH LOW (10-15 KT) VERTICAL WIND SHEAR, EXCELLENT
OUTFLOW, AND WARM (30-31 CELSIUS) SEA SURFACE TEMPERATURE, IS
SUPPORTIVE. TC 01B IS TRACKING ALONG THE NORTHWESTERN PERIPHERY OF A
SUBTROPICAL RIDGE. THIS TRACK WILL CONTINUE FOR THE DURATION OF THE
FORECAST. PRIOR TO TAU 24, THE SYSTEM WILL MAKE LANDFALL. BETWEEN
TAU 48 AND 72, DISSIPATION WILL OCCUR AS IT MOVES FARTHER INLAND.
THE INTENSITY IS EXPECTED TO MAINTAIN ITSELF UNTIL LANDFALL THEN
WEAKEN RAPIDLY DUE TO LAND INTERACTION. DYNAMIC MODEL GUIDANCE IS IN
EXCELLENT AGREEMENT, LENDING TO HIGH CONFIDENCE IN THE JTWC TRACK
FORECAST. MAXIMUM SIGNIFICANT WAVE HEIGHT AT 020600Z IS 38 FEET.
NEXT WARNINGS AT 021500Z, 022100Z, 030300Z AND 030900Z.//
NNNN










