2019 Fev 22 17h31 Mascareignes
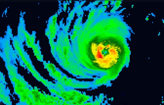
1: un cyclone tropical intense "en plein hiver". Mais ou? Et bien sur le Pacifique Nord Ouest of course. Le Roi des bassins cycloniques fait déjà la une dans le petit monde des traqueurs de cyclones. Même si cela ne préjuge pas de ce qui pourrait se passer par la suite il est quand même probable que le bassin cyclonique le plus important du monde n'en restera pas là cette année.
Pour rappel même si Février est normalement le mois le moins actif pour la région on a observé un "Super Typhon"(super cyclone) en 2015 et un typhon(cyclone) en 2014 alors que la normale est de 0.1 typhon par an en Février depuis 1959.
2: je vous propose ma vidéo illustrative ci dessous.
3: je vous remercie de votre intérêt pour les formations cycloniques qui évoluent en dehors du Sud Ouest Indien. Cela me fait énormément plaisir assurément.
Liens récents:
https://www.meteo974.re/Maurice-Reunion-averses-orageuses-localisees-parfois-fortes-notamment-a-Maurice-cet-apres-midi-VIDEO_a354.html
https://www.meteo974.re/09UTC-typhoon-Wutip-02W-is-now-a-Category-3-US-and-is-approaching-the-Guam-area-VIDEO_a353.html
https://www.meteo974.re/05UTC-video-update-on-Typhoon-WUTIP-02W-the-typhoon-is-intensifying_a352.html
https://www.meteo974.re/03UTC-typhoon-Wutip-02W-Category-2-US-intensifying-and-approaching-Guam-area_a350.html
4: sur ce je vous dis bonne continuation et bon début de soirée.
Cheers,
Patrick Hoareau.
1: un cyclone tropical intense "en plein hiver". Mais ou? Et bien sur le Pacifique Nord Ouest of course. Le Roi des bassins cycloniques fait déjà la une dans le petit monde des traqueurs de cyclones. Même si cela ne préjuge pas de ce qui pourrait se passer par la suite il est quand même probable que le bassin cyclonique le plus important du monde n'en restera pas là cette année.
Pour rappel même si Février est normalement le mois le moins actif pour la région on a observé un "Super Typhon"(super cyclone) en 2015 et un typhon(cyclone) en 2014 alors que la normale est de 0.1 typhon par an en Février depuis 1959.
2: je vous propose ma vidéo illustrative ci dessous.
3: je vous remercie de votre intérêt pour les formations cycloniques qui évoluent en dehors du Sud Ouest Indien. Cela me fait énormément plaisir assurément.
Liens récents:
https://www.meteo974.re/Maurice-Reunion-averses-orageuses-localisees-parfois-fortes-notamment-a-Maurice-cet-apres-midi-VIDEO_a354.html
https://www.meteo974.re/09UTC-typhoon-Wutip-02W-is-now-a-Category-3-US-and-is-approaching-the-Guam-area-VIDEO_a353.html
https://www.meteo974.re/05UTC-video-update-on-Typhoon-WUTIP-02W-the-typhoon-is-intensifying_a352.html
https://www.meteo974.re/03UTC-typhoon-Wutip-02W-Category-2-US-intensifying-and-approaching-Guam-area_a350.html
4: sur ce je vous dis bonne continuation et bon début de soirée.
Cheers,
Patrick Hoareau.




