
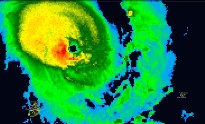
Photo satellite de 11h: le cyclone intense GELENA(13S) se rapproche de Rodrigues sur une trajectoire très menacante.
2019 Fev 12h30 Mascareignes
Je vous propose de faire un point à la mi-journée sur l'évolution du cyclone intense GELENA(13S).
1: A 11h son oeil était positionné à 270km au nord est de Maurice et à 485km au nord ouest de Plaine Corail à Rodrigues autour des point 18.0°Sud et 59.1°est.
Il passe actuellement à son point le plus rapproché de Maurice et devrait s'en éloigner durant les prochaines heures alors qu'il se rapproche de Rodrigues sur une trajectoire potentiellement directement menaçante pour Rodrigues.
2: je vous propose ma petite vidéo explicative ci-dessous. Dans cette vidéo je vous montre également un peu comment je travaille notamment avec les photos satellite que je reçois de Raoul Maujean mon meilleur ami de 4Bornes.
3: encore une fois j'invite tous les rodriguais et rodriguaises qui me suivent à prendre ce cyclone très au sérieux. Tous les mauriciens qui me suivent et qui connaissent forcément des gens dans la "Cendrillon des Mascareignes" merci de passer le message.
Je reviendrai vers vous cet après midi et ce soir.
Je vous embrasse toutes et tous avec une pensée spéciale pour Rodrigues que j'aime tant. En 2012 j'avais même les yeux mouillés quand j'ai quitté Plaine Corail, cela faisait tellement longtemps que j'avais attendu de fouler le sol de Rodrigues alors que depuis tout petit je lisais tout ce qui la concernait et que je suivais tous les cyclones qui la touchaient en ayant l'oreille collée sur la radio en ondes moyennes.
J'ai aussi rencontré des gens extraordinaires à Rodrigues. Dont une personne "célèbre" qui nous a quittés mais qui a laissé au travers des ses récits écrits et publiés dans des livres et dans la presse des photographies merveilleuses et émouvantes de la Rodrigues lontan...
Liens récents:
https://www.meteo974.re/Le-sable-et-les-parasols-s-envolent-sur-les-plages-de-la-Reunion-averses-a-Maurice-VIDEO_a263.html
https://www.meteo974.re/07h-Cyclone-intense-GELENA-passage-prevu-a-270-km-de-Maurice-et-se-rapproche-de-Rodrigues-VIDEO_a262.html
https://www.meteo974.re/Cyclone-tropical-intense-GELENA-passage-prevu-a-250km-de-Maurice-demain-dans-la-matinee-VIDEO_a261.html
https://www.meteo974.re/19h-cyclone-tropical-intense-GELENA-Maurice-et-Rodrigues-en-alerte-2_a260.html
https://www.meteo974.re/Maurice-mini-tornade-a-Sebastopol_a259.html
https://www.meteo974.re/12h30-GELENA-cyclone-intense-pourait-devenir-super-cyclone-ou-cyclone-tres-intense-la-nuit-prochaine-VIDEO_a257.html
A plus tard.
Cheers,
Patrick Hoareau.
Je vous propose de faire un point à la mi-journée sur l'évolution du cyclone intense GELENA(13S).
1: A 11h son oeil était positionné à 270km au nord est de Maurice et à 485km au nord ouest de Plaine Corail à Rodrigues autour des point 18.0°Sud et 59.1°est.
Il passe actuellement à son point le plus rapproché de Maurice et devrait s'en éloigner durant les prochaines heures alors qu'il se rapproche de Rodrigues sur une trajectoire potentiellement directement menaçante pour Rodrigues.
2: je vous propose ma petite vidéo explicative ci-dessous. Dans cette vidéo je vous montre également un peu comment je travaille notamment avec les photos satellite que je reçois de Raoul Maujean mon meilleur ami de 4Bornes.
3: encore une fois j'invite tous les rodriguais et rodriguaises qui me suivent à prendre ce cyclone très au sérieux. Tous les mauriciens qui me suivent et qui connaissent forcément des gens dans la "Cendrillon des Mascareignes" merci de passer le message.
Je reviendrai vers vous cet après midi et ce soir.
Je vous embrasse toutes et tous avec une pensée spéciale pour Rodrigues que j'aime tant. En 2012 j'avais même les yeux mouillés quand j'ai quitté Plaine Corail, cela faisait tellement longtemps que j'avais attendu de fouler le sol de Rodrigues alors que depuis tout petit je lisais tout ce qui la concernait et que je suivais tous les cyclones qui la touchaient en ayant l'oreille collée sur la radio en ondes moyennes.
J'ai aussi rencontré des gens extraordinaires à Rodrigues. Dont une personne "célèbre" qui nous a quittés mais qui a laissé au travers des ses récits écrits et publiés dans des livres et dans la presse des photographies merveilleuses et émouvantes de la Rodrigues lontan...
Liens récents:
https://www.meteo974.re/Le-sable-et-les-parasols-s-envolent-sur-les-plages-de-la-Reunion-averses-a-Maurice-VIDEO_a263.html
https://www.meteo974.re/07h-Cyclone-intense-GELENA-passage-prevu-a-270-km-de-Maurice-et-se-rapproche-de-Rodrigues-VIDEO_a262.html
https://www.meteo974.re/Cyclone-tropical-intense-GELENA-passage-prevu-a-250km-de-Maurice-demain-dans-la-matinee-VIDEO_a261.html
https://www.meteo974.re/19h-cyclone-tropical-intense-GELENA-Maurice-et-Rodrigues-en-alerte-2_a260.html
https://www.meteo974.re/Maurice-mini-tornade-a-Sebastopol_a259.html
https://www.meteo974.re/12h30-GELENA-cyclone-intense-pourait-devenir-super-cyclone-ou-cyclone-tres-intense-la-nuit-prochaine-VIDEO_a257.html
A plus tard.
Cheers,
Patrick Hoareau.