2019 Fev 06 18h02 Mascareignes
1: photo satellite de la Grande Ile comme on me l'a demandé. Je reçois des tonnes de demandes. J'essaie de faire au mieux.
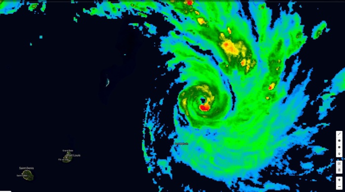
2: photo satellite de FUNANI(12S) analysé en cyclone tropical par https://www.meteo974.re/
A tout à l'heure pour des posts plus détaillés sur nos deux systèmes cycloniques.
Cheers,
Patrick Hoareau.
1: photo satellite de la Grande Ile comme on me l'a demandé. Je reçois des tonnes de demandes. J'essaie de faire au mieux.
2: photo satellite de FUNANI(12S) analysé en cyclone tropical par https://www.meteo974.re/
A tout à l'heure pour des posts plus détaillés sur nos deux systèmes cycloniques.
Cheers,
Patrick Hoareau.






