https://www.meteo974.re/M974World_r7.html
2019 FEB 24 1425UTC WESTERN NORTH PACIFIC TY #WUTIP #02W
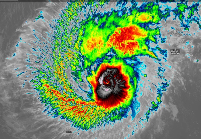
This system is currently analysed as a 105knots TC, CAT3 US.
2019 FEB 24 1425UTC WESTERN NORTH PACIFIC TY #WUTIP #02W
This system is currently analysed as a 105knots TC, CAT3 US.
WARNING 22/JTWC
Click on the TC graphic to read the Remarks for Warning 22 and view sat pics and charts .
Satellite bulletins are to be found in the comments of this post on JTWC BIS.
As of 12:00 UTC Feb 24, 2019:
Location: 13.1°N 141.2°E
Maximum Winds: 105 kt (195km/h)
Gusts: 130 kt (240km/h)
Minimum Central Pressure: 955 mb
https://www.facebook.com/groups/1817419381676514/
Cheers,
Patrick Hoareau
WDPN31 PGTW 241500
MSGID/GENADMIN/JOINT TYPHOON WRNCEN PEARL HARBOR HI//
SUBJ/PROGNOSTIC REASONING FOR TYPHOON 02W (WUTIP) WARNING NR
22//
RMKS/
1. FOR METEOROLOGISTS.
2. 6 HOUR SUMMARY AND ANALYSIS.
TYPHOON (TY) 02W (WUTIP), LOCATED APPROXIMATELY 199 NM WEST OF
NAVSTA GUAM, HAS TRACKED WEST-NORTHWESTWARD AT 05 KNOTS OVER THE PAST
SIX HOURS. ANIMATED ENHANCED INFRARED SATELLITE IMAGERY DEPICTS
ASYMMETRIC CORE CONVECTION SURROUNDING A 15NM RAGGED EYE, WHICH
SUPPORTS THE INITIAL POSITION WITH HIGH CONFIDENCE. A 241209Z MHS
89GHZ MICROWAVE IMAGE INDICATES DEEP CONVECTIVE BANDING HAS DECAYED
OVER THE PAST SIX HOURS DUE TO DRY AIR ENTRAINMENT AS EVIDENT IN
RECENT ANIMATED TOTAL PRECIPITABLE WATER IMAGERY. THE MHS IMAGE
SHOWS PRIMARILY SHALLOW BANDING AND A COMPACT EYEWALL (APPROXIMATELY
90NM DIAMETER) SURROUNDING A MICROWAVE EYE FEATURE. THE INITIAL
INTENSITY IS ASSESSED AT 105 KNOTS BASED ON DVORAK CURRENT INTENSITY
ESTIMATES RANGING FROM 5.5 TO 6.0 (102-115 KNOTS). UPPER-LEVEL
CONDITIONS REMAIN FAVORABLE WITH LOW (5 TO 10 KNOTS) SOUTHEASTERLY
VERTICAL WIND SHEAR (VWS), A ROBUST POLEWARD OUTFLOW CHANNEL AND
GOOD EQUATORWARD OUTFLOW. SST VALUES REMAIN FAVORABLE AT 27C,
ALTHOUGH OCEAN HEAT CONTENT IS LOW. TY 02W IS TRACKING WEST-
NORTHWESTWARD UNDER THE STEERING INFLUENCE OF A DEEP-LAYERED
SUBTROPICAL RIDGE (STR) POSITIONED TO THE NORTHEAST.
3. FORECAST REASONING.
A. THERE IS NO CHANGE TO THE FORECAST PHILOSOPHY SINCE THE
PREVIOUS PROGNOSTIC REASONING MESSAGE.
B. THROUGH TAU 36, TY 02W IS FORECAST TO TRACK NORTHWESTWARD TO
NORTH-NORTHWESTWARD ALONG THE SOUTHWESTERN PERIPHERY OF THE DEEP-
LAYERED STR TOWARD A BREAK IN THE STR ASSOCIATED WITH A SHORTWAVE
TROUGH PROPAGATING TO THE NORTH. GRADUAL WEAKENING IS EXPECTED DUE
TO DRY AIR ENTRAINMENT. AFTER TAU 36, THE SHORTWAVE TROUGH IS
FORECAST TO SHIFT NORTHEAST ALLOWING AN EXTENSION OF THE LOW- TO MID-
LEVEL STR TO BUILD TO THE NORTH. CONSEQUENTLY, 02W WILL TURN WEST-
NORTHWESTWARD AND ACCELERATE. MORE SIGNIFICANT WEAKENING IS EXPECTED
AS VWS INCREASES AND SST VALUES DECREASE SLIGHTLY TO 26C. NUMERICAL
MODEL GUIDANCE IS IN FAIR AGREEMENT WITH SOME UNCERTAINTY IN THE
TIMING OF THE TURN TO THE WEST-NORTHWEST.
C. AFTER TAU 72, INCREASING VWS (OVER 30 KTS) AND CONVERGENCE
ASSOCIATED WITH INCREASING UPPER-LEVEL (200MB) WESTERLIES OVER THE
SYSTEM AS WELL AS DRY AIR ENTRAINMENT ASSOCIATED WITH A NORTHEAST
SURGE EVENT WILL SERVE TO RAPIDLY WEAKEN THE SYSTEM LEADING TO
DISSIPATION BY TAU 96. WITH THE EXCEPTION OF THE SOLE OUTLIER,
NAVGEM, NUMERICAL MODEL GUIDANCE REMAINS IN FAIR AGREEMENT. OVERALL,
THERE IS LOW CONFIDENCE (HIGH UNCERTAINTY) IN THE JTWC FORECAST
TRACK DUE TO THE RAPIDLY EVOLVING SYNOPTIC ENVIRONMENT.//
NNNN
Click on the TC graphic to read the Remarks for Warning 22 and view sat pics and charts .
Satellite bulletins are to be found in the comments of this post on JTWC BIS.
As of 12:00 UTC Feb 24, 2019:
Location: 13.1°N 141.2°E
Maximum Winds: 105 kt (195km/h)
Gusts: 130 kt (240km/h)
Minimum Central Pressure: 955 mb
https://www.facebook.com/groups/1817419381676514/
Cheers,
Patrick Hoareau
WDPN31 PGTW 241500
MSGID/GENADMIN/JOINT TYPHOON WRNCEN PEARL HARBOR HI//
SUBJ/PROGNOSTIC REASONING FOR TYPHOON 02W (WUTIP) WARNING NR
22//
RMKS/
1. FOR METEOROLOGISTS.
2. 6 HOUR SUMMARY AND ANALYSIS.
TYPHOON (TY) 02W (WUTIP), LOCATED APPROXIMATELY 199 NM WEST OF
NAVSTA GUAM, HAS TRACKED WEST-NORTHWESTWARD AT 05 KNOTS OVER THE PAST
SIX HOURS. ANIMATED ENHANCED INFRARED SATELLITE IMAGERY DEPICTS
ASYMMETRIC CORE CONVECTION SURROUNDING A 15NM RAGGED EYE, WHICH
SUPPORTS THE INITIAL POSITION WITH HIGH CONFIDENCE. A 241209Z MHS
89GHZ MICROWAVE IMAGE INDICATES DEEP CONVECTIVE BANDING HAS DECAYED
OVER THE PAST SIX HOURS DUE TO DRY AIR ENTRAINMENT AS EVIDENT IN
RECENT ANIMATED TOTAL PRECIPITABLE WATER IMAGERY. THE MHS IMAGE
SHOWS PRIMARILY SHALLOW BANDING AND A COMPACT EYEWALL (APPROXIMATELY
90NM DIAMETER) SURROUNDING A MICROWAVE EYE FEATURE. THE INITIAL
INTENSITY IS ASSESSED AT 105 KNOTS BASED ON DVORAK CURRENT INTENSITY
ESTIMATES RANGING FROM 5.5 TO 6.0 (102-115 KNOTS). UPPER-LEVEL
CONDITIONS REMAIN FAVORABLE WITH LOW (5 TO 10 KNOTS) SOUTHEASTERLY
VERTICAL WIND SHEAR (VWS), A ROBUST POLEWARD OUTFLOW CHANNEL AND
GOOD EQUATORWARD OUTFLOW. SST VALUES REMAIN FAVORABLE AT 27C,
ALTHOUGH OCEAN HEAT CONTENT IS LOW. TY 02W IS TRACKING WEST-
NORTHWESTWARD UNDER THE STEERING INFLUENCE OF A DEEP-LAYERED
SUBTROPICAL RIDGE (STR) POSITIONED TO THE NORTHEAST.
3. FORECAST REASONING.
A. THERE IS NO CHANGE TO THE FORECAST PHILOSOPHY SINCE THE
PREVIOUS PROGNOSTIC REASONING MESSAGE.
B. THROUGH TAU 36, TY 02W IS FORECAST TO TRACK NORTHWESTWARD TO
NORTH-NORTHWESTWARD ALONG THE SOUTHWESTERN PERIPHERY OF THE DEEP-
LAYERED STR TOWARD A BREAK IN THE STR ASSOCIATED WITH A SHORTWAVE
TROUGH PROPAGATING TO THE NORTH. GRADUAL WEAKENING IS EXPECTED DUE
TO DRY AIR ENTRAINMENT. AFTER TAU 36, THE SHORTWAVE TROUGH IS
FORECAST TO SHIFT NORTHEAST ALLOWING AN EXTENSION OF THE LOW- TO MID-
LEVEL STR TO BUILD TO THE NORTH. CONSEQUENTLY, 02W WILL TURN WEST-
NORTHWESTWARD AND ACCELERATE. MORE SIGNIFICANT WEAKENING IS EXPECTED
AS VWS INCREASES AND SST VALUES DECREASE SLIGHTLY TO 26C. NUMERICAL
MODEL GUIDANCE IS IN FAIR AGREEMENT WITH SOME UNCERTAINTY IN THE
TIMING OF THE TURN TO THE WEST-NORTHWEST.
C. AFTER TAU 72, INCREASING VWS (OVER 30 KTS) AND CONVERGENCE
ASSOCIATED WITH INCREASING UPPER-LEVEL (200MB) WESTERLIES OVER THE
SYSTEM AS WELL AS DRY AIR ENTRAINMENT ASSOCIATED WITH A NORTHEAST
SURGE EVENT WILL SERVE TO RAPIDLY WEAKEN THE SYSTEM LEADING TO
DISSIPATION BY TAU 96. WITH THE EXCEPTION OF THE SOLE OUTLIER,
NAVGEM, NUMERICAL MODEL GUIDANCE REMAINS IN FAIR AGREEMENT. OVERALL,
THERE IS LOW CONFIDENCE (HIGH UNCERTAINTY) IN THE JTWC FORECAST
TRACK DUE TO THE RAPIDLY EVOLVING SYNOPTIC ENVIRONMENT.//
NNNN

















