https://www.facebook.com/groups/1817419381676514/
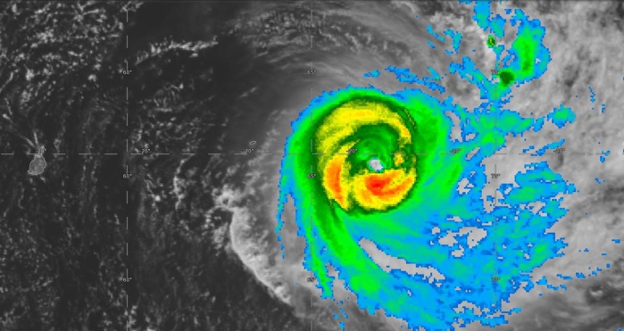
Location: 20.2°S 66.4°E
Maximum Winds: 110 kt (205km/h)
Gusts: 135 kt ( 250km/h)
Minimum Central Pressure: 949 mb
CATEGORY 3 US WEAKENING
REMARKS:
270900Z POSITION NEAR 20.3S 66.5E.
TROPICAL CYCLONE (TC) 22S (JOANINHA), LOCATED APPROXIMATELY 171 NM
EAST OF PORT MATHURIN, MAURITIUS, HAS TRACKED EASTWARD AT 05 KNOTS
(KTS) OVER THE PAST SIX HOURS. THE INITIAL POSITION IS PLACED WITH
HIGH CONFIDENCE BASED ON AN APPROXIMATELY 15-NM DIAMETER EYE IN
ANIMATED MULTISPECTRAL SATELLITE IMAGERY. THE INITIAL INTENSITY OF
110 KTS IS BETWEEN PGTW AND KNES DVORAK CURRENT INTENSITY ESTIMATES
OF T5.5 (102 KTS) AND T6.0 (115 KTS), RESPECTIVELY. THE ENVIRONMENT
IS SOMEWHAT SUPPORTIVE WITH WARM (28-29 CELSIUS) SEA SURFACE
TEMPERATURE AND EXCELLENT POLEWARD OUTFLOW BEING SOMEWHAT OFFSET BY
MODERATE (15-20 KT) VERTICAL WIND SHEAR (VWS). TC 22S IS TRACKING
ALONG THE SOUTHERN PERIPHERY OF A NEAR-EQUATORIAL RIDGE. AFTER TAU
24, A SUBTROPICAL RIDGE TO THE SOUTHEAST WILL CAUSE THE TRACK TO
GRADUALLY SHIFT POLEWARD AND ACCELERATE FOR THE REMAINDER OF THE
FORECAST. THE MARGINAL ENVIRONMENT WILL CAUSE SLOW WEAKENING IN
INTENSITY UNTIL TAU 36. AFTER TAU 36, HIGH VWS WILL LEAD TO MORE
RAPID WEAKENING FOR THE REMAINDER OF THE FORECAST. BY TAU 96,
INTERACTION WITH THE BAROCLINIC ZONE IS EXPECTED TO CAUSE TC 22S TO
BEGIN TRANSITIONING INTO A SUBTROPICAL CYCLONE. NUMERICAL MODEL
GUIDANCE HAS SHIFTED THE TRACK TO THE WEST AND COME INTO GENERALLY
BETTER AGREEMENT THAN PREVIOUS FORECAST CYCLES, HOWEVER, TWO MEMBERS
OF THE CONSENSUS (GALWEM AND UKMET) DO NOT PREDICT THE ALONG-TRACK
SPEED TO INCREASE IN THE LATER TAUS. TO OFFSET THESE OUTLIERS, THE
TAU 96 AND 120 JTWC TRACK FORECAST POSITIONS ARE PLACED FURTHER
POLEWARD THAN THE CONSENSUS TRACK POSITIONS. CONFIDENCE IN THE TRACK
FORECAST IS LOW DUE TO THE HIGH SPREAD CAUSED BY THE OUTLIERS.
MAXIMUM SIGNIFICANT WAVE HEIGHT AT 270600Z IS 37 FEET. NEXT WARNINGS
AT 271500Z, 272100Z, 280300Z AND 280900Z.//
NNNN
Location: 20.2°S 66.4°E
Maximum Winds: 110 kt (205km/h)
Gusts: 135 kt ( 250km/h)
Minimum Central Pressure: 949 mb
CATEGORY 3 US WEAKENING
REMARKS:
270900Z POSITION NEAR 20.3S 66.5E.
TROPICAL CYCLONE (TC) 22S (JOANINHA), LOCATED APPROXIMATELY 171 NM
EAST OF PORT MATHURIN, MAURITIUS, HAS TRACKED EASTWARD AT 05 KNOTS
(KTS) OVER THE PAST SIX HOURS. THE INITIAL POSITION IS PLACED WITH
HIGH CONFIDENCE BASED ON AN APPROXIMATELY 15-NM DIAMETER EYE IN
ANIMATED MULTISPECTRAL SATELLITE IMAGERY. THE INITIAL INTENSITY OF
110 KTS IS BETWEEN PGTW AND KNES DVORAK CURRENT INTENSITY ESTIMATES
OF T5.5 (102 KTS) AND T6.0 (115 KTS), RESPECTIVELY. THE ENVIRONMENT
IS SOMEWHAT SUPPORTIVE WITH WARM (28-29 CELSIUS) SEA SURFACE
TEMPERATURE AND EXCELLENT POLEWARD OUTFLOW BEING SOMEWHAT OFFSET BY
MODERATE (15-20 KT) VERTICAL WIND SHEAR (VWS). TC 22S IS TRACKING
ALONG THE SOUTHERN PERIPHERY OF A NEAR-EQUATORIAL RIDGE. AFTER TAU
24, A SUBTROPICAL RIDGE TO THE SOUTHEAST WILL CAUSE THE TRACK TO
GRADUALLY SHIFT POLEWARD AND ACCELERATE FOR THE REMAINDER OF THE
FORECAST. THE MARGINAL ENVIRONMENT WILL CAUSE SLOW WEAKENING IN
INTENSITY UNTIL TAU 36. AFTER TAU 36, HIGH VWS WILL LEAD TO MORE
RAPID WEAKENING FOR THE REMAINDER OF THE FORECAST. BY TAU 96,
INTERACTION WITH THE BAROCLINIC ZONE IS EXPECTED TO CAUSE TC 22S TO
BEGIN TRANSITIONING INTO A SUBTROPICAL CYCLONE. NUMERICAL MODEL
GUIDANCE HAS SHIFTED THE TRACK TO THE WEST AND COME INTO GENERALLY
BETTER AGREEMENT THAN PREVIOUS FORECAST CYCLES, HOWEVER, TWO MEMBERS
OF THE CONSENSUS (GALWEM AND UKMET) DO NOT PREDICT THE ALONG-TRACK
SPEED TO INCREASE IN THE LATER TAUS. TO OFFSET THESE OUTLIERS, THE
TAU 96 AND 120 JTWC TRACK FORECAST POSITIONS ARE PLACED FURTHER
POLEWARD THAN THE CONSENSUS TRACK POSITIONS. CONFIDENCE IN THE TRACK
FORECAST IS LOW DUE TO THE HIGH SPREAD CAUSED BY THE OUTLIERS.
MAXIMUM SIGNIFICANT WAVE HEIGHT AT 270600Z IS 37 FEET. NEXT WARNINGS
AT 271500Z, 272100Z, 280300Z AND 280900Z.//
NNNN











