CLICK ON THE IMAGERIES BELOW TO GET THEM ENLARGED
WESTERN NORTH PACIFIC/PHILIPPINE SEA: TYPHOON 20W(KRATHON). 30/03UTC ESTIMATED INTENSITY IS 115 KNOTS/ CAT 4 US: + 50 KNOTS OVER 24 HOURS.
2024092818 186N1247E 55
2024092900 187N1243E 65
2024092906 192N1239E 80
2024092912 197N1232E 95
2024092918 200N1223E 105
2024093000 201N1220E 115
2024092900 187N1243E 65
2024092906 192N1239E 80
2024092912 197N1232E 95
2024092918 200N1223E 105
2024093000 201N1220E 115
WARNING 12 ISSUED AT 30/03UTC.
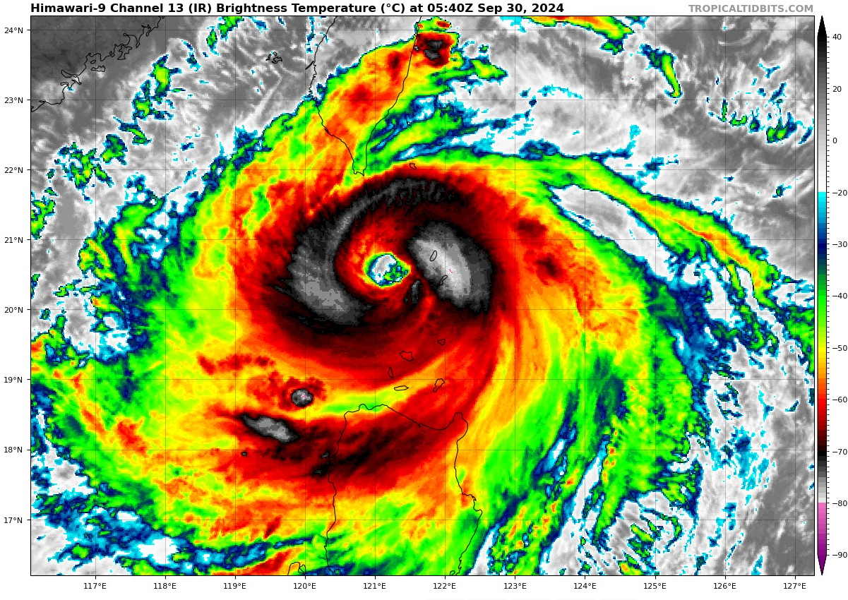
SATELLITE ANALYSIS, INITIAL POSITION AND INTENSITY DISCUSSION: ANIMATED MULTISPECTRAL SATELLITE IMAGERY (MSI) DEPICTS A CONSOLIDATED AND WELL-ORGANIZED TYPHOON 20W (KRATHON) WITH A 20-NM DIAMETER EYE THAT HAS SHRUNK BY 2 NM AND WARMED FROM 12 TO 17 DEGREES CELSIUS, DUE TO COMPRESSIONAL WARMING OF THE SUBSIDING AIR, INDICATING STEADY INTENSIFICATION. THE MSI LOOP ALSO SHOWS CONTINUED STRONG RADIAL OUTFLOW WITH ASSOCIATED SPIRAL BANDS OF DEEP CONVECTION BECOMING MORE COMPACT. THE INITIAL POSITION IS PLACED WITH HIGH CONFIDENCE BASED ON BASED ON THE WELL-DEFINED EYE IN THE MSI LOOP THAT LINED UP WELL WITH A MICROWAVE EYE IN THE 292138Z F17 SSMIS IMAGE SUITE. THE INITIAL INTENSITY OF 115 KTS IS ASSESSED WITH HIGH CONFIDENCE BASED ON CLOSELY-VALUED AGENCY AND AUTOMATED DVORAK FIXES, AS LISTED BELOW.
GPROF Surface Precipitation Rate
TC Warning Graphic
FORECAST REASONING. SIGNIFICANT FORECAST CHANGES: THERE ARE NO SIGNIFICANT CHANGES TO THE FORECAST FROM THE PREVIOUS WARNING. FORECAST DISCUSSION: TYPHOON KRATHON WILL CONTINUE TO STEADILY INTENSIFY AND REACH PEAK INTENSITY WITHIN THE NEXT 12 HOURS. HOWEVER, FURTHER RAPID INTENSIFICATION IS UNLIKELY AS INDICATED BY UNANIMOUS INTENSITY GUIDELINES. AS KRATHON SLOWS DOWN, IT WILL BE FUELED BY SLIGHTLY COOLER WATER DUE TO UPWELLING AND WILL WEAKEN TO 110 KTS BY TAU 48, JUST PRIOR TO MAKING LANDFALL OVER SOUTHERN TAIWAN. AS THE SYSTEM PROGRESSES THROUGH THE CENTRAL MOUNTAIN RANGE OF THE ISLAND, THE TERRAIN INTERACTION WILL CAUSE FURTHER DETERIORATION OF THE CORE AND THE WIND FIELD OF THE SYSTEM, LEADING TO INTENSITY BELOW 75 KTS AS THE SYSTEM RE-EMERGES OVER THE WATERS OF EAST CHINA SEA BETWEEN TAUS 72 AND 96. FURTHER WEAKENING IS FORECAST TOWARDS THE END OF THE FORECAST PERIOD.
Google Earth Overlay: 48 FORECAST TRACK AND INTENSITY
Model Diagnostic Plot
MODEL DISCUSSION: NUMERICAL MODEL GUIDANCE REMAINS IN FAIR AGREEMENT IN REGARD TO THE INITIAL TRACK OF TYPHOON 20W, WITH MAJORITY OF THE SOLUTIONS FORECASTING THE BEGINNING OF THE NORTHEASTWARD TURN JUST SOUTH OF TAIWAN. EXCLUDING NAVGEM AND GALWEM THE CROSS-TRACK SPREAD BETWEEN THE MULTI-MODEL CONSENSUS MEMBERS IS 42 NM JUST PRIOR TO LANDFALL. AS THE SYSTEM TRACKS OVER TAIWAN IT IS CURRENTLY FORECAST TO REEMERGE OVER WATER, JUST EAST OF TAIPEI, PAST TAU 72. SIGNIFICANT MODEL GUIDANCE UNCERTAINTY EXISTS IN REGARD TO THE TRACK PAST TAU 96, WITH SOME MODELS SUGGESTING A NORTHWESTWARD DIRECTION, WHILE OTHERS FORECAST MORE NORTHERLY TRACK, DUE TO UNRESOLVED SIGNIFICANCE AND DOMINANCE OF THE COMPETING STEERING MECHANISMS IN THE FORM OF UPPER-LEVEL TROUGH OVER WESTERN JAPAN AND THE UPPER-LEVEL RIDGE OVER EASTERN CHINA. IN TERMS OF INTENSITY GUIDELINES, JTWC FORECAST IS PLACED IN CLOSED PROXIMITY TO THE MULTI-MODEL CONSENSUS, WHICH DOES NOT INDICATE ANY SIGNIFICANT CHANCE OF RAPID INTENSIFICATION, AND PAST TAU 12 SUGGESTS STEADY WEAKENING.
Multiplatform Satellite Surface Wind Analysis (Experimental)
30/0540UTC SATELLITE ANALYSIS
TPPN13 PGTW 300600
A. TYPHOON 20W (KRATHON)
B. 30/0540Z
C. 20.50N
D. 121.25E
E. ONE/GK2A
F. T6.5/6.5/D2.0/24HRS STT: D0.5/03HRS
G. IR/EIR/VIS/MSI
H. REMARKS: 03A/PBO EYE/ANMTN. WMG EYE SURROUNDED BY B YIELDS AN E#
OF 5.5. ADDED 1.0 EYE ADJUSTMENT FOR B, TO YIELD A DT OF 6.5. MET
YIELDS 6.0. PT YIELDS 6.5. DBO DT.
I. ADDITIONAL POSITIONS:
30/0112Z 20.25N 121.88E MMHS
30/0118Z 20.25N 121.85E MMHS
30/0158Z 20.10N 121.93E MMHS
DESSINO
A. TYPHOON 20W (KRATHON)
B. 30/0540Z
C. 20.50N
D. 121.25E
E. ONE/GK2A
F. T6.5/6.5/D2.0/24HRS STT: D0.5/03HRS
G. IR/EIR/VIS/MSI
H. REMARKS: 03A/PBO EYE/ANMTN. WMG EYE SURROUNDED BY B YIELDS AN E#
OF 5.5. ADDED 1.0 EYE ADJUSTMENT FOR B, TO YIELD A DT OF 6.5. MET
YIELDS 6.0. PT YIELDS 6.5. DBO DT.
I. ADDITIONAL POSITIONS:
30/0112Z 20.25N 121.88E MMHS
30/0118Z 20.25N 121.85E MMHS
30/0158Z 20.10N 121.93E MMHS
DESSINO
WESTERN NORTH PACIFIC/PHILIPPINE SEA: TS 19W(JEBI). 30/03UTC ESTIMATED INTENSITY IS 35 KNOTS: STABLE OVER 24 HOURS.
1924092800 200N1433E 30
1924092806 207N1429E 30
1924092812 214N1425E 30
1924092818 221N1419E 30
1924092900 227N1415E 35
1924092906 237N1411E 35
1924092912 247N1407E 35
1924092918 251N1405E 40
1924093000 258N1402E 35
1924092806 207N1429E 30
1924092812 214N1425E 30
1924092818 221N1419E 30
1924092900 227N1415E 35
1924092906 237N1411E 35
1924092912 247N1407E 35
1924092918 251N1405E 40
1924093000 258N1402E 35
WARNING 15 ISSUED AT 30/03UTC.
SATELLITE ANALYSIS, INITIAL POSITION AND INTENSITY DISCUSSION: ANIMATED MULTISPECTRAL SATELLITE IMAGERY (MSI) DEPICTS A FULLY EXPOSED, RAGGED, LOW-LEVEL CIRCULATION CENTER (LLCC) DECOUPLED FROM THE ASSOCIATED CENTRAL CONVECTION TO THE EAST. HOWEVER, THE MSI LOOP ALSO SHOWS CONTINUED MODERATE POLEWARD AND WEAK EQUATORWARD OUTFLOW. THE POLEWARD OUTFLOW CHANNEL IS BEING ENHANCED BY STRONG SOUTHWESTERLY WINDS AHEAD OF AN UPPER-LEVEL TROUGH OVER JAPAN. THE INITIAL POSITION IS PLACED WITH HIGH CONFIDENCE BASED ON THE EXPOSED LLCC IN THE MSI LOOP. THE INITIAL INTENSITY OF 35 KTS IS ASSESSED WITH MEDIUM CONFIDENCE BASED ON THE AGENCY AND AUTOMATED DVORAK INTENSITIES LISTED BELOW.
85 – 92 GHz Brightness Temperature
TC Warning Graphic
FORECAST REASONING. SIGNIFICANT FORECAST CHANGES: THERE ARE NO SIGNIFICANT CHANGES TO THE FORECAST FROM THE PREVIOUS WARNING. FORECAST DISCUSSION: TS 19W (JEBI) IS FORECAST TO BEGIN A NORTHEASTWARD TRACK AND ROUND THE AXIS OF THE STEERING STR. THE ENVIRONMENT REMAINS MARGINALLY FAVORABLE WITH WARM SSTS AND LOW VERTICAL WIND SHEAR, FUELING GRADUAL INTENSIFICATION TO A PEAK 60 KTS BY TAU 36. AFTERWARD, IT WILL BEGIN EXTRATROPICAL TRANSITION (ETT) WHICH IS EXPECTED TO CONCLUDE AT THE END OF THE FORECAST PERIOD - BY TAU 48.
Model Diagnostic Plot
MODEL DISCUSSION: NUMERICAL MODEL GUIDANCE REMAINS IN FAIR AGREEMENT IN REGARD TO THE TRACK GUIDANCE WITH CROSS-TRACK SPREAD OF 42 NM BY TAU 24, WITH THE ONLY OUTLIER STILL BEING NAVGEM, SUGGESTING A MORE EASTERLY INITIAL TRACK. JTWC TRACK IS LAID IN CLOSE PROXIMITY TO THE MULTI-MODEL CONSENSUS AND IS TAKING JEBI SLIGHTLY CLOSER TO HONSHU THAN WITH THE PREVIOUS RUN, HOWEVER THE GALE-FORCE WINDS WILL PRIMARILY REMAIN CONTAINED WITHIN THE EASTERN SEMICIRCLE OF THE SYSTEM. INTENSITY GUIDANCE ALSO REMAINS IN GOOD AGREEMENT AMONG THE CONSENSUS MEMBERS, PRIMARILY INDICATING SLOW AND STEADY INTENSIFICATION, WITH THE PEAK AT TAU 36, WHEN THE SYSTEM BEGINS ETT. THE ONLY OUTLIER IN THE GUIDANCE IS GFS-DRIVEN COAMPS-TC, WHICH PREDICTS RAPID INTENSIFICATION OUT TO 95 KTS BY TAU 36.














