CLICK ON THE IMAGERIES BELOW TO GET THEM ENLARGED
JTWC IS ISSUING 6HOURLY WARNINGS AND 3HOURLY SATELLITE BULLETINS ON 25W. 12HOURLY WARNINGS AND 3HOURLY SATELLITE BULLETINS ARE ISSUED ON 02S.
WESTERN NORTH PACIFIC: STY 25W(MAN-YI). 16/06UTC ESTIMATED INTENSITY IS 140 KNOTS/CAT 5 US: + 50 KNOTS OVER 24 HOURS
2524111500 105N1319E 75
2524111506 109N1304E 90
2524111512 115N1290E 100
2524111518 120N1278E 115
2524111600 125N1267E 135
2524111606 132N1256E 140
2524111506 109N1304E 90
2524111512 115N1290E 100
2524111518 120N1278E 115
2524111600 125N1267E 135
2524111606 132N1256E 140
WARNING 30 ISSUED AT 16/09UTC
CLICK ON THE IMAGERY BELOW TO GET IT ANIMATED AND ENLARGED
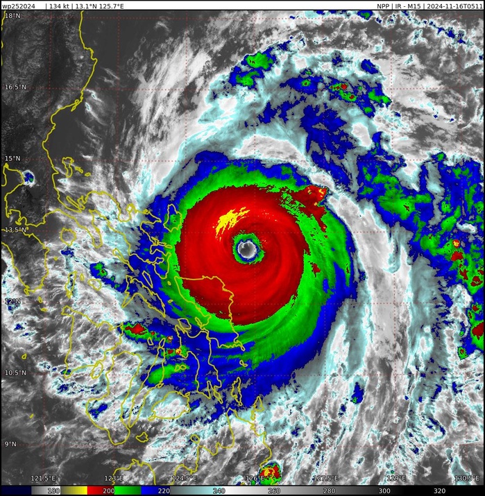
SATELLITE ANALYSIS, INITIAL POSITION AND INTENSITY DISCUSSION: ANIMATED MULTISPECTRAL SATELLITE IMAGERY (MSI) DEPICTS A VERY IMPRESSIVE SYSTEM, WITH A 15NM WIDE STADIUM EYE WITH MULTIPLE MESOVORTICES PRESENT WITHIN THE EYE. ANIMATED ENHANCED INFRARED (EIR) IMAGERY SHOWS A NEARLY SYMMETRICAL CENTRAL DENSE OVERCAST (CDO) EXTENDING OUTWARD FOR APPROXIMATELY 85NM TO 100NM, WITH THE COLDEST CLOUD TOPS AROUND -72C, OR ABOUT 3C WARMER THAN A FEW HOURS AGO. THE EYE TEMPERATURE IS MEASURED AT +21C, SLIGHTLY COOLER THAN WHEN AT ITS WARMEST (+25C) ABOUT THREE HOURS AGO. THE LAST HIGH-RESOLUTION MICROWAVE PASS FROM 2119Z REVEALED A POSSIBLE SECONDARY EYEWALL BEGINNING TO FORM, BUT THE SYSTEM HAS NOT SHOWN ANY OVERT SIGN OF AN EYEWALL REPLACEMENT CYCLE (EWRC). REGARDLESS OF THE DETAILS, STY 25W REMAINS AN EXTREMELY STRONG AND DANGEROUS SYSTEM. AT ANALYSIS TIME, THE CENTER WAS LOCATED 95NM SOUTHEAST OF VIGA AND 123NM EAST OF LEGAZPI CITY. THE INITIAL POSITION WAS ASSESSED WITH HIGH CONFIDENCE BASED ON THE SUBJECTIVE FIX POSITIONS ON THE 15NM EYE. THE INITIAL INTENSITY IS ASSESSED WITH MEDIUM CONFIDENCE, ON THE HIGHER END OF THE AGENCY DVORAK CURRENT INTENSITY ESTIMATES OF T7.0 (140 KNOTS) FROM PGTW AND RJTD. OBJECTIVE ESTIMATES CONTINUE TO BE RUNNING TOO LOW AND WITHOUT ANY RECENT WIND SPEED MEASUREMENTS, THERE IS NO WAY TO SAY WHAT THE ACTUAL INTENSITY IS WITH HIGHER CONFIDENCE. THE SYSTEM IS IN A FAVORABLE ENVIRONMENT, WITH LOW SHEAR, WARM SSTS, HIGH OHC AND GOOD RADIAL OUTFLOW.
85 – 92 GHz Polarization-Corrected Brightness Temperature
TC Warning Graphic
FORECAST REASONING. SIGNIFICANT FORECAST CHANGES: THERE ARE NO SIGNIFICANT CHANGES TO THE FORECAST FROM THE PREVIOUS WARNING. FORECAST DISCUSSION: STY 25W WILL CONTINUE TO TRACK NORTHWESTWARD ALONG THE SOUTHWEST SIDE OF THE STEERING RIDGE FOR THE NEXT 36 TO 48 HOURS. LANDFALL ALONG THE NORTHEASTERN COAST OF CATANDUANES ISLAND IS EXPECTED WITHIN THE NEXT FEW HOURS. THE SYSTEM WILL THEN SKIRT JUST NORTH OF PALILLO ISLAND BEFORE MAKING A SECOND LANDFALL BETWEEN DINGALAN AND BALER, ON THE EAST COAST OF LUZON. THE SYSTEM WILL THEN CROSS LUZON, LIKELY TRACKING ALONG THE SOUTHERN EDGE OF THE CORDILLERA CENTRAL RANGE, PASS JUST SOUTH OF BAGUIO, THEN EMERGE BACK OVER WATER VIA THE LINGAYEN GULF. BY TAU 48, THE SYSTEM WILL RUN HEAD-FIRST INTO A STRONG COLD SURGE EVENT, PRECIPITATED BY A 1045MB HIGH THAT MOVES INTO MANCHURIA OVER THE NEXT COUPLE OF DAYS, AND SLOW DOWN SIGNIFICANTLY. IN THE NEAR-TERM, THE SYSTEM SHOWS NO SIGNS OF WEAKENING AND WILL LIKELY MAKE LANDFALL AT CATANDUANES AS A 140 KNOT SUPER TYPHOON. AFTER PASSING THE ISLAND, THE SYSTEM WILL SLOWLY WEAKEN DUE TO TERRAIN INTERACTIONS AND AS IT PASSES OVER SLIGHTLY COOLER, LOWER OHC WATERS. STY 25W WILL STILL BE A VERY STRONG TYPHOON WHEN IT MAKES ITS SECOND LANDFALL, BETWEEN 120-130 KNOTS. MOVEMENT ACROSS OR VERY NEAR TO THE VERY RUGGED TERRAIN OF NORTHERN LUZON WILL TEAR UP THE VORTEX, AND COMBINED WITH A MODEST INCREASE IN SOUTHEASTERLY SHEAR, WILL LEAD TO RAPID WEAKENING THROUGH TAU 36. ONCE BACK OVER OPEN WATER, THE SYSTEM SLOWLY WEAKENS THROUGH TAU 48 DUE TO INCREASING SHEAR. AFTER TAU 48, THE SYSTEM WILL FACE RAPIDLY INCREASING SOUTHWESTERLY SHEAR WHICH WILL DECAPITATE THE VORTEX AND SMOTHER IT WITH DRY AIR, MARKING THE BEGINNING OF RAPID WEAKENING. THE SYSTEM WILL TURN SOUTHWESTWARD ALONG THE LOW-LEVEL FLOW LINES, WHILE CONTINUING TO RAPIDLY WEAKENING WITH FULL DISSIPATION EXPECTED NO LATER TAU 120 AND POTENTIALLY AS EARLY AS TAU 96.
LANDFALL AREA
Model Diagnostic Plot
MODEL DISCUSSION: DETERMINISTIC TRACK GUIDANCE IS IN VERY GOOD AGREEMENT THROUGH TAU 72, WITH LITTLE IN THE WAY OF EITHER CROSS- OR ALONG-TRACK SPREAD. THE JTWC FORECAST IS SET NEAR THE CONSENSUS MEAN TO TAU 48, THEN SHIFTS SLIGHTLY TO THE NORTHERN EDGE OF THE ENVELOPE, CLOSER TO THE ECMWF TRACKER, THROUGH TAU 72. CONFIDENCE IS HIGH THROUGH THIS POINT OF THE FORECAST. AFTER TAU 72, THE MODELS BEGIN TO DIVERGE SIGNIFICANTLY, WITH A LARGE VARIANCE IN HOW LONG THEY HOLD ONTO THE VORTEX AND HOW QUICKLY IT MOVES SOUTHWARD. THE ECMWF LOSES THE VORTEX BY TAU 96 TO THE EAST OF HAINAN WHILE THE GFS MOVES THE REMNANT VORTEX INTO EASTERN THAILAND BY TAU 120. THE JTWC FORECAST TRACKS THE CONSENSUS MEAN THROUGH TAU 120, WITH LOW CONFIDENCE. INTENSITY GUIDANCE IS IN GOOD AGREEMENT THAT THE SYSTEM WILL WEAKEN STEADILY THROUGH TAU 24, THEN RAPIDLY TO TAU 48 AND THE STEADILY THROUGH THE END OF THE FORECAST PERIOD. THE JTWC FORECAST GENERALLY FOLLOWS THE CONSENSUS BUT DEVIATES 15 KNOTS HIGHER AT TAU 24, WHERE THE CONSENSUS SHOWS A 105 KNOT INTENSITY.
Multiplatform Satellite Surface Wind Analysis (Experimental)
Radius of Maximum Wind (RMW)
VIIRS EDR Infrared (IR) 750m 10.763μm
16/0830UTC SATELLITE ANALYSIS
TPPN12 PGTW 160900
A. SUPER TYPHOON 25W (MAN-YI)
B. 16/0830Z
C. 13.49N
D. 125.28E
E. ONE/GK2A
F. T6.5/7.0/D1.5/24HRS STT: W0.5/03HRS
G. IR/EIR/VIS/MSI
H. REMARKS: 03A/PBO EYE/ANMTN. WMG EYE SURROUNDED BY B YIELDS AN E#
OF 5.5. ADDED 1.0 EYE ADJUSTMENT FOR B, TO YIELD A DT OF 6.5. MET
AND PT AGREE. DBO DT.
I. ADDITIONAL POSITIONS: NONE
EL-NAZLY
A. SUPER TYPHOON 25W (MAN-YI)
B. 16/0830Z
C. 13.49N
D. 125.28E
E. ONE/GK2A
F. T6.5/7.0/D1.5/24HRS STT: W0.5/03HRS
G. IR/EIR/VIS/MSI
H. REMARKS: 03A/PBO EYE/ANMTN. WMG EYE SURROUNDED BY B YIELDS AN E#
OF 5.5. ADDED 1.0 EYE ADJUSTMENT FOR B, TO YIELD A DT OF 6.5. MET
AND PT AGREE. DBO DT.
I. ADDITIONAL POSITIONS: NONE
EL-NAZLY
SOUTHERN HEMISPHERE/SOUTH INDIAN OCEAN: TC 02S(BHEKI). 16/06UTC ESTIMATED INTENSITY IS 75 KNOTS/CAT 1 US: + 10 KNOTS OVER 24 HOURS
0224111500 112S 759E 65
0224111506 117S 756E 65
0224111512 122S 751E 65
0224111518 126S 743E 65
0224111600 133S 736E 75
0224111606 140S 730E 75
0224111506 117S 756E 65
0224111512 122S 751E 65
0224111518 126S 743E 65
0224111600 133S 736E 75
0224111606 140S 730E 75
WARNING 5 ISSUED AT 16/09UTC
CLICK ON THE IMAGERY BELOW TO GET IT ANIMATED AND ENLARGED
SATELLITE ANALYSIS, INITIAL POSITION AND INTENSITY DISCUSSION: ANIMATED ENHANCED INFRARED (EIR) SATELLITE IMAGERY DEPICTS TROPICAL CYCLONE (TC) 02S (BHEKI) WITH A DEVELOPING BUT STILL RAGGED EYE-FEATURE, SURROUNDED BY PERSISTENT CONVECTIVE BANDING. IN ADDITION, CONVECTION HAS CONTINUED TO DEVELOP WITHIN THE PERIPHERY OF THE NORTHERN QUADRANT, WRAPPING CYCLONICALLY AROUND THE EASTERN FLANK, AND INTO THE SOUTHERN SEMICIRCLE. ON THE ANIMATED WATER VAPOR IMAGERY, IMPROVED UPPER-LEVEL OUTFLOW HAS BEEN OBSERVED OVER THE LAST FEW HOURS, ILLUSTRATED BY MODERATE RADIAL OUTFLOW EXPRESSED WITH CIRRIFORM STRIATIONS BURSTING AWAY FROM THE CENTER STRUCTURE. THE ENVIRONMENT CONTINUES TO BE FAVORABLE FOR FURTHER INTENSIFICATION AS THE SYSTEM APPROACHES THE SUBTROPICAL RIDGE (STR) AXIS, VERTICAL WIND SHEAR (VWS) FROM THE NORTHEAST REMAINS LESS THAN 15 KTS, AND SEA SURFACE TEMPERATURES (SSTS) CONTINUE BETWEEN 27 C TO 28 C. THE INITIAL POSITION IS PLACED WITH HIGH CONFIDENCE BASED ON THE AFOREMENTIONED DEVELOPING EYE FEATURE OBSERVED ON ANIMATED EIR SATELLITE IMAGERY. THE INITIAL INTENSITY IS ASSESSED WITH MEDIUM CONFIDENCE BASED ON SUBJECTIVE AGENCY DVORAK ESTIMATES ALIGNING AT T4.5, AND CIMSS OBJECTIVE ESTIMATES RANGING BETWEEN 68 KTS AND 81 KTS.
TC Warning Graphic
FORECAST REASONING. SIGNIFICANT FORECAST CHANGES: THERE ARE NO SIGNIFICANT CHANGES TO THE FORECAST FROM THE PREVIOUS WARNING. FORECAST DISCUSSION: TC 02S IS FORECASTED TO TRACK TO THE SOUTHWEST ALONG THE WESTERN PERIPHERY OF THE STR DIRECTLY TO THE EAST UNTIL TAU 48, AS A SHORTWAVE TROUGH ASSOCIATED WITH THE MID-LATITUDE WESTERLIES ASSISTS IN THE SOUTHWESTWARD PULL TOWARD LATITUDE 18S. AS THE SYSTEM TRACKS SOUTHWEST, A SOUTHEAST TO NORTHWEST ORIENTED STR BEGINS TO BUILD JUST SOUTHWEST OF TC BHEKI. FOLLOWING TAU 48, THE STR THAT BEGINS TO BUILD TO THE SOUTHWEST FLATTENS OUT THE TRACK, FORCING THE TROPICAL CYCLONE ON A GENERALLY WESTWARD TRACK UNTIL TAU 120. WITH REGARD TO INTENSITY, TC 02S IS EXPECTED TO CONTINUE INTENSIFYING UNTIL TAU 24 DURING THE APPROACH TOWARD THE STR AXIS. FOLLOWING TAU 24, SSTS BEGIN TO DROP TO LESS THAN 26 C, STARTING THE INITIAL WEAKENING PHASE. AS TC BHEKI CONTINUES SOUTHWESTWARD AFTER TAU 24, VWS INCREASES TO ABOVE 20 KTS, WEAKENING THE SYSTEM TO 75 KTS BY TAU 48. AT TAU 48, DRY AIR ENTRAINMENT INTO THE CORE AND VWS ABOVE 30 KTS WILL CONTINUE TO STEADILY ERODE THE TROPICAL CYCLONE, WITH FORECASTED INTENSITIES TO 35 KTS BY THE END OF THE FORECAST PERIOD AS THE ENVIRONMENT BECOMES NON-CONDUCIVE FOR TROPICAL CYCLONE SUSTAINMENT.
Model Diagnostic Plot
MODEL DISCUSSION: NUMERICAL MODEL GUIDANCE CONTINUES TO BE IN GOOD AGREEMENT THROUGHOUT THE FORECAST PERIOD FOR TC 02S, WITH A CROSS-TRACK SPREAD OF 150 NM BY TAU 72, GRADUALLY INCREASING TO 244 NM BY TAU 120. THE JTWC FORECAST CONTINUES TO ALIGN CLOSELY WITH THE JTWC CONSENSUS MEAN AND PREVIOUS FORECAST, WITH A SOUTHWEST TRACK THROUGH THE NEXT 48 HOURS, BECOMING GENERALLY WESTWARD THEREAFTER. OF NOTE, ALTHOUGH THE UKMET ENSEMBLE INDICATES A WEST-NORTHWESTERLY TRACK AFTER TAU 72, AND ECMWF AND NAVGEM TRACK TC 02S FURTHER WEST-SOUTHWEST, THE JTWC FORECAST REMAINS VERY CLOSE TO THE JTWC CONSENSUS, GFS, AND THE UKMET DETERMINISTIC SOLUTIONS, LENDING HIGH CONFIDENCE WITHIN THE INITIAL 72 HOURS, AND MEDIUM CONFIDENCE AFTERWARD. WITH REGARD TO INTENSITY, ALL INTENSITY MEMBERS INDICATE A RELATIVELY SHORT INTENSIFICATION WINDOW IN THE INITIAL 24 HOURS, LENDING HIGH CONFIDENCE TO THE 0-72 INTENSITY FORECAST. FOLLOWING TAU 72, THERE IS MEDIUM CONFIDENCE IN THE INTENSITY FORECAST DUE TO ENVIRONMENTAL UNCERTAINTIES AS THE STR BEGINS TO BUILD SOUTHWEST OF TC 02S BETWEEN TAU 72 AND TAU 120.
Multiplatform Satellite Surface Wind Analysis (Experimental)
Radius of Maximum Wind (RMW)
16/0830UTC SATELLITE ANALYSIS
TPXS10 PGTW 160902
A. TROPICAL CYCLONE 02S (BHEKI)
B. 16/0830Z
C. 14.39S
D. 72.63E
E. FIVE/MET9
F. T4.5/4.5/D0.5/24HRS STT: S0.0/03HRS
G. IR/EIR/VIS/MSI
H. REMARKS: 40A/PBO SBC/ANMTN. LLCC EMBEDDED IN LG YIELDS A DT OF
4.5. MET YIELDS 5.0. PT YIELDS 4.5. DBO DT.
I. ADDITIONAL POSITIONS: NONE
EL-NAZLY
A. TROPICAL CYCLONE 02S (BHEKI)
B. 16/0830Z
C. 14.39S
D. 72.63E
E. FIVE/MET9
F. T4.5/4.5/D0.5/24HRS STT: S0.0/03HRS
G. IR/EIR/VIS/MSI
H. REMARKS: 40A/PBO SBC/ANMTN. LLCC EMBEDDED IN LG YIELDS A DT OF
4.5. MET YIELDS 5.0. PT YIELDS 4.5. DBO DT.
I. ADDITIONAL POSITIONS: NONE
EL-NAZLY
WESTERN NORTH PACIFIC: SUPER TYPHHON 27W(USAGI). FINAL WARNING. ESTIMATED PEAK INTENSITY WAS 130 KNOTS/CAT 4 US.
2724110906 71N1482E 15
2724110912 76N1472E 15
2724110918 82N1462E 15
2724111000 88N1454E 20
2724111006 97N1440E 20
2724111012 107N1425E 20
2724111018 115N1411E 20
2724111100 122N1394E 30
2724111106 124N1380E 35
2724111112 125N1365E 40
2724111118 129N1349E 45
2724111200 136N1337E 45
2724111206 140N1318E 50
2724111212 144N1304E 55
2724111218 148N1289E 65
2724111300 151N1278E 70
2724111306 156N1265E 75
2724111312 162N1253E 115
2724111318 166N1240E 130
2724111400 172N1231E 130
2724111406 179N1221E 115
2724111412 188N1211E 55
2724111418 198N1205E 70
2724111500 205N1201E 65
2724111506 211N1194E 45
2724111512 215N1196E 40
2724111518 222N1199E 35
2724111600 224N1203E 30
2724111606 222N1206E 25
2724110912 76N1472E 15
2724110918 82N1462E 15
2724111000 88N1454E 20
2724111006 97N1440E 20
2724111012 107N1425E 20
2724111018 115N1411E 20
2724111100 122N1394E 30
2724111106 124N1380E 35
2724111112 125N1365E 40
2724111118 129N1349E 45
2724111200 136N1337E 45
2724111206 140N1318E 50
2724111212 144N1304E 55
2724111218 148N1289E 65
2724111300 151N1278E 70
2724111306 156N1265E 75
2724111312 162N1253E 115
2724111318 166N1240E 130
2724111400 172N1231E 130
2724111406 179N1221E 115
2724111412 188N1211E 55
2724111418 198N1205E 70
2724111500 205N1201E 65
2724111506 211N1194E 45
2724111512 215N1196E 40
2724111518 222N1199E 35
2724111600 224N1203E 30
2724111606 222N1206E 25



















