Dvorak has been at 6.0+ past hours while Stacon is at 122knots at 19UTC. 02W is probably tapping into strong poleward outflow to sustain such an intensity.
https://www.meteo974.re/M974World_r7.html
2019 FEB 24 2220UTC WESTERN NORTH PACIFIC
MSGID/GENADMIN/JOINT TYPHOON WRNCEN PEARL HARBOR HI//
SUBJ/PROGNOSTIC REASONING FOR TYPHOON 02W (WUTIP) WARNING NR
23//
RMKS/
1. FOR METEOROLOGISTS.
2. 6 HOUR SUMMARY AND ANALYSIS.
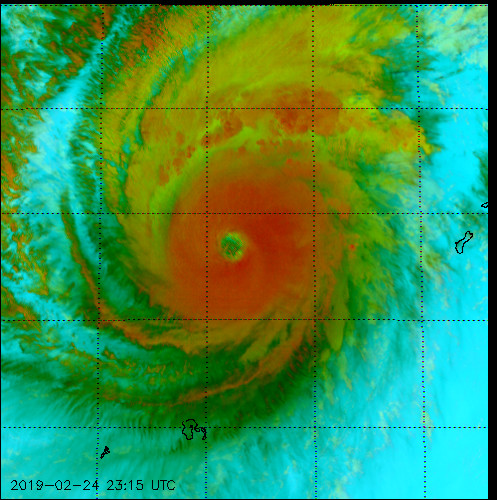
TYPHOON 02W (WUTIP), LOCATED APPROXIMATELY 228 NM WEST OF NAVSTA
GUAM, HAS TRACKED WESTWARD AT 05 KNOTS OVER THE PAST SIX HOURS.
ANIMATED ENHANCED INFRARED (EIR) SATELLITE IMAGERY DEPICTS
DEEPENING, INCREASINGLY ORGANIZED CONVECTION IN THE EYEWALL. THE EYE
IN EIR IMAGERY SUPPORTS THE INITIAL POSITION WITH HIGH CONFIDENCE. A
241551Z 89GHZ AMSR-2 MICROWAVE IMAGE INDICATES A THICKENING, ROBUST
PRIMARY EYEWALL SURROUNDING A MICROWAVE EYE. THE INITIAL INTENSITY
IS ASSESSED AT 110 KNOTS BASED ON THE INCREASINGLY SYMMETRIC
EYEWALL, AND FALLS BETWEEN DVORAK CURRENT INTENSITY ESTIMATES
RANGING FROM 5.5 TO 6.0 (102-115 KNOTS). THE 231840Z AUTOMATED
DVORAK TECHNIQUE ESTIMATE OF T5.8 (110 KTS) SUPPORTS THE INITIAL
INTENSITY. UPPER-LEVEL CONDITIONS REMAIN FAVORABLE WITH LOW (5 TO 10
KNOTS) SOUTHEASTERLY VERTICAL WIND SHEAR (VWS), A ROBUST POLEWARD
OUTFLOW CHANNEL AND GOOD EQUATORWARD OUTFLOW. SST VALUES REMAIN
FAVORABLE AT 27C, ALTHOUGH OCEAN HEAT CONTENT (OHC) IS LOW. TY 02W
IS TRACKING WESTWARD UNDER THE STEERING INFLUENCE OF A DEEP-LAYERED
SUBTROPICAL RIDGE (STR) POSITIONED TO THE NORTHEAST, WHICH BUILT
INTO THE AREA IN THE PAST 6 HOURS AND PUSHED TY 02W WESTWARD.
3. FORECAST REASONING.
A. THERE IS NO CHANGE TO THE FORECAST PHILOSOPHY SINCE THE
PREVIOUS PROGNOSTIC REASONING MESSAGE.
B. THROUGH TAU 36, AN APPROACHING SHORTWAVE TROUGH TO THE
NORTHWEST WILL CAUSE A BREAK IN THE STR AND ALLOW TY 02W TO MOVE TO
THE NORTHWEST. GRADUAL WEAKENING IS EXPECTED DUE TO DRY AIR
ENTRAINMENT AND SLOW MOTION OVER LOW OHC WATERS. AFTER TAU 36, THE
SHORTWAVE TROUGH IS FORECAST TO SHIFT NORTHEAST ALLOWING AN
EXTENSION OF THE LOW- TO MID-LEVEL STR TO BUILD TO THE NORTH.
CONSEQUENTLY, 02W WILL TURN WEST-NORTHWESTWARD AND ACCELERATE. MORE
SIGNIFICANT WEAKENING IS EXPECTED AS VWS INCREASES AND SST VALUES
DECREASE SLIGHTLY TO 26C. NUMERICAL MODEL GUIDANCE IS IN FAIR
AGREEMENT WITH SOME UNCERTAINTY IN THE TIMING OF THE TURN TO THE
WEST-NORTHWEST.
C. AFTER TAU 72, INCREASING VWS (OVER 30 KTS) AND CONVERGENCE
ASSOCIATED WITH INCREASING UPPER-LEVEL (200MB) WESTERLIES OVER THE
SYSTEM AS WELL AS DRY, COLD AIR ENTRAINMENT ASSOCIATED WITH A
NORTHEAST SURGE EVENT WILL SERVE TO RAPIDLY WEAKEN THE SYSTEM
LEADING TO DISSIPATION BY TAU 96. WITH THE EXCEPTION OF NAVGEM,
WHICH HAS CONSISTENTLY BEEN THE NORTHERN OUTLIER, AND THE MOST
RECENT RUN OF ECMWF WHICH PREDICTS A SHARPER NORTHWARD TRACK IN THE
NEAR-TERM, MODEL GUIDANCE IS IN FAIR AGREEMENT. GIVEN RECENT
WESTWARD MOTION, THE JTWC TRACK FORECAST IS HEDGED SOUTHWEST OF THE
MULTI-MODEL CONSENSUS. OVERALL, THERE IS LOW CONFIDENCE (HIGH
UNCERTAINTY) IN THE JTWC FORECAST TRACK DUE TO THE RAPIDLY EVOLVING
SYNOPTIC ENVIRONMENT.//
NNNN
https://www.meteo974.re/M974World_r7.html
2019 FEB 24 2220UTC WESTERN NORTH PACIFIC
TY #WUTIP #02W
This system is currently analysed as a 110knots TC, CAT3 US.
WARNING 23/JTWC
Click on the image to read the Remarks for Warning 23 and view sat pics and charts .
Satellite bulletins are to be found in the comments of this post on JTWC BIS.
As of 18:00 UTC Feb 24, 2019:
Location: 13.1°N 140.7°E
Maximum Winds: 110 kt (205km/h)
Gusts: 135 kt (250km/h)
Minimum Central Pressure: 947 mb
https://www.facebook.com/groups/1817419381676514/
Cheers,
Patrick Hoareau
WDPN31 PGTW 242100 This system is currently analysed as a 110knots TC, CAT3 US.
WARNING 23/JTWC
Click on the image to read the Remarks for Warning 23 and view sat pics and charts .
Satellite bulletins are to be found in the comments of this post on JTWC BIS.
As of 18:00 UTC Feb 24, 2019:
Location: 13.1°N 140.7°E
Maximum Winds: 110 kt (205km/h)
Gusts: 135 kt (250km/h)
Minimum Central Pressure: 947 mb
https://www.facebook.com/groups/1817419381676514/
Cheers,
Patrick Hoareau
MSGID/GENADMIN/JOINT TYPHOON WRNCEN PEARL HARBOR HI//
SUBJ/PROGNOSTIC REASONING FOR TYPHOON 02W (WUTIP) WARNING NR
23//
RMKS/
1. FOR METEOROLOGISTS.
2. 6 HOUR SUMMARY AND ANALYSIS.
TYPHOON 02W (WUTIP), LOCATED APPROXIMATELY 228 NM WEST OF NAVSTA
GUAM, HAS TRACKED WESTWARD AT 05 KNOTS OVER THE PAST SIX HOURS.
ANIMATED ENHANCED INFRARED (EIR) SATELLITE IMAGERY DEPICTS
DEEPENING, INCREASINGLY ORGANIZED CONVECTION IN THE EYEWALL. THE EYE
IN EIR IMAGERY SUPPORTS THE INITIAL POSITION WITH HIGH CONFIDENCE. A
241551Z 89GHZ AMSR-2 MICROWAVE IMAGE INDICATES A THICKENING, ROBUST
PRIMARY EYEWALL SURROUNDING A MICROWAVE EYE. THE INITIAL INTENSITY
IS ASSESSED AT 110 KNOTS BASED ON THE INCREASINGLY SYMMETRIC
EYEWALL, AND FALLS BETWEEN DVORAK CURRENT INTENSITY ESTIMATES
RANGING FROM 5.5 TO 6.0 (102-115 KNOTS). THE 231840Z AUTOMATED
DVORAK TECHNIQUE ESTIMATE OF T5.8 (110 KTS) SUPPORTS THE INITIAL
INTENSITY. UPPER-LEVEL CONDITIONS REMAIN FAVORABLE WITH LOW (5 TO 10
KNOTS) SOUTHEASTERLY VERTICAL WIND SHEAR (VWS), A ROBUST POLEWARD
OUTFLOW CHANNEL AND GOOD EQUATORWARD OUTFLOW. SST VALUES REMAIN
FAVORABLE AT 27C, ALTHOUGH OCEAN HEAT CONTENT (OHC) IS LOW. TY 02W
IS TRACKING WESTWARD UNDER THE STEERING INFLUENCE OF A DEEP-LAYERED
SUBTROPICAL RIDGE (STR) POSITIONED TO THE NORTHEAST, WHICH BUILT
INTO THE AREA IN THE PAST 6 HOURS AND PUSHED TY 02W WESTWARD.
3. FORECAST REASONING.
A. THERE IS NO CHANGE TO THE FORECAST PHILOSOPHY SINCE THE
PREVIOUS PROGNOSTIC REASONING MESSAGE.
B. THROUGH TAU 36, AN APPROACHING SHORTWAVE TROUGH TO THE
NORTHWEST WILL CAUSE A BREAK IN THE STR AND ALLOW TY 02W TO MOVE TO
THE NORTHWEST. GRADUAL WEAKENING IS EXPECTED DUE TO DRY AIR
ENTRAINMENT AND SLOW MOTION OVER LOW OHC WATERS. AFTER TAU 36, THE
SHORTWAVE TROUGH IS FORECAST TO SHIFT NORTHEAST ALLOWING AN
EXTENSION OF THE LOW- TO MID-LEVEL STR TO BUILD TO THE NORTH.
CONSEQUENTLY, 02W WILL TURN WEST-NORTHWESTWARD AND ACCELERATE. MORE
SIGNIFICANT WEAKENING IS EXPECTED AS VWS INCREASES AND SST VALUES
DECREASE SLIGHTLY TO 26C. NUMERICAL MODEL GUIDANCE IS IN FAIR
AGREEMENT WITH SOME UNCERTAINTY IN THE TIMING OF THE TURN TO THE
WEST-NORTHWEST.
C. AFTER TAU 72, INCREASING VWS (OVER 30 KTS) AND CONVERGENCE
ASSOCIATED WITH INCREASING UPPER-LEVEL (200MB) WESTERLIES OVER THE
SYSTEM AS WELL AS DRY, COLD AIR ENTRAINMENT ASSOCIATED WITH A
NORTHEAST SURGE EVENT WILL SERVE TO RAPIDLY WEAKEN THE SYSTEM
LEADING TO DISSIPATION BY TAU 96. WITH THE EXCEPTION OF NAVGEM,
WHICH HAS CONSISTENTLY BEEN THE NORTHERN OUTLIER, AND THE MOST
RECENT RUN OF ECMWF WHICH PREDICTS A SHARPER NORTHWARD TRACK IN THE
NEAR-TERM, MODEL GUIDANCE IS IN FAIR AGREEMENT. GIVEN RECENT
WESTWARD MOTION, THE JTWC TRACK FORECAST IS HEDGED SOUTHWEST OF THE
MULTI-MODEL CONSENSUS. OVERALL, THERE IS LOW CONFIDENCE (HIGH
UNCERTAINTY) IN THE JTWC FORECAST TRACK DUE TO THE RAPIDLY EVOLVING
SYNOPTIC ENVIRONMENT.//
NNNN


2315UTC