Location: 19.5°S 38.5°E
Maximum Winds: 90 kt ( 170km/h)
Gusts: 110 kt (205km/h)
Minimum Central Pressure: 956 mb
CATEGORY 2 US
REMARKS:
132100Z POSITION NEAR 19.5S 38.1E.
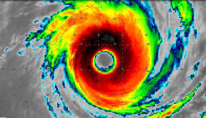
TROPICAL CYCLONE (TC) 18S (IDAI), LOCATED APPROXIMATELY 188 NM NORTH-
NORTHWEST OF EUROPA ISLAND, HAS TRACKED WESTWARD AT 05 KNOTS OVER
THE PAST SIX HOURS. ANIMATED ENHANCED INFRARED SATELLITE IMAGERY
(EIR) SHOWS A SYMMETRIC SYSTEM WITH A BROAD (25-30NM) EYEWALL AND
WELL-DEVELOPED BANDING. THE INITIAL POSITION IS BASED WITH HIGH
CONFIDENCE ON THE EYE IN THE EIR LOOP AND LINES UP WITH THE
MICROWAVE EYE FEATURE IN THE 131904Z METOP-B AMSU 89GHZ MICROWAVE
IMAGE. THE INITIAL INTENSITY IS HEDGED ON THE LOW SIDE OF DVORAK
ESTIMATES OF T5.0-6.0 (90KTS-115KTS) FROM PGTW AND KNES,
RESPECTIVELY, DUE TO WARMING CLOUD TOPS IN THE EYEWALL AND THE BROAD
EYE. THE ENVIRONMENT IS MARGINALLY FAVORABLE WITH WARM (27-29
CELSIUS) SEA SURFACE TEMPERATURES, A ROBUST POLEWARD OUTFLOW CHANNEL
AND WEAK EQUATORWARD OUTFLOW, AND LOW (05-10KT) VERTICAL WIND SHEAR
BEING PARTIALLY OFFSET BY DRY AIR BEING ENTRAINED FROM CONTINENTAL
AFRICA. TC 18S WILL CONTINUE TO TRACK ALONG THE NORTHERN PERIPHERY
OF THE SUBTROPICAL RIDGE (STR) TO THE SOUTHWEST. AFTER TAU 36, THE
STR WILL REORIENT AND DRIVE THE CYCLONE WEST-NORTHWESTWARD. THE
MARGINALLY FAVORABLE CONDITIONS WILL SUSTAIN TC 18S AT ITS CURRENT
INTENSITY OVER THE NEXT 12 HOURS; AFTERWARD, LAND INTERACTION WITH
MOZAMBIQUE, ESPECIALLY AFTER LANDFALL PAST TAU 24, WILL RAPIDLY
ERODE THE SYSTEM, LEADING TO DISSIPATION BY TAU 72. NUMERICAL MODELS
ARE IN TIGHT AGREEMENT UP TO TAU 36 THEN SPREAD SIGNIFICANTLY
AFTERWARD. THEREFORE, THERE IS HIGH CONFIDENCE IN THE JTWC TRACK
FORECAST UP TO TAU 36, THEN GOOD CONFIDENCE AFTERWARD. MAXIMUM
SIGNIFICANT WAVE HEIGHT AT 131800Z IS 35 FEET. NEXT WARNINGS AT
140300Z, 140900Z, 141500Z AND 142100Z.//
NNNN













