No threat to any land.
https://www.meteo974.re/M974World_r7.html
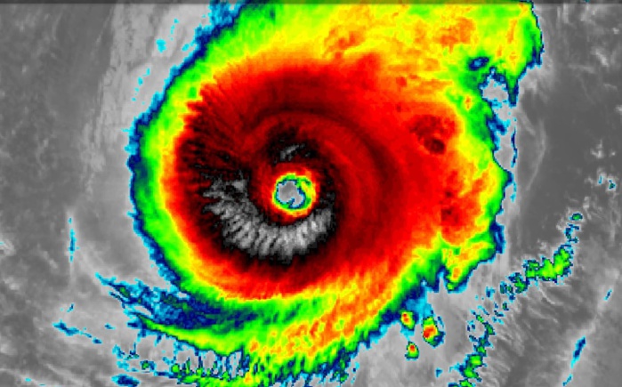
2019 FEB 25 2030UTC WESTERN NORTH PACIFIC
STY #WUTIP #02W
This system is currently analysed as a 130knots TC, CAT4 US.
WDPN31 PGTW 252100
MSGID/GENADMIN/JOINT TYPHOON WRNCEN PEARL HARBOR HI//
SUBJ/PROGNOSTIC REASONING FOR SUPER TYPHOON 02W (WUTIP) WARNING NR
27//
RMKS/
1. FOR METEOROLOGISTS.
2. 6 HOUR SUMMARY AND ANALYSIS.
SUPER TYPHOON (STY) 02W (WUTIP), LOCATED APPROXIMATELY 297 NM
WEST-NORTHWEST OF ANDERSEN AFB, GUAM, HAS TRACKED NORTH-NORTHWESTWARD
AT 05 KNOTS OVER THE PAST SIX HOURS. ANIMATED ENHANCED INFRARED (EIR)
SATELLITE IMAGERY SHOWS THE SYSTEM HAS MAINTAINED A HIGHLY SYMMETRIC
PROFILE WITH DEEP ANNULAR CONVECTIVE RINGS SURROUNDING A
SHARPLY-OUTLINED 22NM EYE. THE INITIAL POSITION IS BASED WITH HIGH
CONFIDENCE ON THE EYE FEATURE IN THE EIR LOOP AFTER A SLIGHT TILT
ADJUSTMENT USING THE NEAR-SURFACE MICROWAVE EYE FEATURE IN THE 36GHZ
251633Z AMSR2 IMAGE. THE INITIAL INTENSITY OF 130 KNOTS IS ASSESSED
FROM AGENCY AND OBJECTIVE DVORAK ESTIMATES RANGING FROM T6.1 TO T7.0.
DESPITE THE MARGINALLY FAVORABLE SEA SURFACE TEMPERATURES (SSTS) OF
26 TO 27C AND LOW OCEAN HEAT CONTENT, THE SYSTEM HAS MAINTAINED
EXCELLENT RADIAL OUTFLOW WITH A VERY STRONG POLEWARD BIAS. THIS, IN
ADDITION TO LOW (05-10 KNOT) VERTICAL WIND SHEAR (VWS) HAVE SUSTAINED
ITS STY INTENSITY. THE CYCLONE IS TRACKING UNDER THE DEEP-LAYERED
SUBTROPICAL RIDGE (STR) TO THE NORTHEAST.
3. FORECAST REASONING.
A. THERE IS NO CHANGE TO THE FORECAST PHILOSOPHY SINCE THE
PREVIOUS PROGNOSTIC REASONING MESSAGE.
B. THROUGH TAU 24, STY 02W IS FORECAST TO TRACK NORTHWESTWARD TO
WEST-NORTHWESTWARD SLOWLY UNDER THE STEERING INFLUENCE OF THE STR
TOWARD A BREAK ASSOCIATED WITH A SHORTWAVE TO THE NORTH THAT IS
PROPAGATING EASTWARD. GRADUAL WEAKENING IS EXPECTED AS VWS BEGINS TO
INCREASE (15-20 KNOTS) ALONG THE NORTHERN PERIPHERIES AND DRY AIR
ENTRAINMENT COMMENCES, AS EVIDENCED IN THE CIMSS ANIMATED TOTAL
PRECIPITABLE WATER IMAGERY. AFTER TAU 24, THE SHORTWAVE TROUGH IS
FORECAST TO SHIFT NORTHEAST ALLOWING AN EXTENSION OF THE LOW- TO
MID-LEVEL STR TO REBUILD TO THE NORTH. CONSEQUENTLY, STY WUTIP WILL
TURN WESTWARD AND ACCELERATE. MORE SIGNIFICANT WEAKENING IS EXPECTED
BY TAU 36 AS VWS FURTHER INCREASES (GREATER THAN 25 KNOTS) AND SSTS
DECREASE TO 26C. NUMERICAL MODEL GUIDANCE IS IN FAIR AGREEMENT WITH
SOME UNCERTAINTY IN THE TIMING OF THE TURN TO THE WEST LEADING TO
FAIR CONFIDENCE IN THIS PORTION OF THE JTWC TRACK FORECAST.
C. AFTER TAU 72, STY WUTIP WILL CONTINUE ON A WEST-NORTHWESTWARD
TRACK UNDER THE AFOREMENTIONED STR EXTENSION. INCREASING VWS (30-40
KTS) AND CONVERGENCE ASSOCIATED WITH INCREASING UPPER-LEVEL (200MB)
WESTERLIES OVER THE SYSTEM AS WELL AS DRY AIR ENTRAINMENT ASSOCIATED
WITH A NORTHEAST SURGE EVENT WILL RAPIDLY WEAKEN THE SYSTEM, LEADING
TO DISSIPATION BY TAU 120. NUMERICAL MODELS DIVERGE SIGNIFICANTLY
ALONG AND ACROSS TRACKS BY OVER 300NM, LEADING TO LOW CONFIDENCE IN
THE JTWC FORECAST TRACK.//
NNNN
https://www.meteo974.re/M974World_r7.html
2019 FEB 25 2030UTC WESTERN NORTH PACIFIC
STY #WUTIP #02W
This system is currently analysed as a 130knots TC, CAT4 US.
WARNING 27/JTWC
Click on the image to read the Remarks for Warning 27 and view sat pics and charts .
Satellite bulletins are to be found in the comments of this post on JTWC BIS.
As of 18:00 UTC Feb 25, 2019:
Location: 14.7°N 139.9°E
Maximum Winds: 130 kt (240km/h)
Gusts: 160 kt (300km/h)
Minimum Central Pressure: 930 mb
https://www.facebook.com/groups/1817419381676514/
Cheers,
Patrick Hoareau
Click on the image to read the Remarks for Warning 27 and view sat pics and charts .
Satellite bulletins are to be found in the comments of this post on JTWC BIS.
As of 18:00 UTC Feb 25, 2019:
Location: 14.7°N 139.9°E
Maximum Winds: 130 kt (240km/h)
Gusts: 160 kt (300km/h)
Minimum Central Pressure: 930 mb
https://www.facebook.com/groups/1817419381676514/
Cheers,
Patrick Hoareau
WDPN31 PGTW 252100
MSGID/GENADMIN/JOINT TYPHOON WRNCEN PEARL HARBOR HI//
SUBJ/PROGNOSTIC REASONING FOR SUPER TYPHOON 02W (WUTIP) WARNING NR
27//
RMKS/
1. FOR METEOROLOGISTS.
2. 6 HOUR SUMMARY AND ANALYSIS.
SUPER TYPHOON (STY) 02W (WUTIP), LOCATED APPROXIMATELY 297 NM
WEST-NORTHWEST OF ANDERSEN AFB, GUAM, HAS TRACKED NORTH-NORTHWESTWARD
AT 05 KNOTS OVER THE PAST SIX HOURS. ANIMATED ENHANCED INFRARED (EIR)
SATELLITE IMAGERY SHOWS THE SYSTEM HAS MAINTAINED A HIGHLY SYMMETRIC
PROFILE WITH DEEP ANNULAR CONVECTIVE RINGS SURROUNDING A
SHARPLY-OUTLINED 22NM EYE. THE INITIAL POSITION IS BASED WITH HIGH
CONFIDENCE ON THE EYE FEATURE IN THE EIR LOOP AFTER A SLIGHT TILT
ADJUSTMENT USING THE NEAR-SURFACE MICROWAVE EYE FEATURE IN THE 36GHZ
251633Z AMSR2 IMAGE. THE INITIAL INTENSITY OF 130 KNOTS IS ASSESSED
FROM AGENCY AND OBJECTIVE DVORAK ESTIMATES RANGING FROM T6.1 TO T7.0.
DESPITE THE MARGINALLY FAVORABLE SEA SURFACE TEMPERATURES (SSTS) OF
26 TO 27C AND LOW OCEAN HEAT CONTENT, THE SYSTEM HAS MAINTAINED
EXCELLENT RADIAL OUTFLOW WITH A VERY STRONG POLEWARD BIAS. THIS, IN
ADDITION TO LOW (05-10 KNOT) VERTICAL WIND SHEAR (VWS) HAVE SUSTAINED
ITS STY INTENSITY. THE CYCLONE IS TRACKING UNDER THE DEEP-LAYERED
SUBTROPICAL RIDGE (STR) TO THE NORTHEAST.
3. FORECAST REASONING.
A. THERE IS NO CHANGE TO THE FORECAST PHILOSOPHY SINCE THE
PREVIOUS PROGNOSTIC REASONING MESSAGE.
B. THROUGH TAU 24, STY 02W IS FORECAST TO TRACK NORTHWESTWARD TO
WEST-NORTHWESTWARD SLOWLY UNDER THE STEERING INFLUENCE OF THE STR
TOWARD A BREAK ASSOCIATED WITH A SHORTWAVE TO THE NORTH THAT IS
PROPAGATING EASTWARD. GRADUAL WEAKENING IS EXPECTED AS VWS BEGINS TO
INCREASE (15-20 KNOTS) ALONG THE NORTHERN PERIPHERIES AND DRY AIR
ENTRAINMENT COMMENCES, AS EVIDENCED IN THE CIMSS ANIMATED TOTAL
PRECIPITABLE WATER IMAGERY. AFTER TAU 24, THE SHORTWAVE TROUGH IS
FORECAST TO SHIFT NORTHEAST ALLOWING AN EXTENSION OF THE LOW- TO
MID-LEVEL STR TO REBUILD TO THE NORTH. CONSEQUENTLY, STY WUTIP WILL
TURN WESTWARD AND ACCELERATE. MORE SIGNIFICANT WEAKENING IS EXPECTED
BY TAU 36 AS VWS FURTHER INCREASES (GREATER THAN 25 KNOTS) AND SSTS
DECREASE TO 26C. NUMERICAL MODEL GUIDANCE IS IN FAIR AGREEMENT WITH
SOME UNCERTAINTY IN THE TIMING OF THE TURN TO THE WEST LEADING TO
FAIR CONFIDENCE IN THIS PORTION OF THE JTWC TRACK FORECAST.
C. AFTER TAU 72, STY WUTIP WILL CONTINUE ON A WEST-NORTHWESTWARD
TRACK UNDER THE AFOREMENTIONED STR EXTENSION. INCREASING VWS (30-40
KTS) AND CONVERGENCE ASSOCIATED WITH INCREASING UPPER-LEVEL (200MB)
WESTERLIES OVER THE SYSTEM AS WELL AS DRY AIR ENTRAINMENT ASSOCIATED
WITH A NORTHEAST SURGE EVENT WILL RAPIDLY WEAKEN THE SYSTEM, LEADING
TO DISSIPATION BY TAU 120. NUMERICAL MODELS DIVERGE SIGNIFICANTLY
ALONG AND ACROSS TRACKS BY OVER 300NM, LEADING TO LOW CONFIDENCE IN
THE JTWC FORECAST TRACK.//
NNNN














