2019 FEB 22 15UTC WESTERN NORTH PACIFIC
TY #WUTIP #02W
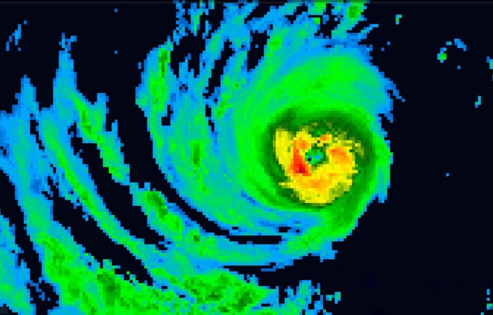
My Remarks: looks like 02W has peaked. Very latest sat data indicate increasing pressure on the eastern quadrant. Fair confidence in the forecast track over 72H, low afterwards.
This system is currently analysed as a 105knots TC, CAT3 US.
TY #WUTIP #02W
My Remarks: looks like 02W has peaked. Very latest sat data indicate increasing pressure on the eastern quadrant. Fair confidence in the forecast track over 72H, low afterwards.
This system is currently analysed as a 105knots TC, CAT3 US.
WARNING 14/JTWC
Click on the TC graphic to read the Remarks for Warning 14 and view sat pics and charts .
Satellite bulletins are to be found in the comments of this post on JTWC BIS.
As of 12:00 UTC Feb 22, 2019:
Location: 9.8°N 145.1°E
Maximum Winds: 105 kt (195km/h)
Gusts: 130 kt (240km/h)
Minimum Central Pressure: mb
https://www.facebook.com/groups/1817419381676514/
Cheers,
Patrick Hoareau
WDPN31 PGTW 221500
MSGID/GENADMIN/JOINT TYPHOON WRNCEN PEARL HARBOR HI//
SUBJ/PROGNOSTIC REASONING FOR TYPHOON 02W (WUTIP) WARNING NR 14//
RMKS/
1. FOR METEOROLOGISTS.
2. 6 HOUR SUMMARY AND ANALYSIS.
TYPHOON (TY) 02W (WUTIP), LOCATED APPROXIMATELY 234 NM SOUTH OF
ANDERSEN AFB, GUAM, HAS TRACKED NORTHWESTWARD AT 13 KNOTS OVER THE
PAST SIX HOURS. ANIMATED ENHANCED INFRARED SATELLITE IMAGERY SHOWS
THE SYSTEM HAS INTENSIFIED SOME MORE, ALBEIT SLIGHTLY, AS EVIDENCED
BY A MORE SYMMETRIC CENTRAL CONVECTION AND THE EMERGENCE OF A DEFINED
20-NM EYE. THE INITIAL POSITION IS PLACED WITH HIGH CONFIDENCE BASED
ON THE EYE WITH MINOR ADJUSTMENT TO ACCOUNT FOR A SLIGHT POLEWARD
TILT AND LINED UP WITH A MICROWAVE EYE IN THE 220915Z 37GHZ SSMIS
COLOR-ENHANCED IMAGE. ANALYSIS INDICATES AN OVERALL FAVORABLE
ENVIRONMENT WITH LOW TO MODERATE (15-20 KNOT) VERTICAL WIND SHEAR
(VWS) THAT IS OFFSET BY A ROBUST RADIAL OUTFLOW. SEA SURFACE
TEMPERATURES (SSTS) OF 29 CELSIUS ARE ALSO CONDUCIVE. THE CYCLONE IS
TRACKING ALONG THE SOUTHWEST PERIPHERY OF A DEEP-LAYER SUBTROPICAL
RIDGE (STR) TO THE NORTH-NORTHEAST.
3. FORECAST REASONING.
A. THERE IS NO CHANGE TO THE FORECAST PHILOSOPHY SINCE THE
PREVIOUS FORECAST.
B. UNDER THE STEERING INFLUENCE OF THE STR, TY 02W WILL CONTINUE
TO TRACK NORTHWESTWARD THROUGH TAU 36 BEFORE TURNING MORE NORTHWARD
AS THE STR RECEDES EASTWARD IN RESPONSE TO AN APPROACHING SHORTWAVE
TROUGH FROM THE NORTHWEST. THE SYSTEM HAS PEAKED AND WILL SUSTAIN ITS
CURRENT INTENSITY OF 105 KNOTS UP TO TAU 12 AS THE FAVORABLE
ENVIRONMENTAL CONDITIONS PREVAIL. AFTERWARD, INCREASING VWS WILL
PRIMARILY BE THE DRIVING FACTOR FOR A VERY SLOW WEAKENING TREND.
BY TAU 72, TY 02W WILL BE REDUCED TO 80 KNOTS. NUMERICAL GUIDANCE IS
IN GOOD AGREEMENT THROUGH TAU 24 BEFORE SPREAD INCREASES TO 240NM BY
TAU 72 WITH NAVGEM ON THE LEFT AND AEMN ON THE RIGHT MARGIN OF THE
ENVELOPE. THERE IS OVERALL FAIR CONFIDENCE IN THIS PORTION OF THE
JTWC
TRACK FORECAST THAT IS LAID CLOSE TO THE MULTI-MODEL CONSENSUS.
C. BEYOND TAU 72, TY WUTIP WILL SIGNIFICANTLY SLOW DOWN AND BE
PULLED MORE NORTHWARD INTO A COL AREA BY A BUILDING SECONDARY STR TO
THE WEST-SOUTHWEST IN THE SOUTH CHINA SEA. INCREASING VWS TO THE
NORTH ASSOCIATED WITH THE WESTERLIES AND COOLING SSTS WILL ERODE THE
SYSTEM AT A MORE RAPID RATE. BY TAU 120, TY 02W WILL WEAKEN TO 40
KNOTS. THERE IS A POSSIBILITY THAT THE SYSTEM WILL ERODE AND WEAKEN
AT A FASTER RATE RESULTING IN AN EVEN SLOWER, WESTWARD, OR
QUASI-STATIONARY STORM MOTION AFTER TAU 72, AS PROPOSED BY SOME OF
THE NUMERICAL MODELS INCLUDING ECMWF, EEMN, AFUM, AND AT A LATER TAU,
GFS. IN VIEW OF THE SIGNIFICANT VARIANCE AMONG THE NUMERICAL MODELS,
THERE IS LOW CONFIDENCE IN THE EXTENDED PORTION OF THE JTWC TRACK
FORECAST.//
NNNN
Click on the TC graphic to read the Remarks for Warning 14 and view sat pics and charts .
Satellite bulletins are to be found in the comments of this post on JTWC BIS.
As of 12:00 UTC Feb 22, 2019:
Location: 9.8°N 145.1°E
Maximum Winds: 105 kt (195km/h)
Gusts: 130 kt (240km/h)
Minimum Central Pressure: mb
https://www.facebook.com/groups/1817419381676514/
Cheers,
Patrick Hoareau
WDPN31 PGTW 221500
MSGID/GENADMIN/JOINT TYPHOON WRNCEN PEARL HARBOR HI//
SUBJ/PROGNOSTIC REASONING FOR TYPHOON 02W (WUTIP) WARNING NR 14//
RMKS/
1. FOR METEOROLOGISTS.
2. 6 HOUR SUMMARY AND ANALYSIS.
TYPHOON (TY) 02W (WUTIP), LOCATED APPROXIMATELY 234 NM SOUTH OF
ANDERSEN AFB, GUAM, HAS TRACKED NORTHWESTWARD AT 13 KNOTS OVER THE
PAST SIX HOURS. ANIMATED ENHANCED INFRARED SATELLITE IMAGERY SHOWS
THE SYSTEM HAS INTENSIFIED SOME MORE, ALBEIT SLIGHTLY, AS EVIDENCED
BY A MORE SYMMETRIC CENTRAL CONVECTION AND THE EMERGENCE OF A DEFINED
20-NM EYE. THE INITIAL POSITION IS PLACED WITH HIGH CONFIDENCE BASED
ON THE EYE WITH MINOR ADJUSTMENT TO ACCOUNT FOR A SLIGHT POLEWARD
TILT AND LINED UP WITH A MICROWAVE EYE IN THE 220915Z 37GHZ SSMIS
COLOR-ENHANCED IMAGE. ANALYSIS INDICATES AN OVERALL FAVORABLE
ENVIRONMENT WITH LOW TO MODERATE (15-20 KNOT) VERTICAL WIND SHEAR
(VWS) THAT IS OFFSET BY A ROBUST RADIAL OUTFLOW. SEA SURFACE
TEMPERATURES (SSTS) OF 29 CELSIUS ARE ALSO CONDUCIVE. THE CYCLONE IS
TRACKING ALONG THE SOUTHWEST PERIPHERY OF A DEEP-LAYER SUBTROPICAL
RIDGE (STR) TO THE NORTH-NORTHEAST.
3. FORECAST REASONING.
A. THERE IS NO CHANGE TO THE FORECAST PHILOSOPHY SINCE THE
PREVIOUS FORECAST.
B. UNDER THE STEERING INFLUENCE OF THE STR, TY 02W WILL CONTINUE
TO TRACK NORTHWESTWARD THROUGH TAU 36 BEFORE TURNING MORE NORTHWARD
AS THE STR RECEDES EASTWARD IN RESPONSE TO AN APPROACHING SHORTWAVE
TROUGH FROM THE NORTHWEST. THE SYSTEM HAS PEAKED AND WILL SUSTAIN ITS
CURRENT INTENSITY OF 105 KNOTS UP TO TAU 12 AS THE FAVORABLE
ENVIRONMENTAL CONDITIONS PREVAIL. AFTERWARD, INCREASING VWS WILL
PRIMARILY BE THE DRIVING FACTOR FOR A VERY SLOW WEAKENING TREND.
BY TAU 72, TY 02W WILL BE REDUCED TO 80 KNOTS. NUMERICAL GUIDANCE IS
IN GOOD AGREEMENT THROUGH TAU 24 BEFORE SPREAD INCREASES TO 240NM BY
TAU 72 WITH NAVGEM ON THE LEFT AND AEMN ON THE RIGHT MARGIN OF THE
ENVELOPE. THERE IS OVERALL FAIR CONFIDENCE IN THIS PORTION OF THE
JTWC
TRACK FORECAST THAT IS LAID CLOSE TO THE MULTI-MODEL CONSENSUS.
C. BEYOND TAU 72, TY WUTIP WILL SIGNIFICANTLY SLOW DOWN AND BE
PULLED MORE NORTHWARD INTO A COL AREA BY A BUILDING SECONDARY STR TO
THE WEST-SOUTHWEST IN THE SOUTH CHINA SEA. INCREASING VWS TO THE
NORTH ASSOCIATED WITH THE WESTERLIES AND COOLING SSTS WILL ERODE THE
SYSTEM AT A MORE RAPID RATE. BY TAU 120, TY 02W WILL WEAKEN TO 40
KNOTS. THERE IS A POSSIBILITY THAT THE SYSTEM WILL ERODE AND WEAKEN
AT A FASTER RATE RESULTING IN AN EVEN SLOWER, WESTWARD, OR
QUASI-STATIONARY STORM MOTION AFTER TAU 72, AS PROPOSED BY SOME OF
THE NUMERICAL MODELS INCLUDING ECMWF, EEMN, AFUM, AND AT A LATER TAU,
GFS. IN VIEW OF THE SIGNIFICANT VARIANCE AMONG THE NUMERICAL MODELS,
THERE IS LOW CONFIDENCE IN THE EXTENDED PORTION OF THE JTWC TRACK
FORECAST.//
NNNN














