https://www.facebook.com/groups/1817419381676514/
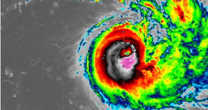
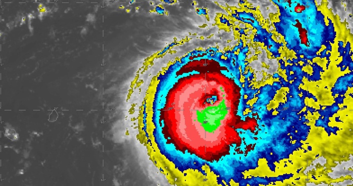
Location: 19.5°S 65.0°E
Maximum Winds: 115 kt (215km/h)
Gusts: 140 kt ( 260km/h)
Minimum Central Pressure: 945 mb
CATEGORY 4 US INTENSIFYING
REMARKS:
261500Z POSITION NEAR 19.6S 65.2E.
TROPICAL CYCLONE (TC) 22S (JOANINHA), LOCATED APPROXIMATELY 86 NM
EAST OF PORT MATHURIN, MAURITIUS, HAS TRACKED EAST-SOUTHEASTWARD AT
08 KNOTS OVER THE PAST SIX HOURS. ANIMATED MULTISPECTRAL SATELLITE
IMAGERY (MSI) REVEALS A 15-NM WIDE EYE AND ROBUST POLEWARD OUTFLOW.
THE INITIAL POSITION IS PLACED WITH HIGH CONFIDENCE USING THE MSI AND
AN EYE FEATURE IN A 261146Z SSMIS 37 GHZ MICROWAVE IMAGE. THE INITIAL
INTENSITY OF 115 KTS IS CONSISTENT WITH PGTW AND KNES DVORAK CURRENT
INTENSITY ESTIMATES OF T6.0 (115 KTS). THE ENVIRONMENT IS FAVORABLE
WITH WARM (28-29 CELSIUS) SEA SURFACE TEMPERATURE, LOW (10-15 KT)
VERTICAL WIND SHEAR (VWS), AND EXCELLENT POLEWARD OUTFLOW. TC 22S IS
TRACKING ALONG THE SOUTHERN PERIPHERY OF A NEAR-EQUATORIAL RIDGE.
AFTER TAU 36, A SUBTROPICAL RIDGE TO THE SOUTHEAST WILL SHIFT THE
TRACK POLEWARD FOR THE REMAINDER OF THE FORECAST. BY TAU 96,
INCREASED BAROCLINIC INTERACTION IS EXPECTED TO CAUSE TC 22S TO BEGIN
TRANSITIONING INTO A SUBTROPICAL CYCLONE. THE INTENSITY IS EXPECTED
TO REMAIN ABOVE 100 KTS UNDER FAVORABLE ENVIRONMENTAL CONDITIONS
THROUGH TAU 36. AFTER TAU 36, HIGH VWS IS EXPECTED TO CAUSE STEADY
WEAKENING AND THE INTENSITY SHOULD FALL TO AROUND 45 KTS BY TAU 120.
THERE IS SIGNIFICANT SPREAD (OVER 450 NM BY TAU 12) IN THE NUMERICAL
MODEL GUIDANCE WITH ECMWF AND GALWEM BEING THE WESTERNMOST AND
EASTERNMOST MEMBERS, RESPECTIVELY. THE JTWC TRACK FORECAST IS PLACED
CLOSE TO THE CONSENSUS TRACK WITH LOW CONFIDENCE BASED ON THE HIGH
UNCERTAINTY IN THE GUIDANCE. MAXIMUM SIGNIFICANT WAVE HEIGHT AT
261200Z IS 38 FEET. NEXT WARNINGS AT 262100Z, 270300Z, 270900Z AND
271500Z. REFER TO TROPICAL CYCLONE 21S (VERONICA) FOR FINAL WARNING
ON THAT SYSTEM (WTXS32 PGTW).//
NNNN
Location: 19.5°S 65.0°E
Maximum Winds: 115 kt (215km/h)
Gusts: 140 kt ( 260km/h)
Minimum Central Pressure: 945 mb
CATEGORY 4 US INTENSIFYING
REMARKS:
261500Z POSITION NEAR 19.6S 65.2E.
TROPICAL CYCLONE (TC) 22S (JOANINHA), LOCATED APPROXIMATELY 86 NM
EAST OF PORT MATHURIN, MAURITIUS, HAS TRACKED EAST-SOUTHEASTWARD AT
08 KNOTS OVER THE PAST SIX HOURS. ANIMATED MULTISPECTRAL SATELLITE
IMAGERY (MSI) REVEALS A 15-NM WIDE EYE AND ROBUST POLEWARD OUTFLOW.
THE INITIAL POSITION IS PLACED WITH HIGH CONFIDENCE USING THE MSI AND
AN EYE FEATURE IN A 261146Z SSMIS 37 GHZ MICROWAVE IMAGE. THE INITIAL
INTENSITY OF 115 KTS IS CONSISTENT WITH PGTW AND KNES DVORAK CURRENT
INTENSITY ESTIMATES OF T6.0 (115 KTS). THE ENVIRONMENT IS FAVORABLE
WITH WARM (28-29 CELSIUS) SEA SURFACE TEMPERATURE, LOW (10-15 KT)
VERTICAL WIND SHEAR (VWS), AND EXCELLENT POLEWARD OUTFLOW. TC 22S IS
TRACKING ALONG THE SOUTHERN PERIPHERY OF A NEAR-EQUATORIAL RIDGE.
AFTER TAU 36, A SUBTROPICAL RIDGE TO THE SOUTHEAST WILL SHIFT THE
TRACK POLEWARD FOR THE REMAINDER OF THE FORECAST. BY TAU 96,
INCREASED BAROCLINIC INTERACTION IS EXPECTED TO CAUSE TC 22S TO BEGIN
TRANSITIONING INTO A SUBTROPICAL CYCLONE. THE INTENSITY IS EXPECTED
TO REMAIN ABOVE 100 KTS UNDER FAVORABLE ENVIRONMENTAL CONDITIONS
THROUGH TAU 36. AFTER TAU 36, HIGH VWS IS EXPECTED TO CAUSE STEADY
WEAKENING AND THE INTENSITY SHOULD FALL TO AROUND 45 KTS BY TAU 120.
THERE IS SIGNIFICANT SPREAD (OVER 450 NM BY TAU 12) IN THE NUMERICAL
MODEL GUIDANCE WITH ECMWF AND GALWEM BEING THE WESTERNMOST AND
EASTERNMOST MEMBERS, RESPECTIVELY. THE JTWC TRACK FORECAST IS PLACED
CLOSE TO THE CONSENSUS TRACK WITH LOW CONFIDENCE BASED ON THE HIGH
UNCERTAINTY IN THE GUIDANCE. MAXIMUM SIGNIFICANT WAVE HEIGHT AT
261200Z IS 38 FEET. NEXT WARNINGS AT 262100Z, 270300Z, 270900Z AND
271500Z. REFER TO TROPICAL CYCLONE 21S (VERONICA) FOR FINAL WARNING
ON THAT SYSTEM (WTXS32 PGTW).//
NNNN
















