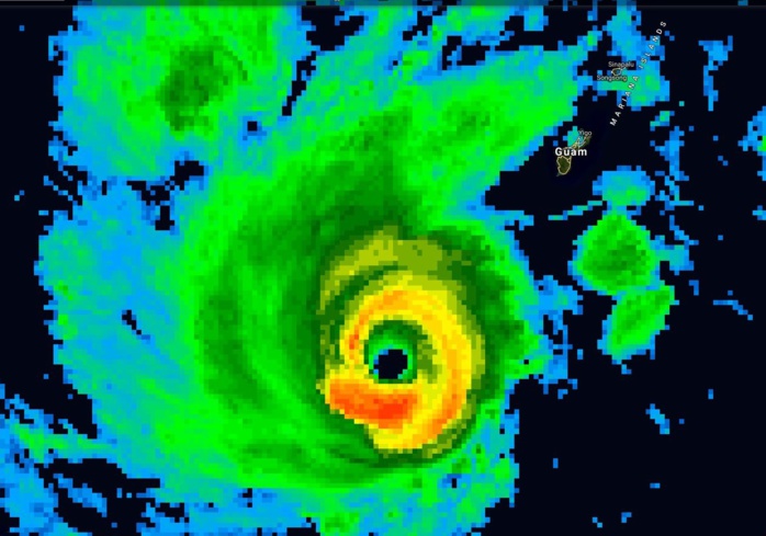
Recent sat data(0830z)= continued intensification(Dvorak=6.5). The cyclone is impressively compact with a clear-cut 25km(apprx) eye feature.
2019 FEB 23 0810UTC WESTERN NORTH PACIFIC
TY #WUTIP #02W
This system is currently analysed as a 115knots TC, CAT4 US.
WDPN31 PGTW 230900
MSGID/GENADMIN/JOINT TYPHOON WRNCEN PEARL HARBOR HI//
SUBJ/PROGNOSTIC REASONING FOR TYPHOON 02W (WUTIP) WARNING NR 17//
RMKS/
1. FOR METEOROLOGISTS.
2. 6 HOUR SUMMARY AND ANALYSIS.
TYPHOON (TY) 02W (WUTIP), LOCATED APPROXIMATELY 170 NM SOUTHWEST
OF ANDERSEN AFB, GUAM, HAS TRACKED NORTHWESTWARD AT 09 KNOTS OVER
THE PAST SIX HOURS. ANIMATED ENHANCED INFRARED SATELLITE IMAGERY AND
A 230654Z AMSU 89GHZ IMAGE DEPICT A CONSOLIDATING SYSTEM WITH
IMPROVED EYEWALL CONVECTION AND A CONTRACTING, ROUND 12-15NM EYE.
ANIMATED RADAR IMAGERY SHOWS EXTENSIVE, HEAVY RAINFALL ASSOCIATED
WITH THE NORTHERN SPIRAL RAINBANDS ADVECTING OVER GUAM, AND A WELL-
DEFINED EYEWALL, WHICH SUPPORTS THE INITIAL POSITION WITH HIGH
CONFIDENCE. THE SPIRAL BANDS HAVE CONTINUED TO PRODUCE PERSISTENT
GALE-FORCE SURFACE WINDS OVER GUAM WITH GUSTS CLOSE TO 50 KNOTS.
BASED ON THE IMPROVED CONVECTIVE STRUCTURE AND DVORAK INTENSITY
ESTIMATES OF T6.0 (115 KNOTS) FROM BOTH KNES AND PGTW, THE INITIAL
INTENSITY IS INCREASED TO 115 KNOTS. UPPER-LEVEL CONDITIONS REMAIN
FAVORABLE WITH LOW TO MODERATE (15 TO 20 KNOTS) SOUTHEASTERLY
VERTICAL WIND SHEAR (VWS) OFFSET BY A ROBUST POLEWARD OUTFLOW
CHANNEL AND GOOD EQUATORWARD OUTFLOW. SST VALUES HAVE DECREASED TO
27C BUT REMAIN FAVORABLE. TY 02W IS TRACKING NORTHWESTWARD UNDER THE
STEERING INFLUENCE OF A DEEP-LAYERED SUBTROPICAL RIDGE (STR)
POSITIONED TO THE NORTHEAST.
3. FORECAST REASONING.
A. THERE IS NO CHANGE TO THE FORECAST PHILOSOPHY SINCE THE
PREVIOUS PROGNOSTIC REASONING MESSAGE.
B. TY 02W SHOULD CONTINUE TO TRACK NORTHWESTWARD TO NORTH-
NORTHWESTWARD UNDER THE STEERING INFLUENCE OF THE AFOREMENTIONED STR
TO THE NORTHEAST THROUGH TAU 72. NUMERICAL MODEL GUIDANCE REMAINS IN
TIGHT AGREEMENT THROUGH THIS PHASE OF THE FORECAST WITH A 65NM
SPREAD IN THE MODEL SOLUTIONS AT TAU 72. IN GENERAL, THERE IS SOME
UNCERTAINTY IN THE INTENSITY FORECAST, HOWEVER, THE SYSTEM IS
EXPECTED TO MAINTAIN AT 115 KNOTS THROUGH TAU 12 DUE TO THE STRONG
OUTFLOW WITH A STEADY, SLOW WEAKENING TREND FROM TAU 24 THROUGH TAU
72 AS SST VALUES DECREASE SLIGHTLY TO 26C AND VWS BEGINS TO
NEGATIVELY AFFECT THE SYSTEM.
C. AFTER TAU 72, AN UPPER-LEVEL SHORTWAVE TROUGH IS FORECAST TO
DEEPEN TO THE NORTH, WHICH WILL SERVE TO WEAKEN THE STEERING RIDGE
AND LEAD TO A SLOWER NORTHWARD TO NORTHWESTWARD DRIFT. AFTER TAU 84,
INCREASING VWS (20 TO 40 KNOTS) AND CONVERGENCE ASSOCIATED WITH THE
SHORTWAVE TROUGH WILL RAPIDLY WEAKEN THE SYSTEM. AFTER TAU 96, THE
WEAKENED SYSTEM WILL ACCELERATE WEST-NORTHWESTWARD UNDER THE
STEERING INFLUENCE OF A STRONG LOW-LEVEL RIDGE AND NORTHEASTERLY
SURGE FORECAST TO BUILD SOUTH AND SOUTHEAST OF JAPAN. DUE TO THE
COMPLEX AND RAPIDLY-EVOLVING SYNOPTIC PATTERN, THERE IS INCREASING
UNCERTAINTY IN THE EXACT TRACK WITH A 570NM SPREAD IN SOLUTIONS AT
TAU 120. THEREFORE, THERE IS LOW CONFIDENCE IN THIS PORTION OF THE
JTWC TRACK AND INTENSITY FORECAST.//
NNNN
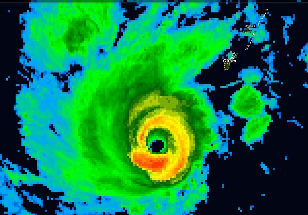
2019 FEB 23 0810UTC WESTERN NORTH PACIFIC
TY #WUTIP #02W
This system is currently analysed as a 115knots TC, CAT4 US.
WARNING 17/JTWC
Click on the TC graphic to read the Remarks for Warning 17 and view sat pics and charts .
Satellite bulletins are to be found in the comments of this post on JTWC BIS.
As of 06:00 UTC Feb 23, 2019:
Location: 11.4°N 143.2°E
Maximum Winds: 115 kt (215km/h)
Gusts: 140 kt (260km/h)
Minimum Central Pressure: 943 mb
https://www.facebook.com/groups/1817419381676514/
Cheers,
Patrick Hoareau
Click on the TC graphic to read the Remarks for Warning 17 and view sat pics and charts .
Satellite bulletins are to be found in the comments of this post on JTWC BIS.
As of 06:00 UTC Feb 23, 2019:
Location: 11.4°N 143.2°E
Maximum Winds: 115 kt (215km/h)
Gusts: 140 kt (260km/h)
Minimum Central Pressure: 943 mb
https://www.facebook.com/groups/1817419381676514/
Cheers,
Patrick Hoareau
WDPN31 PGTW 230900
MSGID/GENADMIN/JOINT TYPHOON WRNCEN PEARL HARBOR HI//
SUBJ/PROGNOSTIC REASONING FOR TYPHOON 02W (WUTIP) WARNING NR 17//
RMKS/
1. FOR METEOROLOGISTS.
2. 6 HOUR SUMMARY AND ANALYSIS.
TYPHOON (TY) 02W (WUTIP), LOCATED APPROXIMATELY 170 NM SOUTHWEST
OF ANDERSEN AFB, GUAM, HAS TRACKED NORTHWESTWARD AT 09 KNOTS OVER
THE PAST SIX HOURS. ANIMATED ENHANCED INFRARED SATELLITE IMAGERY AND
A 230654Z AMSU 89GHZ IMAGE DEPICT A CONSOLIDATING SYSTEM WITH
IMPROVED EYEWALL CONVECTION AND A CONTRACTING, ROUND 12-15NM EYE.
ANIMATED RADAR IMAGERY SHOWS EXTENSIVE, HEAVY RAINFALL ASSOCIATED
WITH THE NORTHERN SPIRAL RAINBANDS ADVECTING OVER GUAM, AND A WELL-
DEFINED EYEWALL, WHICH SUPPORTS THE INITIAL POSITION WITH HIGH
CONFIDENCE. THE SPIRAL BANDS HAVE CONTINUED TO PRODUCE PERSISTENT
GALE-FORCE SURFACE WINDS OVER GUAM WITH GUSTS CLOSE TO 50 KNOTS.
BASED ON THE IMPROVED CONVECTIVE STRUCTURE AND DVORAK INTENSITY
ESTIMATES OF T6.0 (115 KNOTS) FROM BOTH KNES AND PGTW, THE INITIAL
INTENSITY IS INCREASED TO 115 KNOTS. UPPER-LEVEL CONDITIONS REMAIN
FAVORABLE WITH LOW TO MODERATE (15 TO 20 KNOTS) SOUTHEASTERLY
VERTICAL WIND SHEAR (VWS) OFFSET BY A ROBUST POLEWARD OUTFLOW
CHANNEL AND GOOD EQUATORWARD OUTFLOW. SST VALUES HAVE DECREASED TO
27C BUT REMAIN FAVORABLE. TY 02W IS TRACKING NORTHWESTWARD UNDER THE
STEERING INFLUENCE OF A DEEP-LAYERED SUBTROPICAL RIDGE (STR)
POSITIONED TO THE NORTHEAST.
3. FORECAST REASONING.
A. THERE IS NO CHANGE TO THE FORECAST PHILOSOPHY SINCE THE
PREVIOUS PROGNOSTIC REASONING MESSAGE.
B. TY 02W SHOULD CONTINUE TO TRACK NORTHWESTWARD TO NORTH-
NORTHWESTWARD UNDER THE STEERING INFLUENCE OF THE AFOREMENTIONED STR
TO THE NORTHEAST THROUGH TAU 72. NUMERICAL MODEL GUIDANCE REMAINS IN
TIGHT AGREEMENT THROUGH THIS PHASE OF THE FORECAST WITH A 65NM
SPREAD IN THE MODEL SOLUTIONS AT TAU 72. IN GENERAL, THERE IS SOME
UNCERTAINTY IN THE INTENSITY FORECAST, HOWEVER, THE SYSTEM IS
EXPECTED TO MAINTAIN AT 115 KNOTS THROUGH TAU 12 DUE TO THE STRONG
OUTFLOW WITH A STEADY, SLOW WEAKENING TREND FROM TAU 24 THROUGH TAU
72 AS SST VALUES DECREASE SLIGHTLY TO 26C AND VWS BEGINS TO
NEGATIVELY AFFECT THE SYSTEM.
C. AFTER TAU 72, AN UPPER-LEVEL SHORTWAVE TROUGH IS FORECAST TO
DEEPEN TO THE NORTH, WHICH WILL SERVE TO WEAKEN THE STEERING RIDGE
AND LEAD TO A SLOWER NORTHWARD TO NORTHWESTWARD DRIFT. AFTER TAU 84,
INCREASING VWS (20 TO 40 KNOTS) AND CONVERGENCE ASSOCIATED WITH THE
SHORTWAVE TROUGH WILL RAPIDLY WEAKEN THE SYSTEM. AFTER TAU 96, THE
WEAKENED SYSTEM WILL ACCELERATE WEST-NORTHWESTWARD UNDER THE
STEERING INFLUENCE OF A STRONG LOW-LEVEL RIDGE AND NORTHEASTERLY
SURGE FORECAST TO BUILD SOUTH AND SOUTHEAST OF JAPAN. DUE TO THE
COMPLEX AND RAPIDLY-EVOLVING SYNOPTIC PATTERN, THERE IS INCREASING
UNCERTAINTY IN THE EXACT TRACK WITH A 570NM SPREAD IN SOLUTIONS AT
TAU 120. THEREFORE, THERE IS LOW CONFIDENCE IN THIS PORTION OF THE
JTWC TRACK AND INTENSITY FORECAST.//
NNNN
















