TC HALEH 17S
https://www.facebook.com/groups/1817419381676514/
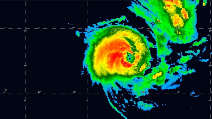
As of 00:00 UTC Mar 04, 2019:
Location: 17.1°S 73.3°E
Maximum Winds: 90 kt (170km/h)
Gusts: 110 kt (205km/h)
Minimum Central Pressure: 956 mb
REMARKS:
040300Z POSITION NEAR 17.3S 73.2E.
TROPICAL CYCLONE 17S (HALEH), LOCATED APPROXIMATELY 602 NM SOUTH OF
DIEGO GARCIA, HAS TRACKED SOUTH-SOUTHWESTWARD AT 08 KNOTS OVER THE
PAST SIX HOURS. ANIMATED ENHANCED INFRARED SATELLITE IMAGERY SHOWS AN
EXPANSIVE SYSTEM WITH RAIN BANDS, MOSTLY FROM THE EQUATORWARD SIDE,
WRAPPING IN TIGHTER INTO A DEEPENED CENTRAL CONVECTION WITH A
FORMATIVE EYE. THE INITIAL POSITION IS PLACED WITH HIGH CONFIDENCE
BASED ON THE WELL-DEFINED MICROWAVE EYE FEATURE IN THE 032255Z 37GHZ
NEAR-SURFACE COLORIZED IMAGE. THE INITIAL INTENSITY IS BASED ON THE
DVORAK ESTIMATE OF T5.0/90KTS FROM PGTW. ANALYSIS INDICATES A
FAVORABLE ENVIRONMENT WITH EXCELLENT RADIAL OUTFLOW, LOW (10-15KT)
VERTICAL WIND SHEAR (VWS), AND WARM (30C) SEA SURFACE TEMPERATURES
(SSTS). TC 17S WILL CONTINUE ON ITS CURRENT TRACK ALONG THE NORTHWEST
PERIPHERY OF A SUBTROPICAL RIDGE (STR) TO THE SOUTHEAST. AFTER TAU
24, THE STR WILL BUILD WESTWARD AND DRIVE THE CYCLONE ON A MORE
SOUTHWESTWARD TRACK. THE FAVORABLE CONDITIONS MENTIONED ABOVE WILL
FUEL STEADY INTENSIFICATION UP TO 115KTS BY TAU 48. AFTERWARD,
INCREASING VWS AND COOLING SSTS WILL PROMOTE A STEADY WEAKENING AND,
BY TAU 120, TC HALEH WILL BE REDUCED TO 60KTS. THE NUMERICAL MODELS
ARE IN TIGHT AGREEMENT UP TO TAU 48 WHERE NAVGEM DEVIATES
SIGNIFICANTLY LEFT OF THE MODEL CLUSTER INTO THE STR, SPREADING THE
ENVELOPE UP TO 380NM BY TAU 120. DESPITE THIS SINGLE MODEL DEVIATION,
THERE IS HIGH CONFIDENCE IN THE JTWC TRACK FORECAST THAT IS LAID TO
THE RIGHT OF THE MODEL CONSENSUS AFTER TAU 48 TO OFFSET THE UNLIKELY
NAVGEM SOLUTION. MAXIMUM SIGNIFICANT WAVE HEIGHT AT 040000Z IS 32
FEET. NEXT WARNINGS AT 040900Z, 041500Z, 042100Z AND 050300Z.//
NNNN
https://www.facebook.com/groups/1817419381676514/
As of 00:00 UTC Mar 04, 2019:
Location: 17.1°S 73.3°E
Maximum Winds: 90 kt (170km/h)
Gusts: 110 kt (205km/h)
Minimum Central Pressure: 956 mb
REMARKS:
040300Z POSITION NEAR 17.3S 73.2E.
TROPICAL CYCLONE 17S (HALEH), LOCATED APPROXIMATELY 602 NM SOUTH OF
DIEGO GARCIA, HAS TRACKED SOUTH-SOUTHWESTWARD AT 08 KNOTS OVER THE
PAST SIX HOURS. ANIMATED ENHANCED INFRARED SATELLITE IMAGERY SHOWS AN
EXPANSIVE SYSTEM WITH RAIN BANDS, MOSTLY FROM THE EQUATORWARD SIDE,
WRAPPING IN TIGHTER INTO A DEEPENED CENTRAL CONVECTION WITH A
FORMATIVE EYE. THE INITIAL POSITION IS PLACED WITH HIGH CONFIDENCE
BASED ON THE WELL-DEFINED MICROWAVE EYE FEATURE IN THE 032255Z 37GHZ
NEAR-SURFACE COLORIZED IMAGE. THE INITIAL INTENSITY IS BASED ON THE
DVORAK ESTIMATE OF T5.0/90KTS FROM PGTW. ANALYSIS INDICATES A
FAVORABLE ENVIRONMENT WITH EXCELLENT RADIAL OUTFLOW, LOW (10-15KT)
VERTICAL WIND SHEAR (VWS), AND WARM (30C) SEA SURFACE TEMPERATURES
(SSTS). TC 17S WILL CONTINUE ON ITS CURRENT TRACK ALONG THE NORTHWEST
PERIPHERY OF A SUBTROPICAL RIDGE (STR) TO THE SOUTHEAST. AFTER TAU
24, THE STR WILL BUILD WESTWARD AND DRIVE THE CYCLONE ON A MORE
SOUTHWESTWARD TRACK. THE FAVORABLE CONDITIONS MENTIONED ABOVE WILL
FUEL STEADY INTENSIFICATION UP TO 115KTS BY TAU 48. AFTERWARD,
INCREASING VWS AND COOLING SSTS WILL PROMOTE A STEADY WEAKENING AND,
BY TAU 120, TC HALEH WILL BE REDUCED TO 60KTS. THE NUMERICAL MODELS
ARE IN TIGHT AGREEMENT UP TO TAU 48 WHERE NAVGEM DEVIATES
SIGNIFICANTLY LEFT OF THE MODEL CLUSTER INTO THE STR, SPREADING THE
ENVELOPE UP TO 380NM BY TAU 120. DESPITE THIS SINGLE MODEL DEVIATION,
THERE IS HIGH CONFIDENCE IN THE JTWC TRACK FORECAST THAT IS LAID TO
THE RIGHT OF THE MODEL CONSENSUS AFTER TAU 48 TO OFFSET THE UNLIKELY
NAVGEM SOLUTION. MAXIMUM SIGNIFICANT WAVE HEIGHT AT 040000Z IS 32
FEET. NEXT WARNINGS AT 040900Z, 041500Z, 042100Z AND 050300Z.//
NNNN













