https://www.facebook.com/groups/1817419381676514/
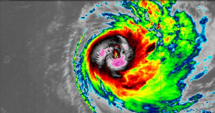
Location: 20.2°S 66.1°E
Maximum Winds: 115 kt (215km/h)
Gusts: 140 kt ( 260km/h)
Minimum Central Pressure: 944 mb
CATEGORY 4 US INTENSIFYING
REMARKS:
270300Z POSITION NEAR 20.2S 66.2E.
TROPICAL CYCLONE 22S (JOANINHA), LOCATED APPROXIMATELY 142 NM EAST OF
PORT MATHURIN, RODRIGUES ISLAND, MAURITIUS, HAS TRACKED SOUTHEASTWARD
AT 07 KNOTS OVER THE PAST SIX HOURS. ANIMATED ENHANCED INFRARED (EIR)
SATELLITE IMAGERY SHOWS THE SYSTEM HAS MAINTAINED AN OVERALL INTENSE
CONVECTIVE SIGNATURE WITH RAIN BANDS WRAPPED TIGHTLY INTO A COMPACT
AND SYMMETRIC CENTRAL CONVECTION WITH A PINHOLE 04-NM EYE. THE
INITIAL POSITION IS PLACED WITH HIGH CONFIDENCE BASED ON THE EYE,
ADJUSTED FOR A SLIGHT TILT BY LINING UP WITH A MICROWAVE EYE FEATURE
IN THE 262300Z SSMIS NEAR-SURFACE 37GHZ COLORIZED IMAGE. THE INITIAL
INTENSITY OF 115KTS IS HELD SLIGHTLY HIGHER THAN AGENCY DVORAK
ESTIMATES TO REFLECT THE SUSTAINED EIR SIGNATURE. TC 22S IS IN A LOW
(10-15 KT) RELATIVE VERTICAL WIND SHEAR (VWS) AREA DUE TO THE STORM
MOTION BEING IN-PHASE WITH THE UPPER LEVEL WIND FLOW. OUTFLOW REMAINS
EXCELLENT, ESPECIALLY ON THE POLEWARD SIDE, AND SEA SURFACE
TEMPERATURES ARE WARM AND CONDUCIVE AT 29-30C. THE CYCLONE IS
TRACKING ALONG THE SOUTHWEST PERIPHERY OF AN EXTENSION OF THE NEAR
EQUATORIAL RIDGE TO THE NORTHEAST. AFTER TAU 36, THE TC WILL TURN
SOUTH-SOUTHEASTWARD THEN SOUTHWARD AS A SUBTROPICAL RIDGE TO THE
SOUTHEAST SLOWLY ASSUMES STEERING. THE FAVORABLE ENVIRONMENT WILL
PROMOTE SLIGHT INTENSIFICATION TO A PEAK OF 120KTS BY TAU 12.
AFTERWARD, IT WILL GRADUALLY WEAKEN MAINLY DUE TO INCREASING VWS.
AROUND TAU 96, IT IS ALSO EXPECTED TO BEGIN SUBTROPICAL TRANSITION AS
IT APPROACHES THE BAROCLINIC ZONE. NUMERICAL MODELS SIGNIFICANTLY
DIVERGE IN ALONG-TRACK SPEEDS AND ACROSS TRACK TO A SPAN OF OVER
350NM BY TAU 120, OFFERING VARYING SOLUTIONS RELATIVE TO THE
TRANSITION IN STEERING MECHANISMS WITH ECMWF ON THE RIGHT AND NAVGEM
ON THE LEFT MARGIN OF THE MODEL ENVELOPE. IN VIEW OF THIS, THERE IS
LOW CONFIDENCE IN THE JTWC TRACK FORECAST. MAXIMUM SIGNIFICANT WAVE
HEIGHT AT 270000Z IS 38 FEET. NEXT WARNINGS AT 270900Z, 271500Z,
272100Z AND 280300Z.//
NNNN
Location: 20.2°S 66.1°E
Maximum Winds: 115 kt (215km/h)
Gusts: 140 kt ( 260km/h)
Minimum Central Pressure: 944 mb
CATEGORY 4 US INTENSIFYING
REMARKS:
270300Z POSITION NEAR 20.2S 66.2E.
TROPICAL CYCLONE 22S (JOANINHA), LOCATED APPROXIMATELY 142 NM EAST OF
PORT MATHURIN, RODRIGUES ISLAND, MAURITIUS, HAS TRACKED SOUTHEASTWARD
AT 07 KNOTS OVER THE PAST SIX HOURS. ANIMATED ENHANCED INFRARED (EIR)
SATELLITE IMAGERY SHOWS THE SYSTEM HAS MAINTAINED AN OVERALL INTENSE
CONVECTIVE SIGNATURE WITH RAIN BANDS WRAPPED TIGHTLY INTO A COMPACT
AND SYMMETRIC CENTRAL CONVECTION WITH A PINHOLE 04-NM EYE. THE
INITIAL POSITION IS PLACED WITH HIGH CONFIDENCE BASED ON THE EYE,
ADJUSTED FOR A SLIGHT TILT BY LINING UP WITH A MICROWAVE EYE FEATURE
IN THE 262300Z SSMIS NEAR-SURFACE 37GHZ COLORIZED IMAGE. THE INITIAL
INTENSITY OF 115KTS IS HELD SLIGHTLY HIGHER THAN AGENCY DVORAK
ESTIMATES TO REFLECT THE SUSTAINED EIR SIGNATURE. TC 22S IS IN A LOW
(10-15 KT) RELATIVE VERTICAL WIND SHEAR (VWS) AREA DUE TO THE STORM
MOTION BEING IN-PHASE WITH THE UPPER LEVEL WIND FLOW. OUTFLOW REMAINS
EXCELLENT, ESPECIALLY ON THE POLEWARD SIDE, AND SEA SURFACE
TEMPERATURES ARE WARM AND CONDUCIVE AT 29-30C. THE CYCLONE IS
TRACKING ALONG THE SOUTHWEST PERIPHERY OF AN EXTENSION OF THE NEAR
EQUATORIAL RIDGE TO THE NORTHEAST. AFTER TAU 36, THE TC WILL TURN
SOUTH-SOUTHEASTWARD THEN SOUTHWARD AS A SUBTROPICAL RIDGE TO THE
SOUTHEAST SLOWLY ASSUMES STEERING. THE FAVORABLE ENVIRONMENT WILL
PROMOTE SLIGHT INTENSIFICATION TO A PEAK OF 120KTS BY TAU 12.
AFTERWARD, IT WILL GRADUALLY WEAKEN MAINLY DUE TO INCREASING VWS.
AROUND TAU 96, IT IS ALSO EXPECTED TO BEGIN SUBTROPICAL TRANSITION AS
IT APPROACHES THE BAROCLINIC ZONE. NUMERICAL MODELS SIGNIFICANTLY
DIVERGE IN ALONG-TRACK SPEEDS AND ACROSS TRACK TO A SPAN OF OVER
350NM BY TAU 120, OFFERING VARYING SOLUTIONS RELATIVE TO THE
TRANSITION IN STEERING MECHANISMS WITH ECMWF ON THE RIGHT AND NAVGEM
ON THE LEFT MARGIN OF THE MODEL ENVELOPE. IN VIEW OF THIS, THERE IS
LOW CONFIDENCE IN THE JTWC TRACK FORECAST. MAXIMUM SIGNIFICANT WAVE
HEIGHT AT 270000Z IS 38 FEET. NEXT WARNINGS AT 270900Z, 271500Z,
272100Z AND 280300Z.//
NNNN










